GENE2D: A NoSQL Integrated Data Repository of Genetic Disorders Data
Abstract
1. Introduction
2. Background
3. Objectives and Contributions
- new mapping rules for extraction based on specified criteria.
- new mapping rules for transforming data from an SQL source format to a BSON (Binary JSON (JavaScript Object Notation)) destination format.
- new mapping rules for loading and indexing data to the destination.
- innovative method for the design of the integrated data repository based on the NoSQL document-oriented database (MongoDB)
- novel Query Builder methods to serve (simple, complex queries) in genetic-related studies and public health research.
- query-performance evaluation of GENE2D.
4. Theoretical Foundations
4.1. Integration Approaches
4.1.1. Logical Integration
4.1.2. Physical Integration
4.2. NoSQL Storage Solution
5. Method
6. System Architecture
- Integration sources: G3DMS contains genetic disorder data stored in relational tables on a MariaDB server, and is the source from which genetic data are extracted, converted and uploaded to the integrated data repository, GENE2D.
- The NoSQL document store, MongoDB, which uses a collection of documents to store the data as BSON (Binary JSON (JavaScript Object Notation)) will be the centralized repository for the integrated data.
- The Query Builder interface that provides multiple pages for data retrieval in selective display forms according to the query type selected; it allows researchers to retrieve contents from the database using a custom query to answer simple or complex research questions.
7. Design Methodology
- Data acquisition process
- Data modelling
- System implementation and testing
7.1. The Data Acquisition Process
7.1.1. Data Extraction
7.1.2. Extraction Criteria
- Patient-oriented: the integration framework aims to collect patients’ data and create the GENE2D system; therefore, it is a patient-centred database, especially for patients with genetic disorders. Thus, all data extracted should be related directly to the patient, so any other data, such as physician’s information should not be included.
- Research requirements: only data that is useful for research related to genetic disorders should be included. Unnecessary data, such as patient treatment plans and contact details, will not be considered. Also, only cases of “confirmed” diagnoses of genetic conditions should be transferred. Therefore, cases with “provisional” diagnoses will be postponed until the diagnosis status changes to “confirmed”. Furthermore, any incomplete patient data which misses important information will not be extracted for data quality purposes.
- HIPAA compliant: the GENE2D system contents will be available online to researchers, so they must adhere to specific HIPAA rules and regulations related to the use of identifiable personal health information (PHI) [36]. Since the dataset should not include an identifier which can be used to link back to the patient, any information which may lead to the identity of a patient will not be moved from the G3DMS. These include names, photos, samples, and family pedigree charts or any documents containing patient identification information. However, de-identification can be achieved by masking or encoding a unique key such as the MRN to solve the problem of updating the data in the GENE2D system while preventing duplicate entry.
7.1.3. Extraction Method
7.1.4. Extracted Data
7.2. Data Modelling
7.2.1. Schema Plan
Data Dependencies and Relationships
Query Patterns
7.2.2. Schema Design
Database Structure
Embedded Data Model
7.2.3. Transform
Mapping Guidelines
Support Aggregation and a Void Join Operation
Field Naming
Multi-Valued Fields
([test] => test2 [result] => result2))).
Transforming Methods
7.2.4. Load
Loading Methods
7.3. System Implementation and Testing
7.3.1. Application Interface
Update the G3DMS Application Interface
GENE2D Application Interface Development
7.3.2. Validation Test
Query Testing
- Query 1: Date type fields (display conditions, consanguinity, and inheritance pattern for patient date of birth before 2012 and Sort the results in descending order by DoB).
- 2.
- Query 2: array type fields (display conditions, tests and results for patients with a phenotype of “microcephaly” sort the results in ascending order by mother age).
- 3.
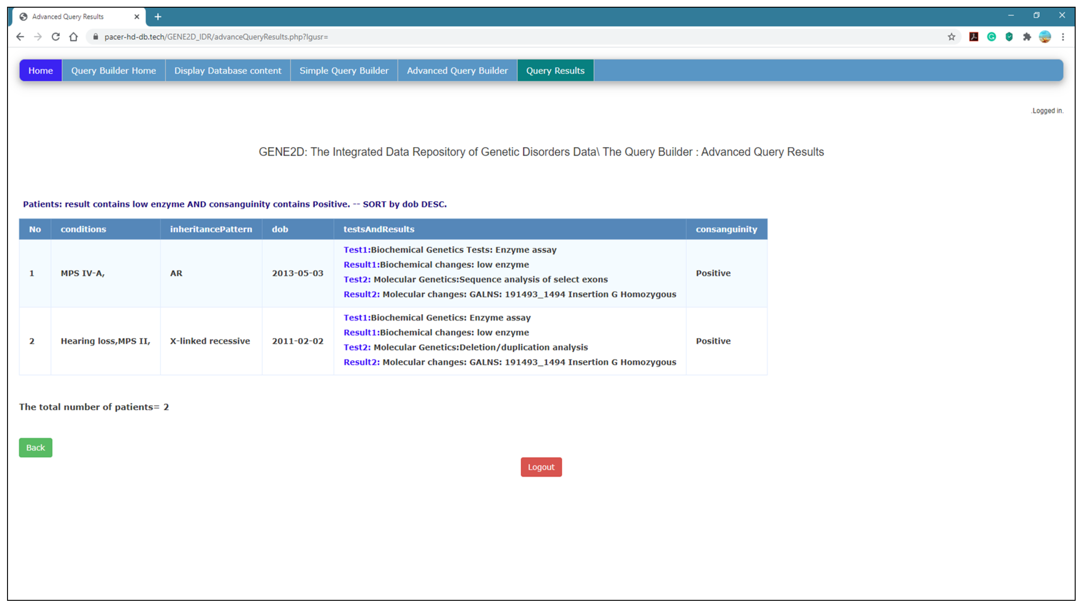
- Query 3: advanced query with the logical operator (OR) (display conditions and phenotypes for patients with inheritance patterns “X_linked” OR who has “positive” consanguinity; and sort the results in descending by DoB).
- 4
- Query 4: advanced query field type (array of objects) with a logical operator (display conditions for male patients who have undergone gene analysis tests; and sort the result in descending order by DoB).
Interface Testing
7.3.3. System Deployment
The GENE2D System Deployment on Virtual Private Server (VPS)
The GENE2D System Deployment on the Cloud
8. Conclusions
Author Contributions
Funding
Conflicts of Interest
References
- Meystre, S.M. Clinical Data Reuse or Secondary Use: Current Status and Potential Future Progress. In Yearbook of Medical Informatics; Georg Thieme Verlag KG: Stuttgart, Germany, 2017; Volume 26, pp. 38–52. [Google Scholar]
- Institute of Medicine. Clinical Data as the Basic Staple of Health Learning: Creating and Protecting a Public Good: Workshop Summary; The National Academies Press: Washington, DC, USA, 2010. [Google Scholar]
- Samra, H.; Li, A.; Soh, B.; Al Zain, M. Utilisation of hospital information systems for medical research in Saudi Arabia: A mixed-method exploration of the views of healthcare and IT professionals involved in hospital database management systems. Health Inf. Manag. J. 2019, 49, 1–10. [Google Scholar] [CrossRef] [PubMed]
- Blumenthal, D. Data witholding in genetics and the other life sciences: Prevalence and predictors. Acad. Med. 2006, 82, 137–145. [Google Scholar] [CrossRef] [PubMed]
- Khalifa, M. Barriers to Health Information Systems and Electronic Medical Records Implementation. A Field Study of Saudi Arabian Hospitals. Procedia Comput. Sci. 2013, 21, 335–342. [Google Scholar]
- Alfares, A. Genomics in Saudi Arabia Call for Data-Sharing Policy. J. Biochem. Clin. Genet. 2018, 1, 51–52. [Google Scholar] [CrossRef]
- Al-Owain, M.; Al-Zaidan, H.; Al-Hassnan, Z. Map of autosomal recessive genetic disorders in Saudi Arabia: Concepts and future directions. Am. J. Med. Genet. Part A 2012, 2629–2640. [Google Scholar] [CrossRef] [PubMed]
- Alkuraya, F.S. Genetics and genomic medicine in Saudi Arabia. Mol. Genet. Genom. Med. 2014, 2, 369–378. [Google Scholar] [CrossRef] [PubMed]
- VNR. Sustainable Development Goals: 1st Voluntary National Review of Saudi Arabia; United Nations Development Programme: New York, NY, USA, 2018. [Google Scholar]
- Elobeid, A.S.; Al-Abdudlkarim, I. The role of biobanks in elucidating prevalent genetic diseases in Saudi Arabia. Drug Discov. Ther. 2016, 10, 226–233. [Google Scholar] [CrossRef] [PubMed]
- Abu-Elmagd, M.; Assidi, M.; Schulten, H.-J.; Dallol, A.; Pushparaj, P.N.; Ahmed, F.; Scherer, S.W.; Al-Qahtani, M. Individualized medicine enabled by genomics in Saudi Arabia. BMC Med. Genom. 2015, 8, S3. [Google Scholar] [CrossRef] [PubMed]
- Monies, D.; Abouelhoda, M.; Alsayed, M.; Alhassnan, Z.; Alotaibi, M.; Kayyali, H.; Al-Owain, M.; Shah, A.; Rahbeeni, Z.; Al-Muhaizea, M.A.; et al. The landscape of genetic diseases in Saudi Arabia based on the first 1000 diagnostic panels and exomes. Hum. Genet. 2017, 136, 921–939. [Google Scholar] [CrossRef] [PubMed]
- Alaama, J.; Smith, T.; Lo, A.; Howard, H.; Kline, A.A.; Lange, M.; Kaput, J.; Cotton, R.G.H. Initiating a Human Variome Project Country Node. Hum. Mutat. 2011, 32, 501–506. [Google Scholar] [CrossRef] [PubMed]
- Tadmouri, G. CTGA: The database for genetic disorders in Arab populations. Nucleic Acids Res. 2006, 34, D602–D606. [Google Scholar] [CrossRef] [PubMed]
- Samra, H.; Li, A.; Soh, B. G3DMS: Design and Implementation of a Data Management System for the Diagnosis of Genetic Disorders. Healthcare 2020, 8, 196. [Google Scholar] [CrossRef] [PubMed]
- Muji, M. Database Design Patterns for Healthcare Information Systems. In Proceedings of the Meditech, IFMBE Proceedings, Munich, Germany, 7–12 September 2009; pp. 63–66. [Google Scholar]
- Ginsburg, G. Medical genomics: Gather and use genetic data in health care. Nature 2014, 508, 451–453. [Google Scholar] [CrossRef] [PubMed]
- Wiederhold, G. Databases for Health Care, 1st ed.; Springer: Berlin/Heidelberg, Germany, 2012. [Google Scholar]
- Nadkarni, P.; Marenco, L. Data Integration: An Overview. In Methods in Biomedical Informatics: A Pragmatic Approach; Sarkar, I.N., Ed.; Elsevier Inc: Amsterdam, The Netherlands, 2013; pp. 15–47. [Google Scholar]
- Alharbi, F.; Atkins, A.; Stanier, C.; Al-Buti, H.A. Strategic Value of Cloud Computing in Healthcare Organisations Using the Balanced Scorecard Approach: A Case Study from a Saudi Hospital. Procedia Comput. Sci. 2016, 98, 332–339. [Google Scholar] [CrossRef]
- Tao, S.; Cui, L.; Wu, X.; Zhang, G.-Q. Facilitating Cohort Discovery by Enhancing Ontology Exploration, Query Management and Query Sharing for Large Clinical Data Repositories. AMIA Annu Symp Proc. 2018, 2017, 1685–1694. [Google Scholar] [PubMed]
- Murphy, S. Data Warehousing for Clinical Research. In Encyclopedia of Database Systems; Liu, L., Özsu, M.T., Eds.; Springer: Boston, MA, USA; pp. 679–683.
- Huser, V.; Cimino, J. Desiderata for Healthcare Integrated Data Repositories Based on Architectural Comparison of Three Public Repositories. In Proceedings of the AMIA Annual Symposium, Washington, DC, USA, 16–20 November 2013. [Google Scholar]
- McCreary, D.; Kelly, A. Making Sense of NoSQL: A Guide for Managers and the Rest of Us; Manning Publications Co.: Shelter Island, NY, USA, 2014. [Google Scholar]
- Louie, B.; Mork, P.; Martin-Sanchez, F.; Halevy, A.; Tarczy-Hornoch, P. Data integration and genomic medicine. J. Biomed. Inform. 2007, 40, 5–16. [Google Scholar] [CrossRef] [PubMed]
- Sahama, T.; Croll, P.A. Data Warehouse Architecture for Clinical Data Warehousing. In Australasian Workshop on Health Knowledge Management and Discovery; ACSW: Edmonton, AB, Canada, 2007; pp. 227–232. [Google Scholar]
- Boussahoua, M.; Boussaid, O.; Bentayeb, F. Logical Schema for Data Warehouse on Column-Oriented NoSQL Databases; Springer International Publishing AG: Lyon, France, 2017; pp. 247–256. [Google Scholar]
- Hashem, I.A.T.; Yaqoob, I.; Anuar, N.B.; Mokhtar, S.; Gani, A.; Khan, S.U. The rise of “big data” on cloud computing: Review and open research issues. Inf. Syst. 2015, 47, 98–115. [Google Scholar] [CrossRef]
- Kaur, K.; Rani, R. Modeling and Querying Data in NoSQL Databases. In IEEE International Conference on Big Data; IEEE: Silicon Valley, CA, USA, 2013. [Google Scholar]
- Akerkar, R. Big Data Computing; CRC Press LLC: Philadelphia, PA USA, 2013. [Google Scholar]
- Bicevskaa, Z.; Oditisa, I. Towards NoSQL-Based Data Warehouse Solutions; ICTE: Riga, Latvia, 2016. [Google Scholar]
- Ercan, M.; Lane, M. Evaluation of NoSQL databases for EHR systems. In Proceedings of the Australasian Conference on Information Systems, Auckland, New Zealand, 8–10 December 2014. [Google Scholar]
- Feng, Z. Intelligent Perioperative System: Towards Real-time Big Data Analytics in Surgery Risk Assessment. arXiv 2017, 1, 1709–10192. [Google Scholar]
- Zeng, N.; Li, X.; Cui, L.; Zhang, G.-Q. Evaluation of Relational and NoSQL Approaches for Cohort Identification from Heterogeneous Data Sources in the National Sleep Research Resource. J. Health Med. Inform. 2017, 8. [Google Scholar] [CrossRef]
- Klein, J. NoSQL Data Store Technologies; Software Engineering Institute—Carnegie Mellon University: Pittsburgh, PA, USA, 2014. [Google Scholar]
- HHS. Summary of the HIPAA Privacy Rule. 2013. Available online: https://www.hhs.gov/sites/default/files/privacysummary.pdf (accessed on 22 February 2020).
- MongoDB. MongoDB Atlas 2020. Available online: https://www.mongodb.com/cloud/atlas/lp/try2?utm_source=google&utm_campaign=gs_apac_australia_search_brand_atlas_desktop&utm_term=%2Bmongodb%20%2Bcloud&utm_medium=cpc_paid_search&utm_ad=b&gclid=Cj0KCQjwzN71BRCOARIsAF8pjfi25cekdHDe_EdSq697MX4fFuulmgHDeGxGK3 (accessed on 12 April 2020).
















| Field Name | Type | Relationship |
|---|---|---|
| Masked (MRN) → _id | primary key | patient’s proprietary |
| gender | Attribute | Patient’s proprietary |
| DoB | Attribute | Patient’s proprietary |
| city | Attribute | Patient’s proprietary |
| nationality | Attribute | Patient’s proprietary |
| consanguinity | Attribute | Patient’s proprietary |
| inheritancePattern | Attribute | Patient’s proprietary |
| motherAge | Attribute | Patient’s proprietary |
| phenotypes [pheno1, pheno2, …] | Entity | One-to-Many |
| conditions [cond1, cond2, …] | Entity | One-to-Many |
| tests [{test 1, result 1}, {test 2, result 2}, …] | Entity | One-to-Many |
© 2020 by the authors. Licensee MDPI, Basel, Switzerland. This article is an open access article distributed under the terms and conditions of the Creative Commons Attribution (CC BY) license (http://creativecommons.org/licenses/by/4.0/).
Share and Cite
Samra, H.; Li, A.; Soh, B. GENE2D: A NoSQL Integrated Data Repository of Genetic Disorders Data. Healthcare 2020, 8, 257. https://doi.org/10.3390/healthcare8030257
Samra H, Li A, Soh B. GENE2D: A NoSQL Integrated Data Repository of Genetic Disorders Data. Healthcare. 2020; 8(3):257. https://doi.org/10.3390/healthcare8030257
Chicago/Turabian StyleSamra, Halima, Alice Li, and Ben Soh. 2020. "GENE2D: A NoSQL Integrated Data Repository of Genetic Disorders Data" Healthcare 8, no. 3: 257. https://doi.org/10.3390/healthcare8030257
APA StyleSamra, H., Li, A., & Soh, B. (2020). GENE2D: A NoSQL Integrated Data Repository of Genetic Disorders Data. Healthcare, 8(3), 257. https://doi.org/10.3390/healthcare8030257

