Optimization of Cell Adhesion on Mg Based Implant Materials by Pre-Incubation under Cell Culture Conditions
Abstract
:1. Introduction
2. Results and Discussion
2.1. Determination of the Corrosion Rate, pH and Ssmolality
2.2. Determination of Cell Viability
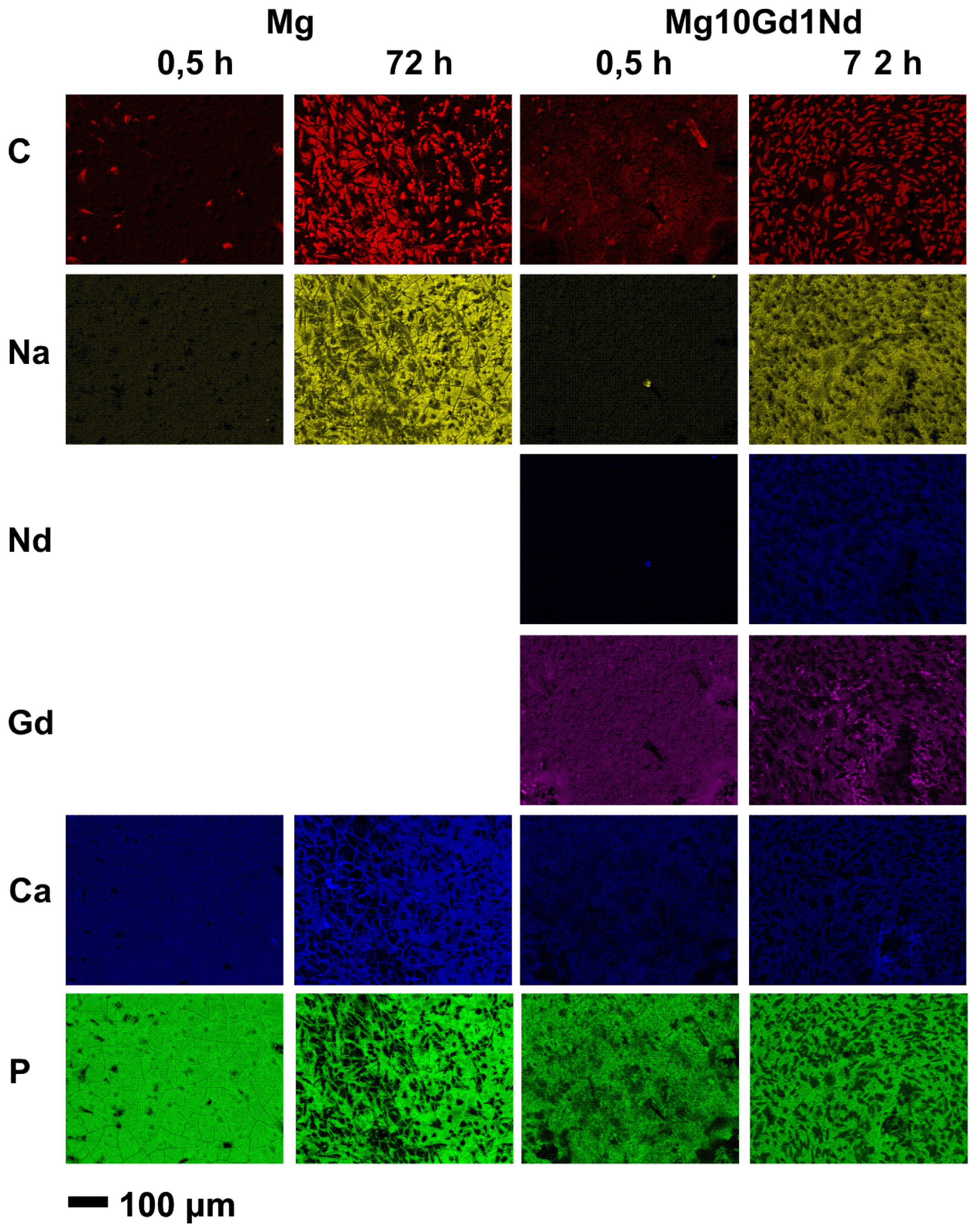
2.3. Imaging with Scanning Electron Microscope (SEM) and Energy Dispersive X-ray Spectroscopy (EDX) Analysis
2.4. Discussion of Results
3. Experimental Section
3.1. Materials
3.2. Determination of Corrosion Rate, pH and Osmolality
3.3. Determination of Cell Viability
3.4. Imaging with Low-Voltage Scanning Electron Microscope (LVSEM) and Energy Dispersive X-ray Spectroscopy (EDX) Analysis
4. Conclusions
Acknowledgments
Conflicts of Interest
- Author ContributionsA. M. performed the experiments as part of her BSc thesis, F. F. supervised her work in the laboratory and gave advice for the experiments. R. W. was the main supervisor of the BSc thesis and wrote the manuscript.
References
- Witte, F. The history of biodegradable magnesium implants: A review. Acta Biomater 2010, 6, 1680–1692. [Google Scholar]
- Vormann, J. Magnesium: Nutrition and metabolism. Mol. Asp. Med 2003, 24, 27–37. [Google Scholar]
- Staiger, M.P.; Pietak, A.M.; Huadmai, J.; Dias, G. Magnesium and its alloys as orthopedic biomaterials: A review. Biomaterials 2006, 27, 1728–1734. [Google Scholar]
- Atrens, A.; Liu, M.; Zainal Abidin, N.I. Corrosion mechanism applicable to biodegradable magnesium implants. Mater. Sci. Eng. B 2011, 176, 1609–1636. [Google Scholar]
- Song, G.L.; Atrens, A. Corrosion mechanisms of magnesium alloys. Adv. Eng. Mater 1999, 1, 11–33. [Google Scholar]
- Windhagen, H.; Radtke, K.; Weizbauer, A.; Diekmann, J.; Noll, Y.; Kreimeyer, U.; Schavan, R.; Stukenborg-Colsman, C.; Waizy, H. Biodegradable magnesium-based screw clinically equivalent to titanium screw in hallux valgus surgery: Short term results of the first prospective, randomized, controlled clinical pilot study. BioMed. Eng. OnLine 2013, 12, 10. [Google Scholar]
- Haude, M.; Erbel, R.; Erne, P.; Verheye, S.; Degen, H.; Böse, D.; Vermeersch, P.; Wijnbergen, I.; Weissman, N.; Prati, F.; et al. Safety and performance of the drug-eluting absorbable metal scaffold (DREAMS) in patients with de-novo coronary lesions: 12 month results of the prospective, multicenter, first-in-man BIOSOLVE-I trial. Lancet 2013, 381, 836–844. [Google Scholar]
- Erbel, R.; Böse, D.; Haude, M.; Kordish, I.; Churzidze, S.; Malyar, N.; Konorza, T.; Sack, S. Absorbierbare Stents. Herz 2007, 32, 308–319. [Google Scholar]
- Virtanen, S. Biodegradable Mg and Mg alloys: Corrosion and biocompatibility. Mater. Sci. Eng. B 2011, 176, 1600–1608. [Google Scholar]
- Feyerabend, F.; Fischer, J.; Holtz, J.; Witte, F.; Willumeit, R.; Drücker, H.; Vogt, C.; Hort, N. Evaluation of short-term effects of rare earth and other elements used in magnesium alloys on primary cells and cell lines. Acta Biomater 2010, 6, 1834–1842. [Google Scholar]
- Witte, F.; Hort, N.; Vogt, C.; Cohen, S.; Kainer, K.U.; Willumeit, R.; Feyerabend, F. Degradable biomaterials based on magnesium corrosion. Curr. Opin. Solid State Mater. Sci 2008, 12, 63–72. [Google Scholar]
- Kainer, K.U.; Bala Srinivasan, P.; Blawert, C.; Dietzel, W. 3.09-Corrosion of magnesium and its alloys. In Shreir’s Corrosion; Cottis, B., Graham, M., Lindsay, R., Lyon, S., Richardson, T., Scantlebury, D., Stott, H., Eds.; Elsevier: Oxford, UK, 2010; pp. 2011–2041. [Google Scholar]
- Yang, L.; Huang, Y.; Feyerabend, F.; Willumeit, R.; Kainer, K.U.; Hort, N. Influence of ageing treatment on microstructure, mechanical and bio-corrosion properties of Mg-Dy alloys. J. Mech. Behav. Biomed. Mater 2012, 13, 36–44. [Google Scholar]
- Gray-Munro, J.E.; Seguin, C.; Strong, M. Influence of surface modification on the in vitro corrosion rate of magnesium alloy AZ31. J. Biomed. Mater. Res. A 2009, 91A, 221–230. [Google Scholar]
- Hornberger, H.; Virtanen, S.; Boccaccini, A.R. Biomedical coatings on magnesium alloys—A review. Acta Biomater 2012, 8, 2442–2455. [Google Scholar]
- Yang, J.; Cui, F.; Lee, I. Surface modifications of magnesium alloys for biomedical applications. Ann. Biomed. Eng 2011, 39, 1857–1871. [Google Scholar]
- Shadanbaz, S.; Dias, G.J. Calcium phosphate coatings on magnesium alloys for biomedical applications: A review. Acta Biomater 2012, 8, 20–30. [Google Scholar]
- Badar, M.; Lünsdorf, H.; Evertz, F.; Rahim, M.I.; Glasmacher, B.; Hauser, H.; Mueller, P.P. The formation of an organic coat and the release of corrosion microparticles from metallic magnesium implants. Acta Biomater 2013, 9, 7580–7589. [Google Scholar]
- Bornapour, M.; Muja, N.; Shum-Tim, D.; Cerruti, M.; Pekguleryuz, M. Biocompatibility and biodegradability of Mg-Sr alloys: The formation of Sr-substituted hydroxyapatite. Acta Biomater 2013, 9, 5319–5330. [Google Scholar]
- Fan, J.; Qiu, X.; Niu, X.; Tian, Z.; Sun, W.; Liu, X.; Li, Y.; Li, W.; Meng, J. Microstructure, mechanical properties, in vitro degradation and cytotoxicity evaluations of Mg-1.5Y-1.2Zn-0.44Zr alloys for biodegradable metallic implants. Mater. Sci. Eng. C 2013, 33, 2345–2352. [Google Scholar]
- Gray-Munro, J.E.; Strong, M. A study on the interfacial chemistry of magnesium hydroxide surfaces in aqueous phosphate solutions: Influence of Ca2+, Cl− and protein. J. Colloid Interface Sci 2013, 393, 421–428. [Google Scholar]
- Kannan, M.B. Enhancing the performance of calcium phosphate coating on a magnesium alloy for bioimplant applications. Mater. Lett 2012, 76, 109–112. [Google Scholar]
- Kim, S.-M.; Jo, J.-H.; Lee, S.-M.; Kang, M.-H.; Kim, H.-E.; Estrin, Y.; Lee, J.-H.; Lee, J.-W.; Koh, Y.-H. Hydroxyapatite-coated magnesium implants with improved in vitro and in vivo biocorrosion, biocompatibility, and bone response. J. Biomed. Mater. Res. A 2014, 102, 429–441. [Google Scholar]
- Iskandar, M.E.; Aslani, A.; Liu, H. The effects of nanostructured hydroxyapatite coating on the biodegradation and cytocompatibility of magnesium implants. J. Biomed. Mater. Res. A 2013, 101A, 2340–2354. [Google Scholar]
- Johnson, I.; Akari, K.; Liu, H. Nanostructured hydroxyapatite/poly(lactic-co-glycolic acid) composite coating for controlling magnesium degradation in simulated body fluid. Nanotechnology 2013, 24, 375103. [Google Scholar]
- Zomorodian, A.; Garcia, M.P.; Moura e Silva, T.; Fernandes, J.C.; Fernandes, M.H.; Montemor, M.F. Corrosion resistance of a composite polymeric coating applied on biodegradable AZ31 magnesium alloy. Acta Biomater 2013, 9, 8660–8670. [Google Scholar]
- Ostrowski, N.; Lee, B.; Enick, N.; Carlson, B.; Kunjukunju, S.; Roy, A.; Kumta, P.N. Corrosion protection and improved cytocompatibility of biodegradable polymeric layer-by-layer coatings on AZ31 magnesium alloys. Acta Biomater 2013, 9, 8704–8713. [Google Scholar]
- Kunjukunju, S.; Roy, A.; Ramanathan, M.; Lee, B.; Candiello, J.E.; Kumta, P.N. A layer-by-layer approach to natural polymer-derived bioactive coatings on magnesium alloys. Acta Biomater 2013, 9, 8690–8703. [Google Scholar]
- Killian, M.S.; Wagener, V.; Schmuki, P.; Virtanen, S. Functionalization of metallic magnesium with protein layers via linker molecules. Langmuir 2010, 26, 12044–12048. [Google Scholar]
- Wagener, V.; Killian, M.S.; Turhan, C.M.; Virtanen, S. Albumin coating on magnesium via linker molecules—Comparing different coating mechanisms. Colloids Surf. B 2013, 103, 586–594. [Google Scholar]
- Liu, X.; Yue, Z.; Romeo, T.; Weber, J.; Scheuermann, T.; Moulton, S.; Wallace, G. Biofunctionalized anti-corrosive silane coatings for magnesium alloys. Acta Biomater 2013, 9, 8671–8677. [Google Scholar]
- Ye, S.-H.; Jang, Y.-S.; Yun, Y.-H.; Shankarraman, V.; Woolley, J.R.; Hong, Y.; Gamble, L.J.; Ishihara, K.; Wagner, W.R. Surface modification of a biodegradable magnesium alloy with phosphorylcholine (PC) and sulfobetaine (SB) functional macromolecules for reduced thrombogenicity and acute corrosion resistance. Langmuir 2013, 29, 8320–8327. [Google Scholar]
- Drynda, A.; Hassel, T.; Hoehn, R.; Perz, A.; Bach, F.-W.; Peuster, M. Development and biocompatibility of a novel corrodible fluoride-coated magnesium-calcium alloy with improved degradation kinetics and adequate mechanical properties for cardiovascular applications. J. Biomed. Mater. Res. A 2010, 93A, 763–775. [Google Scholar]
- Lozano, R.M.; Pérez-Maceda, B.T.; Carboneras, M.; Onofre-Bustamante, E.; García-Alonso, M.C.; Escudero, M.L. Response of MC3T3-E1 osteoblasts, L929 fibroblasts, and J774 macrophages to fluoride surface-modified AZ31 magnesium alloy. J. Biomed. Mater. Res. A 2013, 101, 2753–2762. [Google Scholar]
- Lin, X.; Tan, L.; Zhang, Q.; Yang, K.; Hu, Z.; Qiu, J.; Cai, Y. The in vitro degradation process and biocompatibility of a ZK60 magnesium alloy with a forsterite-containing micro-arc oxidation coating. Acta Biomater 2013, 9, 8631–8642. [Google Scholar]
- Wang, Y.M.; Guo, J.W.; Shao, Z.K.; Zhuang, J.P.; Jin, M.S.; Wu, C.J.; Wei, D.Q.; Zhou, Y. A metasilicate-based ceramic coating formed on magnesium alloy by microarc oxidation and its corrosion in simulated body fluid. Surf. Coat. Technol 2013, 219, 8–14. [Google Scholar]
- Levy, G.; Aghion, E. Effect of diffusion coating of Nd on the corrosion resistance of biodegradable Mg implants in simulated physiological electrolyte. Acta Biomater 2013, 9, 8624–8630. [Google Scholar]
- Weng, L.; Webster, T.J. Nanostructured magnesium increases bone cell density. Nanotechnology 2012, 23. [Google Scholar] [CrossRef]
- Weng, L.; Webster, T.J. Nanostructured magnesium has fewer detrimental effects on osteoblast function. Int. J. Nanomed 2013, 8, 1773–1781. [Google Scholar]
- Willumeit, R.; Fischer, J.; Feyerabend, F.; Hort, N.; Bismayer, U.; Heidrich, S.; Mihailova, B. Chemical surface alteration of biodegradable magnesium exposed to corrosion media. Acta Biomater 2011, 7, 2704–2715. [Google Scholar]
- Witte, F.; Kaese, V.; Haferkamp, H.; Switzer, E.; Meyer-Lindenberg, A.; Wirth, C.J.; Windhagen, H. In vivo corrosion of four magnesium alloys and the associated bone response. Biomaterials 2005, 26, 3557–3563. [Google Scholar]
- Bowen, P.K.; Drelich, J.; Goldman, J. Magnesium in the murine artery: Probing the products of corrosion. Acta Biomater 2014, 10, 1475–1483. [Google Scholar]
- Lorenz, C.; Brunner, J.G.; Kollmannsberger, P.; Jaafar, L.; Fabry, B.; Virtanen, S. Effect of surface pre-treatments on biocompatibility of magnesium. Acta Biomater 2009, 5, 2783–2789. [Google Scholar]
- Keim, S.; Brunner, J.G.; Fabry, B.; Virtanen, S. Control of magnesium corrosion and biocompatibility with biomimetic coatings. J. Biomed. Mater. Res. B 2011, 96B, 84–90. [Google Scholar]
- Feyerabend, F.; Drücker, H.; Laipple, D.; Vogt, C.; Stekker, M.; Hort, N.; Willumeit, R. Ion release from magnesium materials in physiological solutions under different oxygen tensions. J. Mater. Sci.: Mater. Med 2012, 23, 9–24. [Google Scholar]
- Jerbi, H.; Hidouri, M.; Mongi, B.A. Na7Mg13Nd(PO4)12. Acta Crystallogr. Sect. E 2012, 68, i44. [Google Scholar]
- International, A. Standard guide for laboratory immersion corrosion testing of metals. In ASTM Standard NACE/ASTMG31-12a; ASTM International: West Conshohocken, PA, USA, 2012. [Google Scholar]
- Abele, J.E. The physical background to freezing point osmometry and its medical-biological applications. Am. J. Med. Electron 1963, 2, 32–41. [Google Scholar]
- Angermüller, S.; Fahimi, H.D. Imidazole-buffered osmium tetroxide: An excellent stain for visualization of lipids in transmission electron microscopy. Histochem. J 1982, 14, 823–835. [Google Scholar]




© 2014 by the authors; licensee MDPI, Basel, Switzerland This article is an open access article distributed under the terms and conditions of the Creative Commons Attribution license (http://creativecommons.org/licenses/by/3.0/).
Share and Cite
Willumeit, R.; Möhring, A.; Feyerabend, F. Optimization of Cell Adhesion on Mg Based Implant Materials by Pre-Incubation under Cell Culture Conditions. Int. J. Mol. Sci. 2014, 15, 7639-7650. https://doi.org/10.3390/ijms15057639
Willumeit R, Möhring A, Feyerabend F. Optimization of Cell Adhesion on Mg Based Implant Materials by Pre-Incubation under Cell Culture Conditions. International Journal of Molecular Sciences. 2014; 15(5):7639-7650. https://doi.org/10.3390/ijms15057639
Chicago/Turabian StyleWillumeit, Regine, Anneke Möhring, and Frank Feyerabend. 2014. "Optimization of Cell Adhesion on Mg Based Implant Materials by Pre-Incubation under Cell Culture Conditions" International Journal of Molecular Sciences 15, no. 5: 7639-7650. https://doi.org/10.3390/ijms15057639
APA StyleWillumeit, R., Möhring, A., & Feyerabend, F. (2014). Optimization of Cell Adhesion on Mg Based Implant Materials by Pre-Incubation under Cell Culture Conditions. International Journal of Molecular Sciences, 15(5), 7639-7650. https://doi.org/10.3390/ijms15057639

