A Novel Based-Network Strategy to Identify Phytochemicals from Radix Salviae Miltiorrhizae (Danshen) for Treating Alzheimer’s Disease
Abstract
:1. Introduction
2. Results and Discussion
2.1. Target Identification and Validation
2.2. Network Construction and Analysis
2.3. Anti-AD Effect Analysis of Danshen Component
2.3.1. Score Ranking
2.3.2. CMap Validation
2.3.3. Anti-AD Drug Candidates from Danshen
2.4. Experimental Evaluation of Neuroprotective Effects
2.4.1. SMP Protects against H2O2-Treated PC12 Cells
2.4.2. SMP Increased Ach Levels in H2O2-Stimulated PC12 Cells
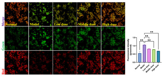
2.4.3. SMP Suppresses Apoptosis in H2O2-stimulated PC12 Cells
2.4.4. SMP Reduced the H2O2-Stimulated Reactive Oxygen Species (ROS) Generation in PC12 Cells
2.4.5. SMP Ameliorated H2O2-Induced Oxidative Stress in PC12 Cells
2.4.6. Effects of M308 and SMP on mRNA Expressions of PSEN1, DRD2, and APP in H2O2-Stimulated PC12 Cells
3. Materials and Methods
3.1. Data Mining
3.1.1. AD-Associated Genes Screening
3.1.2. Danshen Compounds Absorbed in Plasma and Their Putative Targets
3.2. In Silico Target Validation by Molecular Docking
3.2.1. Intersectional Analysis
3.2.2. Molecular Docking
3.3. Construction of AD Network Treated by Danshen
3.3.1. Construction of AD Background Network
3.3.2. Extraction of the Danshen-Treated Subnetwork
3.3.3. Function Enrichment Analysis
3.4. Anti-AD Effect Ranking of Active Ingredient
3.4.1. Network Scoring of Anti-AD Effects of Compounds
3.4.2. Z-Score
3.4.3. FDA-Approved Anti-AD Drugs
3.5. Network Scores Validated by CMap Analysis
3.5.1. Differentially Expressed Genes
3.5.2. Connectivity Map
3.6. Experimental Validation
3.6.1. Materials and Chemicals
3.6.2. Animals
3.6.3. Cell Culture and Treatment
3.6.4. Determination of Cell Viability
3.6.5. Determination of ACh Levels in PC12 Cells
3.6.6. Apoptosis Assay by Dual AO/EB Staining
3.6.7. Assessment of Mitochondrial Membrane Potential
3.6.8. Determination of Intracellular ROS Accumulation in PC12 Cells
3.6.9. Determination of MDA, SOD, GSH-Px, and CAT in H2O2-Induced PC12 Cells
3.6.10. UPLC-Q-TOF/MS Analysis
3.6.11. RT-qPCR Assay
3.7. Statistical Analysis
Supplementary Materials
Author Contributions
Funding
Institutional Review Board Statement
Informed Consent Statement
Data Availability Statement
Conflicts of Interest
Sample Availability
References
- Lynch, C. World Alzheimer Report 2019: Attitudes to Dementia; Alzheimer’s Disease International: London, UK, 2019. [Google Scholar]
- Korecka, M.; Shaw, L.M. Mass spectrometry-based methods for robust measurement of Alzheimer’s disease biomarkers in biological fluids. J. Neurochem. 2021, 159, 211–233. [Google Scholar] [CrossRef] [PubMed]
- Caccamo, A.; Branca, C.; Piras, I.S.; Ferreira, E.; Huentelman, M.J.; Liang, W.S.; Readhead, B.; Dudley, J.T.; Spangenberg, E.E.; Green, K.N.; et al. Necroptosis activation in Alzheimer’s disease. Nat. Neurosci. 2017, 20, 1236–1246. [Google Scholar] [CrossRef]
- Thal, D.R.; von Arnim, C.; Griffin, W.S.T.; Yamaguchi, H.; Mrak, R.E.; Attems, J.; Rijal Upadhaya, A. Pathology of clinical and preclinical Alzheimer’s disease. Eur. Arch. Psychiatry Clin. Neurosci. 2013, 263, 137–145. [Google Scholar] [CrossRef] [PubMed]
- Liang, Z.M.; Li, X.; Luo, X.T.; Luo, H.J.; Chen, Y.J.; Cai, M.L.; Zhong, X.X.; Fang, Y.Y.; Guo, T.; Shi, Y.S.; et al. The Aptamer Ob2, a novel AChE inhibitor, restores cognitive deficits and alleviates amyloidogenesis in 5xFAD transgenic mice. Mol. Ther.-Nucleic Acids 2022, 28, 114–123. [Google Scholar] [CrossRef]
- Dou, K.X.; Tan, M.S.; Tan, C.C.; Cao, X.P.; Hou, X.H.; Guo, Q.H.; Tan, L.; Mok, V.; Yu, J.T. Comparative safety and effec-tiveness of cholinesterase inhibitors and memantine for Alzheimer’s disease: A network meta-analysis of 41 randomized controlled trials. Alzheimer’s Res. Ther. 2018, 10, 126. [Google Scholar] [CrossRef] [PubMed] [Green Version]
- Walsh, S.; Merrick, R.; Milne, R.; Brayne, C. Aducanumab for Alzheimer’s disease? BMJ 2021, 374, n1682. [Google Scholar] [CrossRef] [PubMed]
- Fu, L.M.; Li, J.T. A systematic review of single chinese herbs for Alzheimer’s disease treatment. Evid.-Based Complement. Alternat. Med. 2011, 2011, 640284. [Google Scholar] [CrossRef] [Green Version]
- Ma, H.K.; Liu, Y.; Li, B.; Zhang, Y.; Sun, L.J.; Xu, F.Q. Chinese Medicine for Alzheimer’s Disease: A Meta-Analysis of Ran-domized Controlled Trials. Chin. J. Integr. Med. 2018, 24, 938–943. [Google Scholar] [CrossRef]
- Wang, Z.Y.; Liu, J.G.; Li, H.; Yang, H.M. Pharmacological Effects of Active Components of Chinese Herbal Medicine in the Treatment of Alzheimer’s Disease: A Review. Am. J. Chin. Med. 2016, 44, 1525–1541. [Google Scholar] [CrossRef]
- Kim, H.G.; Oh, M.S. Herbal medicines for the prevention and treatment of Alzheimer’s disease. Curr. Pharm. Des. 2012, 18, 57–75. [Google Scholar]
- Pan, W.; Wang, Q.; Kwak, S.; Song, Y.; Qin, B.; Wang, M.; Yamamoto, Y. Shen-zhi-ling oral liquid improves behavioral and psychological symptoms of dementia in Alzheimer’s disease. Evid.-Based Complement. Alternat. Med. 2014, 2014, 913687. [Google Scholar] [CrossRef] [PubMed]
- Li, S.; Wu, Z.; Le, W. Traditional Chinese medicine for dementia. Alzheimer’s Dement. 2021, 17, 1066–1071. [Google Scholar] [CrossRef] [PubMed]
- Yuen, C.W.; Murugaiyah, V.; Najimudin, N.; Azzam, G. Danshen (Salvia miltiorrhiza) water extract shows potential neuro-protective effects in Caenorhabditis elegans. J. Ethnopharmacol. 2021, 266, 113418. [Google Scholar] [CrossRef] [PubMed]
- Zhang, M.; Liu, Y.; Liu, M.; Liu, B.; Li, N.; Dong, X.; Hong, Z.; Chai, Y. UHPLC-QTOF/MS-based metabolomics investigation for the protective mechanism of Danshen in Alzheimer’s disease cell model induced by Abeta1-42. Metabolomics 2019, 15, 13. [Google Scholar] [CrossRef]
- Zhang, X.Z.; Qian, S.S.; Zhang, Y.J.; Wang, R.Q. Salvia miltiorrhiza: A source for anti-Alzheimer’s disease drugs. Pharm. Biol. 2016, 54, 18–24. [Google Scholar] [CrossRef] [PubMed] [Green Version]
- Javed, S.; Tariq, A.; Ahmed, T.; Budzynska, B.; Tejada, S.; Daglia, M.; Nabavi, S.F.; Sobarzo-Sanchez, E.; Nabavi, S.M. Tanshinones and mental diseases: From chemistry to medicine. Rev. Neurosci. 2016, 27, 777–791. [Google Scholar] [CrossRef] [PubMed]
- Zhao, J.; Lv, C.; Wu, Q.; Zeng, H.; Guo, X.; Yang, J.; Tian, S.; Zhang, W. Computational systems pharmacology reveals an antiplatelet and neuroprotective mechanism of Deng-Zhan-Xi-Xin injection in the treatment of ischemic stroke. Pharmacol. Res. 2019, 147, 104365. [Google Scholar] [CrossRef]
- Zhou, W.; Lai, X.; Wang, X.; Yao, X.; Wang, W.; Li, S. Network pharmacology to explore the anti-inflammatory mechanism of Xuebijing in the treatment of sepsis. Phytomedicine 2021, 85, 153543. [Google Scholar] [CrossRef]
- Fang, H.; Wang, Y.; Yang, T.; Ga, Y.; Zhang, Y.; Liu, R.; Zhang, W.; Zhao, J. Bioinformatics analysis for the antirheumatic effects of huang-lian-jie-du-tang from a network perspective. Evid.-Based Complement. Alternat. Med. 2013, 2013, 245357. [Google Scholar] [CrossRef]
- Jarrell, J.T.; Gao, L.; Cohen, D.S.; Huang, X. Network Medicine for Alzheimer’s Disease and Traditional Chinese Medicine. Molecules 2018, 23, 1143. [Google Scholar] [CrossRef] [Green Version]
- Li, S. Exploring traditional chinese medicine by a novel therapeutic concept of network target. Chin. J. Integr. Med. 2016, 22, 647–652. [Google Scholar] [CrossRef] [PubMed]
- Lamb, J.; Crawford, E.D.; Peck, D.; Modell, J.W.; Blat, I.C.; Wrobel, M.J.; Lerner, J.; Brunet, J.P.; Subramanian, A.; Ross, K.N.; et al. The Connectivity Map: Using gene-expression signatures to connect small molecules, genes, and disease. Science 2006, 313, 1929–1935. [Google Scholar] [CrossRef] [PubMed] [Green Version]
- Subramanian, A.; Narayan, R.; Corsello, S.M.; Peck, D.D.; Natoli, T.E.; Lu, X.; Gould, J.; Davis, J.F.; Tubelli, A.A.; Asiedu, J.K.; et al. A Next Generation Connectivity Map: L1000 Platform and the First 1,000,000 Profiles. Cell 2017, 171, 1437–1452.e17. [Google Scholar] [CrossRef] [PubMed]
- Jiang, H.; Hu, C.; Chen, M. The Advantages of Connectivity Map Applied in Traditional Chinese Medicine. Front. Pharmacol. 2021, 12, 474267. [Google Scholar] [CrossRef] [PubMed]
- Yoo, M.; Shin, J.; Kim, H.; Kim, J.; Kang, J.; Tan, A.C. Exploring the molecular mechanisms of Traditional Chinese Medicine components using gene expression signatures and connectivity map. Comput. Methods Programs Biomed. 2019, 174, 33–40. [Google Scholar] [CrossRef]
- Nguyen, D.T.; Mathias, S.; Bologa, C.; Brunak, S.; Fernandez, N.; Gaulton, A.; Hersey, A.; Holmes, J.; Jensen, L.J.; Karlsson, A.; et al. Pharos: Collating protein information to shed light on the druggable genome. Nucleic Acids Res. 2017, 45, D995–D1002. [Google Scholar] [CrossRef] [Green Version]
- Santos, R.; Ursu, O.; Gaulton, A.; Bento, A.P.; Donadi, R.S.; Bologa, C.G.; Karlsson, A.; Al-Lazikani, B.; Hersey, A.; Oprea, T.I.; et al. A comprehensive map of molecular drug targets. Nat. Rev. Drug Discov. 2017, 16, 19–34. [Google Scholar] [CrossRef]
- Hauser, A.S.; Attwood, M.M.; Rask-Andersen, M.; Schioth, H.B.; Gloriam, D.E. Trends in GPCR drug discovery: New agents, targets and indications. Nat. Rev. Drug Discov. 2017, 16, 829–842. [Google Scholar] [CrossRef]
- Wang, Y.; Zhang, S.; Li, F.; Zhou, Y.; Zhang, Y.; Wang, Z.; Zhang, R.; Zhu, J.; Ren, Y.; Tan, Y.; et al. Therapeutic target database 2020: Enriched resource for facilitating research and early development of targeted therapeutics. Nucleic Acids Res. 2020, 48, D1031–D1041. [Google Scholar] [CrossRef] [Green Version]
- Rogers, S.L.; Doody, R.S.; Pratt, R.D.; Ieni, J.R. Long-term efficacy and safety of donepezil in the treatment of Alzheimer’s disease: Final analysis of a US multicentre open-label study. Eur. Neuropsychopharmacol. 2000, 10, 195–203. [Google Scholar] [CrossRef]
- Flynn, B.L.; Ranno, A.E. Pharmacologic management of Alzheimer disease, Part II: Antioxidants, antihypertensives, and ergoloid derivatives. Ann. Pharmacother. 1999, 33, 188–197. [Google Scholar] [CrossRef] [PubMed]
- Mancini, M.; Ghiglieri, V.; Bagetta, V.; Pendolino, V.; Vannelli, A.; Cacace, F.; Mineo, D.; Calabresi, P.; Picconi, B. Memantine alters striatal plasticity inducing a shift of synaptic responses toward long-term depression. Neuropharmacology 2016, 101, 341–350. [Google Scholar] [CrossRef] [PubMed]
- Zhao, J.; Liu, X.Y.; Xia, W.M.; Zhang, Y.K.; Wang, C.Y. Targeting Amyloidogenic Processing of APP in Alzheimer’s Disease. Front. Mol. Neurosci. 2020, 13, 137. [Google Scholar] [CrossRef] [PubMed]
- Fraering, P.C.; Ye, W.; Strub, J.M.; Dolios, G.; LaVoie, M.J.; Ostaszewski, B.L.; van Dorsselaer, A.; Wang, R.; Selkoe, D.J.; Wolfe, M.S. Purification and characterization of the human gamma-secretase complex. Biochemistry 2004, 43, 9774–9789. [Google Scholar] [CrossRef] [PubMed]
- Toiber, D.; Berson, A.; Greenberg, D.; Melamed-Book, N.; Diamant, S.; Soreq, H. N-acetylcholinesterase-induced apoptosis in Alzheimer’s disease. PLoS ONE 2008, 3, e3108. [Google Scholar] [CrossRef]
- Tong, B.C.; Wu, A.J.; Li, M.; Cheung, K.H. Calcium signaling in Alzheimer’s disease & therapies. Biochim. Biophys. Acta Mol. Cell Res. 2018, 1865 Pt B, 1745–1760. [Google Scholar]
- Soto-Rojas, L.O.; Pacheco-Herrero, M.; Martinez-Gomez, P.A.; Campa-Cordoba, B.B.; Apatiga-Perez, R.; Villegas-Rojas, M.M.; Harrington, C.R.; de la Cruz, F.; Garces-Ramirez, L.; Luna-Munoz, J. The Neurovascular Unit Dysfunction in Alzheimer’s Disease. Int. J. Mol. Sci. 2021, 22, 2022. [Google Scholar] [CrossRef]
- Kapoor, A.; Nation, D.A. Role of Notch signaling in neurovascular aging and Alzheimer’s disease. Semin. Cell Dev. Biol. 2021, 116, 90–97. [Google Scholar]
- Cao, Y.Y.; Wang, L.; Ge, H.; Lu, X.L.; Pei, Z.; Gu, Q.; Xu, J. Salvianolic acid A, a polyphenolic derivative from Salvia milti-orrhiza bunge, as a multifunctional agent for the treatment of Alzheimer’s disease. Mol. Divers. 2013, 17, 515–524. [Google Scholar] [CrossRef]
- Liu, J.G.; Ren, Z.M.; Guo, Q.; Wang, B.H. Node importance ranking of complex networks. Acta Phys. Sin.-Chin. Ed. 2013, 62, 178901. [Google Scholar]
- Chong, C.M.; Su, H.; Lu, J.J.; Wang, Y. The effects of bioactive components from the rhizome of Salvia miltiorrhiza (Danshen) on the characteristics of Alzheimer’s disease. Chin. Med. 2019, 14, 19. [Google Scholar] [CrossRef] [PubMed] [Green Version]
- Daina, A.; Michielin, O.; Zoete, V. SwissADME: A free web tool to evaluate pharmacokinetics, drug-likeness and medicinal chemistry friendliness of small molecules. Sci. Rep. 2017, 7, 42717. [Google Scholar] [CrossRef] [PubMed] [Green Version]
- Daina, A.; Zoete, V. A BOILED-Egg to Predict Gastrointestinal Absorption and Brain Penetration of Small Molecules. ChemMedChem 2016, 11, 1117–1121. [Google Scholar] [CrossRef] [PubMed] [Green Version]
- Zhao, X.; Zeng, Z.; Gaur, U.; Fang, J.; Peng, T.; Li, S.; Zheng, W. Metformin protects PC12 cells and hippocampal neurons from H2O2-induced oxidative damage through activation of AMPK pathway. J. Cell. Physiol. 2019, 234, 16619–16629. [Google Scholar] [CrossRef]
- Tzavara, E.T.; Bymaster, F.P.; Overshiner, C.D.; Davis, R.J.; Perry, K.W.; Wolff, M.; McKinzie, D.L.; Witkin, J.M.; Nomikos, G.G. Procholinergic and memory enhancing properties of the selective norepinephrine uptake inhibitor atomoxetine. Mol. Psychiatry 2006, 11, 187–195. [Google Scholar] [CrossRef]
- Yao, C.; Mi, Y.; Hu, X.; Li, C.; Sun, C.; Tang, J.; Wu, X. Experiment and mechanism research of SKOV3 cancer cell apoptosis induced by nanosecond pulsed electric field. In Proceedings of the Annual International Conference of the IEEE Engineering in Medicine and Biology Society (EMBC), Vancouver, BC, Canada, 20–25 August 2008; Volume 2008, pp. 1044–1047. [Google Scholar]
- Dong, H.Y.; Han, L.Y.; Wang, J.; Xie, J.J.; Gao, Y.; Xie, F.W.; Jia, L. In Vivo inhibition of circulating tumor cells by two apoptosis-promoting circular aptamers with enhanced specificity. J. Control. Release 2018, 280, 99–112. [Google Scholar] [CrossRef]
- Peng, W.; Chen, Y.; Tumilty, S.; Liu, L.; Luo, L.; Yin, H.; Xie, Y. Paeoniflorin is a promising natural monomer for neurodegenerative diseases via modulation of Ca(2+) and ROS homeostasis. Curr. Opin. Pharmacol. 2022, 62, 97–102. [Google Scholar] [CrossRef]
- Dokumaci, A.H.; Yerer Aycan, M.B. Vildagliptine protects SH-SY5Y human neuron-like cells from Abeta 1-42 induced tox-icity, In Vitro. Cytotechnology 2019, 71, 635–646. [Google Scholar] [CrossRef]
- Ryoo, H.L.; Joyce, J.N. Loss of dopamine D2 receptors varies along the rostrocaudal axis of the hippocampal complex in Alzheimer’s disease. J. Comp. Neurol. 1994, 348, 94–110. [Google Scholar] [CrossRef]
- Wongchitrat, P.; Pakpian, N.; Kitidee, K.; Phopin, K.; Dharmasaroja, P.A.; Govitrapong, P. Alterations in the Expression of Amyloid Precursor Protein Cleaving Enzymes mRNA in Alzheimer Peripheral Blood. Curr. Alzheimer Res. 2019, 16, 29–38. [Google Scholar] [CrossRef]
- Robinson, C.A.; Clark, A.W.; Parhad, I.M.; Fung, T.S.; Bou, S.S. Gene expression in Alzheimer neocortex as a function of age and pathologic severity. Neurobiol. Aging 1994, 15, 681–690. [Google Scholar] [CrossRef]
- Pang, H.H.; Jiang, M.F.; Wang, Q.H.; Wang, X.Y.; Gao, W.; Tian, Z.H.; Huang, J.M. Metabolic profile of danshen in rats by HPLC-LTQ-Orbitrap mass spectrometry. J. Zhejiang Univ. Sci. B 2018, 19, 227–244. [Google Scholar] [CrossRef] [PubMed]
- Zhao, X.; Yang, D.H.; Xu, F.; Huang, S.; Zhang, L.; Liu, G.X.; Cai, S.Q. The In Vivo absorbed constituents and metabolites of Danshen decoction in rats identified by HPLC with electrospray ionization tandem ion trap and time-of-flight mass spec-trometry. Biomed. Chromatogr. 2015, 29, 285–304. [Google Scholar] [CrossRef]
- Gao, L.Q.; Xu, J.; Chen, S.D. In Silico Screening of Potential Chinese Herbal Medicine Against COVID-19 by Targeting SARS-CoV-2 3CLpro and Angiotensin Converting Enzyme II Using Molecular Docking. Chin. J. Integr. Med. 2020, 26, 527–532. [Google Scholar] [CrossRef] [PubMed]
- Chen, G.; Huang, C.; Shi, P.; Xu, H.; Gao, S.; Luo, D.; Chen, T.; Xie, Y.; Huang, R.; Song, H.; et al. Mechanism of Chinese yam for the treatment of aging-related diseases based on network pharmacology. Eur. J. Integr. Med. 2021, 41, 101254. [Google Scholar] [CrossRef]
- Doncheva, N.T.; Morris, J.H.; Gorodkin, J.; Jensen, L.J. Cytoscape StringApp: Network Analysis and Visualization of Pro-teomics Data. J. Proteome Res. 2019, 18, 623–632. [Google Scholar] [CrossRef]
- Yang, J.; Tian, S.; Zhao, J.; Zhang, W. Exploring the mechanism of TCM formulae in the treatment of different types of coronary heart disease by network pharmacology and machining learning. Pharmacol. Res. 2020, 159, 105034. [Google Scholar] [CrossRef] [PubMed]
- Sun, Y.; Yang, J. A bioinformatics investigation into the pharmacological mechanisms of the effect of Fufang Danshen on pain based on methodologies of network pharmacology. Sci. Rep. 2019, 9, 5913. [Google Scholar] [CrossRef] [Green Version]
- Carlin, D.E.; Demchak, B.; Pratt, D.; Sage, E.; Ideker, T. Network propagation in the cytoscape cyberinfrastructure. PLoS Comput. Biol. 2017, 13, e1005598. [Google Scholar] [CrossRef] [Green Version]
- Ursu, O.; Holmes, J.; Knockel, J.; Bologa, C.G.; Yang, J.J.; Mathias, S.L.; Nelson, S.J.; Oprea, T.I. DrugCentral: Online drug compendium. Nucleic Acids Res. 2017, 45, D932–D939. [Google Scholar] [CrossRef]
- Lv, C.; Wu, X.; Wang, X.; Su, J.; Zeng, H.; Zhao, J.; Lin, S.; Liu, R.; Li, H.; Li, X.; et al. The gene expression profiles in response to 102 traditional Chinese medicine (TCM) components: A general template for research on TCMs. Sci. Rep. 2017, 7, 352. [Google Scholar] [CrossRef]













| Molecule | CAS | Category | Target | Affinity | 
|---|---|---|---|---|
| M001 | 76822-21-4 | Phenolic acids | PLAU | −6.7 | 
| M019 | 20283-92-5 | Phenolic acids | APP | −4.41 | 
| M029 | 96574-01-5 | Phenolic acids | APP | −5.5 | 
| M031 | 28831-65-4 | Phenolic acids | APP | −4.6 1 | 
| M081 | 491-70-3 | Phenolic acids | ACHE/APP/MPO | −4.9 1/−4.8 1/−10 | 
| M095 | 21967-41-9 | Phenolic acids | ACHE | −6.3 | 
| M187 | 99-50-3 | Volatile oil | MPO | −6.3 | 
| M206 | 568-73-0 | Tanshinones | NOS3 | −12 | 
| M208 | 568-72-9 | Tanshinones | DRD1 | −10.6 | 
| M216 | 18887-19-9 | Tanshinones | ACHE/HTR2C | −5.3/−9.9 | 
| M218 | 146362-71-2 | Tanshinones | ACHE | −5.3 | 
| M219 | 142694-58-4 | Tanshinones | ACHE/ADAM10/ HTR2A/HTR2C/ NCSTN/PSEN1 | −5.2/−6.4/−10.1/ −9.4/−6.1/−8.1 | 
| M229 | 126979-84-8 | Tanshinones | ACHE | −5 | 
| M230 | 87205-99-0 | Tanshinones | ACHE/HTR2C | −5.3/−10.9 | 
| M231 | 27210-57-7 | Tanshinones | ACHE | −4.6 1 | 
| M234 | 105037-82-9 | Tanshinones | ACHE/APP/DRD2/ HTR2A/NCSTN/ PSEN1/SLC6A4 | −5/−5.1/−10.1/−9.1/−6.1/−7.7/−9.3 | 
| M237 | 119963-50-7 | Tanshinones | ACHE/HTR2A/ HTR2C | −4.9 1/−9.5/−9.9 | 
| M239 | 35825-57-1 | Tanshinones | ACHE/HTR2A/ HTR2C | −5.2/−9.7/−9.5 | 
| M253 | 189290-30-0 | Tanshinones | NCSTN/PSEN1 | −5.9/−7.4 | 
| M260 | 76843-23-7 | Tanshinones | ACHE/MPO | −5/−9.8 | 
| M263 | 121077-35-8 | Tanshinones | ACHE | −4.9 1 | 
| M308 | 98873-76-8 | Tanshinones | DRD2/HTR2A/ NCSTN/PSEN1 | −9/−8.9/−6.4/−8 | 
| M378 | 13850-16-3 | Triterpenoids | SLC6A4 | −7.5 | 
| M380 | 4373-41-5 | Triterpenoids | SLC6A4 | −8.6 | 
| M389 | 4547-24-4 | Triterpenoids | SLC6A4 | −7.8 | 
| Molecule | Count | Score | Z-Value | 
|---|---|---|---|
| M234 | 7 | 0.6473 | 5.7989 | 
| M308 | 4 | 0.5563 | 4.9337 | 
| M081 | 3 | 0.0909 | 0.5071 | 
| M219 | 6 | 0.0697 | 0.3055 | 
| M237 | 3 | 0.0617 | 0.2294 | 
| M239 | 3 | 0.0617 | 0.2294 | 
| M216 | 2 | 0.0611 | 0.2244 | 
| M230 | 2 | 0.0611 | 0.2244 | 
| M260 | 2 | 0.0517 | 0.1351 | 
| M095 | 1 | 0.0517 | 0.1347 | 
| M218 | 1 | 0.0517 | 0.1347 | 
| M229 | 1 | 0.0517 | 0.1347 | 
| M231 | 1 | 0.0517 | 0.1347 | 
| M263 | 1 | 0.0517 | 0.1347 | 
| M019 | 1 | 0.0391 | 0.0151 | 
| M029 | 1 | 0.0391 | 0.0151 | 
| M031 | 1 | 0.0391 | 0.0151 | 
| M253 | 2 | 0.0067 | −0.2930 | 
| M206 | 1 | 0.0021 | −0.3371 | 
| M001 | 1 | 0.0002 | −0.3546 | 
| M208 | 1 | 0.0002 | −0.3550 | 
| M378 | 1 | 0.0002 | −0.3555 | 
| M380 | 1 | 0.0002 | −0.3555 | 
| M389 | 1 | 0.0002 | −0.3555 | 
| M187 | 1 | 0.0000 | −0.3566 | 
| Memantine | 2 | 0.3077 | 2.5696 | 
| Donepezil | 4 | 0.2782 | 2.2884 | 
| Normal | Model | Low Dose | Middle Dose | High Dose | 
|---|---|---|---|---|
| 38.13 ± 4.64 ** | 12.00 ± 2.03 | 17.80 ± 2.30 | 30.97 ± 6.66 ** | 50.35 ± 3.14 ** | 
| Gene Name | Forward (5′-3′) | Reverse (5′-3′) | 
|---|---|---|
| PSEN1 | TGCACCTTTGTCCTACTTCCA | GCTCAGGGTTGTCAAGTCTCTG | 
| DRD2 | GAGCCAACCTGAAGACACCA | GCATCCATTCTCCGCCTGTT | 
| APP | TCCGAGAGGTGTGCTCTGAA | CCACATCCGCCGTAAAAGAATG | 
| GAPDH | AGGTCGGTGTGAACGGATTTG | TCCACCACCCTGTTGCTGTA | 
| Publisher’s Note: MDPI stays neutral with regard to jurisdictional claims in published maps and institutional affiliations. | 
© 2022 by the authors. Licensee MDPI, Basel, Switzerland. This article is an open access article distributed under the terms and conditions of the Creative Commons Attribution (CC BY) license (https://creativecommons.org/licenses/by/4.0/).
Share and Cite
Li, B.; Wu, Y.-R.; Li, L.; Liu, Y.; Yan, Z.-Y. A Novel Based-Network Strategy to Identify Phytochemicals from Radix Salviae Miltiorrhizae (Danshen) for Treating Alzheimer’s Disease. Molecules 2022, 27, 4463. https://doi.org/10.3390/molecules27144463
Li B, Wu Y-R, Li L, Liu Y, Yan Z-Y. A Novel Based-Network Strategy to Identify Phytochemicals from Radix Salviae Miltiorrhizae (Danshen) for Treating Alzheimer’s Disease. Molecules. 2022; 27(14):4463. https://doi.org/10.3390/molecules27144463
Chicago/Turabian StyleLi, Bo, Yu-Rui Wu, Lan Li, Yu Liu, and Zhu-Yun Yan. 2022. "A Novel Based-Network Strategy to Identify Phytochemicals from Radix Salviae Miltiorrhizae (Danshen) for Treating Alzheimer’s Disease" Molecules 27, no. 14: 4463. https://doi.org/10.3390/molecules27144463
APA StyleLi, B., Wu, Y.-R., Li, L., Liu, Y., & Yan, Z.-Y. (2022). A Novel Based-Network Strategy to Identify Phytochemicals from Radix Salviae Miltiorrhizae (Danshen) for Treating Alzheimer’s Disease. Molecules, 27(14), 4463. https://doi.org/10.3390/molecules27144463
 
         
                                                

 
       