Potential of [11C](R)-PK11195 PET Imaging for Evaluating Tumor Inflammation: A Murine Mammary Tumor Model
Abstract
1. Introduction
2. Materials and Methods
2.1. Ethical Approval
2.2. [11C](R)-PK11195 Radiosynthesis
2.3. Animals
2.4. Cell Culture
2.5. Animal Model Induction and Groups
2.6. PET Imaging
2.7. Ex-Vivo Autoradiography
2.8. Immunofluorescence
2.9. Protein Extraction and Western Blot
2.10. Statistical Analysis
3. Results
3.1. Tumor Growth
3.2. [11C](R)-PK11195 and [18F]FDG Uptake
3.3. [11C](R)-PK11195 Autoradiography
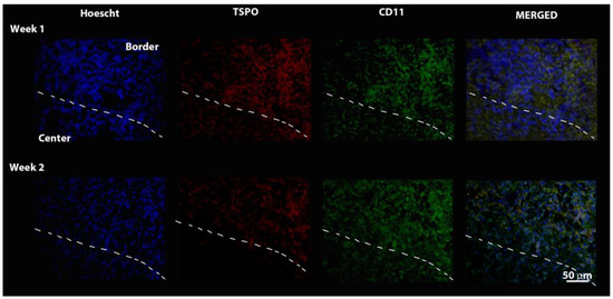
3.4. Immunofluorescence
3.5. Western Blot
4. Discussion
5. Conclusions
Supplementary Materials
Author Contributions
Funding
Institutional Review Board Statement
Informed Consent Statement
Data Availability Statement
Acknowledgments
Conflicts of Interest
References
- Najafi, M.; Hashemi Goradel, N.; Farhood, B.; Salehi, E.; Nashtaei, M.S.; Khanlarkhani, N.; Khezri, Z.; Majidpoor, J.; Abouzaripour, M.; Habibi, M.; et al. Macrophage polarity in cancer: A review. J. Cell. Biochem. 2019, 120, 2756–2765. [Google Scholar] [CrossRef] [PubMed]
- Oishi, Y.; Manabe, I. Macrophages in inflammation, repair and regeneration. Int. Immunol. 2018, 30, 511–528. [Google Scholar]
- Singh, N.; Baby, D.; Rajguru, J.P.; Patil, P.B.; Thakkannavar, S.S.; Pujari, V.B. Inflammation and Cancer. Ann. Afr. Med. 2019, 18, 121–126. [Google Scholar] [CrossRef] [PubMed]
- Serhan, C.N.; Krishnamoorthy, S.; Recchiuti, A.; Chiang, N. Novel Anti-Inflammatory-Pro-Resolving Mediators and Their Receptors. Curr. Top. Med. Chem. 2011, 11, 629–647. [Google Scholar] [CrossRef]
- Alcantara, D.; Leal, M.P.; Garcã a-Bocanegra, I.; Garcã a-Martã n, M.L.; García-Bocanegra, I.; García-Martín, M.L. Molecular imaging of breast cancer: Present and future directions. Front. Chem. 2014, 2, 112. [Google Scholar] [CrossRef] [PubMed]
- Waterfield, J.D.; McGeer, E.G.; McGeer, P.L. The peripheral benzodiazepine receptor ligand PK 11195 inhibits arthritis in the MRL-lpr mouse model. Rheumatology 1999, 38, 1068–1073. [Google Scholar] [CrossRef]
- Braestrup, C.; Squires, R.F. Specific benzodiazepine receptors in rat brain characterized by high-affinity (3H)diazepam binding. Proc. Natl. Acad. Sci. USA 1977, 74, 3805–3809. [Google Scholar] [CrossRef] [PubMed]
- Gavish, M.; Bachman, I.; Shoukrun, R.; Katz, Y.; Veenman, L.; Weisinger, G.; Weizman, A. Enigma of the peripheral benzodiazepine receptor. Pharmacol. Rev. 1999, 51, 629–650. [Google Scholar]
- Chauveau, F.; Boutin, H.; Van Camp, N.; Dollé, F.; Tavitian, B. Nuclear imaging of neuroinflammation: A comprehensive review of [11C]PK11195 challengers. Eur. J. Nucl. Med. 2008, 35, 2304–2319. [Google Scholar] [CrossRef]
- Kang, Y.; Schlyer, D.; Kaunzner, U.W.; Kuceyeski, A.; Kothari, P.J.; Gauthier, S.A. Comparison of two different methods of image analysis for the assessment of microglial activation in patients with multiple sclerosis using (R)-[N-methyl-carbon-11]PK11195. PLoS ONE 2018, 13, e0201289. [Google Scholar] [CrossRef]
- Gaemperli, O.; Shalhoub, J.; Owen, D.; Lamare, F.; Johansson, S.; Fouladi, N.; Davies, A.H.; Rimoldi, O.E.; Camici, P.G. Imaging intraplaque inflammation in carotid atherosclerosis with 11C-PK11195 positron emission tomography/computed tomography. Eur. Hear. J. 2011, 33, 1902–1910. [Google Scholar] [CrossRef] [PubMed]
- Kang, Y.; Mozley, P.D.; Verma, A.; Schlyer, D.; Henchcliffe, C.; Gauthier, S.A.; Chiao, P.C.; He, B.; Nikolopoulou, A.; Logan, J.; et al. Noninvasive PK11195-PET Image Analysis Techniques Can Detect Abnormal Cerebral Microglial Activation in Parkinson’s Disease. J. Neuroimaging 2018, 28, 496–505. [Google Scholar] [CrossRef]
- Shoshan-Barmatz, V.; De Pinto, V.; Zweckstetter, M.; Raviv, Z.; Keinan, N.; Arbel, N. VDAC, a multi-functional mitochondrial protein regulating cell life and death. Mol. Asp. Med. 2010, 31, 227–285. [Google Scholar] [CrossRef]
- Bogdanović, R.M.; Syvänen, S.; Michler, C.; Russmann, V.; Eriksson, J.; Windhorst, A.D.; Lammertsma, A.A.; de Lange, E.C.; Voskuyl, R.A.; Potschka, H. (R)-[11C]PK11195 brain uptake as a biomarker of inflammation and antiepileptic drug resistance: Evaluation in a rat epilepsy model. Neuropharmacology 2014, 85, 104–112. [Google Scholar] [CrossRef] [PubMed]
- Passamonti, L.; Rodríguez, P.V.; Hong, Y.; Allinson, K.S.; Bevan-Jones, W.; Williamson, D.; Jones, S.; Arnold, R.; Borchert, R.J.; Surendranathan, A.; et al. [11C]PK11195 binding in Alzheimer disease and progressive supranuclear palsy. Neurology 2018, 90, e1989–e1996. [Google Scholar] [CrossRef]
- Zinnhardt, B.; Müther, M.; Roll, W.; Backhaus, P.; Jeibmann, A.; Foray, C.; Barca, C.; Döring, C.; Tavitian, B.; Dollé, F.; et al. TSPO imaging-guided characterization of the immunosuppressive myeloid tumor microenvironment in patients with malignant glioma. Neuro-Oncology 2020, 22, 1030–1043. [Google Scholar] [CrossRef]
- Sucksdorff, M.; Rissanen, E.; Tuisku, J.; Nuutinen, S.; Paavilainen, T.; Rokka, J.; Rinne, J.; Airas, L. Evaluation of the Effect of Fingolimod Treatment on Microglial Activation Using Serial PET Imaging in Multiple Sclerosis. J. Nucl. Med. 2017, 58, 1646–1651. [Google Scholar] [CrossRef] [PubMed]
- Faria, D.D.P.; Copray, S.; Buchpiguel, C.; Dierckx, R.; De Vries, E. PET imaging in multiple sclerosis. J. Neuroimmune Pharmacol. 2014, 9, 468–482. [Google Scholar] [CrossRef]
- Le Fur, G.; Perrier, M.L.; Vaucher, N.; Imbault, F.; Flamier, A.; Benavides, J.; Uzan, A.; Renault, C.; Dubroeucq, M.C.; Gueremy, C. Peripheral benzodiazepine binding sites: Effect of PK 11195, 1-(2-chlorophenyl)-N-methyl-N-(1-methylpropyl)-3-isoquinolinecarboxamide. I. In vitro studies. Life Sci. 1983, 32, 1839–1847. [Google Scholar] [CrossRef]
- Liu, T.-W.; Chen, C.-M.; Chang, K.-H. Biomarker of Neuroinflammation in Parkinson’s Disease. Int. J. Mol. Sci. 2022, 23, 4148. [Google Scholar] [CrossRef] [PubMed]
- Hasnain, N.; Mustafa, R.M.; Bakhshi, S.K.; Shamim, M.S. Efficacy of Positron Emission Tomography in distinguishing brain tumours from inflammation. J. Pak. Med. Assoc. 2020, 70, 2291–2293. [Google Scholar] [PubMed]
- Gao, Z.-W.; Huang, Y.-Y.; Zhang, J.-Q.; Rong, J.-Y.; Qiao, G.-Y.; Chen, N.; Yu, G.-D.; Luo, M.; Liu, X.-F. Paeoniflorin elicits the anti-proliferative effects on glioma cell via targeting translocator protein 18 KDa. J. Pharmacol. Sci. 2020, 145, 115–121. [Google Scholar] [CrossRef]
- Su, Z.; Herholz, K.; Gerhard, A.; Roncaroli, F.; Du Plessis, D.; Jackson, A.; Turkheimer, F.; Hinz, R. [11C]-(R)PK11195 tracer kinetics in the brain of glioma patients and a comparison of two referencing approaches. Eur. J. Pediatr. 2013, 40, 1406–1419. [Google Scholar] [CrossRef]
- Bhoola, N.H.; Mbita, Z.; Hull, R.; Dlamini, Z. Translocator Protein (TSPO) as a Potential Biomarker in Human Cancers. Int. J. Mol. Sci. 2018, 19, 2176. [Google Scholar] [CrossRef]
- Tortelli, T.C.; Tamura, R.E.; Junqueira, M.D.S.; Mororó, J.D.S.; Bustos, S.O.; Natalino, R.J.M.; Russell, S.; Désaubry, L.; Strauss, B.E.; Chammas, R. Metformin-induced chemosensitization to cisplatin depends on P53 status and is inhibited by Jarid1b overexpression in non-small cell lung cancer cells. Aging 2021, 13, 21914–21940. [Google Scholar] [CrossRef] [PubMed]
- Madera, L.; Greenshields, A.L.; Coombs, M.R.P.; Hoskin, D.W. 4T1 Murine Mammary Carcinoma Cells Enhance Macrophage-Mediated Innate Inflammatory Responses. PLoS ONE 2015, 10, e0133385. [Google Scholar] [CrossRef]
- Rodrigues Viana, C.T.; Ribeiro Castro, P.; Motta Marques, S.; Paz Lopes, M.T.; Gonçalves, R.; Peixoto Campos, P.; Andrade, S.P. Differential Contribution of Acute and Chronic Inflammation to the Development of Murine Mammary 4T1 Tumors. PLoS ONE 2015, 10, e0138408. [Google Scholar] [CrossRef]
- Mantovani, A.; Sica, A.; Sozzani, S.; Allavena, P.; Vecchi, A.; Locati, M. The chemokine system in diverse forms of macrophage activation and polarization. Trends Immunol. 2004, 25, 677–686. [Google Scholar] [CrossRef]
- Li, Y.; Wu, H.; Ji, B.; Qian, W.; Xia, S.; Wang, L.; Xu, Y.; Chen, J.; Yang, L.; Mao, H. Targeted Imaging of CD206 Expressing Tumor-Associated M2-like Macrophages Using Mannose-Conjugated Antibiofouling Magnetic Iron Oxide Nanoparticles. ACS Appl. Bio Mater. 2020, 3, 4335–4347. [Google Scholar] [CrossRef] [PubMed]
- Li, X.; Wang, R.; Zhang, Y.; Han, S.; Gan, Y.; Liang, Q.; Ma, X.; Rong, P.; Wang, W.; Li, W. Molecular imaging of tumor-associated macrophages in cancer immunotherapy. Ther. Adv. Med. Oncol. 2022, 14, 17588359221076194. [Google Scholar] [CrossRef] [PubMed]
- Li, J.; Smith, J.A.; Dawson, E.S.; Fu, A.; Nickels, M.L.; Schulte, M.L.; Manning, H.C. Optimized Translocator Protein Ligand for Optical Molecular Imaging and Screening. Bioconjugate Chem. 2017, 28, 1016–1023. [Google Scholar] [CrossRef] [PubMed]
- Wu, X.; Gallo, K.A. The 18-kDa Translocator Protein (TSPO) Disrupts Mammary Epithelial Morphogenesis and Promotes Breast Cancer Cell Migration. PLoS ONE 2013, 8, e71258. [Google Scholar] [CrossRef] [PubMed]
- Wu, C.; Yue, X.; Lang, L.; Kiesewetter, D.O.; Li, F.; Zhu, Z.; Niu, G.; Chen, X. Longitudinal PET Imaging of Muscular Inflammation Using 18F-DPA-714 and 18F-Alfatide II and Differentiation with Tumors. Theranostics 2014, 4, 546–555. [Google Scholar] [CrossRef] [PubMed]
- Ashton, T.M.; McKenna, W.G.; Kunz-Schughart, L.A.; Higgins, G.S. Oxidative Phosphorylation as an Emerging Target in Cancer Therapy. Clin. Cancer Res. 2018, 24, 2482–2490. [Google Scholar] [CrossRef] [PubMed]










Publisher’s Note: MDPI stays neutral with regard to jurisdictional claims in published maps and institutional affiliations. |
© 2022 by the authors. Licensee MDPI, Basel, Switzerland. This article is an open access article distributed under the terms and conditions of the Creative Commons Attribution (CC BY) license (https://creativecommons.org/licenses/by/4.0/).
Share and Cite
de Souza, A.M.; Real, C.C.; Junqueira, M.d.S.; Estessi de Souza, L.; Navarro Marques, F.L.; Buchpiguel, C.A.; Chammas, R.; Sapienza, M.T.; de Paula Faria, D. Potential of [11C](R)-PK11195 PET Imaging for Evaluating Tumor Inflammation: A Murine Mammary Tumor Model. Pharmaceutics 2022, 14, 2715. https://doi.org/10.3390/pharmaceutics14122715
de Souza AM, Real CC, Junqueira MdS, Estessi de Souza L, Navarro Marques FL, Buchpiguel CA, Chammas R, Sapienza MT, de Paula Faria D. Potential of [11C](R)-PK11195 PET Imaging for Evaluating Tumor Inflammation: A Murine Mammary Tumor Model. Pharmaceutics. 2022; 14(12):2715. https://doi.org/10.3390/pharmaceutics14122715
Chicago/Turabian Stylede Souza, Aline Morais, Caroline Cristiano Real, Mara de Souza Junqueira, Larissa Estessi de Souza, Fábio Luiz Navarro Marques, Carlos Alberto Buchpiguel, Roger Chammas, Marcelo Tatit Sapienza, and Daniele de Paula Faria. 2022. "Potential of [11C](R)-PK11195 PET Imaging for Evaluating Tumor Inflammation: A Murine Mammary Tumor Model" Pharmaceutics 14, no. 12: 2715. https://doi.org/10.3390/pharmaceutics14122715
APA Stylede Souza, A. M., Real, C. C., Junqueira, M. d. S., Estessi de Souza, L., Navarro Marques, F. L., Buchpiguel, C. A., Chammas, R., Sapienza, M. T., & de Paula Faria, D. (2022). Potential of [11C](R)-PK11195 PET Imaging for Evaluating Tumor Inflammation: A Murine Mammary Tumor Model. Pharmaceutics, 14(12), 2715. https://doi.org/10.3390/pharmaceutics14122715

