A New Insight on the Radioprotective Potential of Epsilon-Aminocaproic Acid
Abstract
1. Introduction
2. Materials and Methods
2.1. Design of the In Vitro Study
2.2. Cell Culture
2.3. Cytotoxicity Assay
2.4. Reactive Oxygen Species (ROS) Measurements
2.5. DNA-Comet Assay
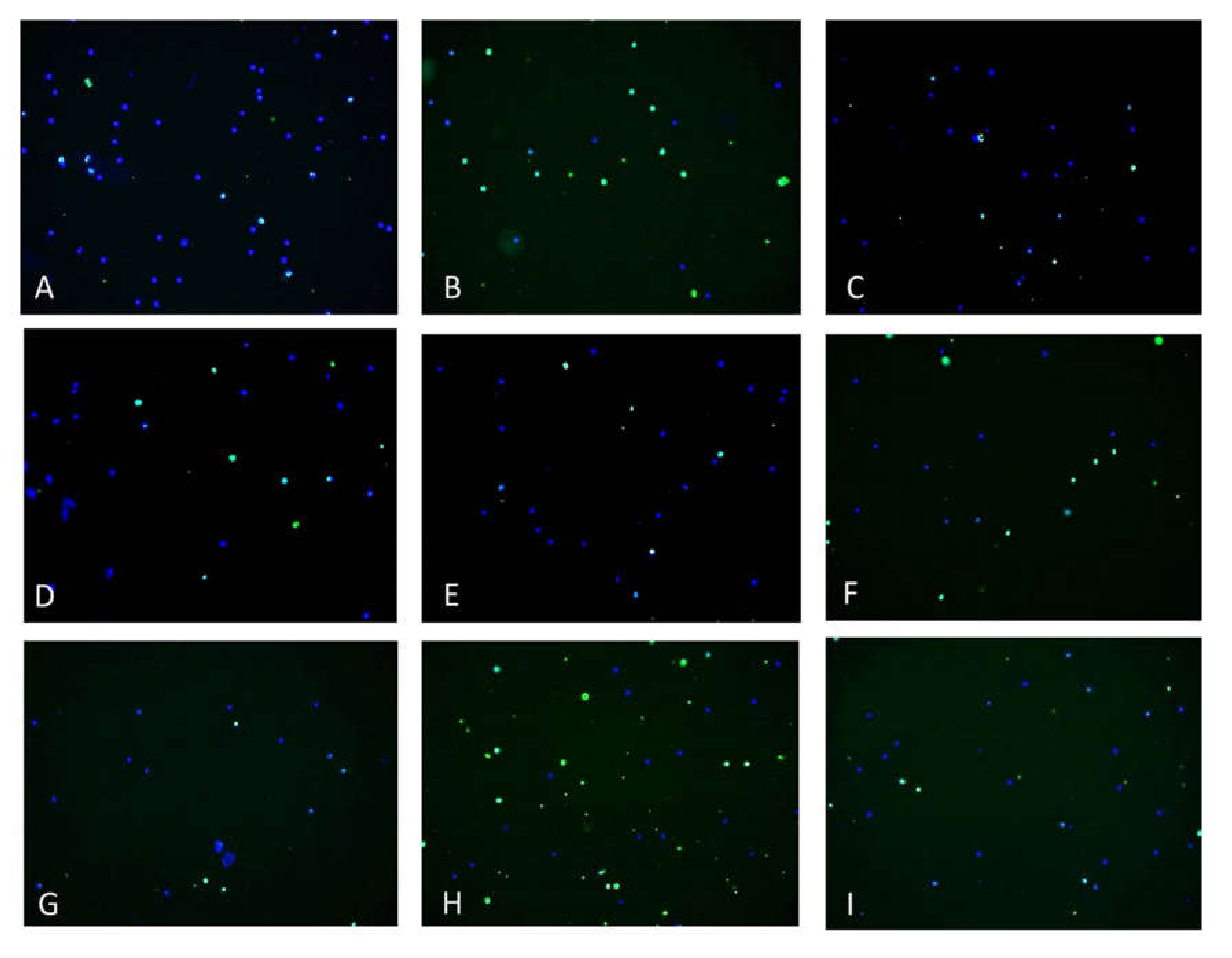
2.6. Apoptosis Measurement
2.7. Tests for Free Radical Scavenging Activity
2.8. Exposure Set-Up
2.9. Radiation Dosimetry
2.10. Statistical Analysis
3. Results
3.1. Evaluation of Cytotoxicity of EACA
3.2. Effect of EACA on Cell Recovery after X-ray Exposure and Treatment with Hydrogen Peroxide
3.3. Impact of EACA on Production of Reactive Oxygen Species (ROS)
3.4. EACA and Radiation-Induced DNA Damage
3.5. EACA and Radiation-Induced Apoptosis
3.6. Comparison of Anti-ROS Activity of EACA and Free Radical Scavengers
4. Discussion
5. Conclusions
Author Contributions
Funding
Acknowledgments
Conflicts of Interest
References
- Azzam, E.I.; Jay-Gerin, J.-P.; Pain, D. Ionizing radiation-induced metabolic oxidative stress and prolonged cell injury. Cancer Lett. 2012, 327, 48–60. [Google Scholar] [CrossRef] [PubMed]
- Szumiel, I. Ionizing radiation-induced oxidative stress, epigenetic changes and genomic instability: The pivotal role of mitochondria. Int. J. Radiat. Biol. 2014, 91, 1–12. [Google Scholar] [CrossRef] [PubMed]
- Akushevich, I.; Veremeyeva, G.A.; Dimov, G.P.; Ukraintseva, S.V.; Arbeev, K.G.; Akleyev, A.V.; Yashin, A.I. Modeling Deterministic Effects in Hematopoietic System Caused by Chronic Exposure to Ionizing Radiation in Large Human Cohorts. Health Phys. 2010, 99, 322–329. [Google Scholar] [CrossRef] [PubMed]
- Shadad, A.K. Gastrointestinal radiation injury: Symptoms, risk factors and mechanisms. World J. Gastroenterol. 2013, 19, 185–198. [Google Scholar] [CrossRef]
- Johnke, R.M.; Sattler, J.A.; Allison, R.R. Radioprotective agents for radiation therapy: Future trends. Futur. Oncol. 2014, 10, 2345–2357. [Google Scholar] [CrossRef] [PubMed]
- Chiu, S.-M.; Oleinick, N.L. The Role of DNA Damage and Repair in the Function of Eukaryotic Genes: Radiation-Induced Single-Strand Breaks and Their Rejoining in Chromosomal and Extrachromosomal Ribosomal DNA of Tetrahymena. Radiat. Res. 1980, 82, 146. [Google Scholar] [CrossRef]
- Lafleur, M.V.M.; Loman, H. Contribution of Radiation-Induced Alkali-Labile Damage to Inactivation of Single-Stranded-DNA. Int. J. Radiat. Biol. 1977, 31, 381. [Google Scholar]
- Loman, H.; Lafleur, M.V.M. Radiation-Induced Damage in Biologically-Active DNA—Comparison of Alkali-Labile Potential Breaks with Apurinic Sites. Int. J. Radiat. Biol. 1980, 38, 459–460. [Google Scholar]
- Richmond, R.C.; Zimbrick, J.D.; Hykes, D.L. Radiation-Induced DNA Damage and Lethality in Escherichia-Coli as Modified by Antitumor Agent Cis-Dichlorodiammineplatinum(Ii). Radiat. Res. 1977, 71, 447–460. [Google Scholar] [CrossRef]
- Datta, K.; Jaruga, P.; Dizdaroglu, M.; Neumann, R.D.; Winters, T.A. Molecular Analysis of Base Damage Clustering Associated with a Site-Specific Radiation-Induced DNA Double-Strand Break. Radiat. Res. 2006, 166, 767–781. [Google Scholar] [CrossRef]
- Lomax, M.E.; Folkes, L.K.; O’Neill, P. Biological Consequences of Radiation-induced DNA Damage: Relevance to Radiotherapy. Clin. Oncol. 2013, 25, 578–585. [Google Scholar] [CrossRef] [PubMed]
- Vodicka, P.; Polivkova, Z.; Musak, L.; Vodenkova, S.; Prochazka, P.; Vodickova, L.; Demova, H.; Polakova, V.; Ambrus, M.; Cerna, M.; et al. Chromosomal aberrations and cancer. Int. J. Mol. Med. 2013, 32, S72. [Google Scholar]
- Kouvaris, J.R.; Kouloulias, V.E.; Vlahos, L.J. Amifostine: The First Selective-Target and Broad-Spectrum Radioprotector. Oncologist 2007, 12, 738–747. [Google Scholar] [CrossRef] [PubMed]
- McDonnell, A.M.; Lenz, K.L. Palifermin: Role in the Prevention of Chemotherapy- and Radiation-Induced Mucositis. Ann. Pharmacother. 2007, 41, 86–94. [Google Scholar] [CrossRef]
- Rades, D.; Fehlauer, F.; Bajrovic, A.; Mahlmann, B.; Richter, E.; Alberti, W. Serious adverse effects of amifostine during radiotherapy in head and neck cancer patients. Radiother. Oncol. 2004, 70, 261–264. [Google Scholar] [CrossRef]
- Boccia, R. Improved tolerability of amifostine with rapid infusion and optimal patient preparation. Semin. Oncol. 2002, 29, 9–13. [Google Scholar] [CrossRef]
- Spence, A.; Krohn, K.; Steele, J.; Edmondson, S.; Rasey, J. WR-2721, WR-77913 and WR-3689 radioprotection in the rat spinal cord. Pharmacol. Ther. 1988, 39, 89–91. [Google Scholar] [CrossRef]
- Murray, D.; Altschuler, E.M.; Hunter, N.; Milas, L. Protection by WR-3689 against gamma-ray-induced intestinal damage: Comparative effect on clonogenic cell survival, mouse survival, and DNA damage. Radiat. Res. 1989, 120, 339–351. [Google Scholar] [CrossRef]
- McDonough, J.H.; Mele, P.C.; Franz, C.G. Comparison of behavioral and radioprotective effects of WR-2721 and WR-3689. Pharmacol. Biochem. Behav. 1992, 42, 233–243. [Google Scholar] [CrossRef]
- Arora, R.; Chawla, R.; Marwah, R.; Kumar, V.; Goel, R.; Arora, P.; Jaiswal, S.; Sharma, R.K. Medical radiation countermeasures for nuclear and radiological emergencies: Current status and future perspectives. J. Pharm. Bioallied Sci. 2010, 2, 202–212. [Google Scholar] [CrossRef]
- Pathak, R.; Bachri, A.; Ghosh, S.P.; Koturbash, I.; Boerma, M.; Binz, R.L.; Sawyer, J.R.; Hauer-Jensen, M. The Vitamin E Analog Gamma-Tocotrienol (GT3) Suppresses Radiation-Induced Cytogenetic Damage. Pharm. Res. 2016, 33, 2117–2125. [Google Scholar] [CrossRef] [PubMed]
- Çinkılıç, N.; Tüzün, E.; Çetintas, S.K.; Vatan, Ö.; Yılmaz, D.D.; Çavaş, T.; Tunc, S.; Özkan, L.; Bilaloĝlu, R. Radio-protective effect of cinnamic acid, a phenolic phytochemical, on genomic instability induced by X-rays in human blood lymphocytes in vitro. Mutat. Res. Toxicol. Environ. Mutagen. 2014, 770, 72–79. [Google Scholar] [CrossRef] [PubMed]
- Çinkılıç, N.; Çetintas, S.K.; Zorlu, T.; Vatan, Ö.; Yilmaz, D.; Çavaş, T.; Tunc, S.; Özkan, L.; Bilaloĝlu, R.; Yılmaz, D.D. Radioprotection by two phenolic compounds: Chlorogenic and quinic acid, on X-ray induced DNA damage in human blood lymphocytes in vitro. Food Chem. Toxicol. 2013, 53, 359–363. [Google Scholar] [CrossRef] [PubMed]
- Citrin, D.E.; Cotrim, A.P.; Hyodo, F.; Baum, B.J.; Krishna, M.C.; Mitchell, J.B. Radioprotectors and Mitigators of Radiation-Induced Normal Tissue Injury. Oncology 2010, 15, 360–371. [Google Scholar] [CrossRef] [PubMed]
- Xavier, S.; Yamada, K.-I.; Samuni, A.M.; Samuni, A.; DeGraff, W.; Krishna, M.C.; Mitchell, J.B. Differential protection by nitroxides and hydroxylamines to radiation-induced and metal ion-catalyzed oxidative damage. Biochim. Biophys. Acta (BBA)—Gen. Subj. 2002, 1573, 109–120. [Google Scholar] [CrossRef]
- Griffin, J.D.; Ellman, L. Epsilon-Aminocaproic Acid (EACA). Semin. Thromb. Hemost. 2008, 5, 27–40. [Google Scholar] [CrossRef]
- Messmore, H.L.; Fareed, J.; Janota, D.M.; Balis, J.U. Invitro Effects of Epsilon Aminocaproic Acid (Eaca) and Aprotinin (Trasylol) on Coagulation Parameters. Fed. Proc. 1976, 35, 804. [Google Scholar]
- Warren, J.W.; Stanley, K.E. New anti-hemorrhagic agent, epsilon aminocaproic acid for control of hemorrhage after transurethral prostatic resection: A control study. J. Kans. Med Soc. 1969, 70, 173–176. [Google Scholar]
- Skvaril, F.; Grunberger, D. Inhibition of spontaneous splitting of gamma-globulin preparations with episilon-aminocaproic acid. Nature 1962, 196, 481–482. [Google Scholar] [CrossRef]
- Ablondi, F.; Hagan, J.; Philips, M.; De Renzo, E. Inhibition of plasmin, trypsin and the streptokinase-activated fibrinolytic system by ϵ-aminocaproic acid. Arch. Biochem. Biophys. 1959, 82, 153–160. [Google Scholar] [CrossRef]
- Nosach, L.; Dyachenko, N.; Zhovnovataya, V.; Lozinskiy, M.; Lozitsky, V. Inhibition of proteolytic processing of adenoviral proteins by epsilon-aminocaproic acid and ambenum in adenovirus-infected cells. Acta Biochim. Pol. 2002, 49, 1005–1012. [Google Scholar] [CrossRef] [PubMed]
- Serkedjieva, J.; Nikolova, E.; Kirilov, N. Synergistic inhibition of Influenza A virus replication by a plant polyphenol-rich extract and epsilon-aminocaproic acid in vitro and in vivo. Acta Virol. 2010, 54, 137–145. [Google Scholar] [CrossRef] [PubMed]
- Lozitsky, V.P.; Puzis, L.E.; Rya, P. Resistance of mice to reinfection after E-aminocaproic acid treatment of primary influenza virus infection. Acta Virol. 1988, 32, 117–122. [Google Scholar] [PubMed]
- Frasca, D.; Barattini, P.; Tocchi, G.; Guidi, L.; Pierelli, L.; Doria, G. Role of DNA-dependent protein kinase in recognition of radiation-induced DNA damage in human peripheral blood mononuclear cells. Int. Immunol. 2001, 13, 791–797. [Google Scholar] [CrossRef]
- Kim, J.Y.; Kim, E.S.; Lee, Y.Y.; Kim, B.K. The effects of gamma-radiation and cytokines on human peripheral blood mononuclear cells. Cancer Epidem. Biomar. 2002, 11, 1204. [Google Scholar]
- Moreels, M.; Ghardi, M.; Chatelain, B.; Chatelain, C.; Baatout, S. Radiation-induced double strand breaks and subsequent apoptotic DNA fragmentation in human peripheral blood mononuclear cells. Int. J. Mol. Med. 2012, 29, 769–780. [Google Scholar] [CrossRef]
- Jacobs, G.P. A review on the effects of ionizing radiation on blood and blood components. Radiat. Phys. Chem. 1998, 53, 511–523. [Google Scholar] [CrossRef]
- Saeed, A.; Murshed, M.N.; Al-Shahari, E.A. Effect of low-dose fast neutrons on the protein components of peripheral blood mononuclear cells of whole-body irradiatedWistarrats. Environ. Sci. Pollut. Res. 2020, 27, 40443–40455. [Google Scholar] [CrossRef]
- Jakl, L.; Marková, E.; Koláriková, L.; Belyaev, I. Biodosimetry of Low Dose Ionizing Radiation Using DNA Repair Foci in Human Lymphocytes. Genes 2020, 11, 58. [Google Scholar] [CrossRef]
- Soren, D.C.; Toprani, S.M.; Jain, V.; Saini, D.; Das, B. Quantitation of genome damage and transcriptional profile of DNA damage response genes in human peripheral blood mononuclear cells exposed in vitro to low doses of neutron radiation. Int. J. Radiat. Res. 2019, 17, 1–14. [Google Scholar]
- Shimura, N.; Kojima, S. The Lowest Radiation Dose Having Molecular Changes in the Living Body. Dose-Response 2018, 16, 16. [Google Scholar] [CrossRef] [PubMed]
- Mondal, T.; Nautiyal, A.; Patwari, A.; Ozukum, A.; Mitra, D.; Goel, A.; Dey, S.K. DNA double strand breaks, repair and apoptosis following 511keV gamma-rays exposure using 18 fluorine positron emitter: An in-vitro study. Biomed. Phys. Eng. Expr. 2018, 4, 065023. [Google Scholar] [CrossRef]
- Streitmatter, S.W.; Stewart, R.D.; Jenkins, P.A.; Jevremovic, T. DNA double strand break (DSB) induction and cell survival in iodine-enhanced computed tomography (CT). Phys. Med. Biol. 2017, 62, 6164–6184. [Google Scholar] [CrossRef] [PubMed]
- Song, K.-H.; Jung, S.-Y.; Kho, S.-H.; Hwang, S.-G.; Ha, H.; Nam, S.Y.; Song, J.-Y. Effects of low-dose irradiation on mice with Escherichia coli -induced sepsis. Toxicol. Appl. Pharmacol. 2017, 333, 17–25. [Google Scholar] [CrossRef]
- Gharibdousty, T.S.; Zakeri, F.; Changizi, V.; Rajabpour, M.R.; Farshidpour, M.R. Low levels of ionizing radiation exposure and cytogenetic effects in radiopharmacists. Biosci. Biotechnol. Res. Commun. 2017, 10, 56–62. [Google Scholar] [CrossRef]
- Depuydt, J.; Viaene, T.; Blondeel, P.; Roche, N.; Broecke, R.V.D.; Thierens, H.; Vral, A. DNA double strand breaks induced by low dose mammography X-rays in breast tissue: A pilot study. Oncol. Lett. 2018, 16, 3394–3400. [Google Scholar] [CrossRef]
- Maguire, A.; Vegacarrascal, I.; White, L.; McClean, B.; Howe, O.; Lyng, F.M.; Meade, A.D. Analyses of Ionizing Radiation Effects In Vitro in Peripheral Blood Lymphocytes with Raman Spectroscopy. Radiat. Res. 2015, 183, 407–416. [Google Scholar] [CrossRef]
- Voloboueva, L.A.; Liu, J.; Suh, J.H.; Ames, B.N.; Miller, S.S. (R)-alpha-lipoic acid protects retinal pigment epithelial cells from oxidative damage. Investig. Opthalmol. Vis. Sci. 2005, 46, 4302–4310. [Google Scholar] [CrossRef][Green Version]
- Bao, L.; Avshalumov, M.V.; Rice, M.E. Partial Mitochondrial Inhibition Causes Striatal Dopamine Release Suppression and Medium Spiny Neuron Depolarization via H2O2 Elevation, Not ATP Depletion. J. Neurosci. 2005, 25, 10029–10040. [Google Scholar] [CrossRef]
- Zhang, G.; Gurtu, V.; Kain, S.R.; Yan, G. Early Detection of Apoptosis Using a Fluorescent Conjugate of Annexin V. Biotechniques 1997, 23, 525–531. [Google Scholar] [CrossRef]
- Villagrasa, V.; Cortijo, J.; Martí-Cabrera, M.; Ortiz, J.L.; Berto, L.; Esteras, A.; Bruseghini, L.; Morcillo, E. Inhibitory Effects of N-acetylcysteine on Superoxide Anion Generation in Human Polymorphonuclear Leukocytes. J. Pharm. Pharmacol. 1997, 49, 525–529. [Google Scholar] [CrossRef] [PubMed]
- Santos, J.L.; Bispo, V.S.; Filho, A.B.; Pinto, I.F.; Dantas, L.S.; Vasconcelos, D.F.; Abreu, F.F.; Melo, D.A.; Matos, I.A.; Freitas, F.P.; et al. Evaluation of Chemical Constituents and Antioxidant Activity of Coconut Water (Cocus nucifera L.) and Caffeic Acid in Cell Culture. Anais Acad. Bras. Ciênc. 2013, 85, 1235–1247. [Google Scholar] [CrossRef] [PubMed]
- Gulcin, I. Antioxidant activity of caffeic acid (3,4-dihydroxycinnamic acid). Toxicology 2006, 217, 213–220. [Google Scholar] [CrossRef] [PubMed]
- Zhao, Y.; Liu, J.; Zeng, X. Anti-Inflammatory Effects of p-coumaric Acid in LPS-Stimulated RAW264.7 Cells: Involvement of NF-?B and MAPKs Pathways. Med. Chem. 2016, 6, 06. [Google Scholar] [CrossRef]
- Oyedeji, O.; Taiwo, F.O.; Ayinde, F.O.; Ajayi, O.S.; Oziegbe, M.; Kelani, M.T.; Adewole, A.H. In vitro Antimicrobial and Antioxidant Analysis of Gallic Acid from the Leaves of Ludwigia abyssinica A. Rich. Eur. J. Med. Plants 2014, 4, 1098–1112. [Google Scholar] [CrossRef]
- Gopu, V.; Meena, C.K.; Shetty, P.H. Quercetin Influences Quorum Sensing in Food Borne Bacteria: In-Vitro and In-Silico Evidence. PLoS ONE 2015, 10, e0134684. [Google Scholar] [CrossRef]
- Yetuk, G.; Pandir, D.; Bas, H. Protective Role of Catechin and Quercetin in Sodium Benzoate-Induced Lipid Peroxidation and the Antioxidant System in Human ErythrocytesIn Vitro. Sci. World J. 2014, 2014, 1–6. [Google Scholar] [CrossRef]
- Kumar, N.M.; Pavithra, S.K.; Krishnan, V.; Chandrasekaran, M. In vitro Analysis of Antioxidant, Antimicrobial and Antiproliferative Activity of Enteromorpha antenna, Enteromorpha linza and Gracilaria corticata Extracts. Jundishapur J. Nat. Pharm. Prod. 2013, 8, 151–159. [Google Scholar] [CrossRef]
- Odunola, O.A.; Olugbami, J.O.; Gbadegesin, M.A. In vitro free radical scavenging and antioxidant properties of ethanol extract of Terminalia glaucescens. Pharmacogn. Res. 2015, 7, 49–56. [Google Scholar] [CrossRef]
- Campos, P.M.; Praça, F.S.G.; Bentley, M.V.L.B. Quantification of lipoic acid from skin samples by HPLC using ultraviolet, electrochemical and evaporative light scattering detectors. J. Chromatogr. B 2016, 1019, 66–71. [Google Scholar] [CrossRef]
- Qiao, H.; Chen, H.; Dong, Y.; Ma, H.; Zhao, G.; Tang, F.; Li, Z. Polydatin Attenuates H2O2-Induced Oxidative Stress via PKC Pathway. Oxidative Med. Cell. Longev. 2016, 2016, 1–10. [Google Scholar] [CrossRef] [PubMed]
- Natarajan, R.; Shankar, M.B.; Munuswamy, D. Effect of α-tocopherol supplementation on in vitro maturation of sheep oocytes and in vitro development of preimplantation sheep embryos to the blastocyst stage. J. Assist. Reprod. Genet. 2010, 27, 483–490. [Google Scholar] [CrossRef] [PubMed]
- Murohara, T.; Ikeda, H.; Otsuka, Y.; Aoki, M.; Haramaki, N.; Katoh, A.; Takajo, Y.; Imaizumi, T. Inhibition of platelet adherence to mononuclear cells by alpha-tocopherol—Role of P-selectin. Circulation 2004, 110, 141–148. [Google Scholar] [CrossRef] [PubMed]
- Mackonis, E.C.; Hammond, L.; Esteves, A.I.S.; Suchowerska, N. Radiation dosimetry in cell biology: Comparison of calculated and measured absorbed dose for a range of culture vessels and clinical beam qualities. Int. J. Radiat. Biol. 2018, 94, 150–156. [Google Scholar] [CrossRef] [PubMed]
- Yurka, H.G.; Wissler, R.N.; Zanghi, C.N.; Liu, X.; Tu, X.; Eaton, M.P. The Effective Concentration of Epsilon-Aminocaproic Acid for Inhibition of Fibrinolysis in Neonatal Plasma in Vitro. Anesth. Analg. 2010, 111, 180–184. [Google Scholar] [CrossRef]
- Krivokrysenko, V.I.; Toshkov, I.A.; Gleiberman, A.S.; Krasnov, P.; Shyshynova, I.; Bespalov, I.; Maitra, R.K.; Narizhneva, N.V.; Singh, V.K.; Whitnall, M.H.; et al. The Toll-Like Receptor 5 Agonist Entolimod Mitigates Lethal Acute Radiation Syndrome in Non-Human Primates. PLoS ONE 2015, 10, e0135388. [Google Scholar] [CrossRef]
- Hahn, S.M.; Krishna, M.C.; DeLuca, A.M.; Coffin, D.; Mitchell, J.B. Evaluation of the hydroxylamine Tempol-H as an in vivo radioprotector. Free. Radic. Biol. Med. 2000, 28, 953–958. [Google Scholar] [CrossRef]
- Chen, Y.; Chen, X.; Li, Y.; Zhang, H.; Xie, Y.; Zhang, X.; Ren, H.; Wang, Y.; Liao, S.; He, M.; et al. Early Effects of Low Dose12C6+Ion or X-Ray Irradiation on Peripheral Blood Lymphocytes of Patients with Alimentary Tract Cancer. Dose-Response 2010, 9, 356–368. [Google Scholar] [CrossRef]
- Kalina, I.; Brezáni, P.; Habalová, V.; Kohút, A.; Biroš, E.; Némethová, G.; Salagovic, J. Reciprocal adaptive response of human peripheral lymphocytes induced by bleomycine or gamma rays. Physiol. Res. 1999, 48, 171–174. [Google Scholar]
- Birnboim, H.C.; Jevcak, J.J. Fluorometric method for rapid detection of DNA strand breaks in human white blood cells produced by low doses of radiation. Cancer Res. 1981, 41, 1889–1892. [Google Scholar]
- Vaurijoux, A.; Gruel, G.; Grégoire, E. Automatic Dicentric Scoring a Real Option to Be Used in Biological Dosimetry. Radiat. Emerg. Med. 2015, 4, 16–21. [Google Scholar]
- Shimura, T.; Kobayashi, J.; Komatsu, K.; Kunugita, N. Severe mitochondrial damage associated with low-dose radiation sensitivity in ATM- and NBS1-deficient cells. Cell Cycle 2016, 15, 1099–1107. [Google Scholar] [CrossRef] [PubMed]
- Villegas, F.; Sordo, M.; Benitez-Bribiesca, L.; Brandan, M.E.; Ostrosky-Wegman, P. DNA Damage Induced in AT Lymphoblastoid Cell Line by Exposure to Low-Dose Beta and Alpha Radiation. Environ. Mol. Mutagen. 2009, 50, 569. [Google Scholar]
- Sudprasert, W.; Navasumrit, P.; Ruchirawat, M. Effects of low-dose gamma radiation on DNA damage, chromosomal aberration and expression of repair genes in human blood cells. Int. J. Hyg. Environ. Health 2006, 209, 503–511. [Google Scholar] [CrossRef]
- Marples, B.; Wouters, B.G.; Collis, S.J.; Chalmers, A.J.; Joiner, M.C. Low-Dose Hyper-radiosensitivity: A Consequence of Ineffective Cell Cycle Arrest of Radiation-Damaged G2-Phase Cells. Radiat. Res. 2004, 161, 247–255. [Google Scholar] [CrossRef]
- Sutherland, B.M.; Bennett, P.V.; Cintron-Torres, N.; Hada, M.; Trunk, J.; Monteleone, D.; Sutherland, J.C.; Laval, J.; Stanislaus, M.; Gewirtz, A. Clustered DNA Damages Induced in Human Hematopoietic Cells by Low Doses of Ionizing Radiation. J. Radiat. Res. 2002, 43, S149–S152. [Google Scholar] [CrossRef]
- Pouget, J.-P. Measurement of DNA base damage in cells exposed to low doses of gamma-radiation: Comparison between the HPLC-EC and comet assays. Int. J. Radiat. Biol. 1999, 75, 51–58. [Google Scholar] [CrossRef]
- Kruglova, E.; Krutko, N.; Krasnitskaya, A.; Alesina, M.; Karpenko, N. Therapeutically important nucleosides as markers of the level of DNA damages induced in sex cells of the rats by low doses gamma-radiation. In Spectroscopy of Biological Molecules: New Directions; Springer: Dordrecht, The Netherlands, 1999; pp. 302–304. [Google Scholar] [CrossRef]
- Klaude, M.; Gedik, C.; Collins, A. DNA Damage and Repair after Low Doses of UV-C Radiation; Comparable Rates of Repair in Rodent and Human Cells. Int. J. Radiat. Biol. 1995, 67, 501–508. [Google Scholar] [CrossRef]
- Dillehay, L.E. A Model of Cell Killing by Low-Dose-Rate Radiation Including Repair of Sublethal Damage, G 2 Block, and Cell Division. Radiat. Res. 1990, 124, 201. [Google Scholar] [CrossRef]
- Wu, Z.Z.; Jiang, X.Y.; Shen, S.R.; Tan, S.Z.; Xue, H.H. The Nature of Radiation-Damage of Hematopoietic Stem-Cells under Continuous Irradiation at Low-Dose Rate. Sci. Sinica 1981, 24, 1743–1752. [Google Scholar]
- Mothersill, C.; Seymour, C. Uncomfortable issues in radiation protection posed by low-dose radiobiology. Radiat. Environ. Biophys. 2013, 52, 293–298. [Google Scholar] [CrossRef] [PubMed]
- Bréchignac, F.; Paquet, F. Radiation-induced risks at low dose: Moving beyond controversy towards a new vision. Radiat. Environ. Biophys. 2013, 52, 299–301. [Google Scholar] [CrossRef] [PubMed]
- Dittmann, K.; Mayer, C.; Kehbach, R.; Rodemann, H.P. The radioprotector Bowman-Birk proteinase inhibitor stimulates DNA repair via epidermal growth factor receptor phosphorytation and nuclear transport. Radiother. Oncol. 2008, 86, 375–382. [Google Scholar] [CrossRef] [PubMed]
- Dittmann, K.; Wanner, G.; Mayer, C.; Rodemann, H. 74 Selective radioprotection of normal tissue by Bowman-Birk proteinase inhibitor. Radiother. Oncol. 2006, 78, S25–S26. [Google Scholar] [CrossRef]
- Sloand, E.M.; Maciejewski, J.; Kumar, P.; Kim, S.; Chaudhuri, A.; Young, N. Protease inhibitors stimulate hematopoiesis and decrease apoptosis and ICE expression in CD34(+) cells. Blood 2000, 96, 2735–2739. [Google Scholar] [CrossRef]
- Rizza, S.A.; Badley, A.D. HIV Protease Inhibitors Impact on Apoptosis. Med. Chem. 2008, 4, 75–79. [Google Scholar] [CrossRef]
- Phenix, B.N.; Lum, J.J.; Nie, Z.; Sanchez-Dardon, J.; Badley, A.D. Antiapoptotic mechanism of HIV protease inhibitors: Preventing mitochondrial transmembrane potential loss. Blood 2001, 98, 1078–1085. [Google Scholar] [CrossRef]
- Rideout, H.J.; Zang, E.; Yeasmin, M.; Gordon, R.; Jabado, O.; Park, D.S.; Stefanis, L. Inhibitors of trypsin-like serine proteases prevent DNA damage-induced neuronal death by acting upstream of the mitochondrial checkpoint and of p53 induction. Neuroscience 2001, 107, 339–352. [Google Scholar] [CrossRef]
- Jiang, X.; Jiang, H.; Shen, Z.; Wang, X. Activation of mitochondrial protease OMA1 by Bax and Bak promotes cytochrome c release during apoptosis. Proc. Natl. Acad. Sci. USA 2014, 111, 14782–14787. [Google Scholar] [CrossRef]
- Grabarek, J.; Du, L.T.; Johnson, G.L.; Lee, B.W.; Phelps, D.J.; Darzynkiewicz, Z. Sequential Activation of Caspases and Serine Proteases (Serpases) During Apoptosis. Cell Cycle 2002, 1, 115–122. [Google Scholar] [CrossRef]
- Kumi-Diaka, J.; Butler, A. Caspase-3 protease activation during the process of genistein-induced apoptosis in TM4 testicular cells. Biol. Cell 2000, 92, 115–124. [Google Scholar] [CrossRef]
- Dong, Z.; Saikumar, P.; Patel, Y.; Weinberg, J.M.; Venkatachalam, M.A. Serine protease inhibitors suppress cytochrome c-mediated caspase-9 activation and apoptosis during hypoxia-reoxygenation. Biochem. J. 2000, 347, 669–677. [Google Scholar] [PubMed]
- Meßmer, U.K.; Reimer, D.M.; Brüne, B. Protease activation during nitric oxide-induced apoptosis: Comparison between poly(ADP-ribose) polymerase and U1-70kDa cleavage. Eur. J. Pharmacol. 1998, 349, 333–343. [Google Scholar] [CrossRef]
- Martin, S.J.; Green, D.R. Protease Activation during Apoptosis—Death by 1000 Cuts. Cell 1995, 82, 349–352. [Google Scholar] [CrossRef]
- Matés, J.M.; Sánchez-Jiménez, F.M. Role of reactive oxygen species in apoptosis: Implications for cancer therapy. Int. J. Biochem. Cell Biol. 2000, 32, 157–170. [Google Scholar] [CrossRef]
- Ogawa, Y.; Kobayashi, T.; Nishioka, A.; Kariya, S.; Ohnishi, T.; Hamasato, S.; Seguchi, H.; Yoshida, S. Reactive oxygen species-producing site in radiation-induced apoptosis of human peripheral T cells: Involvement of lysosomal membrane destabilization. Int. J. Mol. Med. 2004, 13, 69–73. [Google Scholar] [CrossRef]
- Mitteer, R.A.; Wang, Y.; Shah, J.; Gordon, S.; Fager, M.; Butter, P.-P.; Kim, H.J.; Guardiola-Salmeron, C.; Carabe-Fernandez, A.; Fan, Y. Proton beam radiation induces DNA damage and cell apoptosis in glioma stem cells through reactive oxygen species. Sci. Rep. 2015, 5, srep13961. [Google Scholar] [CrossRef]
- Tan, S.; Sagara, Y.; Liu, Y.; Maher, P.; Schubert, D. The Regulation of Reactive Oxygen Species Production during Programmed Cell Death. J. Cell Biol. 1998, 141, 1423–1432. [Google Scholar] [CrossRef]
- Yamamori, T.; Yasui, H.; Yamazumi, M.; Wada, Y.; Nakamura, H.; Inanami, O. Ionizing Radiation Induces Mitochondrial Reactive Oxygen Species Production accompanied by Upregulation of Mitochondrial Electron Transport Chain Function and Mitochondrial Content under Control of the Cell Cycle Checkpoint. Free Radical. Bio. Med. 2012, 53, 260–270. [Google Scholar] [CrossRef]
- Lee, J.H.; Kim, S.Y.; Kil, I.S.; Park, J.-W. Regulation of Ionizing Radiation-induced Apoptosis by Mitochondrial NADP+-dependent Isocitrate Dehydrogenase. J. Biol. Chem. 2007, 282, 13385–13394. [Google Scholar] [CrossRef]
- Jayakumar, S.; Kunwar, A.; Sandur, S.K.; Pandey, B.N.; Chaubey, R.C. Differential response of DU145 and PC3 prostate cancer cells to ionizing radiation: Role of reactive oxygen species, GSH and Nrf2 in radiosensitivity. Biochim. Biophys. Acta (BBA)-Gen. Subj. 2014, 1840, 485–494. [Google Scholar] [CrossRef] [PubMed]
- Yamaguchi, M.; Kashiwakura, I. Role of Reactive Oxygen Species in the Radiation Response of Human Hematopoietic Stem/Progenitor Cells. PLoS ONE 2013, 8, e70503. [Google Scholar] [CrossRef] [PubMed]
- Harris, I.S.; DeNicola, G.M. The Complex Interplay between Antioxidants and ROS in Cancer. Trends Cell Biol. 2020, 30, 440–451. [Google Scholar] [CrossRef] [PubMed]
- Espinosa-Diez, C.; Miguel, V.; Mennerich, D.; Kietzmann, T.; Sánchez-Pérez, P.; Cadenas, S.; Lamas, S. Antioxidant responses and cellular adjustments to oxidative stress. Redox Biol. 2015, 6, 183–197. [Google Scholar] [CrossRef]
- Kim, M.H.; Kim, J.Y.; Kim, J.; Lee, H.; Huh, J.; Lee, D.-S. Peroxiredoxin 2 deficiency reduces white adipogenesis due to the excessive ROS generation. Cell Biol. Int. 2020, 44, 2086–2093. [Google Scholar] [CrossRef]
- O’Flaherty, C.; Boisvert, A.; Manku, G.; Culty, M. Protective Role of Peroxiredoxins against Reactive Oxygen Species in Neonatal Rat Testicular Gonocytes. Antioxidants 2019, 9, 32. [Google Scholar] [CrossRef]
- Mongia, A.; Bhaskaran, M.; Reddy, K.; Manjappa, N.; Baqi, N.; Singhal, P.C. Protease inhibitors modulate apoptosis in mesangial cells derived from a mouse model of HIVAN11See Editorial by Foster, p. 1105. Kidney Int. 2004, 65, 860–870. [Google Scholar] [CrossRef][Green Version]
- Singh, M.; Sharma, H.; Singh, N. Hydrogen peroxide induces apoptosis in HeLa cells through mitochondrial pathway. Mitochondrion 2007, 7, 367–373. [Google Scholar] [CrossRef]
- Park, W.H. MAPK inhibitors, particularly the JNK inhibitor, increase cell death effects in H2O2-treated lung cancer cells via increased superoxide anion and glutathione depletion. Oncol. Rep. 2017, 39, 860–870. [Google Scholar] [CrossRef]
- Cao, X.; Wen, P.; Fu, Y.; Gao, Y.; Qi, X.; Chen, B.; Tao, Y.; Wu, L.; Xu, A.; Lu, H.; et al. Radiation induces apoptosis primarily through the intrinsic pathway in mammalian cells. Cell. Signal. 2019, 62, 109337. [Google Scholar] [CrossRef]
- Deschavanne, P.J.; Fertil, B. A review of human cell radiosensitivity in vitro. Int. J. Radiat. Oncol. 1996, 34, 251–266. [Google Scholar] [CrossRef]
- Malaise, E.P.; Lambin, P.; Joiner, M.C. Radiosensitivity of human cell lines to small doses. Are there some clinical implications? Radiat. Res. 1994, 138, S25–S27. [Google Scholar] [CrossRef] [PubMed]
- Falynskova, I.N.; Ionova, K.S.; Dedova, A.V.; Leneva, I.A.; Makhmudova, N.R.; Rasnetsov, L.D. Antiviral Activity of Fullerene-(Tris-Aminocaproic Acid) Hydrate Against Respiratory Syncytial Virus in HEp-2 Cell Culture. Pharm. Chem. J. 2014, 48, 85–88. [Google Scholar] [CrossRef]
- Van Gool, S.W.; Hove, L.V.D.; Ceuppens, J.L. Activation of the immune system in cancer patients. Med Pediatr. Oncol. 2000, 34, 1–9. [Google Scholar] [CrossRef]
- Finn, O.J. Immuno-oncology: Understanding the function and dysfunction of the immune system in cancer. Ann. Oncol. 2012, 23, viii6–viii9. [Google Scholar] [CrossRef]
- Cucinotta, F.A. Space Radiation Risks for Astronauts on Multiple International Space Station Missions. PLoS ONE 2014, 9, e96099. [Google Scholar] [CrossRef]
- Kuznetsov, N.V.; Nymmik, R.A.; Panasyuk, M.I.; Denisov, A.N.; Sobolevsky, N.M. Estimation of radiation risk for astronauts on the Moon. Cosm. Res. 2012, 50, 216–220. [Google Scholar] [CrossRef]
- Vorobyova, N.Y.; Osipova, A.N.; Pelevina, I. Sensitivity of peripheral blood lymphocytes of pilots and astronauts to gamma-radiation: Induction of double-stranded DNA breaks. Bull. Exp. Biol. Med. 2007, 144, 523–526. [Google Scholar] [CrossRef]








| 1 | control group (no exposure to radiation) |
| 2 | group “cells + hydrogen peroxide (H2O2)” (no exposure to radiation) |
| 3 | group “cells + EACA (50 ng/mL) + H2O2” (no exposure to radiation) |
| 4 | group “cells + X-ray irradiation 22.62 mGy” |
| 5 | group “cells + EACA (50 ng/mL) + X-ray irradiation for 22.62 mGy” |
| 6 | group “cells + X-ray irradiation for 45.27 mGy” |
| 7 | group “cells + EACA (50 ng/mL) + X-ray irradiation 45.27 mGy” |
| 8 | group “cells + X-ray irradiation 67.88 mGy” |
| 9 | group “cells + EACA (50 ng/mL) + X-ray irradiation 67.88 mGy” |
Publisher’s Note: MDPI stays neutral with regard to jurisdictional claims in published maps and institutional affiliations. |
© 2020 by the authors. Licensee MDPI, Basel, Switzerland. This article is an open access article distributed under the terms and conditions of the Creative Commons Attribution (CC BY) license (http://creativecommons.org/licenses/by/4.0/).
Share and Cite
Saliev, T.; Baiskhanova, D.; Beznosko, D.; Begimbetova, D.; Umbayev, B.; Nurgozhin, T.; Fakhradiyev, I.; Tanabayev, B.; Pavalkis, D. A New Insight on the Radioprotective Potential of Epsilon-Aminocaproic Acid. Medicina 2020, 56, 663. https://doi.org/10.3390/medicina56120663
Saliev T, Baiskhanova D, Beznosko D, Begimbetova D, Umbayev B, Nurgozhin T, Fakhradiyev I, Tanabayev B, Pavalkis D. A New Insight on the Radioprotective Potential of Epsilon-Aminocaproic Acid. Medicina. 2020; 56(12):663. https://doi.org/10.3390/medicina56120663
Chicago/Turabian StyleSaliev, Timur, Dinara Baiskhanova, Dmitriy Beznosko, Dinara Begimbetova, Bauyrzhan Umbayev, Talgat Nurgozhin, Ildar Fakhradiyev, Baimakhan Tanabayev, and Dainius Pavalkis. 2020. "A New Insight on the Radioprotective Potential of Epsilon-Aminocaproic Acid" Medicina 56, no. 12: 663. https://doi.org/10.3390/medicina56120663
APA StyleSaliev, T., Baiskhanova, D., Beznosko, D., Begimbetova, D., Umbayev, B., Nurgozhin, T., Fakhradiyev, I., Tanabayev, B., & Pavalkis, D. (2020). A New Insight on the Radioprotective Potential of Epsilon-Aminocaproic Acid. Medicina, 56(12), 663. https://doi.org/10.3390/medicina56120663

