Alr Gene in Brucella suis S2: Its Role in Lipopolysaccharide Biosynthesis and Bacterial Virulence in RAW264.7
Abstract
1. Introduction
2. Results
2.1. Construction of B. suis Deleted of the alr Gene and a Complemented Strain
2.2. Growth Characteristics of B. suis S2 Deleted of the alr Gene
2.3. LPS Characteristics of B. suis S2 Deleted of the alr Gene
2.4. Deletion of alr Affects LPS Synthesis Genes in B. suis S2
2.5. Deletion of alr in B. suis Affects Cytotoxicity in Macrophages
2.6. The ∆alr Strain Increases the Levels of Apoptosis in RAW264.7 Macrophages
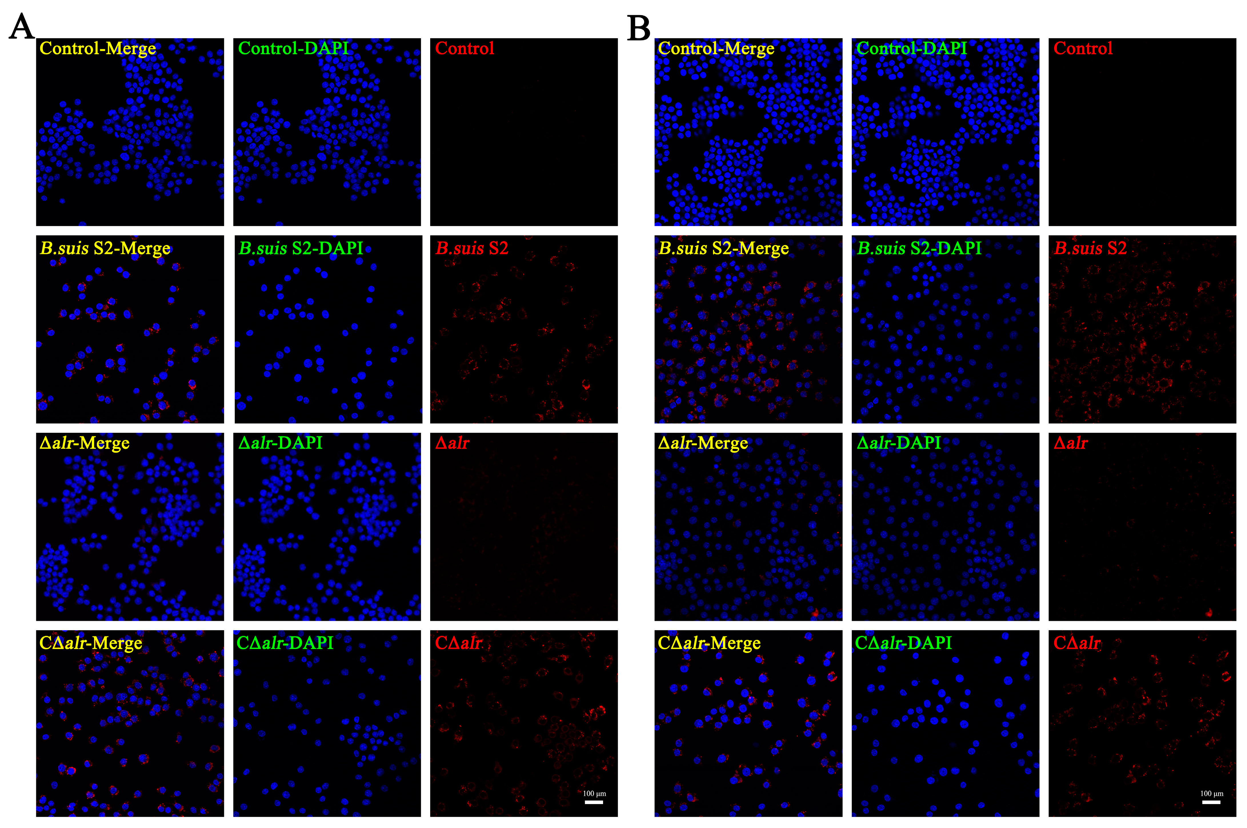
2.7. The Effects of alr Deletion on Intracellular Proliferation by B. suis S2
2.8. Mutant Strain ∆alr Depolarization of Mitochondrial Membrane Potential in RAW264.7 Macrophages
2.9. Mutant Strain ∆alr Induces Accumulation of Reactive Oxygen Species in RAW264.7 Cells
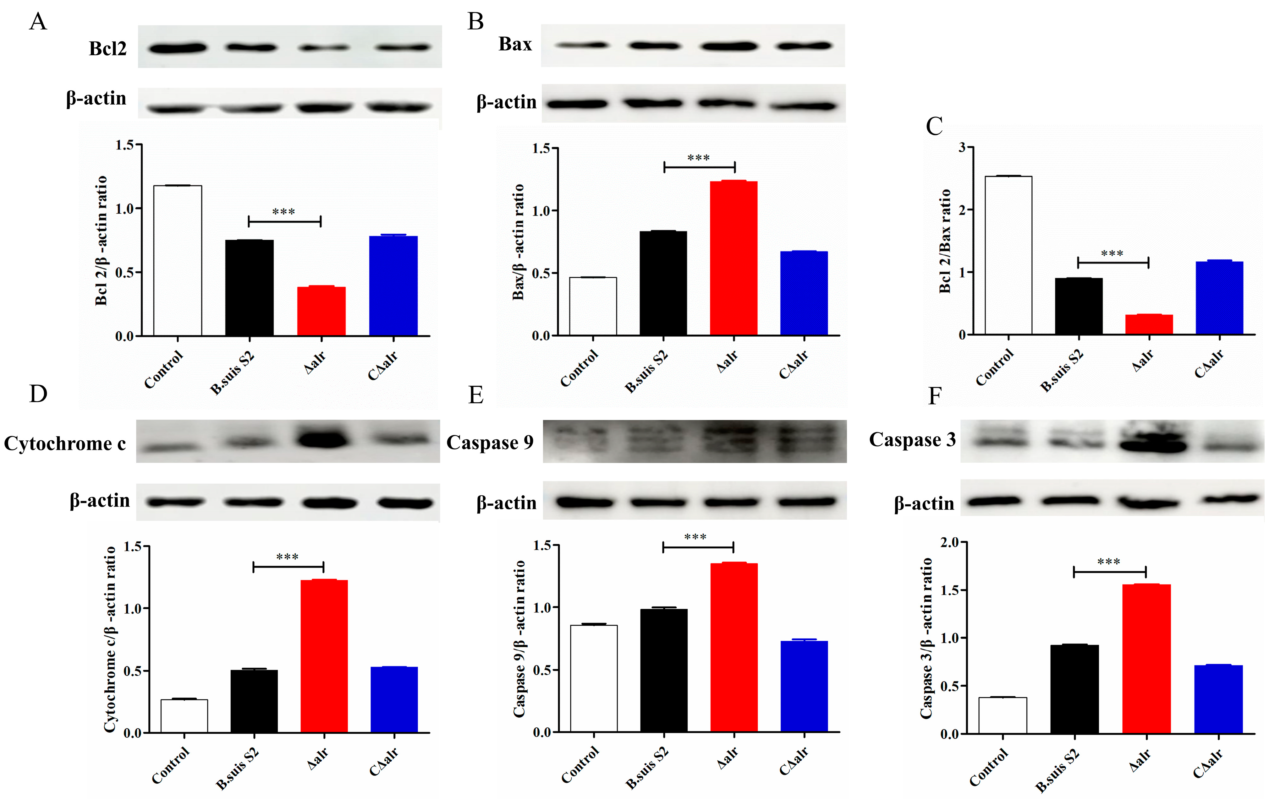
2.10. Effect of Deletion of ∆alr on Expression of Apoptotic Proteins in RAW264.7 Cells
3. Discussion
4. Materials and Methods
4.1. Biosafety Statement
4.2. Bacterial Strains
4.3. Construction of the B. suis ∆alr Deletion and Complemented Strains
4.4. Bacterial Aggregation Assay
4.5. Acriflavine Agglutination Test
4.6. Lipopolysaccharide (LPS) Extraction and Silver Staining
4.7. Macrophage Cell Infection Assay
4.8. Enumeration of B. suis in Infected RAW264.7 Cells
4.9. Immunofluorescence Assay
4.10. Lactate Dehydrogenase Assay
4.11. Flow Cytometry Analysis
4.12. Measurement of Reactive Oxygen Species Formation
4.13. Determining the Mitochondrial Membrane Potential Change in RAW264.7 Cells
4.14. Quantitative Real-Time PCR
4.15. Western Blot Analysis
4.16. Statistical Analysis
Supplementary Materials
Author Contributions
Funding
Institutional Review Board Statement
Informed Consent Statement
Data Availability Statement
Acknowledgments
Conflicts of Interest
References
- Zhang, J.; Li, M.; Li, Z.; Shi, J.; Zhang, Y.; Deng, X.; Liu, L.; Wang, Z.; Qi, Y.; Zhang, H. Deletion of the Type IV Secretion System Effector VceA Promotes Autophagy and Inhibits Apoptosis in Brucella-Infected Human Trophoblast Cells. Curr. Microbiol. 2019, 76, 510–519. [Google Scholar] [CrossRef]
- Li, J.; Qi, L.; Diao, Z.; Zhang, M.; Li, B.; Zhai, Y.; Hao, M.; Zhou, D.; Liu, W.; Jin, Y.; et al. Brucella BtpB Manipulates Apoptosis and Autophagic Flux in RAW264.7 Cells. Int. J. Mol. Sci. 2022, 23, 14439. [Google Scholar] [CrossRef] [PubMed]
- Zhang, G.; Zhong, F.; Chen, L.; Qin, P.; Li, J.; Zhi, F.; Tian, L.; Zhou, D.; Lin, P.; Chen, H.; et al. Integrated Proteomic and Transcriptomic Analyses Reveal the Roles of Brucella Homolog of BAX Inhibitor 1 in Cell Division and Membrane Homeostasis of Brucella suis S2. Front. Microbiol. 2021, 12, 632095. [Google Scholar] [CrossRef] [PubMed]
- Oliveira, S.C. Host Immune Responses and Pathogenesis to Brucella spp. Infection. Pathogens 2021, 10, 288. [Google Scholar] [CrossRef]
- Zhang, S.; Zhao, X.; Hao, J.; Zhu, Y.; Liu, J. The role of ATF6 in Cr(VI)-induced apoptosis in DF-1 cells. J. Hazard. Mater. 2020, 410, 124607. [Google Scholar] [CrossRef]
- Li, P.; Tian, M.; Bao, Y.; Hu, H.; Liu, J.; Yin, Y.; Ding, C.; Wang, S.; Yu, S. Brucella Rough Mutant Induce Macrophage Death via Activating IRE1α Pathway of Endoplasmic Reticulum Stress by Enhanced T4SS Secretion. Front. Cell. Infect. Microbiol. 2017, 7, 422. [Google Scholar] [CrossRef] [PubMed]
- de Chiara, C.; Homšak, M. D-Cycloserine destruction by alanine racemase and the limit of irreversible inhibition. Nat. Chem. Biol. 2020, 16, 686–694. [Google Scholar] [CrossRef] [PubMed]
- Azam, M.A.; Jayaram, U. Inhibitors of alanine racemase enzyme: A review. J. Enzym. Inhib. Med. Chem. 2016, 31, 517–526. [Google Scholar] [CrossRef]
- Strych, U.; Benedik, M.J. Mutant analysis shows that alanine racemases from Pseudomonas aeruginosa and Escherichia coli are dimeric. J. Bacteriol. 2002, 184, 4321–4325. [Google Scholar] [CrossRef]
- Strych, U.; Huang, H.C.; Krause, K.L.; Benedik, M.J. Characterization of the alanine racemases from Pseudomonas aeruginosa PAO1. Curr. Microbiol. 2000, 41, 290–294. [Google Scholar] [CrossRef]
- Dong, H.; Hu, T.; He, G.; Lu, D.; Qi, J.; Dou, Y.; Long, W.; He, X.; Ju, J.; Su, D. Structural features and kinetic characterization of alanine racemase from Bacillus pseudofirmus OF4. Biochem. Biophys. Res. Commun. 2018, 497, 139–145. [Google Scholar] [CrossRef]
- Dodds, D.; Bose, J.L. Controlling the Growth of the Skin Commensal Staphylococcus epidermidis Using d-Alanine Auxotrophy. mSphere 2020, 5, e00360-20. [Google Scholar] [CrossRef] [PubMed]
- Marshall, D.D.; Halouska, S.; Zinniel, D.K.; Fenton, R.J.; Kenealy, K.; Chahal, H.K.; Rathnaiah, G.; Barletta, R.G.; Powers, R. Assessment of Metabolic Changes in Mycobacterium smegmatis Wild-Type and alr Mutant Strains: Evidence of a New Pathway of d-Alanine Biosynthesis. J. Proteome Res. 2017, 16, 1270–1279. [Google Scholar] [CrossRef]
- Shrestha, R.; Lockless, S.W.; Sorg, J.A. A Clostridium difficile alanine racemase affects spore germination and accommodates serine as a substrate. J. Biol. Chem. 2017, 292, 10735–10742. [Google Scholar] [CrossRef]
- Liu, D.; Zhang, T.; Wang, Y.; Muhammad, M.; Xue, W.; Ju, J.; Zhao, B. Knockout of alanine racemase gene attenuates the pathogenicity of Aeromonas hydrophila. BMC Microbiol. 2019, 19, 72. [Google Scholar] [CrossRef]
- Wei, Y.; Qiu, W.; Zhou, X.D.; Zheng, X.; Zhang, K.K.; Wang, S.D.; Li, Y.Q.; Cheng, L.; Li, J.Y.; Xu, X.; et al. Alanine racemase is essential for the growth and interspecies competitiveness of Streptococcus mutans. Int. J. Oral Sci. 2016, 8, 231–238. [Google Scholar] [CrossRef] [PubMed]
- Choi, S.H.; Kim, K.H. Generation of two auxotrophic genes knock-out Edwardsiella tarda and assessment of its potential as a combined vaccine in olive flounder (Paralichthys olivaceus). Fish Shellfish Immunol. 2011, 31, 58–65. [Google Scholar] [CrossRef] [PubMed]
- Kubler-Kielb, J.; Vinogradov, E. The study of the core part and non-repeating elements of the O-antigen of Brucella lipopolysaccharide. Carbohydr. Res. 2013, 366, 33–37. [Google Scholar] [CrossRef]
- Gil-Ramírez, Y.; Conde-Álvarez, R.; Palacios-Chaves, L.; Zúñiga-Ripa, A.; Grilló, M.J.; Arce-Gorvel, V.; Hanniffy, S.; Moriyón, I.; Iriarte, M. The identification of wadB, a new glycosyltransferase gene, confirms the branched structure and the role in virulence of the lipopolysaccharide core of Brucella abortus. Microb. Pathog. 2014, 73, 53–59. [Google Scholar] [CrossRef]
- Moriyón, I.; Grilló, M.J.; Monreal, D.; González, D.; Marín, C.; López-Goñi, I.; Mainar-Jaime, R.C.; Moreno, E.; Blasco, J.M. Rough vaccines in animal brucellosis: Structural and genetic basis and present status. Vet. Res. 2004, 35, 1–38. [Google Scholar] [CrossRef]
- González, D.; Grilló, M.J.; De Miguel, M.J.; Ali, T.; Arce-Gorvel, V.; Delrue, R.M.; Conde-Alvarez, R.; Muñoz, P.; López-Goñi, I.; Iriarte, M.; et al. Brucellosis vaccines: Assessment of Brucella melitensis lipopolysaccharide rough mutants defective in core and O-polysaccharide synthesis and export. PLoS ONE 2008, 3, e2760. [Google Scholar] [CrossRef]
- Mancilla, M.; López-Goñi, I.; Moriyón, I.; Zárraga, A.M. Genomic island 2 is an unstable genetic element contributing to Brucella lipopolysaccharide spontaneous smooth-to-rough dissociation. J. Bacteriol. 2010, 192, 6346–6351. [Google Scholar] [CrossRef]
- Zygmunt, M.S.; Blasco, J.M.; Letesson, J.J.; Cloeckaert, A.; Moriyón, I. DNA polymorphism analysis of Brucella lipopolysaccharide genes reveals marked differences in O-polysaccharide biosynthetic genes between smooth and rough Brucella species and novel species-specific markers. BMC Microbiol. 2009, 9, 92. [Google Scholar] [CrossRef] [PubMed]
- Cloeckaert, A.; Grayon, M.; Verger, J.M.; Letesson, J.J.; Godfroid, F. Conservation of seven genes involved in the biosynthesis of the lipopolysaccharide O-side chain in Brucella spp. Res. Microbiol. 2000, 151, 209–216. [Google Scholar] [CrossRef] [PubMed]
- Wang, G.; Hao, M.; Liu, Q.; Jiang, Y.; Huang, H.; Yang, G.; Wang, C. Protective effect of recombinant Lactobacillus plantarum against H2O2-induced oxidative stress in HUVEC cells. J. Zhejiang Univ. Sci. B 2021, 22, 348–365. [Google Scholar] [CrossRef] [PubMed]
- Chacon, O.; Feng, Z.; Harris, N.B.; Cáceres, N.E.; Adams, L.G.; Barletta, R.G. Mycobacterium smegmatis D-Alanine Racemase Mutants Are Not Dependent on D-Alanine for Growth. Antimicrob. Agents Chemother. 2002, 46, 47–54. [Google Scholar] [CrossRef] [PubMed]
- Im, H.; Sharpe, M.L.; Strych, U.; Davlieva, M.; Krause, K.L. The crystal structure of alanine racemase from Streptococcus pneumoniae, a target for structure-based drug design. BMC Microbiol. 2011, 11, 116. [Google Scholar] [CrossRef] [PubMed]
- Wartha, F.; Beiter, K.; Albiger, B.; Fernebro, J.; Zychlinsky, A.; Normark, S.; Henriques-Normark, B. Capsule and D-alanylated lipoteichoic acids protect Streptococcus pneumoniae against neutrophil extracellular traps. Cell. Microbiol. 2007, 9, 1162–1171. [Google Scholar] [CrossRef]
- He, W.; Li, C.; Lu, C.D. Regulation and characterization of the dadRAX locus for D-amino acid catabolism in Pseudomonas aeruginosa PAO1. J. Bacteriol. 2011, 193, 2107–2115. [Google Scholar] [CrossRef]
- Rojas, N.; Freer, E.; Weintraub, A.; Ramirez, M.; Lind, S.; Moreno, E. Immunochemical identification of Brucella abortus lipopolysaccharide epitopes. Clin. Diagn. Lab. Immunol. 1994, 1, 206–213. [Google Scholar] [CrossRef]
- Mancilla, M.; Marín, C.M.; Blasco, J.M.; Zárraga, A.M.; López-Goñi, I.; Moriyón, I. Spontaneous excision of the O-polysaccharide wbkA glycosyltranferase gene is a cause of dissociation of smooth to rough Brucella colonies. J. Bacteriol. 2012, 194, 1860–1867. [Google Scholar] [CrossRef]
- Ugalde, J.E.; Czibener, C.; Feldman, M.F.; Ugalde, R.A. Identification and characterization of the Brucella abortus phosphoglucomutase gene: Role of lipopolysaccharide in virulence and intracellular multiplication. Infect. Immun. 2000, 68, 5716–5723. [Google Scholar] [CrossRef]
- Briones, G.; Iñón de Iannino, N.; Roset, M.; Vigliocco, A.; Paulo, P.S.; Ugalde, R.A. Brucella abortus cyclic beta-1,2-glucan mutants have reduced virulence in mice and are defective in intracellular replication in HeLa cells. Infect. Immun. 2001, 69, 4528–4535. [Google Scholar] [CrossRef] [PubMed]
- Iñón de Iannino, N.; Briones, G.; Tolmasky, M.; Ugalde, R.A. Molecular cloning and characterization of cgs, the Brucella abortus cyclic beta(1–2) glucan synthetase gene: Genetic complementation of Rhizobium meliloti ndvB and Agrobacterium tumefaciens chvB mutants. J. Bacteriol. 1998, 180, 4392–4400. [Google Scholar] [CrossRef] [PubMed]
- Bryant, C.E.; Spring, D.R.; Gangloff, M.; Gay, N.J. The molecular basis of the host response to lipopolysaccharide. Nat. Rev. Microbiol. 2010, 8, 8–14. [Google Scholar] [CrossRef] [PubMed]
- Godessart, P.; Lannoy, A.; Dieu, M.; Van der Verren, S.E. β-Barrels covalently link peptidoglycan and the outer membrane in the α-proteobacterium Brucella abortus. Nat. Microbiol. 2021, 6, 27–33. [Google Scholar] [CrossRef]
- Fernandez-Prada, C.M.; Zelazowska, E.B.; Nikolich, M.; Hadfield, T.L.; Roop, R.M., 2nd; Robertson, G.L.; Hoover, D.L. Interactions between Brucella melitensis and human phagocytes: Bacterial surface O-Polysaccharide inhibits phagocytosis, bacterial killing, and subsequent host cell apoptosis. Infect. Immun. 2003, 71, 2110–2119. [Google Scholar] [CrossRef]
- Conde-Álvarez, R.; Arce-Gorvel, V.; Iriarte, M.; Manček-Keber, M.; Barquero-Calvo, E.; Palacios-Chaves, L.; Chacón-Díaz, C.; Chaves-Olarte, E.; Martirosyan, A.; von Bargen, K.; et al. The lipopolysaccharide core of Brucella abortus acts as a shield against innate immunity recognition. PLoS Pathog. 2012, 8, e1002675. [Google Scholar] [CrossRef]
- Pei, J.; Kahl-McDonagh, M.; Ficht, T.A. Brucella dissociation is essential for macrophage egress and bacterial dissemination. Front. Cell. Infect. Microbiol. 2014, 4, 23. [Google Scholar] [CrossRef]
- McQuiston, J.R.; Schurig, G.G.; Sriranganathan, N.; Boyle, S.M. Transformation of Brucella species with suicide and broad host-range plasmids. Methods Mol. Biol. 1995, 47, 143–148. [Google Scholar]
- Liu, Q.; Hu, M.; Yeo, W.S.; He, L.; Li, T.; Zhu, Y.; Meng, H.; Wang, Y.; Lee, H.; Liu, X. Rewiring of the FtsH regulatory network by a single nucleotide change in saeS of Staphylococcus aureus. Sci. Rep. 2017, 7, 8456. [Google Scholar] [CrossRef] [PubMed]








| Primers | Sequence (5′-3′) | Sequence (5’-3′) |
|---|---|---|
| alr-UP-F/R | TGCGTTACGAGTTCCGCTAATCCTG | CAAGAACTCTGTAGCACCGCACACCCAACGCTTTCCGGGCT |
| alr-DW-F/R | CATTTCCCCGAAAAGTGCCACCTG/ CCACGAGAGGCGTATATGCAG | CTTCACGCCCAGCCCTTCGGCAATC |
| KanR-F/R | AGCCCGGAAAGCGTTGGGTGT/ GCGGTGCTACAGAGTTCTTG | CTGCATATACGCCTCTCGTGGCAGGTGGCACTTTTCGGGGAAATG |
| alr-JDTF/R | TACGACACCTGGAAGACATC | AAGCCGTTTCTGTAATGAAG |
| alr-qF/R | GCGCTGAAGCCCTTTTTGAA | CGAGACATGCCGGTATCGAA |
| alr-F/R | TTTTATCAGGCTCTGGGAGGGAATAATCTTCACGGTTGAAGTTAA | TGGCACCAGCACAACAGCAGATTACAAGGACGACGATGACAAGTAACGCGGAACCCCTATTTGTTT |
| B. suis 16s-F/R | TATCTAATCCTGTTTGCTCCCC | TGAGTATGGTAGAGGTGAGTGG |
Disclaimer/Publisher’s Note: The statements, opinions and data contained in all publications are solely those of the individual author(s) and contributor(s) and not of MDPI and/or the editor(s). MDPI and/or the editor(s) disclaim responsibility for any injury to people or property resulting from any ideas, methods, instructions or products referred to in the content. |
© 2023 by the authors. Licensee MDPI, Basel, Switzerland. This article is an open access article distributed under the terms and conditions of the Creative Commons Attribution (CC BY) license (https://creativecommons.org/licenses/by/4.0/).
Share and Cite
Hao, M.; Wang, M.; Zhao, D.; Shi, Y.; Yuan, Y.; Li, J.; Zhai, Y.; Liu, X.; Zhou, D.; Chen, H.; et al. Alr Gene in Brucella suis S2: Its Role in Lipopolysaccharide Biosynthesis and Bacterial Virulence in RAW264.7. Int. J. Mol. Sci. 2023, 24, 10744. https://doi.org/10.3390/ijms241310744
Hao M, Wang M, Zhao D, Shi Y, Yuan Y, Li J, Zhai Y, Liu X, Zhou D, Chen H, et al. Alr Gene in Brucella suis S2: Its Role in Lipopolysaccharide Biosynthesis and Bacterial Virulence in RAW264.7. International Journal of Molecular Sciences. 2023; 24(13):10744. https://doi.org/10.3390/ijms241310744
Chicago/Turabian StyleHao, Mingyue, Minghui Wang, Danyu Zhao, Yong Shi, Ye Yuan, Junmei Li, Yunyi Zhai, Xiaofang Liu, Dong Zhou, Huatao Chen, and et al. 2023. "Alr Gene in Brucella suis S2: Its Role in Lipopolysaccharide Biosynthesis and Bacterial Virulence in RAW264.7" International Journal of Molecular Sciences 24, no. 13: 10744. https://doi.org/10.3390/ijms241310744
APA StyleHao, M., Wang, M., Zhao, D., Shi, Y., Yuan, Y., Li, J., Zhai, Y., Liu, X., Zhou, D., Chen, H., Lin, P., Tang, K., Liu, W., Jin, Y., & Wang, A. (2023). Alr Gene in Brucella suis S2: Its Role in Lipopolysaccharide Biosynthesis and Bacterial Virulence in RAW264.7. International Journal of Molecular Sciences, 24(13), 10744. https://doi.org/10.3390/ijms241310744

