Challenges of Ethical Evaluation Models for Intelligent Assistive Technologies. An Initial Ethical Model Based on Linguistic Decision Analysis †
Abstract
1. Introduction
- An infrastructure for supporting the needs of elderly people through simple interactions with the environment from an augmented-reality perspective was proposed in [3]. A general and adaptive model to transform the physical information of objects in the environment into a virtual representation through accelerometers and digital compasses was presented;
- An intelligent medication system to monitor medication intake was proposed in [4], which analyzes body temperature data streams provided by a wearable device in order to dispense medication using a low-cost remote dispenser installed at home. The main innovation was a pharmacokinetic and pharmacodynamic analysis based on a fuzzy linguistic approach and fuzzy logic. This analysis provided accuracy and adherence to patient fever in the decision making of medication intakes, adjusting the doses and waiting times based on previous intakes;
- An unobtrusive computer vision-based method for continuously monitoring the gait velocity of people within their own home was proposed in [5]. Gait velocity is a valid, reliable, sensitive measure that is appropriate for assessing and monitoring functional status and overall health [6]. This system provides advantages to make interventions potentially faster and more effective due to the fact that detecting changes in gait velocity can aid in providing interventions to prevent hospitalization. Gait velocity is currently assessed in a clinical setting where the patient is timed by a clinician over a measured distance of 3–6 m.
2. Review of Ethical Values and Considerations in IAT
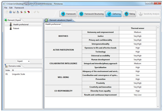
- The Ageing Lab Foundation [7] proposed the Dignified and Positive Ageing Model (hereinafter, DPA). This biopsychosocial intervention model is based on a multidisciplinary approach to intervention with older adults, which is supported on a double perspective where dignity and positive ageing are the key elements: Dignity, understood as full respect for the person, whatever his or her situation, and Positivity, approaching ageing from an optimal, active, and participatory perspective regarding physical, psychological, and social welfare.DPA refers to a working concept and a way of operating that characterizes a society based on how it serves people and which focuses on the “how” to age. Likewise, within the DPA model, ageing is understood as a challenge for society but not as a burden. This intervention model stems from a working philosophy based on commitment to society, motivation, and continuous improvement, and aims not only to consolidate a methodology for the service, but also to value a philosophy of care involving multiple parties. This model proposes the following five principles: Bioethics, active participation, well-being, collaborative intelligence, and co-responsibility. The DPA model considers different criteria associated with each of the principles mentioned (see Table 1), which guide the specific actions for interventions.
- 2.
- Floridi and others propose the following as unified ethical principles for artificial intelligence (AI): Nonmaleficence, beneficence, autonomy, and justice, adding the specific principle of explainability [8] (see Table 2). This model could also be transferred to the design of intelligent tools and devices, updating the initial concept and adapting the conceptual basis.
- 3.
- Heerink et al., in the Almere Model [9], propose an assessment of the acceptance of assistive technology by older adults (see Figure 1).The research develops and tests a theoretical adaptation and extension of the Unified Theory of Acceptance and Use of Technology (UTAUT) explaining the intention to be used not only in terms of variables related to functional evaluation, but perceived usefulness and perceived ease of use. Based on the data of the study conducted in the city of Almere, it concludes that the conditioning factors of attitudes, gender, age, technological knowledge, etc., are perceived positively in order to integrate advanced technological systems in environments where older people live;
- 4.
- Robillard et al. propose the concept of “ethical adoption”: The deep integration of ethical principles in the design, development, deployment, and use of technology. Ethical adoption is based on five pillars, supported by empirical evidence: (1) Inclusive participatory design; (2) emotional alignment; (3) adoption models; (4) evaluation of ethical standards; and (5) education and training. To close the gap between adoption research, ethics, and practice, a set of 18 practical recommendations based on these ethical adoption pillars was proposed [10] (see Table 3).
- European Group on Ethics in Science and New Technologies (EGE). An independent, multidisciplinary body advising on all aspects of the Commission’s policies where ethical, social, and fundamental rights issues intersect with the development of science and new technologies [12];
- IEEE’s Global Initiative for the Ethics of Autonomous and Intelligent Systems. The new standards projects are the latest additions to the IEEE P7000 family of standards™, which supports the IEEE’s primary objective of prioritizing ethical concerns and human well-being in the development of standards that address all aspects of autonomous and intelligent technologies [13];
- The Convention on the Rights of Persons with Disabilities (CRPD), one of the guiding principles which states: “Respect for inherent dignity, individual autonomy, including the freedom to make one’s own choices, and the independence of people” [14]. The proposed principles should be taken into account for the design of environments with intelligent devices.
3. Challenges to an Ethical Evaluation Model for IATs
3.1. Rational Evaluation Methodology
- Problem: The decision, objectives, and alternatives of the problem are identified;
- Framework: The structure of the problem and the expression domains in which the assessments can be made are defined;
- Gathering information: The decision makers provide their information;
- Computing results: A collective assessment for each alternative is obtained;
- Ranking: The alternatives are sorted according to the results obtained, establishing a ranked list;
- Making a decision.
3.2. Uncertainty Evaluation Process
3.3. Evaluation Results and Aggregation Process
3.4. Software Tool
4. Flexible Ethical Evaluation Model for IATs
- Evaluation framework. This framework defines the structure of the ethical evaluation model. It includes the set of evaluators, the set of criteria that will be evaluated, and, finally, the linguistic scale on which evaluators’ perceptions will be expressed. Therefore, the theoretical framework includes the following elements:
- 1.1.
- Evaluators. The set of evaluators is defined by . This set of evaluators provides their perceptions of the IAT. The set of evaluators is composed of subsets of evaluators that interact with the IATs of patients, relatives, caregivers, healthcare professionals, etc.;
- 1.2.
- Hierarchy of criteria. This hierarchy is evaluated by the evaluators according to the nature of the IAT. The first level set of criteria is defined as , where multiple sub-criteria may be involved in each criterion, defined as ;
- 1.3.
- Linguistic scale. To define this scale, it is necessary to set its number of terms, syntax, and distribution. The semantics for each linguistic term are represented by the linguistic 2-tuple representation model. An example of linguistic scale is defined by ;
- 2.
- Gathering information. Once the framework has been defined to evaluate an IAT, the information must be provided by the set of evaluators. Each evaluator provides its perception of each criterion included in the hierarchy, using a linguistic scale term. Therefore, . It should be noted that not all evaluators will have the knowledge to provide their assessments on each criterion. Therefore, when the evaluator is not relevant, the assessment will be Not Applicable, defined by ;
- 3.
- Computing ethics results. This phase computes a collective assessment for each criterion in order to compute a global assessment of the IAT, according to the perceptions of the evaluators. Therefore, it is necessary to carry out CWW processes for linguistic terms by using linguistic aggregation operators for 2-tuple linguistic values. Different aggregation operators have been proposed for linguistic 2-tuples [15]. This phase includes the following three steps:
- 3.1.
- Computing global ethical sub-criteria values, . In the first step, the assessments of a given evaluator for each sub-criterion are aggregated by means of a 2-tuple linguistic aggregation operator to obtain a global value for each sub-criterion;
- 3.2.
- Computing global ethical criteria values, . In the second step, global sub-criteria assessments for each criterion are aggregated by means of a selected 2-tuple linguistic operator to obtain a global value for each criterion;
- 3.3.
- Computing global ethical values, . In this third step, the global value for the IAT is computed, aggregating the global criteria values by means of a selected 2-tuple linguistic operator.
5. Conclusions and Future Research
Author Contributions
Funding
Acknowledgments
Conflicts of Interest
References
- Vazquez, M.; Sexto, C.; Rocha, A.; Aguilera, A. Mobile Phones and Psychosocial Therapies with Vulnerable People: A First State of the Art. J. Med Syst. 2016, 4, 1–12. [Google Scholar] [CrossRef] [PubMed]
- Espinilla, M.; Martínez, L.; Medina, J.; Nugent, C. The Experience of Developing the UJAmI Smart Lab. IEEE Access 2018, 6, 34631–34642. [Google Scholar] [CrossRef]
- Hervás, R.; Garcia-Lillo, A.; Bravo, J. Mobile Augmented Reality Based on the Semantic Web Applied to Ambient Assisted Living. In Ambient Assisted Living. IWAAL 2011; Bravo, J., Hervás, R., Villarreal, V., Eds.; Lecture Notes in Computer Science; Springer: Berlin/Heidelberg, Germany, 2011; Volume 6693. [Google Scholar]
- Medina, J.; Espinilla, M.; García-Fernández, Á.L. Intelligent multi-dose medication controller for fever: From wearable devices to remote dispensers. Comput. Electr. Eng. 2018, 65, 400–412. [Google Scholar] [CrossRef]
- Medina-Quero, J.; Shewell, C.; Cleland, I.; Rafferty, J.; Nugent, C.; Estévez, M.E. Computer Vision-Based Gait Velocity from Non-Obtrusive Thermal Vision Sensors. In Proceedings of the 2018 IEEE International Conference on Pervasive Computing and Communications Workshops (PerCom Workshops), Athens, Greece, 19–23 March 2018; pp. 391–396. [Google Scholar]
- Middleton, A.; Fritz, S.L.; Lusardi, M. Walking speed: The functional vital sign. J. Aging Phys. Act. 2015, 23, 314–322. [Google Scholar] [CrossRef] [PubMed]
- Gonzalez, A.; Cruz, A. Cuaderno O. Cuidados, Modelo EDP. Envejecimiento Digno y Positivo; Fundación Ageing Lab: Jaén, Spain, 2016. [Google Scholar]
- Luciano, F.; Cowls, J.; Beltrametti, M.; Chatila, R.; Chazerand, P.; Dignum, V.; Luetge, C. AI4People—An Ethical Framework for a Good AI Society: Opportunities, Risks, Principles, and Recommendations. Minds Mach. 2018, 28, 689. [Google Scholar] [CrossRef]
- Heerink, M.; Kröse, B.; Evers, V. y col. Assessing Acceptance of Assistive Social Agent Technology by Older Adults: The Almere Model. Int. J. Soc. Robot. 2010, 2, 361. [Google Scholar] [CrossRef]
- Robillard, J.M.; Cleland, I.; Hoey, J.; Nugent, C.D. Ethical adoption: A new imperative in the development of technology for dementia. Alzheimers Dement. 2018, 14, 1104–1113. [Google Scholar] [CrossRef] [PubMed]
- Ienca, M.; Wangmo, T.; Jotterand, F.; Kressig, R.W.; Elger, B. Ethical design of intelligent assistive technologies for dementia: A descriptive review. Sci. Eng. Ethics 2018, 24, 1035–1055. [Google Scholar] [CrossRef] [PubMed]
- Guerra, Á.; García-Mayor, R. Ethical challenges posed by the use of Artificial Intelligence in the diagnosis and clinical treatment. Asociación Española de Bioética y Ética Médica. Cuadernos de Bioética 2018, 29, 303–304. [Google Scholar] [CrossRef] [PubMed]
- IEEE Global Initiative and EAD. ETHICALLY ALIGNED DESIGN. A Vision for Prioritizing Human Wellbeing with Artificial Intelligence and Autonomous Systems. Available online: https://standards.ieee.org/content/dam/ieee-standards/standards/web/documents/other/ead_v1.pdf (accessed on 1 November 2019).
- Principios Rectores de la Convención de los derechos y la dignidad de las personas con discapacidad de la ONU. Available online: https://www.un.org/spanish/disabilities/default.asp?navid=15&pid=535 (accessed on 1 November 2019).
- Shipunova, O.D.; Rabosh, V.A.; Soldatov, A.V.; Deniskov, A.V. Interactions design in technogenic information and communication environments. Eur. Proc. Soc. Behav. Sci. 2018. [Google Scholar] [CrossRef]
- Keeney, R.L.; Raiffa, H. Decisions with Multiple Objectives: Preferences and Value Tradeoffs; John Wiley & Sons: New York, NY, USA, 1976. [Google Scholar]
- Espinilla, M.; de Andrés, R.; Martínez, F.J.; Martínez, L. A 360-degree performance appraisal model dealing with heterogeneous information and dependent criteria. Inf. Sci. 2013, 222, 459–471. [Google Scholar] [CrossRef]
- Clemen, R.T. Making Hard Decisions. An Introduction to Decision Analisys; Duxbury Press: California, CA, USA, 1995. [Google Scholar]
- Martínez, L.; Ruan, D.; Herrera, F. Computing with Words in Decision support Systems: An overview on Models and Applications. Int. J. Comput. Intell. Syst. (IJCIS) 2010, 3, 382–395. [Google Scholar]
- Zadeh, L.A. The concept of a linguistic variable and its applications to approximate reasoning—I. Inf. Sci. 1975, 9, 199–249. [Google Scholar] [CrossRef]
- Zadeh, L.A. The concept of a linguistic variable and its applications to approximate reasoning—II. Inf. Sci. 1975, 9, 301–357. [Google Scholar] [CrossRef]
- Zadeh, L.A. The concept of a linguistic variable and its applications to approximate reasoning—III. Inf. Sci. 1975, 9, 43–80. [Google Scholar] [CrossRef]
- Estrella, F.J.; Espinilla, M.; Herrera, F.; Martínez, L. Flintstones: A fuzzy linguistic decision tools enhancement suite based on the 2-tuple linguistic model and extensions. Inf. Sci. 2014, 280, 152–170. [Google Scholar] [CrossRef]


| Principle | Criteria |
|---|---|
| 1. Bioethics | Justice; privacy and confidentiality; autonomy and empowerment. |
| 2. Active Participation | Universal accessibility, openness to life and relationships; technology; intergenerationality. |
| 3. Collaborative Intelligence | Specialization; human development; creative commons; integral and interdisciplinary approach. |
| 4. Well-Being | Prevention; adequacy of the environment and service to the person; coordination and convergence of systems; proximity. |
| 5. Co-Responsibility | Creativity and innovation; results and continuous improvement; diversity from equality. |
| Beneficence | Non-Maleficence | Autonomy | Justice | Explicability |
|---|---|---|---|---|
| Traditional bioethics principles | A new enabling principle for AI | |||
| Number | Pillar | Keywords |
|---|---|---|
| 1 | Inclusive participatory design | 1.1. User engagement 1.2. Usability 1.3. Culture 1.4. Benefit 1.5. Customization |
| 2 | Emotional alignment | 2.1. Emotion 2.2. Implicit bias |
| 3 | Adoption modeling | 3.1. Barriers and facilitators data 3.2. Data |
| 4 | Ethics | 4.1. Consent 4.2. Privacy and confidentiality 4.3. Conflict of interest 4.4. Accuracy 4.5. Evidence 4.6. Responsible use |
| 5 | Training and education | 5.1. Intuition 5.2. Training courses 5.3. Social support |
Publisher’s Note: MDPI stays neutral with regard to jurisdictional claims in published maps and institutional affiliations. |
© 2019 by the authors. Licensee MDPI, Basel, Switzerland. This article is an open access article distributed under the terms and conditions of the Creative Commons Attribution (CC BY) license (https://creativecommons.org/licenses/by/4.0/).
Share and Cite
Espinilla, M.; Verdejo, M.A.; González, L.; Nugent, C.; Cruz, A.J.; Medina, J. Challenges of Ethical Evaluation Models for Intelligent Assistive Technologies. An Initial Ethical Model Based on Linguistic Decision Analysis. Proceedings 2019, 31, 22. https://doi.org/10.3390/proceedings2019031022
Espinilla M, Verdejo MA, González L, Nugent C, Cruz AJ, Medina J. Challenges of Ethical Evaluation Models for Intelligent Assistive Technologies. An Initial Ethical Model Based on Linguistic Decision Analysis. Proceedings. 2019; 31(1):22. https://doi.org/10.3390/proceedings2019031022
Chicago/Turabian StyleEspinilla, M., M. A. Verdejo, L. González, C. Nugent, A.J. Cruz, and J. Medina. 2019. "Challenges of Ethical Evaluation Models for Intelligent Assistive Technologies. An Initial Ethical Model Based on Linguistic Decision Analysis" Proceedings 31, no. 1: 22. https://doi.org/10.3390/proceedings2019031022
APA StyleEspinilla, M., Verdejo, M. A., González, L., Nugent, C., Cruz, A. J., & Medina, J. (2019). Challenges of Ethical Evaluation Models for Intelligent Assistive Technologies. An Initial Ethical Model Based on Linguistic Decision Analysis. Proceedings, 31(1), 22. https://doi.org/10.3390/proceedings2019031022

