Abstract
Tree genetic diversity is among the most important factors determining the sustainability of forest ecosystems. The main aim of the present study was to track possible changes in genetic diversity of regenerating populations of Norway spruce (Picea abies (L.) H. Karst) and Scots pine (Pinus sylvestris L.) in areas subjected either to a natural disturbance (windthrows and subsequent clear-cutting of the affected spruce stand) or to a changed land-use legacy (pine regeneration on abandoned agricultural land) with the aim of testing whether the new forest generation retains the genetic diversity of the putative maternal stand. Eight highly polymorphic microsatellite loci were used to reveal the genetic diversity and its spatial distribution in the studied tree populations. Self-regenerating juveniles of Norway spruce and Scots pine were spatially random and as genetically diverse as in the putative maternal populations. Genetic differentiation between putatively maternal trees and regenerating juveniles was low for both species. A high genetic diversity and random spatial genetic structure revealed in the regenerating populations provides a basis for the formation of evolutionary and ecologically sound stands able to adapt to ever-changing climatic conditions. Information on the genetic dynamics of the studied natural populations of long-lived coniferous tree species may be important for evaluating possible changes in genetic diversity at a local scale following forest ecosystem disturbances and changes in land-use legacies.
1. Introduction
In Europe, most forests have experienced a long history of human intervention and impact on ecosystems. However, long generation times, large effective population sizes, efficient gene flow and the predominance of natural regeneration have contributed to the maintenance of high genetic variation in widespread tree species [1,2,3,4,5]. The genetic diversity of tree populations is a crucial factor ensuring the stability and functionality of a forest ecosystem [6]. Today, there is a serious concern about the potential loss of genetic diversity in commercial forest tree species [7], and this concern becomes even more significant in a context of global climate change [1]. To date, genetic diversity of forest tree species in Europe is considered to be sufficient to guarantee their survival and adaptation to changing climatic conditions [8,9]. However, the prognosed rapid climate change may compromise natural adaptability of many tree species, thus disturbing evolutionary mechanisms that help to cope with changes in environmental conditions.
Trees are regarded as the most genetically diverse terrestrial organisms on our planet [2]. Many tree species exhibit high phenotypic plasticity and are able to adapt to different and ever-changing climatic conditions. Demographic factors, such as pollen dispersal, timing of flowering, stand stocking level and tree distribution pattern in a stand affect genetic diversity and its distribution in forest tree populations [10,11,12,13,14]. Genetic diversity in tree populations may sharply decrease due to considerable tree mortality caused by some severe natural disturbance (or cuttings by humans) or a reduction of tree number through stand self-thinning. Usually, positive correlations are reported to exist among plant population size, its fitness and within-population genetic diversity [15]. However, there are studies showing no clear correlation in this respect, for example, Chomicz-Zegar et al. [16] found no significant effect of the drastic reduction in Norway spruce (Picea abies (L.) H. Karst) population size that occurred due to forest decline on the genetic diversity of spruce regeneration. To explain this, the assumptions were made that this regeneration originated from seed trees that were still largely present in this stand at the initial phase of forest decline (i.e., when spruce population size has not yet been significantly affected); otherwise, loss of genetic diversity could be compensated by gene flow from adjacent spruce stands, intensified due to the reduction of stand density (Norway spruce is a wind-pollinated species with wind-dispersed seeds). Study of the effect of different forest management practices on genetic properties of European beech (Fagus sylvatica L.) populations also revealed no drastic genetic diversity loss due to population size reduction [17]. In this particular case, the retention of beech genetic diversity was explained by the presence of a sufficient number of reproductive maternal trees.
Tree populations regenerating after severe natural or human-caused disturbances may also experience a genetic bottleneck (sharp reduction in genetic diversity) and/or a founder effect. The bottleneck effect may be more pronounced on clear-cut sites where seedlings are subjected to harsher microclimatic conditions (severe spring frosts, prolonged droughts, high summer temperatures, etc.) than regenerating under a stand shelter [18]. The founder effect may be expected when a few maternal trees growing at the edge of a clear-cut site contribute most to the next generation, resulting in reduced effective population size and reduced genetic diversity in the new generation. Some specific alleles may differ between the maternal population and the progeny with higher genetic diversity and more rare alleles present in the latter [19,20]. The higher number of rare alleles in the progeny populations may probably occur due to the gene flow from adjacent populations. The assumptions were made that rare alleles, particularly those with small effects, may possess genetic variation useful for future adaptations to a changing environment [21,22].
Facing climate change, the need of genetic monitoring of forest tree populations has been recognised [23,24,25]. Genetic monitoring which has been defined as “tracking of temporal changes in the genetic variation and structure of tree populations” is the only way to verify how well genetic diversity is maintained over time, and how this diversity is affected by climate change and forest management practices [23]. According to Fussi et al. [26], there is a lack of experience regarding the evaluation of potential changes between assessments of genetic parameters (repeated genetic analysis of the same population in certain time intervals), although some ideas have been postulated, including the comparison to reference stands [27], interpretation of time series of genetic data [28], and comparison of different generations within stands [29,30,31].
The preservation of genetic diversity within forest tree populations is very important for species survival and for the stability of entire ecosystems, which could be achieved through assessment of genetic diversity and subsequent understanding of its spatial and temporal distribution both in parental and in regenerating stands [13,32]. The spatial distribution of genetic diversity in forest stands influences subsequent mating, as the majority (approximately 70%) of seeds are produced by trees whose flowers have been fertilised by pollen from neighbouring trees growing within a radius of 15 m around the maternal tree [33,34]. Temporal distribution of genetic diversity in forest stands reflects ongoing natural selection and is normally reduced along with increasing stand age [35,36,37].
In Lithuania, the majority of conifer (Norway spruce and Scots pine (Pinus sylvestris L.)) clear-cut sites are subjected to artificial or mixed reforestation. According to Lithuanian Statistical Yearbook of Forestry [38], each year only about 300 ha of conifer stands disturbed by anthropogenic (e.g., clear-cutting sites) or natural catastrophic disturbances (e.g., cleared windthrow sites) are left for self-regeneration; i.e., the majority of such disturbed areas are subjected to artificial reforestation. However, the ongoing development of ecological forestry will likely govern an increase in the proportion of disturbed forest areas left for natural regeneration. Therefore, there is a growing interest in the assessment of possible changes in genetic diversity of self-regenerating forest stands in areas subjected to natural or human-caused disturbances.
Currently, the genetic diversity of plant populations is mostly investigated using the microsatellite method (e.g., [3,4,5,39,40]). This method has some limitations because of a questionable mutation mechanism which is not considered in most modern computer programs used in population studies [41]. The microsatellite method may be inferior compared to a single nucleotide polymorphism (SNP) analysis in hybrid detection [42], inbreeding assessment [43] or parentage and kinship analyses [44,45], but it proves to be very useful in studies that focus on small spatial scales, for applications that require good resolution and cross-species range [41,46].
The main aim of the present study was to track possible changes in genetic diversity of regenerating populations of coniferous trees—Norway spruce and Scots pine—in forest areas subjected to either severe disturbances occurring increasingly with climate change (windthrows and subsequent clear-cutting of the affected stands, in the case of Norway spruce), or to changed land-use legacy (Scots pine regeneration on abandoned agricultural land). Microsatellite DNA markers were used to investigate and compare the genetic properties of putative maternal Norway spruce and Scots pine stands and self-regenerating juveniles of the respective conifer species.
Results of the present study showed that self-regenerating juveniles of Norway spruce and Scots pine, even when growing in severely disturbed forest ecosystems or on abandoned agricultural lands, are able to maintain the same or an even higher level of genetic diversity than is present in the putative maternal stands of the respective tree species. Moreover, genetic differentiation between putatively maternal populations and regenerating juveniles was found to be low for both species. The high genetic diversity and random spatial genetic structure revealed in the studied regenerating populations provides a basis for the formation of evolutionary and ecologically sound future stands that will meet the requirements for sustaining the adaptability and plasticity of the species.
Our study suggests a likely model of genetic dynamics within natural populations of economically important long-lived coniferous tree species in Lithuania, which may be important for evaluating possible changes in genetic diversity at a local scale following forest ecosystem disturbances and changes in land-use legacies.
2. Materials and Methods
Plant material. Two stands representing each of the two most economically important coniferous tree species in Lithuania, Norway spruce and Scots pine, were selected for this pilot study. The selected stands represented Norway spruce and Scots pine habitats that are typical of Lithuania.
The Norway spruce site (Dubrava State Forest Enterprise, Kaunas region, Central Lithuania, coordinates 54°50.150′ N; 24° 04.109′ E; Myrtillo-oxalidosa forest site type (according to Karazija [47])) represented a pure 50-years-old natural Norway spruce stand disturbed by windthrows in 2010 and self-regenerating following clearing of the worst affected area (2.6 ha) in 2011. At the time of sampling, the age of the regenerating spruce seedlings was 1–5 years. The Scots pine site (Tytuvėnai State Forest Enterprise, Raseiniai region, Western Lithuania, coordinates 55°31.934′ N; 23°10.858′ E; Vaccinio-myrtillosa forest site type (according to Karazija [47])) represented approx. 3-years-old self-regeneration of Scots pine and silver birch (Betula pendula Roth) on abandoned agricultural land. Those 1.5–2.0-km-wide abandoned agricultural fields stretched along southern and eastern sides of the regenerating stand (Figure 1). The self-regenerating seedlings have most likely originated from seeds of the adjacent 60-years-old natural mixed pine-birch stand growing to the north-west of the regenerating area, although input from more distant Scots pine stands (growing approx. one kilometer away from the regenerating site to the south and to the east) should not be completely excluded.
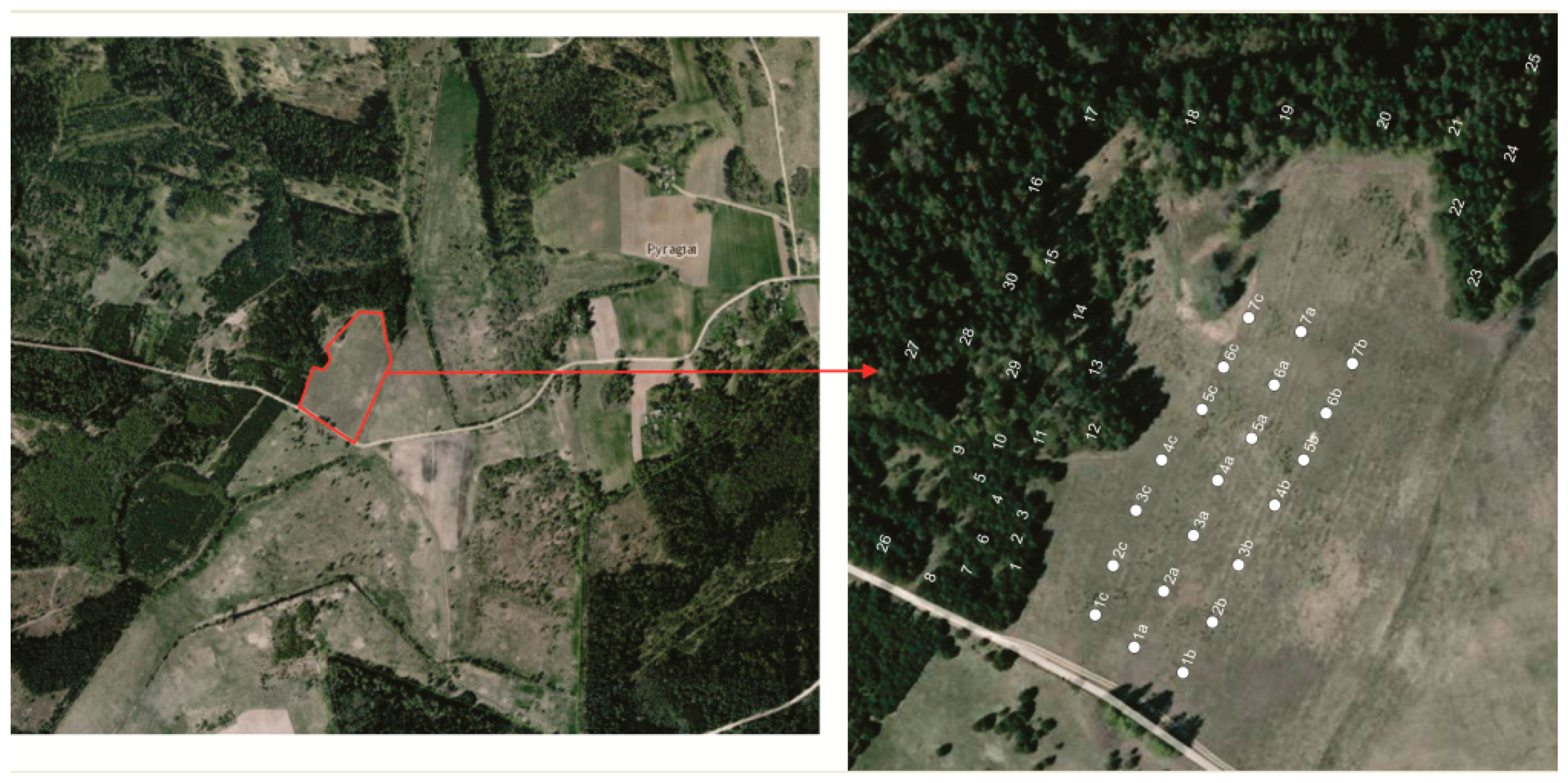
Figure 1.
Sampling scheme in a self-regenerating Scots pine/silver birch stand (light grey area) and in a surrounding putatively maternal mixed Scots pine-silver birch stand (dark green area). White dots labelled with numbers from 1a to 7a show seven circular sampling plots in a regenerating site, while dots labelled with numbers from 1b to 7b and 1c to 7c show additional Scots pine seedling sampling locations. Numbers not associated with dots (1–30) indicate locations of sampled putative maternal (seed) trees in the surrounding stand.
At each site, samples for genetic studies of forest regeneration were collected in seven linearly distributed circular plots with a diameter of 3 m (locations 1a to 7a, Figure 1 and Figure 2). The distance between each of the two plots was 25 m. In each plot, six seedlings of either Norway spruce (spruce site) or Scots pine (pine site) were randomly sampled, except one plot within the spruce site where only five spruce seedlings were found. Six additional seedlings of the respective species were sampled outside the circular plots—in two opposite locations (three seedlings in each) situated at 20-m distance from each circular plot (locations 1b to 7b and 1c to 7c, Figure 1 and Figure 2), perpendicularly to a line crossing all seven circular plots. In this way, a total of 84 seedlings were sampled at the pine site and 83 seedlings at the spruce site. The circular plots and additional sampling locations were more or less evenly distributed over the self-regenerating sites (Figure 1 and Figure 2). Such a sampling scheme was chosen to reveal any possible genetic relatedness among seedlings of the respective tree species growing in compact territories (clumps) of equal size, and to check for the presence of spatial genetic structure within these seedling clumps. Also, at each forest site, sampling of 30 mature well developed (seed-producing) trees of either Norway spruce (spruce site) or Scots pine (pine site), that have likely contributed as seed sources for the regenerating sites, was performed in surrounding “undisturbed” putatively maternal stands of the respective species (Figure 1 and Figure 2). To the south-east of the Norway spruce regeneration site, the surrounding stand was dominated by Scots pine with an admixture of only few Norway spruce trees growing at the edge of this stand, most of which were sampled for the present study (Figure 2).
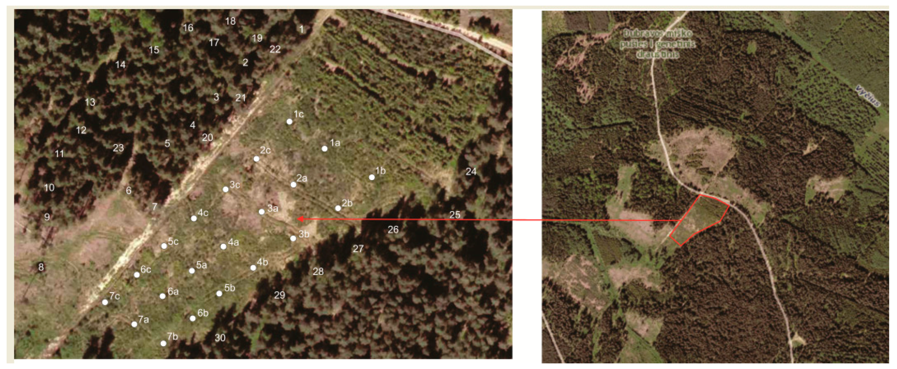
Figure 2.
Sampling scheme in a self-regenerating cleared windthrow site (light green) within a Norway spruce stand and in a surrounding undisturbed stand with an admixture of putatively maternal Norway spruce trees (dark green area). White dots labeled with numbers from 1a to 7a show seven circular sampling plots in a regenerating site, while dots labeled with numbers from 1b to 7b and 1c to 7c show additional sampling locations. Numbers not associated with dots (1–30) indicate locations of sampled putative maternal (seed) trees in the undisturbed stand.
Sampling of plant material was carried out in winter 2016. Fully developed, healthy needles (approximately 100 needles of Norway spruce and 20 of Scots pine) were collected from every sample tree, placed into plastic sampling bags and transported to the laboratory. Prior to processing, all samples were stored at −20 °C.
DNA extraction. DNA from needle samples was extracted following a modified CTAB protocol for plant DNA extraction [48]. Prior to DNA extraction, 1 g of unsterilised needles from each sample was homogenised in liquid nitrogen using a mortar and pestle. The resulting powder was immediately placed in a 2-mL centrifugation tube containing 1 mL of CTAB extraction buffer (3% cetyltrimethylammonium bromide, 2 mM EDTA, 150 mM Tris-HCl, 2.6 M NaCl, 2% PVP 40, pH8), and incubated at 65 °C for one hour. After centrifugation for 5 min at 8000 rpm, the supernatant (about 650 μL) was transferred to a new 1.5-mL Eppendorf tube and mixed with an equal volume of chloroform. After a second centrifugation for 8 min at 10,000 rpm, the supernatant was precipitated with two volumes of ice-cold isopropanol, washed with 70% ethanol and re-suspended in 100 μL of 10 mM Tris/1mM EDTA, pH 7.4 (TE) buffer. The concentration of the extracted DNA was determined using a spectrophotometer Implen P330 (Implen GmbH, Munich, Germany) and diluted in MiliQ water to a concentration of 10 ng/μL.
Microsatellite analysis. Eight SSR loci have been chosen for the genetic investigations. This number of loci is regarded sufficient to produce reliable results in population studies [49]. Fewer unlinked SSR markers are needed to detect structure at recent divergence times of populations [50].
Primers for the genetic analysis of Norway spruce samples were adopted from Fluch et al. [51], and for the analysis of Scots pine samples from Soranzo et al. [39] (Spac12.5, Spac11.4 and Spac7.14), Sebastiani et al. [52] (Psyl16, Psyl57 and Psyl18) and Elsik et al. [53] (PtTX4001 and PtTX4011) (Table 1).
Table 1.
Analysed loci of Norway spruce (Picea abies (L.) H. Karst) and Scots pine (Pinus sylvestris L.), sequences of microsatellite primers, repeat motifs, used fluorescent labelling dyes and specific primer annealing temperatures (Ta).
Amplification of Norway spruce DNA was performed separately for each sample, while Scots pine DNA was amplified in three multiplex reactions (multiplex A—primer Spac7.14, multiplex B—primers psyl18 and psyl57, and multiplex C—primers psyl16, Spac11.4, Spac12.5, PtTX4001 and PtTX4011). The PCR mix consisted of 1.5 μL of PCR buffer with MgCl2 (final concentration 2mM), 0.3 μL of dNTP mix (10 mM each), 0.5 U of Dream Taq DNA polymerase (Thermo Fisher Scientific, Vilnius, Lithuania), 1 μL (5 pmol) of each of the two primers (forward—fluorescent labelled primer; reverse—unlabelled primer) and 20 ng of the sample DNA. PCR was performed in a Bioer Thermal Cycler (Bioer Technologies, Hangzhou, China). PCR conditions for Norway spruce DNA samples: initial denaturation for 15 min at 95 °C, followed by 35 cycles consisting of 50 s at 95 °C, 50 s at temperature specific for the respective primers (Ta, Table 1) and 105 s at 72 °C, with a final extension for 10 min at 72 °C. PCR conditions for Scots pine DNA samples: initial denaturation for 15 min at 95 °C, followed by 30 cycles consisting of 30 s at 94 °C, 90 s at temperature specific for the respective primers (Ta, Table 1) and 30 s at 72 °C, with a final extension for 30 min at 60 °C.
Amplicons were purified by precipitation in a mixture of 1/10 volume of 3 M NaAC and 2 volumes of ice-cold (−20 °C) 96% ethanol, vortexed for 10 min, incubated overnight at −20 °C, and centrifuged for 5 min at 13,000 rpm. The resulting supernatant was discarded, the pellets were dried and re-suspended in 5 μL of MilliQ water. PCR products of each sample (i.e., of one sample representing one tree) were pooled together and 3 μL of the resulting mix was diluted in 15 μL of formamide and 0.5 μL of fluorescent labelled inner size standard (Gene Scan 600 Liz standard, Applied Biosystems, Waltham, MA, USA) and analysed using an ABI 3500 genetic analyser (Applied Biosystems, Waltham, MA, USA). Obtained microsatellite data was analysed with Geneious computer software R10 [54].
Statistical analysis. GenAlEx v. 6.5 software [55,56] was used to determine the total (Na) and effective (Ne) number of alleles, observed (Ho) and expected (He) heterozygosity, fixation index for all markers used (F), Shannon genetic diversity index (I), departure from the Hardy–Weinberg equilibrium for each marker, level of genetic variation within regenerating and surrounding “undisturbed” stands (Fis), pairwise FST values [57] between samples representing regenerating and surrounding “undisturbed” stands. Gene flow between sample groups of trees was given as the Nm parameter [58]. Principal Component Analysis (PCA) of microsatellite multi-locus genotypes (MLG’s) was made using GenAlEx v. 6.5 software to evaluate if and to what extent groups of the regenerated and putatively maternal trees are genetically different from each other.
The Bayesian clustering approach was implemented using STRUCTURE v 2.1 [59,60,61,62], for inferring the number of clusters. An admixture model was employed, where correlated allele frequencies have been assumed, and the K value (i.e., the number of clusters) was set from 1 to 16. The likely number of K was defined using heuristic methods [62], and the likely number of clusters for each investigated species was defined as follows: seven sampling plots of juveniles in a study site plus an equal number of possible clusters (seven) for putatively maternal trees, plus two additional clusters, which makes 16 possible clusters in total. The length of the burn-in period was set to 100,000 iterations, and the Monte Carlo Markov Chain (MCMC) model after burn-in was run for additional 100,000 iterations. Each run for different K value was replicated 10 times. The most likely number of clusters was identified by delta K (ΔK) criterion using STRUCTURE Harvester computer software [63]; the calculations were based on the second-order rate of change of the likelihood (ΔK) [64]. A Mantel test was performed with GenAlEx v. 6.5 software [55,56] to estimate the correlation between pairwise genetic and spatial distances and its significance performing 9999 permutations. The spatial distribution maps of regenerating trees were constructed based on the most likely number of clusters found.
3. Results
The genetic diversity analysis based on eight nuclear microsatellite loci for each species showed that all examined Scots pine (n = 114) and Norway spruce (n = 113) trees (both, putatively maternal and regenerating ones) represented unique microsatellite multi-locus genotypes (MLGs). All investigated microsatellite loci were polymorphic and revealed 5 to 23 different alleles each. A total of 104 and 75 different alleles were identified for Scots pine and Norway spruce, respectively. The highest numbers of alleles in Scots pine were found in loci Spac7.14 and Spac11.4 (23 and 19 alleles, respectively), and in Norway spruce, 23 alleles were identified in locus PA48. The mean numbers of alleles were 11.13 and 7.81 for Scots pine and Norway spruce, respectively.
The results of PCA analysis, showing to what extent the groups of the regenerated and putatively maternal trees of the studied species are genetically different from each other, are presented in Figure 3 and Figure 4. MLGs of Norway spruce juveniles, even when growing in compact territories (within circular sample plots), showed no clear pattern of grouping, and overlapped to a great extent with MLGs of the putatively maternal trees from the surrounding stand which also showed no grouping pattern (Figure 3).
Figure 3.
Principal Component Analysis (PCA) diagram showing the distribution of Norway spruce tree microsatellite multi-locus genotypes, based on data from eight genetic markers. 1a to 7a, 1b to 7b and 1c to 7c, groups of three to six sampled self-regenerating Norway spruce juveniles in each of the respectively numbered sampling plots (Figure 2); M1–M30, putatively maternal Norway spruce trees from the surrounding stand (for tree distribution, see Figure 2).
Figure 4.
PCA diagram showing the distribution of Scots pine tree microsatellite multi-locus genotypes, based on data from eight genetic markers. 1a to 7a, 1b to 7b and 1c to 7c groups of three to six sampled self-regenerating Scots pine juveniles in each of the respectively numbered sampling plots (Figure 2); M1–M30, putatively maternal Scots pine trees from the surrounding stand (for tree distribution, see Figure 2).
Microsatellite data from PCA analysis of Scots pine DNA revealed that most MLGs of putatively maternal trees grouped together, while MLGs of Scots pine juveniles showed a scattered pattern of distribution and partly overlapped with grouped MLGs of trees from the maternal stand (Figure 4).
The Mantel test revealed no significant correlation between genetic and spatial distances of any of the studied species (supplementary material S1).
To check whether regenerating juveniles retain the same amount of genetic diversity as putatively maternal trees from surrounding stands, the main parameters of genetic diversity were calculated (Table 2). For both investigated species, the mean number of alleles in regenerating juveniles was higher compared to putatively maternal trees. The observed and expected heterozygosity in Norway spruce juveniles was slightly higher than in putatively maternal trees, while in Scots pine the situation was opposite. The fixation index for Norway spruce was negative, indicating negative assortative mating, while for Scots pine it was also negative, yet close to zero indicating random mating. Norway spruce and Scots pine juveniles had 18 and 20 private alleles, while putatively maternal trees had only 7 and 10 private alleles, respectively.
Table 2.
Main parameters of genetic diversity, calculated for putatively maternal and self-regenerating Norway spruce (Picea abies (L.) H. Karst) and Scots pine (Pinus sylvestris L.) trees.
In both conifer species, most of the genetic variation was found within juveniles and within mature putatively maternal trees, and only a small amount of variation occurred between juveniles and mature trees (Table 3). The lowest Fst values were found for loci PA22 and Psyl57 and the highest were found for loci PA48 and Spac12.5 for Norway spruce and Scots pine, respectively.
Table 3.
Coefficients of genetic variation calculated for eight microsatellite loci of Norway spruce (Picea abies (L.) H. Karst) and Scots pine (Pinus sylvestris L.).
The genetic distance between investigated regenerating juveniles and putatively maternal trees from surrounding stands, expressed as Fst, was 0.014 and 0.020 for Norway spruce and Scots pine, respectively. The genetic distance was twice as high for Scots pine as for Norway spruce, thus confirming PCA results, where MLGs of spruce juveniles were largely intermixed with MLGs of putatively maternal trees, while in the case of pine this intermix was far less expressed (Figure 3 and Figure 4).
It is generally considered that a value of Nm >1 indicates high gene flow rates within a population [65]. In our study, the gene flow between putatively maternal and young (regenerating) forest generations was very high both for Norway spruce and Scots pine (Nm = 71.4 and 41.7, respectively). All studied loci were tested for departure from the Hardy–Weinberg equilibrium. The obtained results showed that in juvenile trees the majority of loci (except Spac11.4 and Psyl57) significantly deviated from the equilibrium. In putatively maternal trees, deviations from the Hardy–Weinberg equilibrium were less pronounced as Norway spruce loci PA25, PA28, PA48 and Scots pine loci PtTX4001, PtTX4011 and Psyl57 were within the equilibrium.
In the STRUCTURE analysis, the ΔK suggested that K = 2 number of groups allows the best grouping of both Norway spruce and Scots pine MLGs, while K = 3 is the second best grouping (Figure 5).
Figure 5.
Graphical output of STRUCTURE results for K = 2 and K = 3 in populations of Norway spruce (Picea abies (L.) H. Karst) and Scots pine (Pinus sylvestris L.). Putatively maternal trees—mature trees of the respective species from adjacent surrounding stands (30 trees of each species); while nos. 1a to 7a, 1b to 7b and 1c to 7c indicate groups of three to six sampled self-regenerating juveniles of respective species in each of the respectively numbered sample plots (see Figure 2).
All sampled Norway spruce trees (both putative maternal and juvenile trees) showed spatially intermixed structure of the genetic clusters regardless of the number of clusters as revealed by STRUCTURE analysis, while for Scots pine the situation was slightly different: the putative maternal trees showed a distinct pattern as compared to their regenerating juveniles (Figure 5, Figure 6 and Figure 7). In Scots pine, putative maternal trees were essentially comprised of one (for K = 2) or two (for K = 3) genetic entities, while the progeny was comprised of two (for K = 2) or three (for K = 3) genetic entities (Figure 5). To discover any possible spatial genetic structure among the regenerating juveniles, spatial distribution maps were constructed (Figure 6 and Figure 7). The presented results are based on individual tree assignment data to one of the two and three most likely clusters (as calculated by STRUCTURE).
Figure 6.
Spatial distribution map of sampled Norway spruce (Picea abies (L.) H. Karst) juveniles regenerating in a clear-cut site of a windthrown spruce stand (see Figure 2 for more information). Circles show STRUCTURE groups of individual juveniles as assigned to two (A) and three (B) most likely genetic clusters.

Figure 7.
Spatial distribution map of sampled Scots pine (Pinus sylvestris L.) juveniles regenerating on abandoned agricultural land (see Figure 1 for more information). Circles show STRUCTURE groups of individual juveniles as assigned to two (A) and three (B) most likely genetic clusters.
Spatial genetic distribution of Norway spruce and Scots pine self-regenerating juveniles, based on two and three most likely clusters as revealed by STRUCTURE, showed no clear pattern (Figure 6 and Figure 7) and should be regarded as generally random with variable proportions of juveniles belonging to different genetic clusters within each group of the sampled individuals.
4. Discussion
The detected high genetic diversity within the studied populations of Norway spruce and Scots pine regardless of the tree age (generation gaps) was of similar level as has been reported in other genetic studies of European populations of these species (e.g., [3,4,5,31,40,66,67]).
The results of the present study showed that self-regenerating juveniles of Norway spruce and Scots pine, even when growing in severely disturbed forest ecosystems or on abandoned agricultural lands, are able to maintain the same or an even higher level of genetic diversity compared to the putative maternal population of the respective species. Higher genetic diversity in the regeneration indicates that recombination and gene flow from not sampled more distant sources might have outweighed the loss of genetic diversity that has possibly occurred in the investigated sites (i.e., putative maternal stands) due to natural selection during ontogenesis. Similar results were obtained in studies of natural regeneration of Scots pine [30,31] and Norway spruce [31] growing in forest understory. Higher genetic diversity in progenies of various tree species has also been found in other studies [19,20], yet this diversity tended to decrease over time probably because of natural selection [35,36,37]. The regenerating Scots pine seedlings retained the same (Swedish study by Yazdani et al. [30]) or a slightly increased level of expected heterozygosity (Polish study by Nowakowska et al. [31]) as compared to maternal trees. In a Norway spruce stand, despite a small reduction (0.9%) in heterozygosity, Nowakowska et al. [31] found a similar increase (4.6%) in the inbreeding coefficient of the progeny. In our study, the observed deviations from the Hardy–Weinberg equilibrium in regenerating juveniles and the lack of homozygosity in both tree species investigated herein might be the result of natural selection during species establishment in disturbed environments, or this might be related to the specific sampling scheme applied (juveniles sampled in compact circular plots).
Scots pine is a pioneer tree species that readily regenerates after forest fires, windthrows, wind-snaps or clear-cutting, and Norway spruce is a secondary tree species although it also regenerates abundantly after clear-cutting on mesic sites. A family structure usually develops on such sites and leads to some degree of inbreeding due to outcrossing among “close relatives” [68,69]. The inbreeding due to outcrossing of the related individuals or assortative mating, as well as selection against heterozygotes, the Wahlund effect (population subdivision into separate breeding units) or selection-induced microscale differentiation, can also cause a heterozygote deficiency, thus reducing genetic diversity [69,70,71,72]. It is most likely that none of the above-mentioned factors had any impact on the genetic diversity of tree populations in both our study sites as the fixation index indicated the excess of heterozygous individuals.
In both Scots pine and Norway spruce, the mean numbers of alleles found in regenerating juveniles were slightly higher than those of putatively maternal trees of the respective species. Nowakowska et al. [31], however, reported an opposite trend—the mean number of alleles per locus in regenerating juveniles was somewhat lower than in adult (maternal) trees. Moreover, Nowakowska et al. [31] demonstrated a non-significant heterozygote deficiency in regenerating juveniles of both tree species, while in our study the inbreeding coefficient indicates homozygote deficiency. This difference might be due to stronger natural selection against homozygotes in slightly harsher microclimatic conditions (more frequent and harder spring frosts, prolonged drought periods, higher summer temperatures, etc.) in open areas (our study) as compared to conditions for juveniles self-regenerating under the stand shelter (the Polish study [31]) [18]. A positive correlation between the level of heterozygosity and the adaptation of a population during evolution in many plant and animal species has been reported [73].
We detected high gene flow rates (Nm > 1) between self-regenerating juveniles and putatively maternal trees of both studied tree species; therefore, it can be assumed that the putative maternal trees have played an important role in shaping the gene pool of the regeneration. Our study revealed a slightly more varied gene pool of the regenerating juveniles as compared with putatively maternal trees (1.8% increase of heterozygosity for Norway spruce and 4.2% increase for Scots pine). Nowakowska et al. [31] found a slightly more varied gene pool in regenerating Norway spruce (heterozygosity increases by 0.6%) and a less varied gene pool in regenerating Scots pine (decrease of heterozygosity by 0.9%). The observed small changes in the pool of both generations are due to differences in allele frequencies most likely caused by natural selection [31]. In our study, the higher mean number of alleles per locus and higher number of private alleles in the regenerating juveniles of both tree species (as compared to putatively maternal trees of the respective species) also give an indication of intensive gene flow from more distant stands which is an important mechanism for transferring genetic diversity.
In north-eastern Europe, both coniferous species studied herein, due to their wide and continuous distribution range, are characterised by low population differentiation [67,74]. As could be expected, the genetic distances between the two generations of each Norway spruce and Scots pine growing in relatively compact territories, were lower than those reported for these species by other authors in studies of wider spatial scales (e.g., [40,67,74,75,76]). The genetic identity of generations was high, progeny populations had the same major alleles, but differed in occurrence of rare alleles. Similarly, in a Polish study, very low genetic differentiation was found between self-regenerating juveniles in a forest understory and maternal trees of both Scots pine and Norway spruce [31].
The results of the present study showed that the genetic distance between putatively maternal and regenerating juvenile Scots pine trees was larger compared to the genetic distance between Norway spruce generations. This difference could occur due to peculiarities of our study sites: the spruce site was surrounded by a seed-producing spruce stand where the arrival of seeds from more distant populations was less likely compared to a more open pine site (pine regeneration has established on abandoned agricultural land at the edge of a forest stand), where wind-dispersed seeds and pollen from other, distant Scots pine stands might have contributed more to the genetic diversity of the regenerating juveniles. In general, a relatively random spatial genetic distribution of regeneration of both investigated conifer species with variable proportions of juveniles representing different genetic clusters within each group of the sampled juveniles (Figure 6 and Figure 7) indicates that the spatial genetic structure of newly forming stands is random, thus providing the basis for their ecological stability in the future. A spatially intermixed structure of the genetic clusters, which has obviously resulted from an intermixed gene inflow into the studied populations of regenerating juveniles of both tree species, was expected as both species are wind-pollinated and wind-dispersed. As a large number of plant population studies show the existence of significant positive correlations between population size, its fitness and within-population genetic variation [15], it can be expected that genetic diversity detected by us in the regenerating populations of Norway spruce and Scots pine will allow further formation of evolutionary and ecologically sound stands able to sustain species’ adaptability and plasticity, population stability and overall ecosystem functionality (e.g., [26]).
5. Conclusions
Information on the genetic dynamics of natural populations of long-lived coniferous tree species may be important in forecasting the trends of changes in genetic diversity at a local scale following forest ecosystem disturbances and changes in land-use legacies. Results of the present study showed that in the investigated sites self-regenerating juveniles of Norway spruce and Scots pine were able to maintain spatially random genetic structure. and as high genetic diversity as in putatively maternal stands. The retained substantial genetic diversity in the juvenile progeny suggests that studied regenerating populations of these important tree species have good potential to adapt to changing climatic conditions. However, regular genetic monitoring is needed with the aim of tracking changes in the genetic properties of forest tree populations under changing climatic conditions and to be able to preclude and/or to compensate genetic diversity loss which is inevitable under current intensive forest management activities. In our study, both the spruce and pine sites were unreplicated, although the selected sites were chosen to be representative for Lithuania, i.e., typical Norway spruce and Scots pine habitats with typical regeneration. We cannot exclude the possibility of obtaining different results from other sites. Further studies, including more replications from different sites representing areas affected by the respective natural disturbance (regenerating forest on cleared spruce windthrow sites and changed land-use legacy; regenerating pine forest on abandoned agricultural lands), are therefore needed to draw broader conclusions.
Supplementary Materials
The following are available online at www.mdpi.com/1999-4907/8/12/470/s1, Supplementary Material S1: Supplementary material for article “Genetic diversity and its spatial distribution in self-regenerating Norway spruce and Scots pine stands”.
Acknowledgments
This study was funded by Lithuanian Research Council, as part of National Scientific Program project “Response and plasticity of different tree species & juvenile-stage forest communities under impact of climate change and other environmental stressors” MIŠKOEKOKAITA No. SIT-4/2015.
Author Contributions
A.P., R.V. and V.S. conceived, designed and performed the study, R.V. and V.L. analysed the data, V.S. and J.L. contributed and designed the collection of plant materials, R.V., A.P., V.L. and J.J. wrote the paper.
Conflicts of Interest
The authors declare no conflict of interest.
References
- Rajendra, K.C.; Seifert, S.; Prinz, K.; Gailing, O.; Finkeldey, R. Subtle human impacts on neutral genetic diversity and spatial patterns of genetic variation in European beech (Fagus sylvatica). For. Ecol. Manag. 2014, 319, 138–149. [Google Scholar] [CrossRef]
- Savolainen, O.; Pyhajarvi, T. Genomic diversity in forest trees. Curr. Opin. Plant Biol. 2007, 10, 162–167. [Google Scholar] [CrossRef] [PubMed]
- Wójkiewicz, B.; Litkowiec, M.; Wachowiak, W. Contrasting patterns of genetic variation in core and peripheral populations of highly outcrossing and wind pollinated forest tree species. AoB Plants 2016, 8. [Google Scholar] [CrossRef] [PubMed]
- Meloni, M.; Perini, D.; Binelli, G. The Distribution of Genetic Variation in Norway Spruce (Picea abies Karst.) Populations in the Western Alps. J. Biogeogr. 2007, 34, 929–938. [Google Scholar] [CrossRef]
- Geburek, T.; Mottinger-Kroupa, S.; Morgante, M.; Burg, K. Genetic variation of Norway spruce (Picea abies (L.) Karst.) populations in Austria. II. Micro spatial patterns derived from nuclear sequence tagged microsatellite sites. For. Genet. 1998, 5, 231–237. [Google Scholar]
- Ratnam, W.; Rajora, O.P.; Finkeldey, R.; Aravanopoulos, F.; Bouvet, J.M.; Vaillancourtf, R.E.; Kanashiro, M.; Fady, B.; Tomita, M.; Vinson, C. Genetic effects of forest management practices: Global synthesis and perspectives. For. Ecol. Manag. 2014, 333, 52–65. [Google Scholar] [CrossRef]
- Namkoong, G. Biodiversity issues in genetics, forestry and ethics. For. Chron. 1992, 68, 438–443. [Google Scholar] [CrossRef]
- FOREST EUROPE. State of Europe’s Forests, 2015. Publications Ministerial Conference on the Protection of Forests in Europe (MCPFE), FOREST EUROPE Liaison Unit Madrid. 2015. Available online: http://foresteurope.org/state-europes-forests-2015-report/ (accessed on 10 November 2017).
- FORGER. Project FORGER–Towards the Sustainable Management of Forest Genetic Resources in Europe. 2015. Available online: http://www.fp7-forger.eu/ (accessed on 12 November 2017).
- Oddou-Muratorio, S.; Klein, E.K.; Demesure-Musch, B. Real-time patterns of pollen flow in the wild-service tree, Sorbus torminalis (Rosaceae). III. Mating patterns and the ecological maternal neighborhood. Am. J. Bot. 2006, 93, 1650–1659. [Google Scholar] [CrossRef] [PubMed]
- Robledo-Arnuncio, J.J.; Austerlitz, F. Pollen dispersal in spatially aggregated populations. Am. Nat. 2006, 168, 500–511. [Google Scholar] [CrossRef] [PubMed]
- Restoux, G.; Silva, D.E.; Sagnard, F.; Torre, F.; Klein, E.; Fady, B. Life at the margin: The mating system of Mediterranean conifers. Web Ecol. 2008, 8, 94–102. [Google Scholar] [CrossRef]
- Sagnard, F.; Oddou-Muratorio, S.; Pichot, C.; Vendramin, G.G.; Fady, B. Effect of seed dispersal, adult tree and seedling density on the spatial genetic structure of regeneration at fine temporal and spatial scales. Tree Genet. Genomes 2011, 7, 37–48. [Google Scholar] [CrossRef]
- Vekemans, X.; Hardy, O.J. New insights from fine-scale spatial genetic structure analyses in plant populations. Mol. Ecol. 2004, 13, 921–935. [Google Scholar] [CrossRef] [PubMed]
- Leimu, R.; Mutikainen, P.; Koricheva, J.; Fisher, M. How general are positive relationships between plant population size, fitness and genetic variation? J. Ecol. 2006, 94, 942–952. [Google Scholar] [CrossRef]
- Chomicz-Zegar, E.; Nowakowska, J.A.; Tereb, A. Forest decline has not reduced genetic diversity of naturally regenerated Norway spruce from the Beskids, Poland. Silvae Genet. 2015, 64–5/6, 270–278. [Google Scholar] [CrossRef]
- Buiteveld, J.; Vendramin, G.G.; Leonardi, S.; Kamer, K.; Geburek, T. Genetic diversity and differentiation in European beech (Fagus sylvatica L.) stands varying in management history. For. Ecol. Manag. 2007, 247, 98–106. [Google Scholar] [CrossRef]
- Eriksson, G.; Ekberg, I.; Clapham, D. Genetics Applied to Forestry: An Introduction, 3rd ed.; Elanders Sverige AB: Uppsala, Sweden, 2013; p. 206. [Google Scholar]
- Kosinska, J.; Lewandowski, A.; Chalupka, W. Genetic variability of Scots pine maternal populations and their progenies. Silva Fenn. 2007, 41, 5–12. [Google Scholar] [CrossRef]
- Dering, M.; Chybicki, I. Assessment of genetic diversity in two-species oak seed and their progeny populations. Scan. J. For. Res. 2012, 27, 2–9. [Google Scholar] [CrossRef]
- Müller-Starck, G. Protection of genetic variability in forest trees. For. Genet. 1995, 2, 121–124. Available online: https://stary.tuzvo.sk/files/fg/volumes/1995/FG02-3_121-124.pdf (accessed on 29 November 2017).
- Hu, X.S.; Li, B. Linking evolutionary quantitative genetics to the conservation of genetic resources in natural forest populations. Silvae Genet. 2001, 51, 177–183. [Google Scholar]
- Aravanopoulos, F.A.; Tollefsrud, M.M.; Graudal, L.; Koskela, J.; Kätzel, R.; Soto, A.; Nagy, L.; Pilipovic, A.; Zhelev, P.; Božic, G.; et al. Development of Genetic Monitoring Methods for Genetic Conservation Units of Forest Trees in Europe; Publisher: Rome, Italy, 2015; ISBN 978-92-9255-030-1. [Google Scholar]
- CONGRESS. Conservation Genetic Resources for Effective Species Survival. 2012. Available online: www.congressgenetics.eu (accessed on 10 September 2017).
- Kendall, K.; Stetz, J.; Vojta, C.; Macleod, A. Genetic Monitoring for Managers. U.S. Fish and Wildlife Service. Available online: http://alaska.fws.gov/gem/mainPage_1.htm (accessed on 10 September 2017).
- Fussi, B.; Westergren, M.; Aravanopoulos, A.; Baier, R.; Kavaliauskas, D.; Finzgar, D.; Alizoti, P.; Bozic, G.; Avramidou, E.; Konnert, M.; et al. Forest genetic monitoring: An overview of concepts and definitions. Environ. Monit. Assess 2016, 188, 493. [Google Scholar] [CrossRef] [PubMed]
- Namkoong, G.; Boyle, T.; El-Kassaby, Y.A.; Palmberg-Lerche, C.; Eriksson, G.; Gregorius, H.R.; Joly, H.; Kremer, A.; Savolainen, O.; Wickneswari, R.; et al. Criteria and Indicators for Sustainable Forest Management: Assessment and Monitoring of Genetic Variation; FAO: Rome, Italy, 2002. [Google Scholar]
- Aravanopoulos, F.A. Genetic monitoring in natural perennial plant populations. Botany 2011, 89, 75–81. [Google Scholar] [CrossRef]
- Konnert, M.; Maurer, W.; Degen, B.; Kätzel, R. Genetic monitoring in forests-early warning and controlling system for ecosystemic changes. iForest 2010, 4, 77–81. [Google Scholar] [CrossRef]
- Yazdani, R.; Muona, O.; Rudin, D.; Szmidt, A.E. Genetic structure of Pinus sylvestris seed tree stand and naturally regenerated understory. For. Sci. 1985, 31, 430–436. [Google Scholar]
- Nowakowska, A.N.; Zachara, T.; Konecka, A. Genetic variability of Scots pine (Pinus sylvestris L.) and Norway spruce (Picea abies L. Karst.) natural regeneration compared with their maternal stands. Lesne Prace Badawcze (For. Res. Pap.) 2014, 75, 47–54. [Google Scholar] [CrossRef]
- Kashi, Y.; Soller, M. Functional roles of microsatellites and minisatellites. In Microsatellite Evolution and Application; Goldstein, D.D., Schlotterer, C., Eds.; Oxford University Press: Oxford, UK, 1998; pp. 10–23. [Google Scholar]
- Dering, M.; Misiorny, A.; Chalupka, W. Inter-year variation in selfing, background pollination, and paternal contribution in a Norway spruce clonal seed orchard. Can. J. For. Res. 2014, 44, 760–767. [Google Scholar] [CrossRef]
- Funda, T.; Wennström, U.; Almqvist, C.; Torimaru, T.; Gull, B.; Wang, X. Low rates of pollen contamination in a scots pine seed orchard in Sweden: The exception or the norm? Scand. J. For. Res. 2015, 30, 573–586. [Google Scholar] [CrossRef]
- Wojnicka-Półtorak, A.; Wachowiak, W.; Prus-Głowacki, W.; Celiński, K.; Korczyk, A. Genetic heterogeneity in age classes of naturally regenerated old growth forest of Picea abies (L.) Karst. Silvae Genet. 2014, 63, 185–190. [Google Scholar] [CrossRef]
- Wojnicka-Półtorak, A.; Celiński, K.; Chudzińska, E. Temporal dynamics in the genetic structure of a natural population of Picea abies. Biologia 2016, 71, 875–884. [Google Scholar] [CrossRef]
- Wojnicka-Półtorak, A.; Celiński, K.; Chudzińska, E. Genetic diversity among age classes of a Pinus sylvestris (L.) population from Białowieża primeval forest, Poland. Forests 2017, 8, 227. [Google Scholar] [CrossRef]
- Butkus, A.; Dumčienė, V.; Eigirdas, M.; Kuliešis, A.; Vižlenskas, D. (Eds.) Lithuanian Statistical Year Book of Forestry; State Forest Service: Kaunas, Lithuania, 2016; p. 184. ISBN 1648-8008. [Google Scholar]
- Soranzo, N.; Alia, R.; Provan, J.; Powell, W. Patterns of variation at a mitochondrial sequence-tagged-site locus provides new insights into the postglacial history of European Pinus sylvestris populations. Mol. Ecol. 2000, 9, 1205–1211. [Google Scholar] [CrossRef] [PubMed]
- Belletti, P.; Ferrazzini, D.; Piotti, A.; Monteleone, I.; Ducci, F. Genetic variation and divergence in Scots pine (Pinus sylvestris L.) within its natural range in Italy. Eur. J. For. Res. 2012, 131, 1127–1138. [Google Scholar] [CrossRef]
- Putman, A.I.; Carbone, I. Challenges in analysis and interpretation of microsatellite data for population genetic studies. Ecol. Evol. 2014, 4, 4399–4428. [Google Scholar] [CrossRef] [PubMed]
- Väli, Ü.; Saag, P.; Dombrovski, V.; Meyburg, B.U.; Maciorowski, G.; Mizera, T.; Treinys, M.; Fagerberg, S. Microsatellites and single nucleotide polymorphisms in avian hybrid identification: A comparative case study. J. Avian Biol. 2010, 41, 34–49. [Google Scholar] [CrossRef]
- Santure, A.W.; Stapley, J.; Ball, A.D.; Birkhead, T.R.; Burke, T.; Slate, J. On the use of large marker panels to estimate inbreeding and relatedness: Empirical and simulation studies of a pedigreed zebra finch population typed at 771 SNPs. Mol. Ecol. 2010, 19, 1439–1451. [Google Scholar] [CrossRef] [PubMed]
- Hauser, L.; Baird, M.; Hilborn, R.; Seeb, L.W.; Seeb, J.E. An empirical comparison of SNPs and microsatellites for parentage and kinship assignment in a wild sockeye salmon (Oncorhynchus nerka) population. Mol. Ecol. Resour. 2011, 11 (Suppl. 1), 150–161. [Google Scholar] [CrossRef] [PubMed]
- Ross, C.T.; Weise, J.A.; Bonnar, S.; Nolin, D.; Satkoski Trask, J.; Smith, D.G.; Ferguson, B.; Ha, J.; Kubisch, H.M.; Vinson, A.; et al. An empirical comparison of short tandem repeats (STRs) and single nucleotide polymorphisms (SNPs) for relatedness estimation in Chinese rhesus macaques (Macaca mulatta). Am. J. Primatol. 2014, 76, 313–324. [Google Scholar] [CrossRef] [PubMed]
- Buschiazzo, E.; Gemmell, N.J. Conservation of human microsatellites across 450 million years of evolution. Genome Biol. Evol. 2010, 2, 153–165. [Google Scholar] [CrossRef] [PubMed]
- Karazija, S. Lietuvos Miškų Tipai [Forest Types of Lithuania]; Mokslas: Vilnius, Lithuania, 1988; p. 213. ISBN 5-420-00421-6. (In Lithuanian) [Google Scholar]
- Doyle, J.J.; Doyle, J.L. Isolation of plant DNA from plant tissue. Focus 1990, 12, 13–15. [Google Scholar]
- Ryman, N.; Palm, S.; Andre, C.; Carvalho, G.R.; Dahlgren, T.G.; Jorde, P.E.; Laikre, L.; Larsson, C.; Palme, A.; Ruzzante, D.E. Power for detecting genetic divergence: Differences between statistical methods and marker loci. Mol. Ecol. 2006, 15, 2031–2045. [Google Scholar] [CrossRef] [PubMed]
- Haasl, R.J.; Payseur, B.A. Multi-locus inference of population structure: A comparison between single nucleotide polymorphisms and microsatellites. Heredity 2011, 106, 158–171. [Google Scholar] [CrossRef] [PubMed]
- Fluch, S.; Burg, A.; Kopecky, D.; Homolka, A.; Spiess, N.; Vendramin, G.G. Characterization of variable EST SSR markers for Norway spruce (Picea abies L.). BMC Res. Notes 2011, 4, 401. [Google Scholar] [CrossRef] [PubMed]
- Sebastiani, F.; Pinzauti, F.; Kujala, S.T.; González-Martínez, S.C.; Vendramin, G.G. Novel polymorphic nuclear microsatellite markers for Pinus sylvestris L. Conserv. Genet. Resour. 2012, 4, 231. [Google Scholar] [CrossRef]
- Elsik, C.G.; Minihan, V.T.; Hall, S.E.; Scarpa, A.M.; Williams, C.G. Low-copy microsatellite markers for Pinus taeda L. Genome 2000, 43, 550–555. [Google Scholar] [CrossRef] [PubMed]
- Kearse, M.; Moir, R.; Wilson, A.; Stones-Havas, S.; Cheung, M.; Sturrock, S.; Buxton, S.; Cooper, A.; Markowitz, S.; Duran, C.; et al. Geneious Basic: An integrated and extendable desktop software platform for the organization and analysis of sequence data. Bioinformatics 2012, 28, 1647–1649. [Google Scholar] [CrossRef] [PubMed]
- Peakall, R.; Smouse, P.E. GenAlEx 6: Genetic analysis in Excel. Population genetic software for teaching and research. Mol. Ecol. Notes 2006, 6, 288–295. [Google Scholar] [CrossRef]
- Peakall, R.; Smouse, P.E. GenAlEx 6.5: Genetic analysis in Excel. Population genetic software for teaching and research—An update. Bioinformatics 2012, 28, 2537–2539. [Google Scholar] [CrossRef] [PubMed]
- Weir, B.S.; Cockerham, C.C. Estimating F-statistics for the analysis of population-structure. Evolution 1984, 38, 1358–1370. [Google Scholar] [CrossRef] [PubMed]
- Nei, M. Molecular Evolutionary Genetics; Columbia University Press: New York, NY, USA, 1987; ISBN 0-231-06320-2. [Google Scholar]
- Pritchard, J.K.; Stephens, M.; Donnelly, P. Inference of population structure using multilocus genotype data. Genetics 2000, 155, 945–959. [Google Scholar] [PubMed]
- Falush, D.; Stephens, M.; Pritchard, J.K. Inference of Population Structure Using Multilocus Genotype data: Linked Loci and Correlated Allele Frequencies. Genetics 2003, 164, 1567–1587. [Google Scholar] [PubMed]
- Falush, D.; Stephens, M.; Pritchard, J.K. Inference of population structure using multilocus genotype data: Dominant markers and null alleles. Mol. Ecol. Notes 2007. [Google Scholar] [CrossRef] [PubMed]
- Hubisz, M.J.; Falush, D.; Stephens, M.; Pritchard, J.K. Inferring weak population structure with the assistance of sample group information. Mol. Ecol. Res. 2009, 9, 1322–1332. [Google Scholar] [CrossRef] [PubMed]
- Earl, D.A.; von Holdt, B.M. Structure Harvester: A website and program for visualizing STRUCTURE output and implementing the Evanno method. Conserv. Genet. Resour. 2012, 4, 359–361. [Google Scholar] [CrossRef]
- Evanno, G.; Regnaut, S.; Goudet, J. Detecting the number of clusters of individuals using the software STRUCTURE: A simulation study. Mol. Ecol. 2005, 14, 2611–2620. [Google Scholar] [CrossRef] [PubMed]
- Slatkin, M.; Barton, N.H. A comparison of three indirect methods for estimating average levels of gene flow. Evolution 1989, 43, 1349–1368. [Google Scholar] [CrossRef] [PubMed]
- Kerpauskaitė, V.; Danusevičius, D. Giminystės grupių išsidėstymo dėsningumai natūralios kilmės paprastosios pušies medyne. Miškininkystė 2015, 2, 40–47. (In Lithuanian) [Google Scholar]
- Zimmer, K.; Sønstebø, J.H. A preliminary study on the genetic structure of Northern European Pinus sylvestris L. by means of neutral microsatellite markers. Scand. J. For. Res. 2017. [Google Scholar] [CrossRef]
- Linhart, Y.B.; Mitton, J.B.; Sturgeon, K.B.; Davis, M.L. Genetic variation in space and time in a population of ponderosa pine. Heredity 1981, 46, 407–426. [Google Scholar] [CrossRef]
- Sproule, A.T.; Dancik, B.P. The mating system of black spruce in north-central Alberta, Canada. Silvae Genet. 1996, 45, 159–164. [Google Scholar]
- Epperson, B.K. Spatial patterns of genetic variation within plant populations. In Plant Population Genetics, Breeding, and Genetic Resources; Brown, A.H.D., Clegg, M.T., Kahler, A.L., Weir, B.S., Eds.; Sinauer: Sunderland, MA, USA, 1990; pp. 254–278. [Google Scholar]
- Knowles, P. Spatial genetic structure within two natural stands of black spruce (Picea mariana (Mill.) B.S.P.). Silvae Genet. 1991, 40, 13–19. [Google Scholar]
- Bush, R.M.; Smouse, P.E. Evidence for the adaptive significance of allozymes in forest trees. New For. 1992, 6, 179–196. [Google Scholar] [CrossRef]
- Reed, D.H.; Frankham, R. Correlation between fitness and genetic diversity. Conserv. Biol. 2003, 17, 230–237. [Google Scholar] [CrossRef]
- Tollefsrud, M.M.; Sønstebø, J.H.; Brochmann, C.; Johnsen, Ø.; Skrøppa, T.; Vendramin, G.G. Combined analysis of nuclear and mitochondrial markers provide new insight into the genetic structure of North European Picea abies. Heredity 2009, 102, 549–562. [Google Scholar] [CrossRef] [PubMed]
- Scotti, I.; Paglia, G.; Magni, F.; Morgante, M. Population genetics of Norway spruce (Picea abies Karst.) at regional scale: Sensitivity of different microsatellite motif classes in detecting differentiation. Ann. For. Sci. 2006, 63, 458–491. [Google Scholar] [CrossRef]
- Gömöry, D. Effect of stand origin on the genetic diversity of Norway spruce (Picea abies Karst.) populations. For. Ecol. Manag. 1992, 54, 215–223. [Google Scholar] [CrossRef]
© 2017 by the authors. Licensee MDPI, Basel, Switzerland. This article is an open access article distributed under the terms and conditions of the Creative Commons Attribution (CC BY) license (http://creativecommons.org/licenses/by/4.0/).







