Environmental Assessment of the Impacts and Benefits of a Salinity Gradient Energy Pilot Plant
Abstract
1. Introduction
2. Materials and Methods
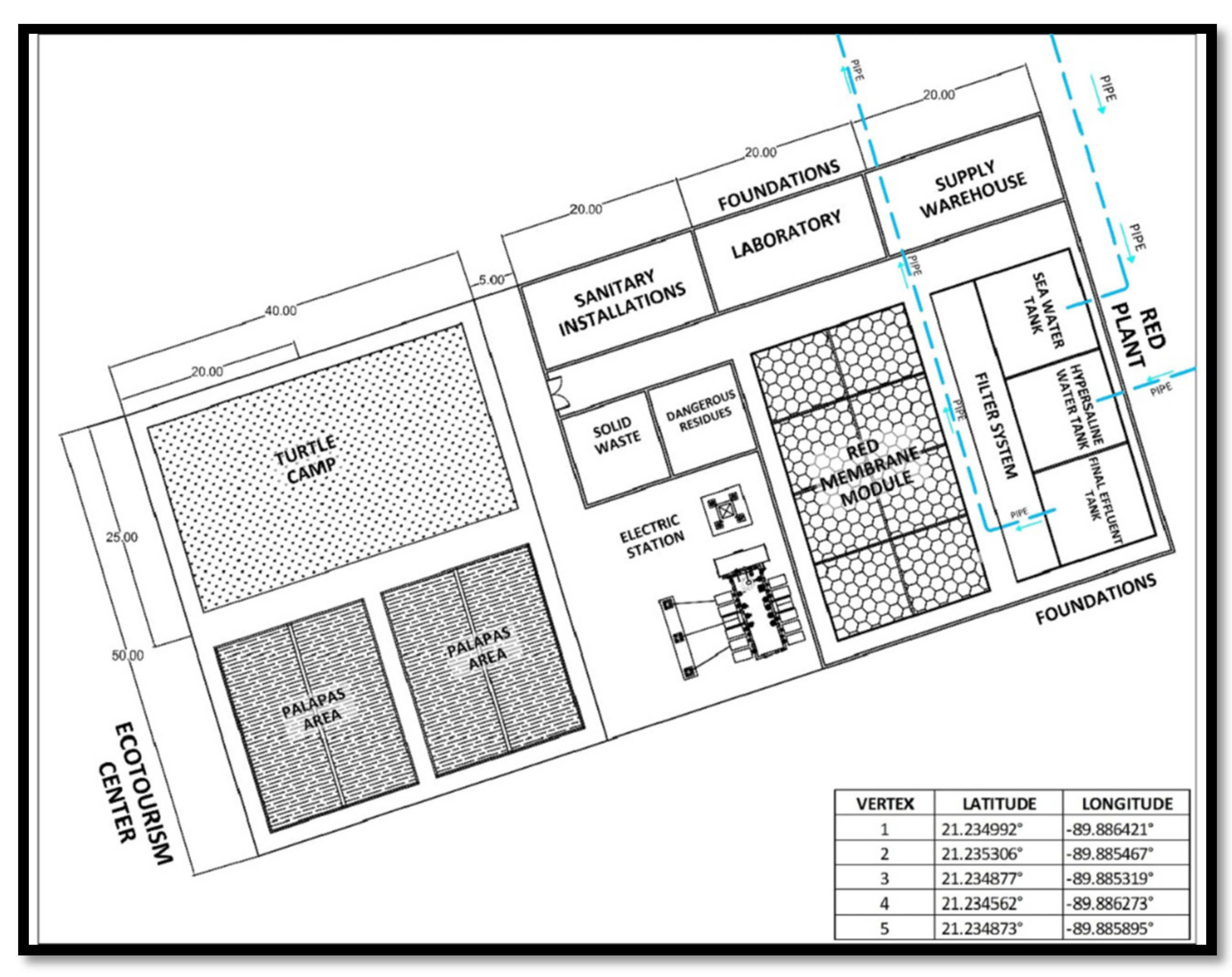
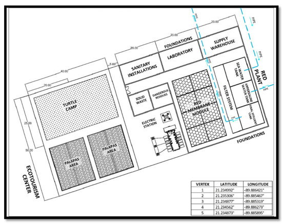
2.1. Study Area
2.2. Legal Framework
2.3. Geographical Boundaries and Current Uses
2.4. Thermohaline Structure
- A permanent fresh water effluent in the southwest of the lagoon (<5 psu (practical salinity units) with an almost constant temperature (27 °C));
- An estuarine zone in the central west of the system (where the salinity concentration varies with tides between 5 and 35 psu);
- A marine zone in the mouth of the sea inlet (around 35 psu);
- A hypersaline zone in the east of the system (60–100 psu).
2.5. Theoretical Potential for Generating SGE
- FW/SW: 0.244 ± 0.0889 kW, with a maximum of 0.527 kW in May, in the dry season;
- FW/HW: 1.111 ± 0.277 kW, which is the maximum average of the three plants’ configurations;
- SW/HW: 0.413 ± 0.194 kW, with a maximum of 0.916 in December, in the Nortes season.
2.6. Biological Characteristics
2.7. Environmental Impact Assessment
- changes to land use (excavation, land newly used, etc.);
- emission of pollutants (atmosphere, water, land, solid waste, etc.);
- storage of waste (in situ, transport, waste sites, etc.);
- overexploitation of resources (raw materials, energy consumption, water, flora, and fauna, etc.);
- alterations in species composition and abundance (emigration, reduction in numbers, extinction, etc);
- deterioration of the landscape (topography, vegetation, watercourses, surroundings, etc.);
3. Results and Discussion
- Consider the proximity of the resource (freshwater, marine, hypersaline);
- Choose building sites on land with sparse vegetation;
- Consider smaller areas for excavation and the introduction of pipelines;
- Consider that permanent effects (such as changes to hydrodynamics) have greater effects on receptors than temporary effects (such as construction noise or increased turbidity) in resilient systems, such as coastal lagoons [41];
- Consider final effluent discharge area;
- Consider areas accessible to tourism;
- Consider species conservation.
3.1. Construction Phase
3.2. Operation Phase
3.3. Decommissioning Phase
4. Conclusions
Author Contributions
Funding
Informed Consent Statement
Data Availability Statement
Acknowledgments
Conflicts of Interest
Appendix A
Appendix A.1. Precipitation, Evaporation, and Atmospheric Temperature
Appendix A.2. Tides, Winds, and Waves

Appendix A.3. Bathymetry

Appendix A.4. Hydrogeological Characteristics
Appendix A.5. Hydrodynamics


Appendix A.6. Salinity Patterns

References
- Mendoza, E.; Lithgow, D.; Flores, P.; Felix, A.; Simas, T.; Silva, R. A framework to evaluate the environmental impact of OCEAN energy devices. Renew. Sustain. Energy Rev. 2019, 112, 440–449. [Google Scholar] [CrossRef]
- Zhao, S.; Zou, L.; Tang, C.Y.; Mulcahy, D. Recent developments in forward osmosis: Opportunities and challenges. J. Membr. Sci. 2012, 396, 1–21. [Google Scholar] [CrossRef]
- Copping, A.; Sather, N.; Hanna, L.; Whiting, J.; Zydlewski, G.; Staines, G.; Gill, A.; Hutchison, I.; O’Hagan, A.; Simas, T.; et al. Annex IV State of the Science Report: Environmental Effects of Marine Renewable Energy Development Around the World; TETHYS: Richland, WA, USA, 2016; Available online: https://tethys.pnnl.gov/publications/state-of-the-science-2016 (accessed on 25 March 2017).
- Edenhofer, O.; Seyboth, K.; Creutzig, F.; Schlömer, S. On the Sustainability of Renewable Energy Sources. Ann. Rev. Environ. Resour. 2013, 38, 169–200. [Google Scholar] [CrossRef]
- Alvarez-Silva, O.A.; Osorio, A.F.; Winter, C. Practical global salinity gradient energy potential. Renew. Sustain. Energy Rev. 2016, 60, 1387–1395. [Google Scholar] [CrossRef]
- Jia, Z.; Wang, B.; Song, S.; Fan, Y. Blue energy: Current technologies for sustainable power generation from water salinity gradient. Renew. Sustain. Energy Rev. 2014, 31, 91–100. [Google Scholar] [CrossRef]
- Ahmad, M.; Williams, P. Application of salinity gradient power for brines disposal and energy utilisation. Desalin. Water Treat. 2009, 10, 220–228. [Google Scholar] [CrossRef]
- Tedesco, M.; Cipollina, A.; Tamburini, A.; van Baak, W.; Micale, G. Modelling the Reverse ElectroDialysis process with seawater and concentrated brines. Desalin. Water Treat. 2012, 49, 404–424. [Google Scholar] [CrossRef]
- Zhu, Y.; Wang, W.; Cai, B.; Hao, J.; Xia, R. The salinity gradient power generating system integrated into the seawater desalination system. IOP Conf. Ser. Earth Environ. Sci. 2017, 52, 012067. [Google Scholar] [CrossRef]
- Ye, M.; Pasta, M.; Xie, X.; Cui, Y.; Criddle, C.S. Performance of a mixing entropy battery alternately flushed with wastewater effluent and seawater for recovery of salinity-gradient energy. Energy Environ. Sci. 2014, 7, 2295–2300. [Google Scholar] [CrossRef]
- Yip, N.Y.; Brogioli, D.; Hamelers, H.V.M.; Nijmeijer, K. Salinity Gradients for Sustainable Energy: Primer, Progress, and Prospects. Environ. Sci. Technol. 2016, 50, 12072–12094. [Google Scholar] [CrossRef] [PubMed]
- Berrouche, Y.; Pillay, P. Determination of salinity gradient power potential in Québec, Canada. J. Renew. Sustain. Energy 2012, 4, 053113. [Google Scholar] [CrossRef]
- Micale, G.; Cipollina, A.; Tamburini, A. 1—Salinity gradient energy. In Sustainability Energy from Salinity Gradients; Cipollina, A., Micale, G., Eds.; Woodhead Publishing: Sawston, UK, 2016; pp. 1–17. [Google Scholar] [CrossRef]
- Sanvik, S.O.; Skihagen, S.E. Status of Technologies for Harnessing Salinity Power and the Current Osmotic Power Activities. Article to the 2008 Annual Report of the International Energy Agency Implementing Agreement on Ocean Energy Systems Annex I: Review, Exchange and Dissemination of Information on Ocean Energy Systems. 2008. Available online: http://www.iea-oceans.org/publications.asp?id=1 (accessed on 28 May 2017).
- IEA. Key World Energy Statitics; International Energy Agency: Paris, France, 2013; p. 82. [Google Scholar]
- Alvarez-Silva, O.; Osorio, A.F. Salinity gradient energy potential in Colombia considering site specific constraints. Renew. Energy 2015, 74, 737–748. [Google Scholar] [CrossRef]
- Emdadi, A.; Gikas, P.; Farazaki, M.; Emami, Y. Salinity gradient energy potential at the hyper saline Urmia Lake—ZarrinehRud River system in Iran. Renew. Energy 2016, 86, 154–162. [Google Scholar] [CrossRef]
- Karunarathne, H.D.S.S.; Walpalage, S. Applicability of Pressure Retarded Osmosis Power Generation Technology in Sri Lanka. Energy Procedia 2013, 34, 211–217. [Google Scholar] [CrossRef]
- Ortega, S.; Stenzel, P.; Alvarez-Silva, O.; Osorio, A.F. Site-specific potential analysis for pressure retarded osmosis (PRO) power plants—The León River example. Renew. Energy 2014, 68, 466–474. [Google Scholar] [CrossRef]
- HydroQuebec. A Renewable Energy Option: Osmotic Power; HydroQuebec: Montreal, QC, Canada, 2015; ISBN 978-2-550-72233-5. [Google Scholar]
- Martínez, M.L.; Vázquez, G.; Pérez-Maqueo, O.; Silva, R.; Moreno-Casasasola, P.; Lopez-Portillo, J.; Mcgregor, I.; Hecke, L.G.; Hernández-Santana, J.; García-Franco, J.; et al. A systemic view of potential environmental impacts of ocean energy production. Renew. Sustain. Energy Rev. 2021, Subbmitted. [Google Scholar]
- Seyfried, C.; Palko, H.; Dubbs, L. Potential local environmental impacts of salinity gradient energy: A review. Renew. Sustain. Energy Rev. 2019, 102, 111–120. [Google Scholar] [CrossRef]
- Papapetrou, M.; Kumpavat, K. 10—Environmental aspects and economics of salinity gradient power (SGP) processes. In Sustainability Energy from Salinity Gradients; Cipollina, A., Micale, G., Eds.; Woodhead Publishing: Sawston, UK, 2016; pp. 315–335. [Google Scholar] [CrossRef]
- Bonilla-Gómez, J.L.; Badillo-Alemán, M.; Gallardo-Torres, A.; Chiappa-Carrara, X. Temporal variation, growth and natural mortality of two species of mojarras (Perciformes Gerreidae) from a tropical coastal lagoon: La Carbonera, Yucatan, Mexico. Rev. Cienc. Mar. Costeras 2013, 5, 57–67. [Google Scholar] [CrossRef]
- Carmona-Escalante, A.; Guadarrama, P.; Ramos-Zapata, J.; Castillo-Argüero, S.; Montaño, N.M. Arbuscular mycorrhizal fungi associated with coastal vegetation in Chuburna, Yucatan, Mexico. Trop. Subtrop. Agroecosyst. 2013, 16, 431–443. [Google Scholar]
- Carbajal, N. Hidrodinámica y Transporte de Contaminantes y Sedimentos en el Sistema Lagunar Nichupté-Bojórquez, Quintana Roo; Informe final SNIB-CONABIO Proyecto No. CQ063; Instituto Potosino de Investigación Científica y Tecnológica: Mexico City, Mexico, 2009. [Google Scholar]
- Sánchez-Santillán, N.; Lanza-Espino, G.; Sánchez-Trejo, R. Analysis of the dynamic climatology of the Yucatan Peninsula, Mexico. In Recursos Acuáticos Costeros del Sureste Vol. II. Fondo Mixto—CONACYT—Gobierno del Estado de Yucatán; Consejo de Ciencia, Innovación y Tecnología del Estado de Yucatán: Mérida, Yucatán, Mexico, 2012; pp. 353–374. ISBN 978-607-9060-08-4. [Google Scholar]
- Vidal, R. Climatic Regions of Mexico; Institute of Geography, National Autonomous University of Mexico: Mexico City, Mexico, 2005; 216p. [Google Scholar]
- Palacios-Sánchez, S.E.; Vega-Cendejas, M.E. Cambios alimenticios en tres especies de Sphoeroides (Tetraodontiformes: Tetraodontidae) posterior al huracán Isidoro en Bocana de la Carbonera, Sureste del Golfo de México. Rev. Biol. Trop. 2010, 58, 1223–1235. [Google Scholar] [CrossRef]
- Mariño, I.; Enriquez, C. Estudios batimétricos, Hidrodinámicos y de Calidad de Agua en Lagunas Costeras de Yucatán; Reporte Técnico, Fondo mixto—CONACYT—Gobierno del Estado de Yucatán, Clave: 66254; Centro de Investigación y Estudios Avanzados del Instituto Politécnico Nacional Unidad Mérida: Mérida, Yucatán, México, 2011; 121p. [Google Scholar]
- DOEY. Diario Oficial del Estado de Yucatán; Decreto Número 285, 19 de Marzo de 2010; Gobierno del Estado: Mérida, Mexico, 2010. [Google Scholar]
- Jerónimo, G.; Gómez-Valdés, J.; Badillo, M.; López-Aguilar, K.; Galindo, C.; Gallardo, A.; Loera, J.; Arrollo-Pedraza, L.; Chiappa-Carrara, X. Variación Estacional de Temperatura y Salinidad en la Laguna la Carbonera, Yucatán, 2009–2010. In En Recursos Acuáticos Costeros del Sureste; Vol. II. Fondo Mixto—CONACYT—Gobierno del Estado de Yucatán; Consejo Nacional de Ciencia y Tecnología: Mexico City, Mexico, 2012; pp. 71–88. ISBN 978-607-9060-08-4. [Google Scholar]
- Marin, E. Modelación de la Hidrodinámica de un Sistema Lagunar en Humedal Costero con Descargas de Agua Subterránea (DAS); Universidad Nacional Autónoma de México: Mexico City, Mexico, 2016. [Google Scholar]
- Marin-Coria, E.; Enriquez, C. Variaciones de temperatura y salinidad en el sistema lagunar La Carbonera, Yucatán, México. Rev. Digit. E-BIOS 2016, 4, 35–45. [Google Scholar]
- Reyes-Mendoza, O.; Alvarez-Silva, O.; Chiappa-Carrara, X.; Enriquez, C. Variability of the thermohaline structure of a coastal hypersaline lagoon and the implications for salinity gradient energy harvesting. Sustain. Energy Technol. Assess. 2020, 38, 100645. [Google Scholar] [CrossRef]
- SEMARNAT. Norma Oficial Mexicana NOM-059-Semarnat-2001. Protección Ambiental-Especies Nativas de México de Flora y Fauna Silvestres-Categorías de Riesgo y Especificaciones para su Inclusión, Exclusión o Cambio-Lista de Especies en Riesgo; Diario Oficial de la Federación, 6 de Marzo del 2002, Segunda Sección; Secretaría de Medio Ambiente y Recursos Naturales: Ciudad de México, México, 2002. [Google Scholar]
- Guadarrama, P.; Salinas-Peba, L.; Chiappa-Carrara, X.; Ramos-Zapata, J.A. Florística, composición y estructura de las comunidades vegetales de la porción occidental de la Reserva Estatal Ciénegas y Manglares de la Costa Norte de Yucatán. Rev. Mex. Biodivers. 2018, 89, 784–805. [Google Scholar] [CrossRef]
- Torres, W.; Méndez, M.; Dorantes, A.; Durán, R. Estructura, composición y diversidad del matorral de duna costera en el litoral yucateco. Bol. Soc. Bot. Méx. 2010, 86, 37–51. [Google Scholar] [CrossRef][Green Version]
- Gallardo-Torres, A.; Badillo-Alemán, M.; Galindo-de Santiago, C.; Loera-Pérez, J.; Rioja-Nieto, R.; Chiappa-Carrara, X. Listado Taxonómico de los Peces de la Laguna Boca de la Carbonera, Yucatán: Un Primer paso para el Manejo y Evaluación de los Recursos Costeros del Norte de Yucatán. In En Recursos Acuáticos Costeros del Sureste; Vol. II. Fondo Mixto—CONACYT—Gobierno del estado de Yucatán; Consejo Nacional de Ciencia y Tecnología: Mexico City, Mexico, 2012; pp. 270–288. ISBN 978-607-9060-08-4. [Google Scholar]
- Poot-López, G.R.; López-Rocha, J.A.; González-Salas, C.; Guillen-Hernández, S.; Villegas-Hernández, H. Sex related differences in density, selectivity and vulnerability of the Atlantic blue crab, Callinectes sapidus (Rathbun, 1896), in the southern Gulf of Mexico. Reg. Stud. Mar. Sci. 2019, 32, 100846. [Google Scholar] [CrossRef]
- Chiappa-Carrara, X.; Enríquez, C.; Mariño, I.; Badillo, M.; Gallardo, A.; Yáñez, C.; Marin-Coria, E.; Arena, L.; Guadarrama, P.; López, K.; et al. Monitoreo ambiental de largo Plazo, herramienta para evaluar la Resiliencia de sistemas costeros. In Caracterización Multidisciplinaria de la Zona Costera de Sisal; Garza-Pérez, J.R., Ize Lema, I., Eds.; El Laboratorio Nacional de Resiliencia Costera: Yucatán, México, 2017. [Google Scholar]
- Santoyo, A. Esbozo Monográfico de Sisal, Yucatán; Reporte Técnico; Laboratorio Nacional de Resiliencia Costera: Yucatán, México, 2017; 119p. [Google Scholar]
- Sandoval-Gio, J.J.; Zamora-Bustillos, R.; Avilés-Ramírez, G.A.; Ortiz-León, H.J.; Rosas-Correa, C.O. First report of a spawning site of Limulus polyhemus at Ría Lagartos Biosphere Reserve, Yucatan, Mexico. Rev. Bio Cienc. 2016, 5, e354. [Google Scholar]
- Coria, I.D. El estudio de impacto ambiental: Características y metodologías. Invenio 2008, 11, 125–135. [Google Scholar]
- Dellavedova, M. Guía Metodológica para la Elaboración de una Evaluación de Impacto Ambiental. Universidad de la Plata. 2011. Available online: http://blogs.unlp.edu.ar/planeamientofau/files/2013/05/Ficha-N%C2%BA-17-Gu%C3%ADa-metodol%C3%B3gica-para-la-elaboraci%C3%B3n-de-una-EIA.pdf (accessed on 13 January 2021).
- Fernández-Vitora, V. Guía Metodológica para la Evaluación del Impacto Ambiental; Editorial Mundi-Prensa: Madrid, Spain, 2010. [Google Scholar]
- Hyman, E.L. Combining Facts and Values. In Environmental Impact Assessment: Theories and Techniques, 1st ed.; Routledge: New York, NY, USA, 1988; p. 322. [Google Scholar] [CrossRef]
- Boehlertm, G.; Gill, A. Environmental and Ecological Effects of Ocean Renewable Energy Development: A Current Synthesis. Oceanography 2010, 23, 68–81. [Google Scholar] [CrossRef]
- Andrade Soriano, E.N. Desarrollo de una Metodología para Diseñar una Planta de Energía Osmótica; Universidad Distrital Francisco José de Caldas: Bogotá, Colombia, 2015. [Google Scholar]
- Caballero, J.; Pulido, M.; Martínez-Ballesté, A. The Use of the Guano Palm (Sabal Yapa) in the Tourism Industry in Quintana Roo, Mexico; Forest Products, Livelihoods and Conservation. Case Studies on Non-Timber Forest Products Management Systems; Alexiades, M., Shanley, P., Eds.; CIFOR-CGIAR: Bogor, Indonesia, 2004; Volume 3. [Google Scholar]
- Bahamón, A.; Álvarez, A.M. Palafito: De Arquitectura Vernácula a Contemporánea; Parramón: Lleida, Spain, 2009; p. 144. [Google Scholar]
- Cipollina, A.; Micale, G.; Tamburini, A.; Tedesco, M.; Gurreri, L.; Veerman, J.; Grasman, S. 5—Reverse electrodialysis: Applications. In Sustainability Energy from Salinity Gradients; Cipollina, A., Micale, G., Eds.; Woodhead Publishing: Sawston, UK, 2016; pp. 135–180. [Google Scholar] [CrossRef]
- Graniel, E.; Vera, I.; González, L. Dinámica de la interfase salina y calidad del agua en la costa nororiental de Yucatán. Ingeniería 2004, 8, 15–25. [Google Scholar]
- Osland, M.J.; Feher, L.C.; López-Portillo, J.; Day, R.H.; Suman, D.O.; Guzmán Menéndez, J.M.; Rivera-Monroy, V.H. Mangrove forests in a rapidly changing world: Global change impacts and conservation opportunities along the Gulf of Mexico coast. Estuar. Coast. Shelf Sci. 2018, 214, 120–140. [Google Scholar] [CrossRef]
- Capurro, L. A large coastal ecosystem: The Yucatán Península. Adv. Perspect. 2002, 22, 69–75. [Google Scholar]
- Palko, H. Exploring Potential Sites for Salinity Gradient Renewable Energy on the North Carolina Coast and Evaluating the Potential Effects of Local Salinity Regime Variation on SAV Communities due to Reverse Electrodialysis Effluent; University of North Carolina: Chapel Hill, NC, USA, 2017. [Google Scholar]
- Salas, M.; Gómez-López, D.; Duque, G. Estructura de las praderas de Thalassia testudinum en un gradiente de profundidad en la Guajira, Caribe colombiano. Bol. Investig. Mar. Costeras 2010, 39, 381–395. [Google Scholar]
- Vermaas, D.A.; Kunteng, D.; Saakes, M.; Nijmeijer, K. Fouling in reverse electrodialysis under natural conditions. Water Res. 2013, 47, 1289–1298. [Google Scholar] [CrossRef] [PubMed]
- Wojtarowski, A.; Martínez, M.L.; Silva, R.; Vázquez, G.; Enriquez, C.; López-Portillo, J.; García-Franco, J.G.; MacGregor-Fors, I.; Lara-Domínguez, A.L.; Lithgow, D. Renewable energy production in a Mexican biosphere reserve: Assessing the potential using a multidisciplinary approach. Sci. Total Environ. 2021, 776, 145823. [Google Scholar] [CrossRef]
- Didde, R. Pilot Plant Brings “Blue Energy” Closer. 2014. Available online: https://resource.wur.nl/en/show/Pilot-plant-brings-blue-energy-closer.htm (accessed on 23 February 2021).
- Gómez, L. Aspectos ecológicos y biotecnológicos. Rev. Cub. Quím. 2013, 19, 3–20. [Google Scholar]
- CONAGUA. Manual de Agua Potable, Alcantarillado y Saneamiento. Guía para el Diseño de Emisores Submarinos; CONAGUA: México City, México, 2007. [Google Scholar]
- Enriquez, C.; Mariño-Tapia, I.; Jeronimo, G.; Capurro-Filograsso, L. Thermohaline processes in a tropical coastal zone. Cont. Shelf Res. 2013, 69, 101–109. [Google Scholar] [CrossRef]
- Blaber, S. Fish and Fisheries of Tropical Estuaries; Chapman & Hall: London, UK, 1997. [Google Scholar]
- Telesh, I.V.; Khlebovich, V.V. Principal processes within the estuarine salinity gradient: A review. Mar. Pollut. Bull. 2010, 61, 149–155. [Google Scholar] [CrossRef]
- Vega-Cendejas, M.E.; Hernández de Santillana, M. Fish community structure and dynamics in a coastal hypersaline lagoon: Rio Lagartos, Yucatan, Mexico. Estuar. Coast. Shelf Sci. 2004, 60, 285–299. [Google Scholar] [CrossRef]
- Arceo-Carranza, D.; Chávez-López, R. Cambio Climático, Estuarios e Hipersalinidad. In Tópicos de Agenda para la Sostenibilidad de Costas y Mares Mexicanos; Rivera-Arriaga, E., Sánchez-Gil, P., Gutiérrez, J., Eds.; Universidad Autónoma de Campeche: Campeche, Mexico, 2019; pp. 275–290. [Google Scholar]
- Dawoud, M.A. Environmental Impacts of Seawater Desalination: Arabian Gulf Case Study. Int. J. Environ. Sustain. 2012, 1, 22–37. [Google Scholar] [CrossRef]
- Aaberg, R.J. Osmotic power: A new and powerful renewable energy source? Refocus 2003, 4, 48–50. [Google Scholar] [CrossRef]
- Scialdone, O.; Guarisco, C.; Grispo, S.; Angelo, A.D.; Galia, A. Investigation of electrode material—Redox couple systems for reverse electrodialysis processes. Part I: Iron redox couples. J. Electroanal. Chem. 2012, 681, 66–75. [Google Scholar] [CrossRef]
- Pérez-Castillo, A.G.; Rodríguez, A. Indice fisicoquímico de la calidad de agua para el manejo de lagunas tropicales de inundación. Rev. Biol. Trop. 2008, 56, 1905–1918. [Google Scholar] [PubMed]
- Garner, S.B.; Boswell, K.M.; Lewis, J.P.; Tarnecki, J.H.; Patterson, W.F. Effect of reef morphology and depth on fish community and trophic structure in the northcentral Gulf of Mexico. Estuar. Coast. Shelf Sci. 2019, 230, 106423. [Google Scholar] [CrossRef]
- Chen, Q.; Yuan, H.; Chen, P. Short-term effects of artificial reef construction on the taxonomic diversity and eco-exergy of the macrobenthic faunal community in the Pearl River Estuary, China. Ecol. Indic. 2019, 98, 772–782. [Google Scholar] [CrossRef]
- Yang, X.; Lin, C.; Song, X.; Xu, M.; Yang, H. Effects of artificial reefs on the meiofaunal community and benthic environment—A case study in Bohai Sea, China. Mar. Pollut. Bull. 2019, 140, 179–187. [Google Scholar] [CrossRef]
- Vaselbehagh, M.; Karkhanechi, H.; Takagi, R.; Matsuyama, H. Biofouling phenomena on anion exchange membranes under the reverse electrodialysis process. J. Membr. Sci. 2017, 530, 232–239. [Google Scholar] [CrossRef]
- Hernández-Fontes, J.V.; Martínez, M.L.; Wojtarowski, A.; González-Mendoza, J.L.; Landgrave, R.; Silva, R. Is ocean energy an alternative in developing regions? A case study in Michoacan, Mexico. J. Clean. Prod. 2020, 266, 121984. [Google Scholar] [CrossRef]
- Ciarreta, A.; Espinosa, M.P.; Pizarro-Irizar, C. Is green energy expensive? Empirical evidence from the Spanish electricity market. Energy Policy 2014, 69, 205–215. [Google Scholar] [CrossRef]
- Silva, R.; Chávez, V.; Bouma, T.J.; van Tussenbroek, B.I.; Arkema, K.K.; Martínez, M.L.; Oumeraci, H.; Heymans, J.J.; Osorio, A.F.; Mendoza, E.; et al. The Incorporation of Biophysical and Social Components in Coastal Management. Estuaries Coasts 2019, 42, 1695–1708. [Google Scholar] [CrossRef]
- Silva, R.; Oumeraci, H.; Martínez, M.L.; Chávez, V.; Lithgow, D.; van Tussenbroek, B.I.; van Rijswick, H.F.M.W.; Bouma, T.J. Ten Commandments for Sustainable, Safe, and W/Healthy Sandy Coasts Facing Global Change. Front. Mar. Sci. 2021, 8. [Google Scholar] [CrossRef]
- Herrera-Silveira, J.A. Lagunas Costeras de Yucatan (SE, México) Investigación, Diagnóstico y Manejo. Ecotropicos 2006, 19, 94–108. [Google Scholar]
- INEGI. Estudio Hidrológico de la Península de Yucatán, 1st ed.; Instituto Nacional de Estadística, Geografía e Informática y Gobierno del Estado de Yucatán: Yucatán, México, 2012. [Google Scholar]
- SEMAR. Available online: https://oceanografia.semar.gob.mx/Templates/grafnum_progreso.html (accessed on 20 May 2021).
- Silva, R.; Ruiz, G.; Posada, G.; Pérez, D.; Rivillas, G.; Espinal, J.; Mendoza, E. Atlas de Clima Marítimo de la Vertiente Atlántica Mexicana; Instituto de Ingeniería, Universidad Nacional Autónoma de México: Mexico City, Mexico, 2008. [Google Scholar]
- Alcerreca, J.C.; Silva, R.; Mendoza, E. Simple settling velocity formula for calcareous sand. J. Hydraul. Res. 2013, 51, 215–219. [Google Scholar] [CrossRef]
- Cuevas Jiménez, A.; Euán Ávila, J.I.; Villatoro Lacouture, M.M.; Silva Casarín, R. Classification of Beach Erosion Vulnerability on the Yucatan Coast. Coast. Manag. 2016, 44, 333–349. [Google Scholar] [CrossRef]
- Kachadourian-Marras, A.; Alconada-Magliano, M.M.; Carrillo-Rivera, J.J.; Mendoza, E.; Herrerías-Azcue, F.; Silva, R. Characterization of Surface Evidence of Groundwater Flow Systems in Continental Mexico. Water 2020, 12, 2495. [Google Scholar] [CrossRef]






| Scheme 37 | Category of Protection | Importance and/or Uses |
|---|---|---|
| VEGETATION [37,38] | ||
| Mangrove | ||
| Conocarpus erectus Avicennia germinans Rhizophora mangle Laguncularia racemosa | Threatened | Erosion control and soil conservation/construction. Key in the life cycle of various organisms (fish and crustaceans). Carbon reservoirs, natural filter for water quality. |
| Coastal dune | ||
| Cordia sebestena Jacquinia macrocarpa | Uncategorised | Ornamental, medicinal, substrate fixation |
| Bravaisia berlandieriana | Uncategorised | Construction, medicinal, substrate fixation |
| Metopium brownei | Uncategorised | Toxic, substrate fixation |
| Capparis incana Gomphrena serrata Rivina humilis Capparis flexuosa | Uncategorised | Medicinal, substrate fixation |
| Acanthocereus tetragonus Sideroxylon americanum | Uncategorised | Edible, substrate fixation |
| Pithecellobium keyense | Uncategorised | Substrate fixation |
| Peten | ||
| Ficus cotinifolia | Uncategorised | Reclamation of degraded land |
| Manilkara zapota Sabal yapa | Uncategorised | Medicinal, construction, and handicrafts |
| Lowland flooded forest | ||
| Sporobolus pyramidatus | Uncategorised | Primary cover resistant to saline soils |
| Solanum nigrum | Uncategorised | Edible |
| Haematoxylum campechianum | Uncategorised | Textile |
| Ipomoea carnea | Uncategorised | Medicinal, ornamental |
| Seagrasses | ||
| Thalassia testudinum | Minor concern | Key in the life cycle of various organisms (fish and crustaceans). Carbon reservoirs. |
| FISHES [39] | ||
| Fundulus persimilis Fundulus grandissimus | Subject to special protection | Endemic |
| Gambusia yucatana | Uncategorised | Endemic |
| Sphoeroides testudineus Strongylura notata Harengula clupeola | Uncategorised | Traded for bait, resident, abundant species (vital in the food chain) |
| Trachinotus falcatus Lutjanus griseus Lutjanus synagris Floridichthys polyommus Archosargus probatocephalus Eucinostomus gula Eucinostomu argenteusMugil curema Mugil trichodon Hyporhamphus unifasciatus Chriodorus atherinoides | Uncategorised | Marketed for local and regional consumption |
| Poecilia velifera | Subject to special protection | - |
| Aetobatus narinari | Almost threatened | Commercial importance in the region |
| CRUSTACEANS [40] | ||
| Callinectes sapidus | Uncategorised | Marketed for local and regional consumption |
| BIRDS [41] | ||
| Phoenicopterus ruber Phalacrocorax brasilianus Cochlearius cochlearius Platalea ajaja Ardea alba | Minor concern | For tourism (birdwatching) |
| Campylorhiynchus yucatanicus | Near threatened | Endemic |
| Egretta rufescens | Subject to special protection | For tourism (birdwatching) |
| REPTILES [42] | ||
| Crocodylus moreletii | Subject to special protection | For tourism (sighting) |
| Eretmochelys imbricate | Critically endangered | Tourism (controlled releases at turtle camps) |
| Chelonia mydas | Endangered | Tourism (controlled releases at turtle camps) |
| Caretta caretta | Endangered | Tourism (controlled releases at turtle camps) |
| ARTHROPODS [43] | ||
| Limulus polyphemus | Near threatened | Medicinal |
Publisher’s Note: MDPI stays neutral with regard to jurisdictional claims in published maps and institutional affiliations. |
© 2021 by the authors. Licensee MDPI, Basel, Switzerland. This article is an open access article distributed under the terms and conditions of the Creative Commons Attribution (CC BY) license (https://creativecommons.org/licenses/by/4.0/).
Share and Cite
Marin-Coria, E.; Silva, R.; Enriquez, C.; Martínez, M.L.; Mendoza, E. Environmental Assessment of the Impacts and Benefits of a Salinity Gradient Energy Pilot Plant. Energies 2021, 14, 3252. https://doi.org/10.3390/en14113252
Marin-Coria E, Silva R, Enriquez C, Martínez ML, Mendoza E. Environmental Assessment of the Impacts and Benefits of a Salinity Gradient Energy Pilot Plant. Energies. 2021; 14(11):3252. https://doi.org/10.3390/en14113252
Chicago/Turabian StyleMarin-Coria, Etzaguery, Rodolfo Silva, Cecilia Enriquez, M. Luisa Martínez, and Edgar Mendoza. 2021. "Environmental Assessment of the Impacts and Benefits of a Salinity Gradient Energy Pilot Plant" Energies 14, no. 11: 3252. https://doi.org/10.3390/en14113252
APA StyleMarin-Coria, E., Silva, R., Enriquez, C., Martínez, M. L., & Mendoza, E. (2021). Environmental Assessment of the Impacts and Benefits of a Salinity Gradient Energy Pilot Plant. Energies, 14(11), 3252. https://doi.org/10.3390/en14113252

