Lattice Distortion Effects on Mechanical Properties in Nb-Ti-V-Zr Refractory Medium-Entropy Alloys
Abstract
1. Introduction
2. Methods
2.1. Alloy Fabrication
2.2. Material Characterization
2.3. Mechanical Test
3. Results and Discussions
3.1. Alloy Design
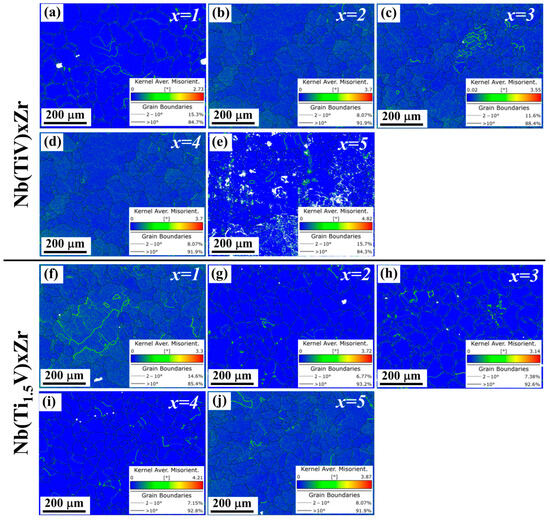
3.2. Microstructure Analysis
3.3. Mechanical Properties
4. Conclusions
Author Contributions
Funding
Data Availability Statement
Conflicts of Interest
References
- George, E.P.; Raabe, D.; Ritchie, R.O. High-entropy alloys. Nat. Rev. Mater. 2019, 4, 515–534. [Google Scholar] [CrossRef]
- Li, W.; Xie, D.; Li, D.; Zhang, Y.; Gao, Y.; Liaw, P.K. Mechanical behavior of high-entropy alloys. Prog. Mater. Sci. 2021, 118, 100777. [Google Scholar] [CrossRef]
- An, Z.; Li, A.; Mao, S.; Yang, T.; Zhu, L.; Wang, R.; Wu, Z.; Zhang, B.; Shao, R.; Jiang, C.; et al. Negative mixing enthalpy solid solutions deliver high strength and ductility. Nature 2024, 625, 697–702. [Google Scholar] [CrossRef] [PubMed]
- Yeh, J.-W. Recent progress in high-entropy alloys. Ann. Chim. Sci. Mat. 2006, 31, 633–648. [Google Scholar] [CrossRef]
- Hsu, W.L.; Tsai, C.W.; Yeh, A.C.; Yeh, J.W. Clarifying the four core effects of high-entropy materials. Nat. Rev. Chem. 2024, 8, 471–485. [Google Scholar] [CrossRef] [PubMed]
- Lee, C.; Song, G.; Gao, M.C.; Feng, R.; Chen, P.; Brechtl, J.; Chen, Y.; An, K.; Guo, W.; Poplawsky, J.D.; et al. Lattice distortion in a strong and ductile refractory high-entropy alloy. Acta Mater. 2018, 160, 158–172. [Google Scholar] [CrossRef]
- Lee, C.; Chou, Y.; Kim, G.; Gao, M.C.; An, K.; Brechtl, J.; Zhang, C.; Chen, W.; Poplawsky, J.D.; Song, G.; et al. Lattice-Distortion-Enhanced Yield Strength in a Refractory High-Entropy Alloy. Adv. Mater. 2020, 32, e2004029. [Google Scholar] [CrossRef] [PubMed]
- Tong, Y.; Zhao, S.; Bei, H.; Egami, T.; Zhang, Y.; Zhang, F. Severe local lattice distortion in Zr- and/or Hf-containing refractory multi-principal element alloys. Acta Mater. 2020, 183, 172–181. [Google Scholar] [CrossRef]
- Wang, H.; Yang, P.Y.; Zhao, W.J.; Ma, S.H.; Hou, J.H.; He, Q.F.; Wu, C.L.; Chen, H.A.; Wang, Q.; Cheng, Q.; et al. Lattice distortion enabling enhanced strength and plasticity in high entropy intermetallic alloy. Nat. Commun. 2024, 15, 6782. [Google Scholar] [CrossRef] [PubMed]
- Wang, H.; He, Q.; Gao, X.; Shang, Y.; Zhu, W.; Zhao, W.; Chen, Z.; Gong, H.; Yang, Y. Multifunctional High Entropy Alloys Enabled by Severe Lattice Distortion. Adv. Mater. 2024, 36, e2305453. [Google Scholar] [CrossRef] [PubMed]
- Li, J.; Chen, Y.; He, Q.; Xu, X.; Wang, H.; Jiang, C.; Liu, B.; Fang, Q.; Liu, Y.; Yang, Y.; et al. Heterogeneous lattice strain strengthening in severely distorted crystalline solids. Proc. Natl. Acad. Sci. USA 2022, 119, e2200607119. [Google Scholar] [CrossRef] [PubMed]
- Jia, Y.; Wang, G.; Wu, S.; Mu, Y.; Yi, Y.; Jia, Y.; Liaw, P.K.; Zhang, T.; Liu, C.-T. A lightweight refractory complex concentrated alloy with high strength and uniform ductility. Appl. Mater. Today 2022, 27, 101429. [Google Scholar] [CrossRef]
- Jia, Y.; Li, G.; Ren, C.; Mu, Y.; Sun, K.; Wu, S.; Bian, X.; Jia, Y.; Wang, G. Substantially improved room-temperature tensile ductility in lightweight refractory Ti-V-Zr-Nb medium entropy alloys by tuning Ti and V content. J. Mater. Sci. Technol. 2025, 206, 234–247. [Google Scholar] [CrossRef]
- Jia, Y.; Ren, C.; Wu, S.; Mu, Y.; Xu, L.; Jia, Y.; Yan, W.; Yi, J.; Wang, G. Multistage strain-hardening behavior of ultrastrong and ductile lightweight refractory complex-concentrated alloys. J. Mater. Sci. Technol. 2023, 149, 73–87. [Google Scholar] [CrossRef]
- Jia, Y.; Zhang, L.; Li, P.; Ma, X.; Xu, L.; Wu, S.; Jia, Y.; Wang, G. Microstructure and Mechanical Properties of Nb–Ti–V–Zr Refractory Medium-Entropy Alloys. Front. Mater. 2020, 7, 172. [Google Scholar] [CrossRef]
- Jia, Y.; Wu, S.; Mu, Y.; Xu, L.; Ren, C.; Sun, K.; Yi, J.; Jia, Y.; Yan, W.; Wang, G. Efficient Coarse-Grained Superplasticity of a Gigapascal Lightweight Refractory Medium Entropy Alloy. Adv. Sci. 2023, 10, e2207535. [Google Scholar] [CrossRef] [PubMed]
- Zhang, Y.; Zhou, Y.J.; Lin, J.P.; Chen, G.L.; Liaw, P.K. Solid-solution phase formation rules for multi-component alloys. Adv. Eng. Mater. 2008, 10, 534–538. [Google Scholar] [CrossRef]
- Zhao, Y.Y.; Lei, Z.F.; Lu, Z.P.; Huang, J.C.; Nieh, T.G. A simplified model connecting lattice distortion with friction stress of Nb-based equiatomic high-entropy alloys. Mater. Res. Lett. 2019, 7, 340–346. [Google Scholar] [CrossRef]
- Hu, Y.Y.; Wang, X.T.; Ma, Y.J.; Chen, J.L.; Zhao, X.J.; Cheng, J.; Xu, T.R.; Zhao, W.L.; Song, X.Y.; Wu, S.; et al. Strong solid solution strengthening caused by severe lattice distortion in body-centered cubic refractory high-entropy alloys. Scr. Mater. 2025, 263, 116671. [Google Scholar] [CrossRef]
- Lu, Y.; Zhang, Y.H.; Ma, E.; Han, W.Z. Relative mobility of screw versus edge dislocations controls the ductile-to-brittle transition in metals. Proc. Natl. Acad. Sci. USA 2021, 118, e2110596118. [Google Scholar] [CrossRef] [PubMed]
- Wang, Z.; Fang, Q.; Li, J.; Liu, B.; Liu, Y. Effect of lattice distortion on solid solution strengthening of BCC high-entropy alloys. J. Mater. Sci. Technol. 2018, 34, 349–354. [Google Scholar] [CrossRef]
- Coury, F.G.; Kaufman, M.; Clarke, A.J. Solid-solution strengthening in refractory high entropy alloys. Acta Mater. 2019, 175, 66–81. [Google Scholar] [CrossRef]
- Senkov, O.N.; Scott, J.M.; Senkova, S.V.; Miracle, D.B.; Woodward, C.F. Microstructure and room temperature properties of a high-entropy TaNbHfZrTi alloy. J. Alloys Compd. 2011, 509, 6043–6048. [Google Scholar] [CrossRef]
- Labusch, R. A Statistical Theory of Solid Solution Hardening. Phys. Status Solidi 1970, 41, 659–669. [Google Scholar] [CrossRef]








| Composition | Density | Atomic Percent (Calc.) | Atomic Percent (Meas.) | |||||||
|---|---|---|---|---|---|---|---|---|---|---|
| Ti | V | Zr | Nb | Nb | Ti | V | Zr | Hf | ||
| (Ti1.5V)1ZrNb | 6.24 | 33.4 | 22.2 | 22.2 | 22.2 | 23.41 | 32.17 | 21.65 | 22.31 | 0.46 |
| (Ti1.5V)2ZrNb | 6.08 | 42.9 | 28.5 | 14.3 | 14.3 | 13.85 | 43.07 | 28.79 | 14.06 | 0.23 |
| (Ti1.5V)3ZrNb | 5.85 | 47.4 | 31.6 | 10.5 | 10.5 | 8.25 | 48.17 | 35.22 | 8.19 | 0.17 |
| (Ti1.5V)4ZrNb | 5.53 | 50 | 33.4 | 8.3 | 8.3 | 7.44 | 53.12 | 32.47 | 6.84 | 0.13 |
| (Ti1.5V)5ZrNb | 5.45 | 51.7 | 34.5 | 6.9 | 6.9 | 26.42 | 26.35 | 23.5 | 23.18 | 0.55 |
| TiVZrNb | 6.45 | 25 | 25 | 25 | 25 | 16.65 | 35.42 | 31.58 | 16.01 | 0.34 |
| (TiV)2ZrNb | 6.12 | 33.3 | 33.3 | 16.7 | 16.7 | 12.5 | 35.88 | 39.14 | 12.23 | 0.25 |
| (TiV)3ZrNb | 5.88 | 37.5 | 37.5 | 12.5 | 12.5 | 10.05 | 41.82 | 38.03 | 9.89 | 0.21 |
| (TiV)4ZrNb | 5.75 | 40 | 40 | 10 | 10 | 7.74 | 43.62 | 41.34 | 7.16 | 0.14 |
| (TiV)5ZrNb | 5.67 | 41.7 | 41.7 | 8.3 | 8.3 | 23.41 | 32.17 | 21.65 | 22.31 | 0.46 |
Disclaimer/Publisher’s Note: The statements, opinions and data contained in all publications are solely those of the individual author(s) and contributor(s) and not of MDPI and/or the editor(s). MDPI and/or the editor(s) disclaim responsibility for any injury to people or property resulting from any ideas, methods, instructions or products referred to in the content. |
© 2025 by the authors. Licensee MDPI, Basel, Switzerland. This article is an open access article distributed under the terms and conditions of the Creative Commons Attribution (CC BY) license (https://creativecommons.org/licenses/by/4.0/).
Share and Cite
Xie, X.; Yang, P.; Jia, Y.; Jia, Y. Lattice Distortion Effects on Mechanical Properties in Nb-Ti-V-Zr Refractory Medium-Entropy Alloys. Materials 2025, 18, 3356. https://doi.org/10.3390/ma18143356
Xie X, Yang P, Jia Y, Jia Y. Lattice Distortion Effects on Mechanical Properties in Nb-Ti-V-Zr Refractory Medium-Entropy Alloys. Materials. 2025; 18(14):3356. https://doi.org/10.3390/ma18143356
Chicago/Turabian StyleXie, Xiaochang, Ping Yang, Yuefei Jia, and Yandong Jia. 2025. "Lattice Distortion Effects on Mechanical Properties in Nb-Ti-V-Zr Refractory Medium-Entropy Alloys" Materials 18, no. 14: 3356. https://doi.org/10.3390/ma18143356
APA StyleXie, X., Yang, P., Jia, Y., & Jia, Y. (2025). Lattice Distortion Effects on Mechanical Properties in Nb-Ti-V-Zr Refractory Medium-Entropy Alloys. Materials, 18(14), 3356. https://doi.org/10.3390/ma18143356

