Effect of Silicon Nitride and Graphene Nanoplatelets on the Properties of Aluminum Metal Matrix Composites
Abstract
1. Introduction
2. Materials and Methods
3. Results and Discussion
3.1. Characterization of Raw Materials
3.2. XRD Analysis of Al-Si3N4-GNPs Composites
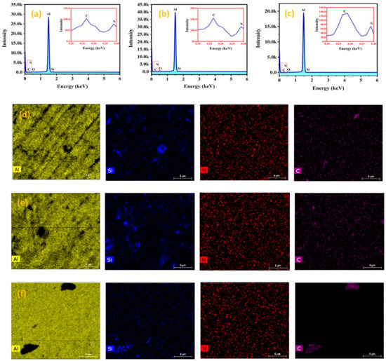
3.3. Microstructural Analysis of Al-Si3N4-GNPs Composites
3.4. Density and Porosity of Al-Si3N4-GNPs Composites
3.5. Surface Topography Al-Si3N4-GNPs Composites
3.6. Nanoindentation Analysis and Microhardness of Al-Si3N4-G NPs Composites
3.7. Compression Analysis of Al-Si3N4-GNPs Composites

3.8. Fractography of Al-Si3N4-GNPs Composites
4. Conclusions
Author Contributions
Funding
Institutional Review Board Statement
Informed Consent Statement
Data Availability Statement
Acknowledgments
Conflicts of Interest
References
- Malaki, M.; Xu, W.; Kasar, A.K.; Menezes, P.L.; Dieringa, H. Advanced Metal Matrix Nanocomposites. Metals 2019, 9, 330. [Google Scholar] [CrossRef]
- El-Ghazaly, A.; Anis, G.; Salem, H.G. Effect of graphene addition on the mechanical and tribological behavior of nanostructured AA2124 self-lubricating metal matrix composite. Compos. Part A Appl. Sci. Manuf. 2017, 95, 325–336. [Google Scholar] [CrossRef]
- Mohanty, R.M.; Balasubramanian, K.; Seshadri, S.K. Boron carbide-reinforced alumnium 1100 matrix composites: Fabrication and properties. Mater. Sci. Eng. A 2008, 498, 42–52. [Google Scholar] [CrossRef]
- Lloyd, D.J. Particle reinforced aluminium and magnesium matrix composites. Int. Mater. Rev. 1994, 39, 1–23. [Google Scholar] [CrossRef]
- Lee, J.-M.; Lee, S.-K.; Hong, S.-J.; Kwon, Y.-N. Microstructures and thermal properties of A356/SiCp composites fabricated by liquid pressing method. Mater. Des. 2012, 37, 313–316. [Google Scholar] [CrossRef]
- Seyed Pourmand, N.; Asgharzadeh, H. Aluminum Matrix Composites Reinforced with Graphene: A Review on Production, Microstructure, and Properties. Crit. Rev. Solid State Mater. Sci. 2020, 45, 289–337. [Google Scholar] [CrossRef]
- Guo, D.; Xie, G.; Luo, J. Mechanical properties of nanoparticles: Basics and applications. J. Phys. D. Appl. Phys. 2013, 47, 13001. [Google Scholar] [CrossRef]
- Królczyk, G.; Feldshtein, E.; Dyachkova, L.; Michalski, M.; Baranowski, T.; Chudy, R. On the Microstructure, Strength, Fracture, and Tribological Properties of Iron-Based MMCs with Addition of Mixed Carbide Nanoparticulates. Materials 2020, 13, 2892. [Google Scholar] [CrossRef]
- Dadkhah, M.; Saboori, A.; Fino, P. An overview of the recent developments in metal matrix nanocomposites reinforced by graphene. Materials 2019, 12, 2823. [Google Scholar] [CrossRef]
- Pang, W.; Fan, X.; Wang, K.; Chao, Y.; Xu, H.; Qin, Z. Al-Based Nano-Sized Composite Energetic Materials and Performance. Nanomaterials 2020, 10, 1039. [Google Scholar] [CrossRef]
- Abbasi, S.; Peerzada, M.H.; Nizamuddin, S.; Mubarak, N.M. Chapter 25—Functionalized nanomaterials for the aerospace, vehicle, and sports industries. In Handbook of Functionalized Nanomaterials for Industrial Applications; Mustansar Hussain, C., Ed.; Elsevier: Amsterdam, The Netherlands, 2020; pp. 795–825. ISBN 978-0-12-816787-8. [Google Scholar]
- Adalet, Z. Effect of the graphite content on the tribological properties of hybrid Al/SiC/Gr composites processed by powder metallurgy. Ind. Lubr. Tribol. 2015, 67, 262–268. [Google Scholar] [CrossRef]
- Penchal Reddy, M.; Shakoor, R.A.; Mohamed, A.M.A.; Gupta, M. Microwave rapid sintering of al-metal matrix composites: A review on the effect of reinforcements, microstructure and mechanical properties. Metals 2016, 6, 143. [Google Scholar] [CrossRef]
- Ubaid, F.; Matli, P.R.; Shakoor, R.A.; Parande, G.; Manakari, V.; Mohamed, A.; Mohamed, A.; Gupta, M. Using B 4 C Nanoparticles to Enhance Thermal and Mechanical Response of Aluminum. Materials 2017, 10, 621. [Google Scholar] [CrossRef] [PubMed]
- Paknia, A.; Pramanik, A.; Dixit, A.R.; Chattopadhyaya, S. Effect of Size, Content and Shape of Reinforcements on the Behavior of Metal Matrix Composites (MMCs) Under Tension. J. Mater. Eng. Perform. 2016, 25, 4444–4459. [Google Scholar] [CrossRef]
- Rosamah, E.; Hossain, M.S.; Khalil, H.P.S.A.; Nadirah, W.O.W.; Dungani, R.; Amiranajwa, A.S.N.; Suraya, N.L.M.; Fizree, H.M.; Omar, A.K.M. Properties enhancement using oil palm shell nanoparticles of fibers reinforced polyester hybrid composites. Adv. Compos. Mater. 2017, 26, 259–272. [Google Scholar] [CrossRef]
- Ahmad, S.I.; Hamoudi, H.; Abdala, A.; Ghouri, Z.K.; Youssef, K.M. Graphene-Reinforced Bulk Metal Matrix Composites: Synthesis, Microstructure, and Properties. Rev. Adv. Mater. Sci. 2020, 59, 67–114. [Google Scholar] [CrossRef]
- Rahimian, M.; Ehsani, N.; Parvin, N.; Baharvandi, H.R. The effect of particle size, sintering temperature and sintering time on the properties of Al-Al2O3 composites, made by powder metallurgy. J. Mater. Process. Technol. 2009, 209, 5387–5393. [Google Scholar] [CrossRef]
- Saboori, A.; Dadkhah, M.; Fino, P.; Pavese, M. An overview of metal matrix nanocomposites reinforced with graphene nanoplatelets; mechanical, electrical and thermophysical properties. Metals 2018, 8, 423. [Google Scholar] [CrossRef]
- Sharma, P.; Sharma, S.; Khanduja, D. Production and some properties of Si 3 N 4 reinforced aluminium alloy composites. Integr. Med. Res. 2018, 3, 352–359. [Google Scholar] [CrossRef]
- Chung, Y.-K.; Koo, J.-H.; Kim, S.-A.; Chi, E.-O.; Cho, J.-Y.; Sohn, W.-B.; Kim, M.-Y.; Park, C. Growth mechanism of Si3N4 nanowires from amorphous Si3N4 powders synthesized by low-temperature vapor-phase reaction. Cryst. Eng. Comm. 2016, 18, 3247–3255. [Google Scholar] [CrossRef]
- Jeon, C.-H.; Jeong, Y.-H.; Seo, J.-J.; Tien, H.N.; Hong, S.-T.; Yum, Y.-J.; Hur, S.-H.; Lee, K.-J. Material properties of graphene/aluminum metal matrix composites fabricated by friction stir processing. Int. J. Precis. Eng. Manuf. 2014, 15, 1235–1239. [Google Scholar] [CrossRef]
- Rafiee, M.A.; Rafiee, J.; Wang, Z.; Song, H.; Yu, Z.Z.; Koratkar, N. Enhanced mechanical properties of nanocomposites at low graphene content. ACS Nano 2009, 3, 3884–3890. [Google Scholar] [CrossRef]
- Şenel, M.C.; Gürbüz, M.; Koç, E. Fabrication and characterization of aluminum hybrid composites reinforced with silicon nitride/graphene nanoplatelet binary particles. J. Compos. Mater. 2019, 53, 4043–4054. [Google Scholar] [CrossRef]
- Gürbüz, M.; Can Şenel, M.; Koç, E. The effect of sintering time, temperature, and graphene addition on the hardness and microstructure of aluminum composites. J. Compos. Mater. 2018, 52, 553–563. [Google Scholar] [CrossRef]
- Alam, S.N.; Kumar, L. Mechanical properties of aluminium based metal matrix composites reinforced with graphite nanoplatelets. Mater. Sci. Eng. A 2016, 667, 16–32. [Google Scholar] [CrossRef]
- Khan, A.; Abdelrazeq, M.W.; Mattli, M.R.; Yusuf, M.M.; Alashraf, A.; Matli, P.R.; Shakoor, R.A. Structural and mechanical properties of Al-SiC-ZrO2 nanocomposites fabricated by microwave sintering technique. Crystals 2020, 10, 904. [Google Scholar] [CrossRef]
- Dou, Y.C.; Qin, X.Y.; Li, D.; Li, Y.Y.; Xin, H.X.; Zhang, J.; Liu, Y.F.; Song, C.J.; Wang, L. Enhanced thermoelectric performance of BiSbTe-based composites incorporated with amorphous Si3N4 nanoparticles. RSC Adv. 2015, 5, 34251–34256. [Google Scholar] [CrossRef]
- Tian, W.-M.; Li, S.-M.; Wang, B.; Chen, X.; Liu, J.-H.; Yu, M. Graphene-reinforced aluminum matrix composites prepared by spark plasma sintering. Int. J. Miner. Metall. Mater. 2016, 23, 723–729. [Google Scholar] [CrossRef]
- Das, D.K.; Mishra, P.C.; Singh, S.; Thakur, R.K. Properties of ceramic-reinforced aluminium matrix composites—A review. Int. J. Mech. Mater. Eng. 2014, 9, 1–16. [Google Scholar] [CrossRef]
- Gürbüz, M.; Mutuk, T. Effect of process parameters on hardness and microstructure of graphene reinforced titanium composites. J. Compos. Mater. 2018, 52, 543–551. [Google Scholar] [CrossRef]
- ADe Araujo, E.R.; De Souza, M.M.S.; Filho, F.A.; Gonzalez, C.H.; Filho, O. Preparation of Metal Matrix Aluminum Alloys Composites Reinforced by Silicon Nitride and Aluminum Nitride Through Powder Metallurgy Techniques. Mater. Sci. Forum. 2012, 728, 259–262. [Google Scholar] [CrossRef]
- Wang, Y.; Shi, J.; Lu, S.; Xiao, W. Investigation of porosity and mechanical properties of graphene nanoplatelets-reinforced AlSi10 Mg by selective laser melting. J. Micro Nano Manuf. 2018, 6, 1–7. [Google Scholar] [CrossRef]
- Khan, A.; Matli, P.R.; Nawaz, M.; Mattli, M.R.; Parande, G.; Manakari, V.; Shakoor, A.; Aljaber, A.S.; Gupta, M. Microstructure and mechanical behavior of hot extruded aluminum/tin-bismuth composites produced by powder metallurgy. Appl. Sci. 2020, 10, 2812. [Google Scholar] [CrossRef]
- Ashraf, P.M.; Thomas, S.N.; Edwin, L. Development of graphene–nanometre-sized cerium oxide-incorporated aluminium and its electrochemical evaluation. Appl. Nanosci. 2016, 6, 149–158. [Google Scholar] [CrossRef]
- Matli, P.R.; Ubaid, F.; Shakoor, R.A.; Parande, G.; Manakari, V.; Yusuf, M.; Amer Mohamed, A.M.; Gupta, M. Improved properties of Al-Si3N4 nanocomposites fabricated through a microwave sintering and hot extrusion process. RSC Adv. 2017, 7, 34401–34410. [Google Scholar] [CrossRef]
- Bisht, A.; Srivastava, M.; Kumar, R.M.; Lahiri, I.; Lahiri, D. Strengthening mechanism in graphene nanoplatelets reinforced aluminum composite fabricated through spark plasma sintering. Mater. Sci. Eng. A 2017, 695, 20–28. [Google Scholar] [CrossRef]
- Luster, J.W.; Thumann, M.; Baumann, R. Mechanical properties of aluminium alloy 6061–Al2O3 composites. Mater. Sci. Technol. 1993, 9, 853–862. [Google Scholar] [CrossRef]
- Zhang, Z.; Chen, D.L. Consideration of Orowan strengthening effect in particulate-reinforced metal matrix nanocomposites: A model for predicting their yield strength. Scr. Mater. 2006, 54, 1321–1326. [Google Scholar] [CrossRef]
- Zhou, X.B.; Qiu, F.G.; Reddy, M.P.; Han, Y.H.; Lee, J.; Huang, Q. Comparative study of conventional and microwave sintered mullite fibres: Structural study. Adv. Appl. Ceram. 2015, 114, 139–143. [Google Scholar] [CrossRef]
- Zhao, L.; Lu, H.; Gao, Z. Microstructure and Mechanical Properties of Al/Graphene Composite Produced by High-Pressure Torsion. Adv. Eng. Mater. 2015, 17, 976–981. [Google Scholar] [CrossRef]
- Alizadeh, M. Strengthening mechanisms in particulate Al/B 4C composites produced by repeated roll bonding process. J. Alloys Compd. J. Alloys Compd. 2011, 509, 2243–2247. [Google Scholar] [CrossRef]
- Matli, P.R.; Fareeha, U.; Shakoor, R.A.; Mohamed, A.M.A. A comparative study of structural and mechanical properties of Al–Cu composites prepared by vacuum and microwave sintering techniques. J. Mater. Res. Technol. 2018, 7, 165–172. [Google Scholar] [CrossRef]
- Pérez-Bustamante, R.; Bolaños-Morales, D.; Bonilla-Martínez, J.; Estrada-Guel, I.; Martínez-Sánchez, R. Microstructural and hardness behavior of graphene-nanoplatelets/aluminum composites synthesized by mechanical alloying. J. Alloys Compd. 2015, 615, S578–S582. [Google Scholar] [CrossRef]
- Uzunsoy, D. Processing and characterization of graphene nano-platelet (GNP) rein-forced aluminum matrix composites. Mater. Test. 2016. [Google Scholar] [CrossRef]
- Güler, Ö.; Ba, N. A short review on mechanical properties of graphene reinforced metal matrix composites. J. Mater. Res. Technol. 2020, 9, 6808–6833. [Google Scholar] [CrossRef]
- Rashad, M.; Pan, F.; Tang, A.; Asif, M. Effect of Graphene Nanoplatelets addition on mechanical properties of pure aluminum using a semi-powder method. Prog. Nat. Sci. Mater. Int. 2014, 24, 101–108. [Google Scholar] [CrossRef]








| Sample No. | Sample Title | Weight Fraction (wt.%) |
|---|---|---|
| 1 | S1 | Pure Al |
| 2 | S2 | Al-5 wt.% Si3N4 |
| 3 | S3 | Al-5 wt.% Si3N4-0.5 wt.% GNPs |
| 4 | S4 | Al-5 wt.% Si3N4-1.0 wt.% GNPs |
| 5 | S5 | Al-5 wt.% Si3N4-1.5 wt.% GNPs |
| Element | Weight Percent (wt.%) | ||
|---|---|---|---|
| S3 | S4 | S5 | |
| Al | 74.42 | 68.35 | 65.25 |
| Si | 1.65 | 1.59 | 0.22 |
| N | 5.30 | 5.94 | 3.43 |
| C | 9.74 | 10.99 | 22.31 |
| O | 8.89 | 13.13 | 8.79 |
| Total | 100 | 100 | 100 |
| Composite Samples | Theoretical Density (g/cm3) | Experimental Density (g/ cm3) | Relative Density (%) | Porosity (%) |
|---|---|---|---|---|
| S1 | 2.700 | 2.568 ± 0.002 | 95.10 | 4.90 ± 0.058 |
| S2 | 2.720 | 2.610 ± 0.003 | 95.95 | 4.05 ± 0.100 |
| S3 | 2.718 | 2.576 ± 0.002 | 94.81 | 5.20 ± 0.084 |
| S4 | 2.715 | 2.560 ± 0.006 | 94.30 | 5.70 ± 0.239 |
| S5 | 2.712 | 2.556 ± 0.006 | 94.22 | 5.78 ± 0.231 |
Publisher’s Note: MDPI stays neutral with regard to jurisdictional claims in published maps and institutional affiliations. |
© 2021 by the authors. Licensee MDPI, Basel, Switzerland. This article is an open access article distributed under the terms and conditions of the Creative Commons Attribution (CC BY) license (https://creativecommons.org/licenses/by/4.0/).
Share and Cite
Abdelatty, R.; Khan, A.; Yusuf, M.; Alashraf, A.; Shakoor, R.A. Effect of Silicon Nitride and Graphene Nanoplatelets on the Properties of Aluminum Metal Matrix Composites. Materials 2021, 14, 1898. https://doi.org/10.3390/ma14081898
Abdelatty R, Khan A, Yusuf M, Alashraf A, Shakoor RA. Effect of Silicon Nitride and Graphene Nanoplatelets on the Properties of Aluminum Metal Matrix Composites. Materials. 2021; 14(8):1898. https://doi.org/10.3390/ma14081898
Chicago/Turabian StyleAbdelatty, Rokaya, Adnan Khan, Moinuddin Yusuf, Abdullah Alashraf, and Rana Abdul Shakoor. 2021. "Effect of Silicon Nitride and Graphene Nanoplatelets on the Properties of Aluminum Metal Matrix Composites" Materials 14, no. 8: 1898. https://doi.org/10.3390/ma14081898
APA StyleAbdelatty, R., Khan, A., Yusuf, M., Alashraf, A., & Shakoor, R. A. (2021). Effect of Silicon Nitride and Graphene Nanoplatelets on the Properties of Aluminum Metal Matrix Composites. Materials, 14(8), 1898. https://doi.org/10.3390/ma14081898

