Investigation of Spent Moulding Sand Using Thermal Treatment with Regard to the Possibility of Recovering Quartz Matrix
Abstract
1. Introduction
2. Materials and Methods
2.1. Sieve Analysis
2.2. Surface Morphology
2.3. Scanning Electron Microscopy
2.4. Thermogravimetric Analysis
2.5. Ignition Losses
2.6. Gas Formation
3. Results
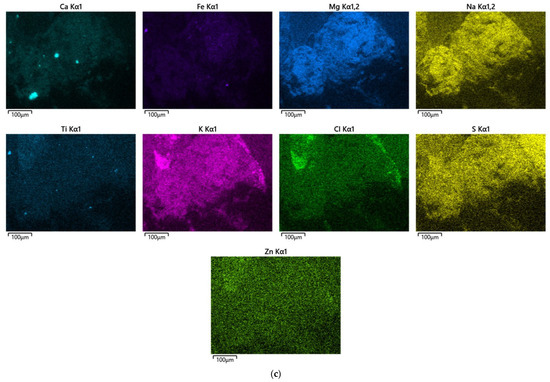
3.1. Analysis of the Initial Material
3.2. Analysis of the Material After Thermal Treatment
4. Discussion
5. Conclusions
Author Contributions
Funding
Institutional Review Board Statement
Informed Consent Statement
Data Availability Statement
Conflicts of Interest
References
- Tamizhdurai, P.; Mangesh, V.L.; Santhosh, S.; Vedavalli, R.; Kavitha, C.; Bhutto, J.K.; Alreshidi, M.A.; Yadav, K.K.; Kumaran, R. A State-of-the-Art Review of Multilayer Packaging Recycling: Challenges, Alternatives, and Outlook. J. Clean. Prod. 2024, 447, 141403. [Google Scholar] [CrossRef]
- Şahin, G.G.; Karaboyacı, M. Process and Machinery Design for the Recycling of Tetra Pak Components. J. Clean. Prod. 2021, 323, 129186. [Google Scholar] [CrossRef]
- Horikoshi, S.; Hachisuga, N.; Serpone, N. Recycling of E-Waste Power Cables Using Microwave-Induced Pyrolysis—Process Characteristics and Facile Recovery of Copper Metal. RSC Adv. 2024, 14, 29955–29964. [Google Scholar] [CrossRef] [PubMed]
- Elgarahy, A.M.; Eloffy, M.G.; Priya, A.K.; Hammad, A.; Zahran, M.; Maged, A.; Elwakeel, K.Z. Revitalizing the Circular Economy: An Exploration of e-Waste Recycling Approaches in a Technological Epoch. Sustain. Chem. Environ. 2024, 7, 100124. [Google Scholar] [CrossRef]
- El Darai, T.; Ter-Halle, A.; Blanzat, M.; Despras, G.; Sartor, V.; Bordeau, G.; Lattes, A.; Franceschi, S.; Cassel, S.; Chouini-Lalanne, N.; et al. Chemical Recycling of Polyester Textile Wastes: Shifting towards Sustainability. Green. Chem. 2024, 26, 6857–6885. [Google Scholar] [CrossRef]
- De, B.; Bera, M.; Bhattacharjee, D.; Ray, B.C.; Mukherjee, S. A Comprehensive Review on Fiber-Reinforced Polymer Composites: Raw Materials to Applications, Recycling, and Waste Management. Prog. Mater. Sci. 2024, 146, 101326. [Google Scholar] [CrossRef]
- Xiao, Z.; Pramanik, A.; Basak, A.K.; Prakash, C.; Shankar, S. Material Recovery and Recycling of Waste Tyres-A Review. Clean. Mater. 2022, 5, 100115. [Google Scholar] [CrossRef]
- Rubber Tyre Recycling and the Circular Economy: The Current Scenario|Rematec. Available online: https://www.rematec.com/news/process-and-technology/rubber-tyre-recycling-and-the-circular-economy (accessed on 22 October 2024).
- Ren, Y.; Xu, L.; Han, Z.; Xiao, S.; Sun, Y.; Nan, Z.; Shu, J.; Li, L.; Shen, Z. Study on Recycling Carbon Fibers from Carbon Fiber Reinforced Polymer Waste by Microwave Molten Salt Pyrolysis. Fuel 2024, 377, 132819. [Google Scholar] [CrossRef]
- Wang, Y.; Li, A.Y.; Zhang, S.H.; Guo, B.B.; Niu, D.T. A Review on New Methods of Recycling Waste Carbon Fiber and Its Application in Construction and Industry. Constr. Build. Mater. 2023, 367, 130301. [Google Scholar] [CrossRef]
- Sommer, V.; Walther, G. Recycling and Recovery Infrastructures for Glass and Carbon Fiber Reinforced Plastic Waste from Wind Energy Industry: A European Case Study. Waste Manag. 2021, 121, 265–275. [Google Scholar] [CrossRef]
- Rigotti, D.; Pegoretti, A. Recycling of LDPE-PVC Blends from Cable Waste: Mechanical Characterization and Performance Optimization. Results Mater. 2024, 23, 100608. [Google Scholar] [CrossRef]
- Saito, F.; Zhang, Q.; Kano, J. Mechanochemical Dechlorination of Waste PVC Resin and Feedstock Recycling. Powder Technol. 2024, 448, 120330. [Google Scholar] [CrossRef]
- Lu, L.; Li, W.; Cheng, Y.; Liu, M. Chemical Recycling Technologies for PVC Waste and PVC-Containing Plastic Waste: A Review. Waste Manag. 2023, 166, 245–258. [Google Scholar] [CrossRef]
- The PVC Recycling Market, Industry Size Growth Forecast Report, [Latest]. Available online: https://www.marketsandmarkets.com/Market-Reports/pvc-recycling-market-13929415.html (accessed on 22 October 2024).
- Lanaridi, O.; Platzer, S.; Nischkauer, W.; Limbeck, A.; Schnürch, M.; Bica-Schröder, K. A Combined Deep Eutectic Solvent–Ionic Liquid Process for the Extraction and Separation of Platinum Group Metals (Pt, Pd, Rh). Molecules 2021, 26, 7204. [Google Scholar] [CrossRef]
- Generowicz, N.; Kulczycka, J.; Partyka, M.; Saługa, K. Key Challenges and Opportunities for an Effective Supply Chain System in the Catalyst Recycling Market–A Case Study of Poland. Resources 2021, 10, 13. [Google Scholar] [CrossRef]
- Trinh, H.; Lee, J.; Suh, Y.; Lee, J. A review on the recycling processes of spent auto-catalysts: Towards the development of sustainable metallurgy. Waste Manag. 2020, 114, 148–165. [Google Scholar] [CrossRef]
- Ding, Y.; Zheng, H.; Zhang, S.; Liu, B.; Wu, B.; Jian, Z. Highly efficient recovery of platinum, palladium, and rhodium from spent automotive catalysts via iron melting collection. Resour. Conserv. Recycl. 2020, 155, 104644. [Google Scholar] [CrossRef]
- Saternus, M.; Fornalczyk, A.; Gąsior, W.; Dębski, A.; Terlicka, S. Modifications and Improvements to the Collector Metal Method Using an mhd Pump for Recovering Platinum from Used Car Catalysts. Catalysts 2020, 10, 880. [Google Scholar] [CrossRef]
- Torrejos, R.; Nisola, G.; Min, S.; Han, J.; Lee, S.; Chung, W. Highly selective extraction of palladium from spent automotive catalyst acid leachate using novel alkylated dioxa-dithiacrown ether derivatives. J. Ind. Eng. Chem. 2020, 89, 428–435. [Google Scholar] [CrossRef]
- Łucarz, M.; Drożyński, D.; Jezierski, J.; Kaczmarczyk, A. Comparison of the Properties of Alkali-Phenolic Binder in Terms of Selection of Molding Sand for Steel Castings. Materials 2019, 12, 3705. [Google Scholar] [CrossRef]
- Paul, P.; Belhaj, E.; Diliberto, C.; Apedo, K.L.; Feugeas, F. Comprehensive Characterization of Spent Chemical Foundry Sand for Use in Concrete. Sustainability 2021, 13, 12881. [Google Scholar] [CrossRef]
- Kępniak, M.; Łukowski, P. Analiza wielokryterialna zaprawy cementowej z piaskiem z recyklingu. Zrównoważony Rozw. 2024, 16, 1773. [Google Scholar]
- Guney, Y.; Sari, Y.D.; Yalcin, M.; Tuncan, A.; Donmez, S. Re-usage of waste foundry sand in high-strength concrete. Waste Manag. 2010, 30, 1705–1713. [Google Scholar] [CrossRef] [PubMed]
- Javed, S.; Lovell, C.W.; Wood, L.E. Waste Foundry Sand in Asphalt Concrete; Transportation Research Board: Washington, DC, USA, 1994; no 1437; pp. 27–34. [Google Scholar]
- Mavroulidou, M.; Lawrence, D. Can waste foundry sand fully replace structural concrete sand? J. Mater. Cycles Waste Manag. 2018, 21, 594–605. [Google Scholar] [CrossRef]
- Gurumoorthy, N.; Arunachalam, K. Micro and mechanical behaviour of Treated Used Foundry Sand concrete. Constr. Build. Mater. 2016, 123, 184–190. [Google Scholar] [CrossRef]
- Łucarz, M. Economic and Environmental Aspects of Applying the Regeneration of Spent Moulding Sand. Sustainability 2024, 16, 8462. [Google Scholar] [CrossRef]
- Dańko, J.; Dańko, R.; Łucarz, M. Processes and Cevices for Reclamation of Used Moulding Sands; Akapit Publishing House: Krakow, Poland, 2007. (In Polish) [Google Scholar]
- Łucarz, M. The condition of silica sand grains surface subjected to reclamation treatment. Metalurgija 2006, 45, 37–40. [Google Scholar]
- Łucarz, M. Development of the Design Basis of Centrifugal Moulding sand Regenerators. Ph.D. Thesis, Faculty of Foundry Engineering, AGH, Krakow, Poland, 1996. (In Polish). [Google Scholar]
- Eun, Y.K.; Kyeong, H.K.; Jae, H.B.; Inseong, H.; Man, S.L. Wet regeneration of waste artificial sand used in sand casting using chemical solutions. Environ. Eng. Res. 2021, 26, 200421. [Google Scholar] [CrossRef]
- Fan, Z.; Huang, N.Y.; Dong, X.P. In house reuse and reclamation of used foundry sands with sodium silicate binder. Int. J. Cast. Met. Res. 2004, 17, 51–56. [Google Scholar] [CrossRef]
- Wang, L.C.; Jiang, W.M.; Gong, X.L.; Liu, F.C.; Fan, Z.T. Recycling water glass from wet reclamation sewage of waste sodium silicate-bonded sand. China Foundry 2019, 16, 198–203. [Google Scholar] [CrossRef]
- Kayal, S.; Chakrabarti, B.K. Reclamation and utilisation of foundry waste sand. High. Temp. Mater. 2008, 27, 51–60. [Google Scholar] [CrossRef]
- Zanetti, M.C.; Fiore, S. Foundry processes: The recovery of green moulding sands for core operations. Resour. Conserv. Recycl. 2003, 38, 243–254. [Google Scholar] [CrossRef]
- Zanetti, M.C.; Fiore, S. Industrial treatment processes for recycling of green foundry sands. Int. J. Cast. Met. Res. 2008, 21, 435–438. [Google Scholar]
- Dańko, J.; Dańko, R.; Holtzer, M. Reclamation of used sands in foundry production. Metalurgija 2003, 42, 173–177. [Google Scholar]
- Mitterpach, J.; Hroncová, E.; Ladomerský, J.; Balco, K. Environmental analysis of waste foundry sand via life cycle assessment. Env. Sci. Pollut. Res. 2017, 24, 3153–3162. [Google Scholar] [CrossRef]
- Dańko, R.; Jezierski, J.; Holtzer, M. Physical and chemical characteristics of after-reclamation dust from used sand moulds. Arab. J. Geosci. 2016, 9, 153. [Google Scholar] [CrossRef]
- Silva, E.C.; Masiero, I.; Guesser, W.L. Comparing sands from different reclamation processes for use in the core room of cylinder heads and cylinder blocks production. Int. J. Met. 2020, 14, 706–716. [Google Scholar] [CrossRef]
- Zitian, F.; Fuchu, L.; Wei, L.; Guona, L. A new low-cost method of reclaiming mixed foundry waste sand based on wet-thermal composite reclamation. China Foundry 2014, 11, 402–407. [Google Scholar]
- Khan, M.M.; Mahajani, S.M.; Jadhav, G.N.; Vishwakarma, R.; Malgaonkar, V.; Mandre, S. A multistakeholder approach and techno-economic analysis of a mechanical reclamation process for waste foundry sand in the Indian context. Resour. Conserv. Recycl. 2021, 167, 105437. [Google Scholar] [CrossRef]
- Khan, M.M.; Mahajani, S.M.; Jadhav, G.N.; Vishwakarma, R.; Malgaonkar, V.; Mandre, S. Mechanical and thermal methods for reclamation of waste foundry sand. J. Environ. Manag. 2021, 279, 111628. [Google Scholar] [CrossRef]
- Khan, M.M.; Singh, M.; Mahajani, S.M.; Jadhav, G.N.; Mandre, S. Reclamation of used green sand in small scale foundries. J. Mater. Process. Technol. 2018, 255, 559–569. [Google Scholar] [CrossRef]
- Khan, M.M.; Singh, M.; Jadhav, G.N.; Mahajani, S.M.; Mandre, S. Characterization of Waste and Reclaimed Green Sand Used in Foundry Processing. Silicon 2020, 12, 677–691. [Google Scholar] [CrossRef]
- Anwar, N.; Jalava, K.; Orkas, J. Experimental study of inorganic foundry sand binders for mold and cast quality. Int. J. Met. 2022, 17, 1697–1714. [Google Scholar] [CrossRef]
- Dańko, R. Strength Model of Self-Setting Moulding Sands with Synthetic Resins in an Aspect of the Integrated Matrix Recycling Process; Monography; Archives of Foundry Engineering Publishing House: Katowice-Gliwice, Poland, 2012. (In Polish) [Google Scholar]
- Saripalli, N.J.; Sonawane, D.R. Assessment of Reclaiming Process of Sand as Foundry Waste for Industrial Usage. Int. J. Sci. Manag. Stud. 2018, 1, 7–13. [Google Scholar]
- Nyembwe, K.D.; Kabasele, J.K. Sustainability assessment of thermal and mechanical reclamation of foundry chromite sand. S. Afr. J. Ind. Eng. 2022, 33, 29–39. [Google Scholar] [CrossRef]
- Cruz, N.; Briens, C.; Berruti, F. Green sand reclamation using a fluidized bed with an attrition nozzle. Resour. Conserv. Recycl. 2009, 54, 45–52. [Google Scholar] [CrossRef]
- Dańko, R.; Dańko, J.; Skrzyński, M. Assessment of the possibility of using reclaimed materials for making cores by the blowing method. Arch. Found. Eng. 2017, 17, 21–26. [Google Scholar] [CrossRef][Green Version]
- Holtzer, M.; Dańko, R.; Kmita, A.; Drożyński, D.; Kubecki, M.; Skrzyński, M.; Roczniak, A. Environmental impact of the reclaimed sand addition to molding sand with furan and phenol-formaldehyde resin—A comparison. Materials 2020, 13, 4395. [Google Scholar] [CrossRef]
- Skrzyński, M. Influence of the process treatment on the amount and grain structure of after reclamation dusts. Arch. Found. Eng. 2020, 20, 71–78. [Google Scholar] [CrossRef]
- Skrzyński, M.; Dańko, R. Primary used sand reclamation process efficiency. Arch. Found. Eng. 2019, 19, 29–34. [Google Scholar] [CrossRef]
- Major-Gabryś, K.; Hosadyna-Kondracka, M.; Skrzyński, M.; Stachurek, I. The influence of biomaterial in the binder composition on the quality of reclaim from furan no-bake sands. Arch. Civ. Eng. 2022, 68, 163–177, ISSN 1230-2945. [Google Scholar] [CrossRef]
- Chong-Lyuck, P.; Byoung-Gon, K.; Youngchul, Y. The regeneration of waste foundry sand and residue stabilization using coal refuse. J. Hazard. Mater. 2012, 203, 176–182. [Google Scholar]
- Patange, G.S.; Khond, M.P.; Rathod, H.J.; Chhadva, K.B. Investigation of foundry waste sand reclamation process for small and medium scale indian foundry. Int. J. Ind. Eng. Technol. 2013, 3, 1–6. [Google Scholar]
- Monish, A.; Krishna, B.S.V.S.R. Optimization of time and temperature for thermal reclamation of furan resin based sand. J. Recent. Technol. Eng. 2019, 8, 120–124. [Google Scholar]
- Rayjadhav, S.B.; Mhamane, D.A.; Shinde, V.D. Assessment of sand reclamation techniques and sand quality in thermal reclamation. Int. J. Product. Qual. Manag. 2020, 30, 343–353. [Google Scholar] [CrossRef]
- Severo, J.A.; Modolo, R.C.E.; Moraes, C.A.M.; Zinani, F.S.F. Thermal regeneration of waste foundry phenolic sand in a lab scale fluidized bed. Matéria 2018, 23, e-11983. [Google Scholar] [CrossRef]
- Svidró, J.T.; Diószegi, A.; Svidró, J.; Ferenczi, T. Thermophysical aspects of reclaimed moulding sand addition to the epoxy-SO2 coremaking system studied by Fourier thermal analysis. J. Therm. Anal. Calorim. 2017, 130, 1779–1789. [Google Scholar] [CrossRef]
- Wan, P.; Zhou, J.; Li, Y.; Yin, Y.; Peng, X.; Ji, X.; Shen, X. Kinetic analysis of resin binder for casting in combustion decomposition process. J. Therm. Anal. Calorim. 2022, 147, 6323–6336. [Google Scholar] [CrossRef]
- Li, Y.L.; Wu, G.H.; Liu, W.C.; Chen, A.T.; Zhang, L.; Wang, Y.X. Effect of reclaimed sand additions on mechanical properties and fracture behavior of furan no-bake resin sand. China Foundry 2017, 14, 128–137. [Google Scholar] [CrossRef]
- Saboura, M.R.; Akbaria, M.; Dezvareha, G. Utilization of color change and image processing to evaluate the Waste Foundry Sand reclamation level. J. Mater. Res. Technol. 2020, 9, 1025–1031. [Google Scholar] [CrossRef]
- Andrade, R.M.; Cava, S.; Silva, S.N.; Soledade, L.E.B.; Rossi, C.C.; Leite, E.R.; Paskocimas, C.A.; Varela, J.A.; Longo, E. Foundry sand recycling in the troughs of blast furnaces: A technical note. J. Mater. Process. 2005, 159, 125–134. [Google Scholar] [CrossRef]
- Kumar, P.; Gandhi, N.M. Achieving environmental sustainability in the shell mould foundry through thermal reclamation. Trans. Can. Soc. Mech. Eng. 2020, 44, 325–332. [Google Scholar] [CrossRef]
- Wang, L.L.; Liu, Y.; Pan, L.; Fang, Y. Study on Regeneration Processing Technology of Used Pearl Coated Sand. Zhuzao/Foundry 2018, 67, 339–343. [Google Scholar]
- Łucarz, M. The influence of the configuration of operating parameters of a machine for thermal reclamation on the efficiency of reclamation process. Arch. Metall. Mater. 2013, 58, 923–926. [Google Scholar] [CrossRef]
- Łucarz, M. Theoretical Conditions of the Selection of the Thermal Reclamation Temperature of Moulding Sands with Organic Binders; Monography; Akapit Publishing House: Krakow, Poland, 2018. (In Polish) [Google Scholar]
- Łucarz, M.; Dereń, M. Thermal Regeneration of Spent Sand with Furfuryl Binder from an Ecological and Economic Point of View. Materials 2023, 16, 7102. [Google Scholar] [CrossRef]
- Technical Report PN 83/H-11077:1983; Foundry Moulding Materials—Sieve Analysis of Moulding Sand and Bentonite. Polish Committee for Standardization: Warsaw, Poland, 1983.
- Lewandowski, J.L. Casting Mould Materials; Akapit Publishing House: Krakow, Poland, 1997. (In Polish) [Google Scholar]





























Disclaimer/Publisher’s Note: The statements, opinions and data contained in all publications are solely those of the individual author(s) and contributor(s) and not of MDPI and/or the editor(s). MDPI and/or the editor(s) disclaim responsibility for any injury to people or property resulting from any ideas, methods, instructions or products referred to in the content. |
© 2024 by the authors. Licensee MDPI, Basel, Switzerland. This article is an open access article distributed under the terms and conditions of the Creative Commons Attribution (CC BY) license (https://creativecommons.org/licenses/by/4.0/).
Share and Cite
Łucarz, M.; Garbacz-Klempka, A.; Brzeziński, M.; Pribulová, A.; Fedorko, P. Investigation of Spent Moulding Sand Using Thermal Treatment with Regard to the Possibility of Recovering Quartz Matrix. Materials 2024, 17, 5991. https://doi.org/10.3390/ma17235991
Łucarz M, Garbacz-Klempka A, Brzeziński M, Pribulová A, Fedorko P. Investigation of Spent Moulding Sand Using Thermal Treatment with Regard to the Possibility of Recovering Quartz Matrix. Materials. 2024; 17(23):5991. https://doi.org/10.3390/ma17235991
Chicago/Turabian StyleŁucarz, Mariusz, Aldona Garbacz-Klempka, Marcin Brzeziński, Alena Pribulová, and Patrik Fedorko. 2024. "Investigation of Spent Moulding Sand Using Thermal Treatment with Regard to the Possibility of Recovering Quartz Matrix" Materials 17, no. 23: 5991. https://doi.org/10.3390/ma17235991
APA StyleŁucarz, M., Garbacz-Klempka, A., Brzeziński, M., Pribulová, A., & Fedorko, P. (2024). Investigation of Spent Moulding Sand Using Thermal Treatment with Regard to the Possibility of Recovering Quartz Matrix. Materials, 17(23), 5991. https://doi.org/10.3390/ma17235991

