Improved Corrosion Behavior and Biocompatibility of Porous Titanium Samples Coated with Bioactive Chitosan-Based Nanocomposites
Abstract
1. Introduction
2. Materials and Methods
2.1. Porous Ti Substrate Preparation and Characterization
2.2. Deposition and Characterization of Bioactive Coatings
2.3. Corrosion Behavior
2.4. In Vitro Study
3. Results and Discussion
3.1. Microstructural Characterization of the Coatings
3.2. Corrosion Behavior: Influence of Porosity and Type of Coating
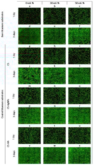
3.3. In Vitro Cells Studies: Influence of Porosity and Type of Coating
4. Conclusions
Author Contributions
Funding
Institutional Review Board Statement
Informed Consent Statement
Data Availability Statement
Conflicts of Interest
References
- Allain, J.P.; Echeverry-Rendón, M.; Pavón, J.J.; Arias, S.L. Nanostructured biointerfaces. In Nanopatterning and Nanoscale Devices for Biological Applications; Selimovic, Š., Ed.; CRC Press: Boca Raton, FL, USA, 2017; pp. 41–72. [Google Scholar]
- Rho, J.Y.; Ashman, R.B.; Turner, C.H. Young’s modulus of trabecular and cortical bone material: Ultrasonic and microtensile measurements. J. Biomech. 1993, 26, 111–119. [Google Scholar] [CrossRef]
- Torres, Y.; Pavón, J.J.; Rodríguez, J.A. Processing and characterization of porous titanium for implants by using NaCl as space holder. J. Mater. Process. Technol. 2012, 212, 1061–1069. [Google Scholar] [CrossRef]
- Torres, Y.; Pavón, J.J.; Nieto, I.; Rodríguez, J.A. Conventional Powder Metallurgy Process and Characterization of Porous Titanium for Biomedical Applications. Metall. Mater. Trans. B 2011, 42, 891–900. [Google Scholar] [CrossRef]
- Muñoz, S.; Pavón, J.; Rodríguez-Ortiz, J.A.; Civantos, A.; Allain, J.P.; Torres, Y. On the influence of space holder in the development of porous titanium implants: Mechanical, computational and biological evaluation. Mater. Charact. 2015, 108, 68–78. [Google Scholar] [CrossRef]
- Trueba, P.; Beltrán, A.M.; Bayo, J.M.; Rodríguez-Ortiz, J.A.; Larios, D.F.; Alonso, E.; Dunand, D.C.; Torres, Y. Porous Titanium Cylinders Obtained by the Freeze-Casting Technique: Influence of Process Parameters on Porosity and Mechanical Behavior. Metals 2020, 10, 188. [Google Scholar] [CrossRef]
- Torres, Y.; Pavón, J.; Trueba, P.; Cobos, J.; Rodriguez-Ortiz, J.A. Design, Fabrication and Characterization of Titanium with Graded Porosity by using Space-holder Technique. Proc. Mater. Sci. 2014, 4, 115–119. [Google Scholar] [CrossRef][Green Version]
- Torres, Y.; Trueba, P.; Pavón, J.; Montealegre, I.; Rodríguez-Ortiz, J.A. Designing, processing and characterisation of titanium cylinders with graded porosity: An alternative to stress-shielding solutions. Mater. Des. 2014, 63, 316–324. [Google Scholar] [CrossRef]
- Torres, Y.; Trueba, P.; Pavón, J.J.; Chicardi, E.; Kamm, P.; García-Moreno, F.; Rodríguez-Ortiz, J.A. Design, processing and characterization of titanium with radial graded porosity for bone implants. Mater. Des. 2016, 110, 179–187. [Google Scholar] [CrossRef]
- Rodriguez-Contreras, A.; Punset, M.; Calero, J.A.; Gil, F.J.; Ruperez, E.; Manero, J.M. Powder metallurgy with space holder for porous titanium implants: A review. J. Mater. Sci. Technol. 2021, 76, 129–149. [Google Scholar] [CrossRef]
- Torres, Y.; Rodríguez, J.A.; Arias, S.; Echeverry, M.; Robledo, S.; Amigo, V.; Pavón, J.J. Processing, characterization and biological testing of porous titanium obtained by space-holder technique. J. Mater. Sci. 2012, 47, 6565–6576. [Google Scholar] [CrossRef]
- Beltrán, A.M.; Civantos, A.; Dominguez-Trujillo, C.; Moriche, R.; Rodríguez-Ortiz, J.A.; García-Moreno, F.; Webster, T.J.; Kamm, P.H.; Restrepo, A.M.; Torres, Y. Porous Titanium Surfaces to Control Bacteria Growth: Mechanical Properties and Sulfonated Polyetheretherketone Coatings as Antibiofouling Approaches. Metals 2019, 9, 995. [Google Scholar] [CrossRef]
- Civantos, A.; Beltrán, A.M.; Domínguez-Trujillo, C.; Garvi, M.D.; Lebrato, J.; Rodríguez-Ortiz, J.A.; García-Moreno, F.; Cauich-Rodriguez, J.V.; Guzman, J.J.; Torres, Y. Balancing Porosity and Mechanical Properties of Titanium Samples to Favor Cellular Growth against Bacteria. Metals 2019, 9, 1039. [Google Scholar] [CrossRef]
- Domínguez-Trujillo, C.; Ternero, F.; Rodríguez-Ortiz, J.A.; Pavón, J.J.; Montealegre-Meléndez, I.; Arévalo, C.; García-Moreno, F.; Torres, Y. Improvement of the balance between a reduced stress shielding and bone ingrowth by bioactive coatings onto porous titanium substrates. Surf. Coat. Technol. 2018, 338, 32–37. [Google Scholar] [CrossRef]
- Civantos, A.; Domínguez, C.; Pino, R.J.; Setti, G.; Pavón, J.J.; Martínez-Campos, E.; Garcia Garcia, F.J.; Rodríguez, J.A.; Allain, J.P.; Torres, Y. Designing bioactive porous titanium interfaces to balance mechanical properties and in vitro cells behavior towards increased osseointegration. Surf. Coat. Technol. 2019, 368, 162–174. [Google Scholar] [CrossRef]
- Li, X.; Ma, X.Y.; Feng, Y.F.; Ma, Z.S.; Wang, J.; Ma, T.C.; Qi, W.; Lei, W.; Wang, L. Osseointegration of chitosan coated porous titanium alloy implant by reactive oxygen species-mediated activation of the PI3K/AKT pathway under diabetic conditions. Biomaterials 2015, 36, 44–54. [Google Scholar] [CrossRef] [PubMed]
- Eliaz, N. Corrosion of Metallic Biomaterials: A Review. Materials 2019, 12, 407. [Google Scholar] [CrossRef] [PubMed]
- De Sousa, L.L.; Ricci, V.P.; Prado, D.G.; Apolinario, R.C.; Vercik, L.C.d.O.; Rigo, E.C.d.S.; Fernandes, M.C.d.S.; Mariano, N.A. Titanium Coating with Hydroxyapatite and Chitosan Doped with Silver Nitrate. Mater. Res. 2017, 20, 863–868. [Google Scholar] [CrossRef][Green Version]
- Benea, L.; Celis, J.P. Reactivity of porous titanium oxide film and chitosan layer electrochemically formed on Ti-6Al-4V alloy in biological solution. Surf. Coat. Technol. 2018, 354, 145–152. [Google Scholar] [CrossRef]
- Bumgardner, J.D.; Chesnutt, B.M.; Yuan, Y.; Yang, Y.; Appleford, M.; Oh, S.; McLaughlin, R.; Elder, S.H.; Ong, J.L. The Integration of Chitosan-Coated Titanium in Bone: An In Vivo Study in Rabbits. Implant Dent. 2007, 16, 66–79. [Google Scholar] [CrossRef]
- Gaviri, J.; Alcudia, A.; Begines, B.; Beltrán, A.M.; Villarrag, J.; Moriche, R.; Rodríguez-Ortiz, J.A.; Torres, Y. Synthesis and deposition of silver nanoparticles on porous titanium substrates for biomedical applications. Surf. Coat. Technol. 2021, 406, 126667. [Google Scholar] [CrossRef]
- Zhang, T.; Zhang, X.; Mao, M.; Li, J.; Wei, T.; Sun, H. Chitosan/hydroxyapatite composite coatings on porous Ti6Al4V titanium implants: In Vitro and In Vivo studies. J. Periodontal Implant Sci. 2020, 50, 392–405. [Google Scholar] [CrossRef] [PubMed]
- Creighton, J.A.; Blatchford, C.G.; Albrecht, M.G. Plasma resonance enhancement of Raman scattering by pyridine adsorbed on silver or gold sol particles of size comparable to the excitation wavelength. J. Chem. Soc. Faraday Trans. 2 Mol. Chem. Phys. 1979, 75, 790–798. [Google Scholar] [CrossRef]
- Jarcho, M.; Bolen, C.H.; Thomas, M.B.; Bobick, J.; Kay, J.F.; Doremus, R.H. Hydroxylapatite synthesis and characterization in dense polycrystalline form. J. Mater. Sci. 1976, 11, 2027–2035. [Google Scholar] [CrossRef]
- Pang, X.; Zhitomirsky, I. Electrodeposition of hydroxyapatite–silver–chitosan nanocomposite coatings. Surf. Coat. Technol. 2008, 202, 3815–3821. [Google Scholar] [CrossRef]
- ASTM Stardard D 3359; Standard Test Methods for Measuring Adhesion by Tape Test; Method, A., Ed.; ASTM: West Conshohocken, PA, USA, 1997. [Google Scholar]
- ASTM Standard G-5-87; Standard Reference Test Method for Making Potentiostatic and Potentiodynamic Anodic Polarization Measurements; ASTM: West Conshohocken, PA, USA, 1993.
- UNE-EN-ISO 10993-5 Standard; Evaluación biológica de productos sanitarios. In Parte 5. Ensayos de Citotoxicidad In Vitro; AENOR: Madrid, Spain, 2009.
- Perli, M.D.; Karagkiozaki, V.; Pappa, F.; Moutsios, I.; Tzounis, L.; Zachariadis, A.; Gravalidis, C.; Laskarakis, A.; Logothetidis, S. Synthesis and Characterization of Ag Nanoparticles for Orthopaedic applications. Mater. Today Proc. 2017, 4, 6889–6900. [Google Scholar] [CrossRef]
- Nikpour, M.; Rabiee, S.; Jahanshahi, M. Synthesis and characterization of hydroxyapatite/chitosan nanocomposite materials for medical engineering applications. Compos. Part B Eng. 2012, 43, 1881–1886. [Google Scholar] [CrossRef]
- Pang, X.; Zhitomirsky, I. Electrodeposition of composite hydroxyapatite-chitosan films. Mater. Chem. Phys. 2005, 94, 245–251. [Google Scholar] [CrossRef]
- Farghali, R.A.; Fekry, A.M.; Ahmed, R.A.; Elhakim, H.K. Corrosion resistance of Ti modified by chitosan-gold nanoparticles for orthopedic implantation. Int. J. Biol. Macromol. 2015, 79, 787–799. [Google Scholar] [CrossRef] [PubMed]
- Tsai, C.-H.; Hung, C.-H.; Kuo, C.-N.; Chen, C.-Y.; Peng, Y.-N.; Shie, M.-Y. Improved Bioactivity of 3D Printed Porous Titanium Alloy Scaffold with Chitosan/Magnesium-Calcium Silicate Composite for Orthopaedic Applications. Materials 2019, 12, 203. [Google Scholar] [CrossRef] [PubMed]
- Beltrán, A.M.; Begines, B.; Alcudia, A.; Rodríguez-Ortiz, J.A.; Torres, Y. Biofunctional and Tribomechanical Behavior of Porous Titanium Substrates Coated with a Bioactive Glass Bilayer (45S5–1393). ACS Appl. Mater. Interfaces 2020, 12, 30170–30180. [Google Scholar] [CrossRef] [PubMed]
- Beltrán, A.M.; Alcudia, A.; Begines, B.; Rodríguez-Ortiz, J.A.; Torres, Y. Porous titanium substrates coated with a bilayer of bioactive glasses. J. Non Cryst. Solids 2020, 544, 120206. [Google Scholar] [CrossRef]
- Xie, F.; He, X.; Cao, S.; Mei, M.; Qu, X. Influence of pore characteristics on microstructure, mechanical properties and corrosion resistance of selective laser sintered porous Ti–Mo alloys for biomedical applications. Electrochim. Acta 2013, 105, 121–129. [Google Scholar] [CrossRef]
- Xie, G.; Qin, F.; Zhu, S.; Louzguine-Lugzin, D.V. Corrosion behaviour of porous Ni-free Ti-based bulk metallic glass produced by spark plasma sintering in Hanks’ solution. Intermetallics 2014, 44, 55–59. [Google Scholar] [CrossRef]
- Fojt, J.; Joska, L.; Málek, J. Corrosion behaviour of porous Ti–39Nb alloy for biomedical applications. Corros. Sci. 2013, 71, 78–83. [Google Scholar] [CrossRef]
- Manoj, A.; Kasar, A.K.; Menezes, P.L. Tribocorrosion of Porous Titanium Used in Biomedical Applications. J. Bio Tribo Corros. 2018, 5, 3. [Google Scholar] [CrossRef]
- Alves, A.C.; Sendão, I.; Ariza, E.; Toptan, F.; Ponthiaux, P.; Pinto, A.M.P. Corrosion behaviour of porous Ti intended for biomedical applications. J. Porous Mater. 2016, 23, 1261–1268. [Google Scholar] [CrossRef]
- Qu, J.; Ma, X.; Xie, H.; Zhang, D.; Song, Q.; Yin, H. Mechanical and Corrosion Properties of Porous Titanium Prepared by an Electro-Assisted Powder Metallurgy Approach. JOM 2020, 72, 4674–4681. [Google Scholar] [CrossRef]
- Hlinka, J.; Kvicala, M.; Lasek, S. Corrosion Properties of Porous Titanium Sinteres with Sodium Chloride. In Proceedings of the 24th International Conference on Metallurgy and Materials, Hotel Voronez I, Brno, Czech Republic, 3–5 June 2015; pp. 1451–1456. [Google Scholar]
- Shivaram, M.J.; Arya, S.B.; Nayak, J.; Panigrahi, B.B. Role of porosity on electrochemical corrosion behavior of porous Ti-20Nb-5Ag alloy in simulated body fluid. Mater. Today Proc. 2020, 33, 5257–5261. [Google Scholar] [CrossRef]
- Thulasi, G.; Pragathiswaran, C.; Anusuya, N. Experimental investigation and analysis of corrosion inhibition of titanium modified by chitosan silver nanomaterials and its applications. Mater. Today Proc. 2021, 37, 2780–2785. [Google Scholar] [CrossRef]
- Jabłoński, P.; Hebda, M.; Pytlak, P.; Kyzioł, A.; Krawiec, H.; Grzesik, Z.; Kyzioł, K. Impact of chitosan/noble metals-based coatings on the plasmochemically activated surface of NiTi alloy. Mater. Chem. Phys. 2020, 248, 122931. [Google Scholar] [CrossRef]
- Raj, V.; Mumjitha, M.S. Fabrication of biopolymers reinforced TNT/HA coatings on Ti: Evaluation of its Corrosion resistance and Biocompatibility. Electrochim. Acta 2015, 153, 1–11. [Google Scholar] [CrossRef]
- Kleszcz, K.; Hebda, M.; Kyzioł, A.; Krawiec, H.; Kyzioł, K. Towards prevention of biofilm formation: Ti6Al7Nb modified with nanocomposite layers of chitosan and Ag/Au nanoparticles. Appl. Surf. Sci. 2021, 557, 149795. [Google Scholar] [CrossRef]
- Tozar, A.; Karahan, İ.H. A comparative study on the effect of collagen and h-BN reinforcement of hydroxyapatite/chitosan biocomposite coatings electrophoretically deposited on Ti-6Al-4V biomedical implants. Surf. Coat. Technol. 2018, 340, 167–176. [Google Scholar] [CrossRef]
- Pan, J.; Thierry, D.; Leygraf, C. Electrochemical impedance spectroscopy study of the passive oxide film on titanium for implant application. Electrochim. Acta 1996, 41, 1143–1153. [Google Scholar] [CrossRef]
- Aziz-Kerrzo, M.; Conroy, K.G.; Fenelon, A.M.; Farrell, S.T.; Breslin, C.B. Electrochemical studies on the stability and corrosion resistance of titanium-based implant materials. Biomaterials 2001, 22, 1531–1539. [Google Scholar] [CrossRef]
- Salehi, A.; Barzegar, F.; Amini Mashhadi, H.; Nokhasteh, S.; Abravi, M.S. Influence of Pore Characteristics on Electrochemical and Biological Behavior of Ti Foams. J. Mater. Eng. Perform. 2017, 26, 3756–3766. [Google Scholar] [CrossRef]
- Pang, X.; Zhitomirsky, I. Electrophoretic deposition of composite hydroxyapatite-chitosan coatings. Mater. Charact. 2007, 58, 339–348. [Google Scholar] [CrossRef]
- Lim, L.Y.; Wan, L.S.C. Heat Treatment of Chitosan Films. Drug Dev. Ind. Pharm. 1995, 21, 839–846. [Google Scholar] [CrossRef]
- Sidambe, A.T. Biocompatibility of Advanced Manufactured Titanium Implants—A Review. Materials 2014, 7, 8168–8188. [Google Scholar] [CrossRef]
- Civantos, A.; Giner, M.; Trueba, P.; Lascano, S.; Montoya-García, M.-J.; Arévalo, C.; Vázquez, M.Á.; Allain, J.P.; Torres, Y. In Vitro Bone Cell Behavior on Porous Titanium Samples: Influence of Porosity by Loose Sintering and Space Holder Techniques. Metals 2020, 10, 696. [Google Scholar] [CrossRef]
- Giner, M.; Olmo, A.; Hernández, M.; Trueba, P.; Chicardi, E.; Civantos, A.; Vázquez, M.Á.; Montoya-García, M.-J.; Torres, Y. Use of Impedance Spectroscopy for the Characterization of In-Vitro Osteoblast Cell Response in Porous Titanium Bone Implants. Metals 2020, 10, 1077. [Google Scholar] [CrossRef]
- Moriche, R.; Beltrán, A.M.; Begines, B.; Rodríguez-Ortiz, J.A.; Alcudia, A.; Torres, Y. Influence of the porosity and type of bioglass on the micro-mechanical and bioactive behavior of coated porous titanium substrates. J. Non Cryst. Solids 2021, 551, 120436. [Google Scholar] [CrossRef]
- Trueba, P.; Navarro, C.; Rodríguez-Ortiz, J.A.; Beltrán, A.M.; García-García, F.J.; Torres, Y. Fabrication and characterization of superficially modified porous dental implants. Surf. Coat. Technol. 2021, 408, 126796. [Google Scholar] [CrossRef]
- Jugowiec, D.; Łukaszczyk, A.; Cieniek, Ł.; Kowalski, K.; Rumian, Ł.; Pietryga, K.; Kot, M.; Pamuła, E.; Moskalewicz, T. Influence of the electrophoretic deposition route on the microstructure and properties of nano-hydroxyapatite/chitosan coatings on the Ti-13Nb-13Zr alloy. Surf. Coat. Technol. 2017, 324, 64–79. [Google Scholar] [CrossRef]
- Shi, Y.Y.; Li, M.; Liu, Q.; Jia, Z.J.; Xu, X.C.; Cheng, Y.; Zheng, Y.F. Electrophoretic deposition of graphene oxide reinforced chitosan–hydroxyapatite nanocomposite coatings on Ti substrate. J. Mater. Sci. Mater. Med. 2016, 27, 48. [Google Scholar] [CrossRef] [PubMed]
- Chou, Y.F.; Huang, W.; Dunn, J.C.; Miller, T.A.; Wu, B.M. The effect of biomimetic apatite structure on osteoblast viability, proliferation, and gene expression. Biomaterials 2005, 26, 285–295. [Google Scholar] [CrossRef] [PubMed]
- Thein-Han, W.W.; Misra, R.D.K. Biomimetic chitosan–nanohydroxyapatite composite scaffolds for bone tissue engineering. Acta Biomater. 2009, 5, 1182–1197. [Google Scholar] [CrossRef] [PubMed]











| Sample | Ecorr (mV) | β | Icorr (A/cm2) 10−9 | Rp (µΩ/cm2) | ||
|---|---|---|---|---|---|---|
| Anodic | Catodic | |||||
| Wrought titanium | Fully dense | −285 | 143.7 | 117.8 | 14.5 | 160 |
| PM conventional | 0 vol.% | −142 | 168.5 | 220.1 | 65.0 | 63.5 |
| Space-holder technique | 30 vol.% | −164 | 254.8 | 139.2 | 61.7 | 79.7 |
| 40 vol.% | −146 | 799.0 | 572.9 | 1330 | 12.0 | |
| 50 vol.% | −119 | 629.7 | 265.1 | 320 | 26.1 | |
| 60 vol.% | −118 | 656.86 | 209.9 | 1260 | 58.5 | |
| Sample | Coating | Ecorr (mV) | Icorr (A/cm2) 10−9 | PE % | |
|---|---|---|---|---|---|
| Wrought titanium | Fully dense | - | −285 | 14.5 | - |
| CS | −230 | 13.3 | 8.3 | ||
| CS-AgNPs | −112 | 8.4 | 42.3 | ||
| CS-HA | −134 | 12.0 | 17.2 | ||
| PM conventional | 0 vol.% | - | −142 | 65.0 | - |
| CS | −161 | 9.3 | 85.6 | ||
| CS-AgNPs | −106 | 2.7 | 95.8 | ||
| CS-HA | −123 | 41.5 | 36.1 | ||
| Space-holder technique | 30 vol.% | - | −164 | 61.7 | - |
| CS | −172 | 18.6 | 69.8 | ||
| CS-AgNPs | −112 | 9.5 | 84.6 | ||
| CS-HA | −112 | 8.8 | 85.8 | ||
| 40 vol.% | - | −146 | 1330 | - | |
| CS | −79 | 636 | 52.2 | ||
| CS-AgNPs | −67 | 445 | 66.5 | ||
| CS-HA | −54 | 155 | 88.3 | ||
| 50 vol.% | - | −119 | 320 | - | |
| CS | −133 | 19.3 | 93.9 | ||
| CS-AgNPs | −84 | 12.8 | 96.0 | ||
| CS-HA | −98 | 9.9 | 96.9 | ||
| 60 vol.% | - | −118 | 1260 | - | |
| CS | −129 | 306 | 75.7 | ||
| CS-AgNPs | −61 | 291 | 76.9 | ||
| CS-HA | −109 | 321 | 74.5 | ||
| Material | Rs (Ω/cm2) | Cout-C (µF/cm2) | Cout-n | Rout (kΩ/cm2) | Cin-C (µF/cm2) | Cin-n | Rin (kΩ/cm2) | χ2 10−4 |
|---|---|---|---|---|---|---|---|---|
| Ti MG | 23.32 | 27.6 | 0.91 | 158.9 | 3.4 | 0.96 | 379.5 | 13.0 |
| Ti 0 vol.% | 21.15 | 30.2 | 0.90 | 43.9 | 7.2 | 0.59 | 245.1 | 2.6 |
| Ti 30 vol.% | 25.12 | 60.6 | 0.81 | 0.06 | 6.6 | 0.95 | 432.2 | 4.4 |
| Ti 40 vol.% | 26.22 | 69.8 | 0.76 | 0.04 | 10.6 | 0.92 | 81.9 | 1.8 |
| Ti 50 vol.% | 17.84 | 49.3 | 0.77 | 0.04 | 13.8 | 0.81 | 131.9 | 6.6 |
| Ti 60 vol.% | 22.33 | 138.4 | 0.67 | 0.24 | 7.4 | 0.91 | 46.4 | 8.6 |
| Material | Coating | Ccoat-C (µF/cm2) | Ccoat-n | Rcoat (kΩ/cm2) | Cout-C (µF/cm2) | Cout-n | Rout (kΩ/cm2) | Cin-C (µF/cm2) | Cin-n | Rin (kΩ/cm2) | PE (%) | |
|---|---|---|---|---|---|---|---|---|---|---|---|---|
| Wrought titanium | Fully dense | CS | 7.7 | 0.91 | 3.9 | 2.9 | 0.82 | 10.8 | 1.5 | 0.60 | 485.9 | - |
| CS-AgNPs | 6.4 | 0.85 | 10.6 | 2.4 | 0.98 | 53.4 | 0.9 | 0.57 | 541.7 | 11.1 | ||
| CS-HA | 9.1 | 0.90 | 12.5 | 0.2 | 0.56 | 23.1 | 2.1 | 0.71 | 789.1 | 34.7 | ||
| PM conventional | 0 vol.% | CS | 11.5 | 0.92 | 0.9 | 4.6 | 0.88 | 7.4 | 2.2 | 0.89 | 289.1 | 2.8 |
| CS-AgNPs | 11.2 | 0.90 | 4.3 | 1.2 | 0.86 | 14.8 | 4.0 | 0.87 | 367.5 | 25.2 | ||
| CS-HA | 7.6 | 0.90 | 3.2 | 6.2 | 0.68 | 21.3 | 11.5 | 0.68 | 292.5 | 8.8 | ||
| Space-holder technique | 30 vol.% | CS | 12.7 | 0.87 | 0.9 | 3.0 | 0.85 | 1.5 | 14.2 | 0.78 | 483.0 | 10.9 |
| CS-AgNPs | 11.0 | 0.89 | 8.3 | 1.1 | 0.90 | 6.9 | 12.6 | 0.74 | 548.5 | 23.3 | ||
| CS-HA | 11.8 | 0.89 | 2.5 | 0.5 | 0.85 | 7.8 | 14.2 | 0.59 | 636.5 | 33.2 | ||
| 40 vol.% | CS | 17.2 | 0.86 | 1.0 | 4.4 | 0.73 | 1.7 | 17.0 | 0.71 | 347.9 | 48.1 | |
| CS-AgNPs | 13.2 | 0.70 | 2.5 | 1.1 | 0.78 | 5.9 | 14,1 | 0,64 | 605.0 | 70.3 | ||
| CS-HA | 3.3 | 0.99 | 0.1 | 7.7 | 0.90 | 0.2 | 28.7 | 0.60 | 651.7 | 72.1 | ||
| 50 vol.% | CS | 13.7 | 0.87 | 0.3 | 5.4 | 0.76 | 1.9 | 24.0 | 0.76 | 485.7 | 72.9 | |
| CS-AgNPs | 12.3 | 0.86 | 1.3 | 1.6 | 0.80 | 2.4 | 15.0 | 0.81 | 684.3 | 80.8 | ||
| CS-HA | 11.8 | 0.88 | 1.8 | 0.2 | 0.90 | 1.8 | 6.3 | 0.66 | 2038.4 | 93.5 | ||
| 60 vol.% | CS | 14.8 | 0.84 | 0.9 | 5.0 | 0.81 | 2.1 | 21.5 | 0.50 | 147.9 | 69.1 | |
| CS-AgNPs | 14.3 | 0.81 | 0.3 | 3.2 | 0.75 | 2.0 | 19.3 | 0,49 | 145.9 | 68.5 | ||
| CS-HA | 87.8 | 0.66 | 0.4 | 0.3 | 0.61 | 2.5 | 63.1 | 0.47 | 32.7 | - | ||
Publisher’s Note: MDPI stays neutral with regard to jurisdictional claims in published maps and institutional affiliations. |
© 2021 by the authors. Licensee MDPI, Basel, Switzerland. This article is an open access article distributed under the terms and conditions of the Creative Commons Attribution (CC BY) license (https://creativecommons.org/licenses/by/4.0/).
Share and Cite
García-Cabezón, C.; Godinho, V.; Salvo-Comino, C.; Torres, Y.; Martín-Pedrosa, F. Improved Corrosion Behavior and Biocompatibility of Porous Titanium Samples Coated with Bioactive Chitosan-Based Nanocomposites. Materials 2021, 14, 6322. https://doi.org/10.3390/ma14216322
García-Cabezón C, Godinho V, Salvo-Comino C, Torres Y, Martín-Pedrosa F. Improved Corrosion Behavior and Biocompatibility of Porous Titanium Samples Coated with Bioactive Chitosan-Based Nanocomposites. Materials. 2021; 14(21):6322. https://doi.org/10.3390/ma14216322
Chicago/Turabian StyleGarcía-Cabezón, Cristina, Vanda Godinho, Coral Salvo-Comino, Yadir Torres, and Fernando Martín-Pedrosa. 2021. "Improved Corrosion Behavior and Biocompatibility of Porous Titanium Samples Coated with Bioactive Chitosan-Based Nanocomposites" Materials 14, no. 21: 6322. https://doi.org/10.3390/ma14216322
APA StyleGarcía-Cabezón, C., Godinho, V., Salvo-Comino, C., Torres, Y., & Martín-Pedrosa, F. (2021). Improved Corrosion Behavior and Biocompatibility of Porous Titanium Samples Coated with Bioactive Chitosan-Based Nanocomposites. Materials, 14(21), 6322. https://doi.org/10.3390/ma14216322

