Epithelial-Immune Cell Crosstalk in Salivary Gland Tumors: Implications for Tumor Progression and Diagnostic Assessment
Abstract
1. Introduction
2. Results
2.1. Evolutionary Dynamics of Salivary Neoplasms: Structural Alterations and Cell Plasticity from Glandular Physiology to Malignant Transformation
2.2. Progressive Alteration in the Expression of Epithelial and Mesenchymal Markers
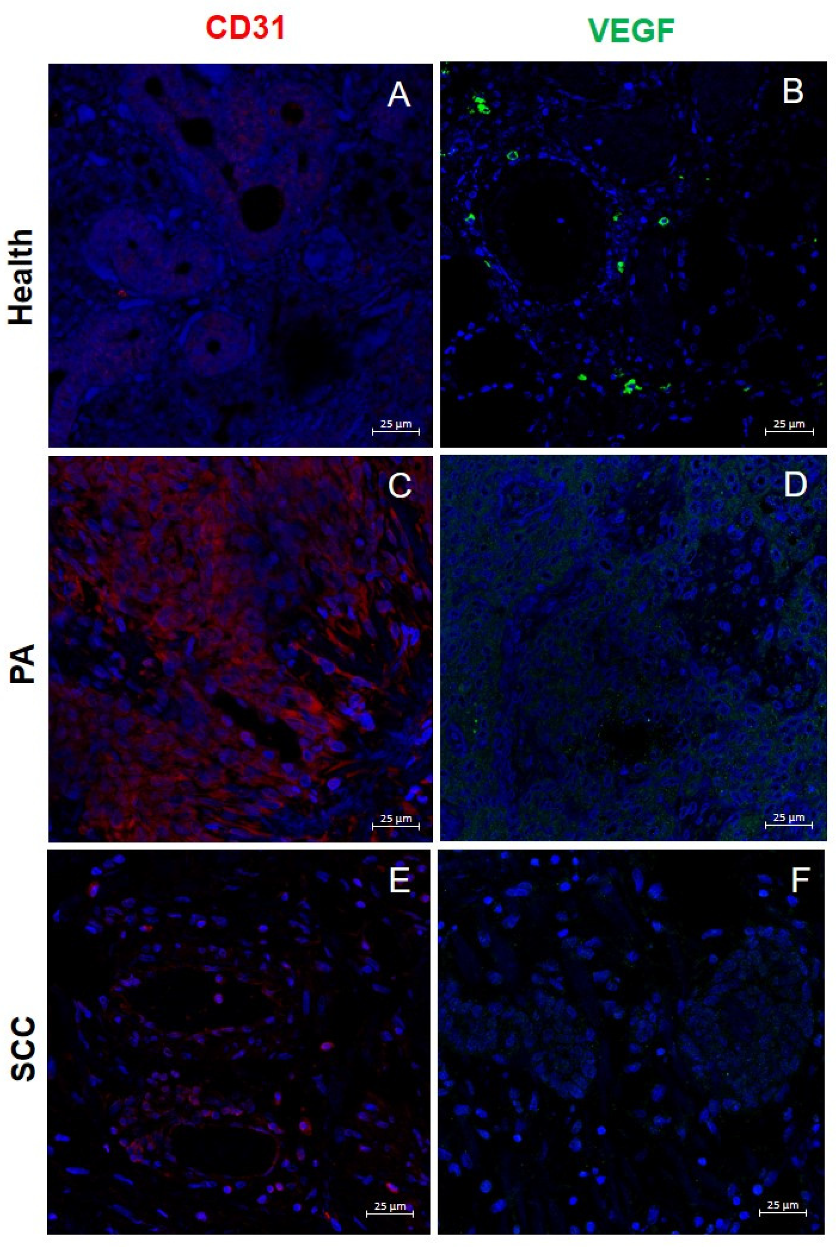
2.3. Dynamic Remodeling of the Immune-Vascular Niche in the Tumor Microenvironment
2.4. Aberrant Co-Localization of MCs Markers in Ductal Epithelium: Immune-Epithelial Plasticity in Salivary Gland Neoplasms
3. Discussion
4. Materials and Methods
4.1. Sample
4.2. Histopathology
4.3. Immunohistochemistry
4.4. Immunofluorescence
4.5. Evaluation of the Expression of Immunohistochemical Markers
5. Conclusions
Author Contributions
Funding
Institutional Review Board Statement
Informed Consent Statement
Data Availability Statement
Acknowledgments
Conflicts of Interest
Abbreviations
| BSA | Bovine serum albumin |
| CAFs | Cancer-associated fibroblasts |
| CK18 | Cytokeratin 18 |
| E&E | Hematoxylin-eosin |
| ECM | Extracellular matrix |
| EMT | Epithelial–mesenchymal transition |
| HRP | Horseradish peroxidase |
| IF | Immunofluorescence |
| IHC | Immunohistochemistry |
| MCs | Mast cells |
| MCT | Mast cell tryptase |
| NSCLC | Non-small-cell lung cancer |
| PA | Pleomorphic adenoma |
| PARs | Protease-activated receptors |
| PBS | Phosphate-buffer saline |
| SCC | Squamous cell carcinoma |
| SGT | Salivary gland tumor |
| TAMs | Tumor-associated macrophages |
| TME | Tumor microenvironment |
| VEGF | Vascular growth factor |
References
- Liu, X.; Liao, X.; Zhang, D. Squamous Cell Carcinoma Ex Pleomorphic Adenoma of the Parotid Gland: Unusual Entity and Diagnostic Pitfalls. Cancer Diagn. Progn. 2021, 1, 279–283. [Google Scholar] [CrossRef]
- Theoharides, T.C.; Alysandratos, K.D. Mast cells and inflammation. Biochim. Biophys. Acta 2012, 1822, 21–33. [Google Scholar] [CrossRef] [PubMed]
- Liu, G.; Xu, X.; Chen, G.; Liu, Z. Analysis of primary and secondary squamous cell carcinoma of the thyroid gland: A retrospective study. Gland. Surg. 2021, 10, 559–566. [Google Scholar] [CrossRef] [PubMed]
- Basset, C.A.; Rappa, F.; Barone, R.; Florena, A.M.; Porcasi, R.; Conway de Macario, E.; Macario, A.J.; Leone, A. The Chaperone System in Salivary Glands: Hsp90 Prospects for Differential Diagnosis and Treatment of Malignant Tumors. Int. J. Mol. Sci. 2022, 23, 9317. [Google Scholar] [CrossRef]
- Son, H.; Moon, A. Epithelial-mesenchymal Transition and Cell Invasion. Toxicol. Res. 2010, 26, 245–252. [Google Scholar] [CrossRef]
- Barriere, G.; Fici, P.; Gallerani, G.; Fabbri, F.; Rigaud, M. Epithelial Mesenchymal Transition: A double-edged sword. Clin. Transl. Med. 2015, 14, 14. [Google Scholar] [CrossRef]
- Ivaska, J.; Pallari, H.-M.; Nevo, J.; Eriksson, J.E. Novel functions of Vimentin in cell adhesion, migration, and signaling. Exp. Cell Res. 2007, 313, 2050–2062. [Google Scholar] [CrossRef]
- Micalizzi, D.S.; Haber, D.A.; Maheswaran, S. Cancer metastasis through the prism of epithelial-to-mesenchymal transition in circulating tumor cells. Mol. Oncol. 2017, 11, 770–780. [Google Scholar] [CrossRef]
- Ababneh, O.; Nishizaki, D.; Kato, S.; Kurzrock, R. Tumor necrosis factor superfamily signaling: Life and death in cancer. Cancer Metastasis Rev. 2024, 43, 1137–1163. [Google Scholar] [CrossRef]
- Levi-Schaffer, F.; Piliponsky, A.M. Tryptase, a novel link between allergic inflammation and fibrosis. Trends Immunol. 2003, 24, 158–161. [Google Scholar] [CrossRef]
- Talbot, L.J.; Bhattacharya, S.D.; Kuo, P.C. Epithelial-mesenchymal transition, the tumor microenvironment, and metastatic behavior of epithelial malignancies. Int. J. Biochem. Mol. Biol. 2012, 3, 117–136. [Google Scholar]
- Liu, X.; Li, J.; Cadilha, B.L.; Markota, A.; Voigt, C.; Huang, Z.; Lin, P.P.; Wang, D.D.; Dai, J.; Kranz, G.; et al. Epithelial-type systemic breast carcinoma cells with a restricted mesenchymal transition are a major source of metastasis. Sci. Adv. 2019, 5, eaav4275. [Google Scholar] [CrossRef] [PubMed]
- Xiao, H.; He, M.; Xie, G.; Liu, Y.; Zhao, Y.; Ye, X.; Li, X.; Zhang, M. The release of tryptase from mast cells promote tumor cell metastasis via exosomes. BMC Cancer 2019, 19, 1015. [Google Scholar] [CrossRef] [PubMed]
- Bachelet, I.; Munitz, A.; Moretta, A.; Moretta, L.; Levi-Schaffer, F. The inhibitory receptor IRp60 (CD300a) is expressed and functional on human mast cells. J. Immunol. 2005, 175, 7989–7995. [Google Scholar] [CrossRef]
- Gaur, P.; Alekberli, F.R.; Karra, L.; Mankuta, D.; Ben-Zimra, M.; Levi-Schaffer, F. Dexamethasone and CD300a activation display additive inhibitory effect on human and murine mast cell functions. Clin. Exp. Allergy 2021, 51, 1383–1386. [Google Scholar] [CrossRef]
- Vitallé, J.; Terrén, I.; Orrantia, A.; Pérez-Garay, R.; Vidal, F.; Iribarren, J.A.; Rodríguez, C.; Lirola, A.M.L.; Bernal, E.; Zenarruzabeitia, O.; et al. CD300a inhibits CD16-mediated NK cell effector functions in HIV-1-infected patients. Cell Mol. Immunol. 2019, 16, 940–942. [Google Scholar] [CrossRef]
- Tang, Z.; Cai, H.; Wang, R.; Cui, Y. Overexpression of CD300A inhibits progression of NSCLC through downregulating Wnt/β-catenin pathway. Onco Targets Ther. 2018, 11, 8875–8883. [Google Scholar] [CrossRef]
- Song, W.; Li, H.; Tao, K.; Li, R.; Song, Z.; Zhao, Q.; Zhang, F.; Dou, K. Expression and clinical significance of the stem cell marker CD133 in hepatocellular carcinoma. Int. J. Clin. Pr. 2008, 62, 1212–1218. [Google Scholar] [CrossRef]
- Nakazawa, Y.; Nishiyama, N.; Koizumi, H.; Kanemaru, K.; Nakahashi-Oda, C.; Shibuya, A. Tumor-derived extracellular vesicles regulate tumor-infiltrating regulatory T cells via the inhibitory immunoreceptor CD300a. Elife 2021, 10, e61999. [Google Scholar] [CrossRef]
- Puzzovio, P.G.; Levy, B.D.; Levi-Schaffer, F. CD300a Regulates Mouse Macrophage Functionality in Allergic Inflammation. Int. Arch. Allergy Immunol. 2023, 184, 720–726. [Google Scholar] [CrossRef]
- Chen, X.; Song, E. Turning foes to friends: Targeting cancer-associated fibroblasts. Nat. Rev. Drug Discov. 2019, 18, 99–115. [Google Scholar] [CrossRef] [PubMed]
- Ghebremedhin, A.; Athavale, D. Tumor-Associated Macrophages as Major Immunosuppressive Cells in the Tumor Microenvironment. Cancers 2024, 16, 3410. [Google Scholar] [CrossRef] [PubMed]
- Visciano, C.; Liotti, F.; Prevete, N.; Cali′, G.; Franco, R.; Collina, F.; de Paulis, A.; Marone, G.; Santoro, M.; Melillo, R.M. Mast cells induce epithelial-to-mesenchymal transition and stem cell features in human thyroid cancer cells through an IL-8-Akt-Slug pathway. Oncogene. 2015, 34, 5175–5186. [Google Scholar] [CrossRef]
- Peng, J.M.; Liu, H.Y. CD300a: An Innate Immune Checkpoint Shaping Tumor Immunity and Therapeutic Opportunity. Cancers 2025, 17, 1786. [Google Scholar] [CrossRef]
- Theocharis, S.; Gribilas, G.; Giaginis, C.; Patsouris, E.; Klijanienko, J. Angiogenesis in salivary gland tumors: From clinical significance to treatment. Expert. Opin. Ther. Targets 2015, 19, 807–819. [Google Scholar] [CrossRef]
- Dissanayake, U. Malignancy grading of invasive fronts of oral squamous cell carcinomas: Correlation with overall survival. TROO 2017, 2, 1–8. [Google Scholar] [CrossRef]
- Blair, R.J.; Meng, H.; Marchese, M.J.; Ren, S.; Schwartz, L.B.; Tonnesen, M.G.; Gruber, B.L. Human mast cells stimulate vascular tube formation. Tryptase is a novel, potent angiogenic factor. J. Clin. Investig. 1997, 99, 2691–2700. [Google Scholar] [CrossRef]
- Mantovani, A.; Allavena, P.; Sica, A.; Balkwill, F. Cancer-related inflammation. Nature 2008, 454, 436–444. [Google Scholar] [CrossRef]
- Matouskova, K.; Bugos, J. Exposure to Low Doses of Oxybenzone During Perinatal Development Alters Mammary Gland Stroma in Female Mice. Front. Toxicol. 2022, 4, 910230. [Google Scholar] [CrossRef]
- Athwal, H.; Lombaert, I.M.A. Salivary Gland Embryology, Physiology, and Stem Cell Complexity. Surgery of the Salivary Glands. Elsevier 2021, 12, 18. [Google Scholar]
- Spranger, S.; Gajewski, T.F. Impact of oncogenic pathways on evasion of antitumour immune responses. Nat. Rev. Cancer 2018, 18, 139–147. [Google Scholar] [CrossRef]
- Peinado, H.; Alečković, M.; Lavotshkin, S.; Matei, I.; Costa-Silva, B.; Moreno-Bueno, G.; Hergueta-Redondo, M.; Williams, C.; García-Santos, G.; Ghajar, C.M.; et al. Melanoma exosomes educate bone marrow progenitor cells toward a pro-metastatic phenotype through MET. Nat. Med. 2016, 18, 883–891. [Google Scholar] [CrossRef]
- Folkman, J. Role of angiogenesis in tumor growth and metastasis. Semin. Oncol. 2002, 29 (Suppl. S16), 15–18. [Google Scholar] [CrossRef]
- Vesely, M.D.; Kershaw, M.H.; Schreiber, R.D.; Smyth, M.J. Natural innate and adaptive immunity to cancer. Annu. Rev. Immunol. 2011, 29, 235–271. [Google Scholar] [CrossRef] [PubMed]
- Valiate, B.V.S.; Queiroz-Junior, C.M.; Levi-Schaffer, F.; Galvão, I.; Teixeira, M.M. CD300a contributes to the resolution of articular inflammation triggered by MSU crystals by controlling neutrophil apoptosis. Immunology 2021, 164, 305–317. [Google Scholar] [CrossRef] [PubMed]
- Cirovic, B.; Schönheit, J.; Kowenz-Leutz, E.; Ivanovska, J.; Klement, C.; Pronina, N.; Bégay, V.; Leutz, A. C/EBP-Induced Transdifferentiation Reveals Granulocyte-Macrophage Precursor-like Plasticity of B Cells. Stem Cell Rep. 2017, 8, 346–359. [Google Scholar] [CrossRef]
- Jain, R.K. Normalization of tumor vasculature: An emerging concept in antiangiogenic therapy. Science 2005, 307, 58–62. [Google Scholar] [CrossRef]
- Ghalehbandi, S.; Yuzugulen, J.; Pranjol, Z.I.; Pourgholami, M.H. The role of VEGF in cancer-induced angiogenesis and research progress of drugs targeting VEGF. Eur. J. Pharmacol. 2023, 949, 175586. [Google Scholar] [CrossRef]
- Baluk, P.; Hashizume, H.; McDonald, D.M. Cellular abnormalities of blood vessels as targets in cancer. Curr. Opin. Genet. Dev. 2005, 15, 102–111. [Google Scholar] [CrossRef]
- Etit, D.; Ekinci, N.; Tan, A.; Altinel, D.; Dag, F. An analysis of Salivary Gland Neoplasms: A 12-Year, Single-Institution Experience in Turkey. Ear Nose Throat J. 2012, 91, 125–129. [Google Scholar] [CrossRef]
- Kargahi, N.; Razavi, S.M.; Hasheminia, D.; Keshani, F.; Safaei, M.; Hashemzadeh, Z. Mandibular intraosseous schwannoma in a child: Report of a rare case. Dent. Res. J. 2012, 9 (Suppl. S1), S119–S122. [Google Scholar]
- Torabinia, N.; Khalesi, S. Clinicopathological study of 229 cases of salivary gland tumors in Isfahan population. Dent. Res. J. 2014, 11, 559–563. [Google Scholar]
- Sirohi, D.; Sharma, R.; Sinha, R.; Menon, P.S. Salivary gland neoplasms: An analysis of 74 cases. J. Maxillofac. Oral. Surg. 2009, 8, 164–166. [Google Scholar] [CrossRef] [PubMed]
- Visciano, C.; Prevete, N.; Liotti, F.; Marone, G. Tumor-Associated Mast Cells in Thyroid Cancer. Int. J. Endocrinol. 2015, 705169, 8. [Google Scholar] [CrossRef]
- Dalin, M.G.; Watson, P.A.; Ho, A.L.; Morris, L.G.T. Androgen Receptor Signaling in Salivary Gland Cancer. Cancers 2017, 9, 17. [Google Scholar] [CrossRef]
- Soucek, L.; Whitfield, J.; Martins, C.P.; Finch, A.J.; Murphy, D.J.; Sodir, N.M.; Karnezis, A.N.; Swigart, L.B.; Nasi, S.; Evan, G.I. Modelling Myc inhibition as a cancer therapy. Nature 2008, 455, 679–683. [Google Scholar] [CrossRef]
- Quail, D.F.; Joyce, J.A. Microenvironmental regulation of tumor progression and metastasis. Nat. Med. 2013, 19, 1423–1437. [Google Scholar] [CrossRef]
- Hanahan, D.; Weinberg, R.A. Hallmarks of cancer: The next generation. Cell 2011, 144, 646–674. [Google Scholar] [CrossRef]
- Caughey, G.H. Mast cell tryptases and chymases in inflammation and host defense. Immunol. Rev. 2007, 217, 141–154. [Google Scholar] [CrossRef]
- Vitallé, J.; Terrén, I.; Orrantia, A.; Bilbao, A.; Gamboa, P.M.; Borrego, F.; Zenarruzabeitia, O. The Expression and Function of CD300 Molecules in the Main Players of Allergic Responses: Mast Cells, Basophils and Eosinophils. Int. J. Mol. Sci. 2020, 21, 3173. [Google Scholar] [CrossRef]
- Levi-Schaffer, F.; de Marco, A. Coronavirus disease 2019 and the revival of passive immunization: Antibody therapy for inhibiting severe acute respiratory syndrome coronavirus 2 and preventing host cell infection: IUPHAR review: 31. Br. J. Pharmacol. 2021, 178, 3359–3372. [Google Scholar] [CrossRef]
- Cao, J.; Ren, G.; Gong, Y.; Dong, S.; Yin, Y.; Zhang, L. Bronchial epithelial cells release IL-6, CXCL1 and CXCL8 upon mast cell interaction. Cytokine 2011, 56, 823–831. [Google Scholar] [CrossRef]
- Hsieh, F.H.; Sharma, P.; Gibbons, A.; Goggans, T.; Erzurum, S.C.; Haque, S.J. Human airway epithelial cell determinants of survival and functional phenotype for primary human mast cells. Proc. Natl. Acad. Sci. USA 2005, 102, 14380–14385. [Google Scholar] [CrossRef]
- Yotsumoto, K.; Okoshi, Y.; Shibuya, K.; Yamazaki, S.; Tahara-Hanaoka, S.; Honda, S.-I.; Osawa, M.; Kuroiwa, A.; Matsuda, Y.; Tenen, D.G.; et al. Paired acti-vating and inhibitory immunoglobulin-like receptors, MAIR-I and MAIR-II, regulate mast cell and macrophage activation. J. Exp. Med. 2003, 198, 223–233. [Google Scholar] [CrossRef]







| Marker | Healthy | AP | SCC |
|---|---|---|---|
| CD31 | + | ++++ | + |
| VEGF | ++ | + | + |
| CD163 | + | + | + |
| MCT | + | ++++ | ++ |
| CD300a | ++ | +++ | ++++ |
| CD300a/MCT in the ducts | + | ++++ | + |
| Primary Antibody | Features | IHC | IF |
|---|---|---|---|
| Anti-E-Cadherin (36B5) | PA0387, mouse monoclonal, Leica Biosystems, Sheffield, UK | 1:100 | - |
| Anti-Vimentin | NCL-L-VIM-V9, mouse monoclonal, Leica Biosystems, Sheffield, UK | 1:100 | - |
| Anti-Mast Cell Tryptase | ab2378, mouse monoclonal, abcam, Cambridge, UK | - | 1:100 |
| Anti-CD300a | ab230339, rabbit polyclonal, abcam, Cambridge, UK | - | 1:100 |
| Anti-Mast Cell Tryptase | ab134931, rabbit polyclonal, abcam, Cambridge, UK | - | 1:100 |
| Anti-CK18 | SAB4200855, mouse monoclonal, Sigma-Aldrich, St. Louis, MO, USA | - | 1:100 |
| Anti-CD163 (Clone 10D6) | NCL-L-CD163, mouse monoclonal, Leica Biosystems, Sheffield, UK | - | 1:100 |
| Anti-CD31 | ab182981, rabbit polyclonal, abcam, Cambridge, UK | - | 1:2000 |
| Anti-VEGF | MAB2932, mouse monoclonal, Bio-Techne’s R&D Systems, Minneapolis, MN, USA | - | 1:100 |
Disclaimer/Publisher’s Note: The statements, opinions and data contained in all publications are solely those of the individual author(s) and contributor(s) and not of MDPI and/or the editor(s). MDPI and/or the editor(s) disclaim responsibility for any injury to people or property resulting from any ideas, methods, instructions or products referred to in the content. |
© 2025 by the authors. Licensee MDPI, Basel, Switzerland. This article is an open access article distributed under the terms and conditions of the Creative Commons Attribution (CC BY) license (https://creativecommons.org/licenses/by/4.0/).
Share and Cite
Sausa, M.; Vergilio, G.; Barone, R.; Porcasi, R.; Ofori, P.; Haddad, F.A.; Rappa, F.; Levi-Schaffer, F.; Leone, A. Epithelial-Immune Cell Crosstalk in Salivary Gland Tumors: Implications for Tumor Progression and Diagnostic Assessment. Int. J. Mol. Sci. 2025, 26, 10199. https://doi.org/10.3390/ijms262010199
Sausa M, Vergilio G, Barone R, Porcasi R, Ofori P, Haddad FA, Rappa F, Levi-Schaffer F, Leone A. Epithelial-Immune Cell Crosstalk in Salivary Gland Tumors: Implications for Tumor Progression and Diagnostic Assessment. International Journal of Molecular Sciences. 2025; 26(20):10199. https://doi.org/10.3390/ijms262010199
Chicago/Turabian StyleSausa, Martina, Giuseppe Vergilio, Rosario Barone, Rossana Porcasi, Prince Ofori, Fatima Azhraa Haddad, Francesca Rappa, Francesca Levi-Schaffer, and Angelo Leone. 2025. "Epithelial-Immune Cell Crosstalk in Salivary Gland Tumors: Implications for Tumor Progression and Diagnostic Assessment" International Journal of Molecular Sciences 26, no. 20: 10199. https://doi.org/10.3390/ijms262010199
APA StyleSausa, M., Vergilio, G., Barone, R., Porcasi, R., Ofori, P., Haddad, F. A., Rappa, F., Levi-Schaffer, F., & Leone, A. (2025). Epithelial-Immune Cell Crosstalk in Salivary Gland Tumors: Implications for Tumor Progression and Diagnostic Assessment. International Journal of Molecular Sciences, 26(20), 10199. https://doi.org/10.3390/ijms262010199

