Fibrosis-Associated Signaling Molecules Are Differentially Expressed in Palmar Connective Tissues of Patients with Carpal Tunnel Syndrome and Dupuytren’s Disease
Abstract
1. Introduction
2. Materials and Methods
2.1. Tissue Acquisition and Processing
2.2. Hematoxylin and Eosin Staining
2.3. Mallory Trichrome Staining
2.4. Immunofluorescent Staining
2.5. Immunofluorescence Signal Quantification
2.6. Statistical Analysis
3. Results
3.1. Haematoxylin and Eosin Staining (H&E)
3.2. Mallory Trichrome Staining (MTC)
3.3. Blood Vessel and Connective Tissue Cell Proliferation–Ki-67 and α-SMA Co-Expression
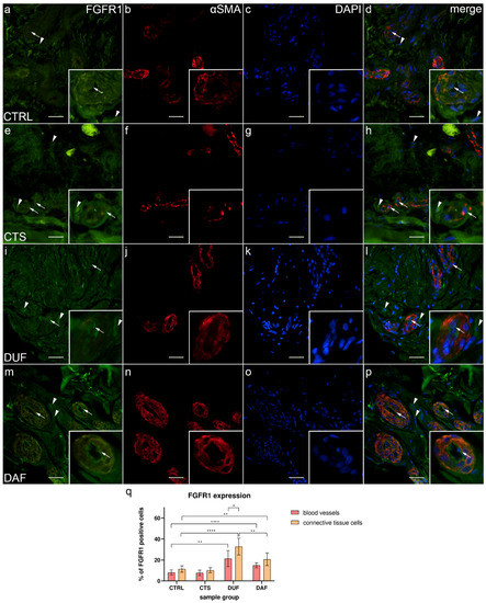
3.4. Co-Expression of FGFR1 and α-SMA in Blood Vessels and Surrounding Connective Tissue
3.5. Co-Expression of FGFR2 and α-SMA in Blood Vessels and Surrounding Connective Tissue
3.6. Co-Expression of CTGF and α-SMA in Blood Vessels and Surrounding Connective Tissue
3.7. Syndecan-1 Expression in Eccrine Sweat Glands
3.8. Proliferation of Eccrine Sweat Glands–Ki-67 and α-SMA Co-Expression
3.9. FGFR1, FGFR2, CTGF, and TGF-β1 Expression in Eccrine Sweat Glands
3.9.1. FGFR1 Expression
3.9.2. FGFR2 Expression
3.9.3. CTGF Expression
3.9.4. TGF-β1 Expression
4. Discussion
5. Conclusions
Author Contributions
Funding
Institutional Review Board Statement
Informed Consent Statement
Data Availability Statement
Acknowledgments
Conflicts of Interest
References
- Keith, M.W.; Masear, V.; Chung, K.C.; Maupin, K.; Andary, M.; Amadio, P.C.; Watters, W.C., 3rd; Goldberg, M.J.; Haralson, R.H., 3rd; Turkelson, C.M.; et al. American Academy of Orthopaedic Surgeons Clinical Practice Guideline on diagnosis of carpal tunnel syndrome. J. Bone Jt. Surg. 2009, 91, 2478–2479. [Google Scholar] [CrossRef] [PubMed]
- El-Helaly, M.; Balkhy, H.H.; Vallenius, L. Carpal tunnel syndrome among laboratory technicians in relation to personal and ergonomic factors at work. J. Occup. Health 2017, 59, 513–520. [Google Scholar] [CrossRef] [PubMed]
- Schnetzler, K.A. Acute carpal tunnel syndrome. J. Am. Acad. Orthop. Surg. 2008, 16, 276–282. [Google Scholar] [CrossRef] [PubMed]
- Atroshi, I.; Gummesson, C.; Johnsson, R.; Ornstein, E.; Ranstam, J.; Rosen, I. Prevalence of carpal tunnel syndrome in a general population. JAMA 1999, 282, 153–158. [Google Scholar] [CrossRef] [PubMed]
- Stecco, C.; Giordani, F.; Fan, C.; Biz, C.; Pirri, C.; Frigo, A.C.; Fede, C.; Macchi, V.; Masiero, S.; De Caro, R. Role of fasciae around the median nerve in pathogenesis of carpal tunnel syndrome: Microscopic and ultrasound study. J. Anat. 2020, 236, 660–667. [Google Scholar] [CrossRef]
- Piazzini, D.B.; Aprile, I.; Ferrara, P.E.; Bertolini, C.; Tonali, P.; Maggi, L.; Rabini, A.; Piantelli, S.; Padua, L. A systematic review of conservative treatment of carpal tunnel syndrome. Clin. Rehabil. 2007, 21, 299–314. [Google Scholar] [CrossRef]
- Bland, J.D. Treatment of carpal tunnel syndrome. Muscle Nerve 2007, 36, 167–171. [Google Scholar] [CrossRef]
- Verdugo, R.J.; Salinas, R.A.; Castillo, J.L.; Cea, J.G. Surgical versus non-surgical treatment for carpal tunnel syndrome. Cochrane Database Syst. Rev. 2008, 3, CD001552. [Google Scholar] [CrossRef]
- Rayan, G.M. Dupuytren disease: Anatomy, pathology, presentation, and treatment. J. Bone Jt. Surgery. Am. Vol. 2007, 89, 189–198. [Google Scholar] [CrossRef]
- Arkkila, P.E.; Kantola, I.M.; Viikari, J.S. Dupuytren’s disease: Association with chronic diabetic complications. J. Rheumatol. 1997, 24, 153–159. [Google Scholar]
- Michou, L.; Lermusiaux, J.L.; Teyssedou, J.P.; Bardin, T.; Beaudreuil, J.; Petit-Teixeira, E. Genetics of Dupuytren’s disease. Jt. Bone Spine 2012, 79, 7–12. [Google Scholar] [CrossRef]
- Mikkelsen, O.A. Dupuytren’s disease--initial symptoms, age of onset and spontaneous course. Hand 1977, 9, 11–15. [Google Scholar] [CrossRef]
- Shih, B.; Bayat, A. Scientific understanding and clinical management of Dupuytren disease. Nat. Reviews. Rheumatol. 2010, 6, 715–726. [Google Scholar] [CrossRef]
- Verhoekx, J.S.N.; Verjee, L.S.; Izadi, D.; Chan, J.K.K.; Nicolaidou, V.; Davidson, D.; Midwood, K.S.; Nanchahal, J. Isometric contraction of Dupuytren’s myofibroblasts is inhibited by blocking intercellular junctions. J. Investig. Dermatol. 2013, 133, 2664–2671. [Google Scholar] [CrossRef]
- Bainbridge, C.; Gerber, R.A.; Szczypa, P.P.; Smith, T.; Kushner, H.; Cohen, B.; Hellio Le Graverand-Gastineau, M.P. Efficacy of collagenase in patients who did and did not have previous hand surgery for Dupuytren’s contracture. J. Plast. Surg. Hand Surg. 2012, 46, 177–183. [Google Scholar] [CrossRef]
- Thomas, A.; Bayat, A. The emerging role of Clostridium histolyticum collagenase in the treatment of Dupuytren disease. Ther. Clin. Risk Manag. 2010, 6, 557–572. [Google Scholar] [CrossRef]
- Chikenji, T.; Gingery, A.; Zhao, C.; Passe, S.M.; Ozasa, Y.; Larson, D.; An, K.N.; Amadio, P.C. Transforming growth factor-beta (TGF-beta) expression is increased in the subsynovial connective tissues of patients with idiopathic carpal tunnel syndrome. J. Orthop. Res. 2014, 32, 116–122. [Google Scholar] [CrossRef]
- Viil, J.; Maasalu, K.; Maemets-Allas, K.; Tamming, L.; Lohmussaar, K.; Tooming, M.; Ingerpuu, S.; Martson, A.; Jaks, V. Laminin-rich blood vessels display activated growth factor signaling and act as the proliferation centers in Dupuytren’s contracture. Arthritis Res. Ther. 2015, 17, 144. [Google Scholar] [CrossRef]
- Taylor, A.M.; Bordoni, B. Histology, Blood Vascular System; StatPearls: Treasure Island, FL, USA, 2022. [Google Scholar]
- Kurata, R.; Futaki, S.; Nakano, I.; Fujita, F.; Tanemura, A.; Murota, H.; Katayama, I.; Okada, F.; Sekiguchi, K. Three-dimensional cell shapes and arrangements in human sweat glands as revealed by whole-mount immunostaining. PLoS ONE 2017, 12, e0178709. [Google Scholar] [CrossRef]
- Farooq, M.; Khan, A.W.; Kim, M.S.; Choi, S. The Role of Fibroblast Growth Factor (FGF) Signaling in Tissue Repair and Regeneration. Cells 2021, 10, 3242. [Google Scholar] [CrossRef]
- Sarabipour, S.; Hristova, K. Mechanism of FGF receptor dimerization and activation. Nat. Commun. 2016, 7, 10262. [Google Scholar] [CrossRef] [PubMed]
- Eswarakumar, V.P.; Lax, I.; Schlessinger, J. Cellular signaling by fibroblast growth factor receptors. Cytokine Growth Factor Rev. 2005, 16, 139–149. [Google Scholar] [CrossRef] [PubMed]
- Javerzat, S.; Auguste, P.; Bikfalvi, A. The role of fibroblast growth factors in vascular development. Trends Mol. Med. 2002, 8, 483–489. [Google Scholar] [CrossRef] [PubMed]
- Chen, P.Y.; Qin, L.; Li, G.; Tellides, G.; Simons, M. Fibroblast growth factor (FGF) signaling regulates transforming growth factor beta (TGFbeta)-dependent smooth muscle cell phenotype modulation. Sci. Rep. 2016, 6, 33407. [Google Scholar] [CrossRef]
- Satake, K.; Goto, K.; Sugino, T.; Sasaki, Y.; Yoshikawa, S.; Kiyohara, Y. Limited immunoexpression of fibroblast growth factor receptor 2 (FGFR2) in digital papillary adenocarcinoma: Comparison of FGFR2 immunohistochemistry between digital papillary adenocarcinoma, other sweat gland tumors and normal skin tissue. J. Dermatol. 2021, 48, e86–e87. [Google Scholar] [CrossRef] [PubMed]
- Aashaq, S.; Batool, A.; Mir, S.A.; Beigh, M.A.; Andrabi, K.I.; Shah, Z.A. TGF-beta signaling: A recap of SMAD-independent and SMAD-dependent pathways. J. Cell. Physiol. 2022, 237, 59–85. [Google Scholar] [CrossRef]
- Border, W.A.; Noble, N.A. Transforming growth factor beta in tissue fibrosis. New Engl. J. Med. 1994, 331, 1286–1292. [Google Scholar] [CrossRef]
- Pepper, M.S. Transforming growth factor-beta: Vasculogenesis, angiogenesis, and vessel wall integrity. Cytokine Growth Factor Rev. 1997, 8, 21–43. [Google Scholar] [CrossRef]
- Kiszewski, C.A.; Becerril, E.; Baquera, J.; Aguilar, L.D.; Hernandez-Pando, R. Expression of transforming growth factor-beta isoforms and their receptors in lepromatous and tuberculoid leprosy. Scand. J. Immunol. 2003, 57, 279–285. [Google Scholar] [CrossRef]
- Ramazani, Y.; Knops, N.; Elmonem, M.A.; Nguyen, T.Q.; Arcolino, F.O.; van den Heuvel, L.; Levtchenko, E.; Kuypers, D.; Goldschmeding, R. Connective tissue growth factor (CTGF) from basics to clinics. Matrix Biol. J. Int. Soc. Matrix Biol. 2018, 68–69, 44–66. [Google Scholar] [CrossRef]
- Grotendorst, G.R.; Okochi, H.; Hayashi, N. A novel transforming growth factor beta response element controls the expression of the connective tissue growth factor gene. Cell Growth Differ. 1996, 7, 469–480. [Google Scholar]
- Hall-Glenn, F.; De Young, R.A.; Huang, B.L.; van Handel, B.; Hofmann, J.J.; Chen, T.T.; Choi, A.; Ong, J.R.; Benya, P.D.; Mikkola, H.; et al. CCN2/connective tissue growth factor is essential for pericyte adhesion and endothelial basement membrane formation during angiogenesis. PLoS ONE 2012, 7, e30562. [Google Scholar] [CrossRef]
- Couchman, J.R. Syndecan-1 (CD138), Carcinomas and EMT. Int. J. Mol. Sci. 2021, 22, 4227. [Google Scholar] [CrossRef]
- Townley, W.A.; Baker, R.; Sheppard, N.; Grobbelaar, A.O. Dupuytren’s contracture unfolded. BMJ 2006, 332, 397–400. [Google Scholar] [CrossRef]
- Ogorevc, M.; Kosovic, I.; Filipovic, N.; Bocina, I.; Juric, M.; Benzon, B.; Mardesic, S.; Vukojevic, K.; Saraga, M.; Kablar, B.; et al. Differences in Immunohistochemical and Ultrastructural Features between Podocytes and Parietal Epithelial Cells (PECs) Are Observed in Developing, Healthy Postnatal, and Pathologically Changed Human Kidneys. Int. J. Mol. Sci. 2022, 23, 7501. [Google Scholar] [CrossRef]
- Satish, L.; Gallo, P.H.; Baratz, M.E.; Johnson, S.; Kathju, S. Reversal of TGF-beta1 stimulation of alpha-smooth muscle actin and extracellular matrix components by cyclic AMP in Dupuytren’s-derived fibroblasts. BMC Musculoskelet. Disord. 2011, 12, 113. [Google Scholar] [CrossRef]
- Chikenji, T.; Gingery, A.; Zhao, C.; Vanhees, M.; Moriya, T.; Reisdorf, R.; An, K.N.; Amadio, P.C. Transforming growth factor-beta (TGF-beta) expression is increased in the subsynovial connective tissue in a rabbit model of carpal tunnel syndrome. PLoS ONE 2014, 9, e108312. [Google Scholar] [CrossRef]
- Gingery, A.; Yang, T.H.; Passe, S.M.; An, K.N.; Zhao, C.; Amadio, P.C. TGF-beta signaling regulates fibrotic expression and activity in carpal tunnel syndrome. J. Orthop. Res. 2014, 32, 1444–1450. [Google Scholar] [CrossRef]
- Alfonso-Rodriguez, C.A.; Garzon, I.; Garrido-Gomez, J.; Oliveira, A.C.; Martin-Piedra, M.A.; Scionti, G.; Carriel, V.; Hernandez-Cortes, P.; Campos, A.; Alaminos, M. Identification of histological patterns in clinically affected and unaffected palm regions in dupuytren’s disease. PLoS ONE 2014, 9, e112457. [Google Scholar] [CrossRef]
- Donato, G.; Galasso, O.; Valentino, P.; Conforti, F.; Zuccala, V.; Russo, E.; Maltese, L.; Perrotta, I.; Tripepi, S.; Amorosi, A. Pathological findings in subsynovial connective tissue in idiopathic carpal tunnel syndrome. Clin. Neuropathol. 2009, 28, 129–135. [Google Scholar] [CrossRef]
- Saito, Y.; Chikenji, T.; Ozasa, Y.; Fujimiya, M.; Yamashita, T.; Gingery, A.; Iba, K. PDGFR Signaling Mediates Hyperproliferation and Fibrotic Responses of Subsynovial Connective Tissue Cells in Idiopathic Carpal Tunnel Syndrome. Sci. Rep. 2017, 7, 16192. [Google Scholar] [CrossRef] [PubMed]
- Vi, L.; Feng, L.; Zhu, R.D.; Wu, Y.; Satish, L.; Gan, B.S.; O’Gorman, D.B. Periostin differentially induces proliferation, contraction and apoptosis of primary Dupuytren’s disease and adjacent palmar fascia cells. Exp. Cell Res. 2009, 315, 3574–3586. [Google Scholar] [CrossRef] [PubMed]
- Gonzalez, A.M.; Buscaglia, M.; Fox, R.; Isacchi, A.; Sarmientos, P.; Farris, J.; Ong, M.; Martineau, D.; Lappi, D.A.; Baird, A. Basic fibroblast growth factor in Dupuytren’s contracture. Am. J. Pathol. 1992, 141, 661–671. [Google Scholar] [PubMed]
- Kanda, T.; Funato, N.; Baba, Y.; Kuroda, T. Evidence for fibroblast growth factor receptors in myofibroblasts during palatal mucoperiosteal repair. Arch. Oral Biol. 2003, 48, 213–221. [Google Scholar] [CrossRef]
- Wu, Q.; Han, L.; Gui, W.; Wang, F.; Yan, W.; Jiang, H. MiR-503 suppresses fibroblast activation and myofibroblast differentiation by targeting VEGFA and FGFR1 in silica-induced pulmonary fibrosis. J. Cell. Mol. Med. 2020, 24, 14339–14348. [Google Scholar] [CrossRef]
- Badalamente, M.A.; Sampson, S.P.; Hurst, L.C.; Dowd, A.; Miyasaka, K. The role of transforming growth factor beta in Dupuytren’s disease. J. Hand Surg. 1996, 21, 210–215. [Google Scholar] [CrossRef]
- Xie, Y.; Su, N.; Yang, J.; Tan, Q.; Huang, S.; Jin, M.; Ni, Z.; Zhang, B.; Zhang, D.; Luo, F.; et al. FGF/FGFR signaling in health and disease. Signal Transduct. Target. Ther. 2020, 5, 181. [Google Scholar] [CrossRef]
- Li, L.; Zhang, S.; Wei, L.; Wang, Z.; Ma, W.; Liu, F.; Qian, Y. FGF2 and FGFR2 in patients with idiopathic pulmonary fibrosis and lung cancer. Oncol. Lett. 2018, 16, 2490–2494. [Google Scholar] [CrossRef]
- Xu, Z.; Dai, C. Ablation of FGFR2 in Fibroblasts Ameliorates Kidney Fibrosis after Ischemia/Reperfusion Injury in Mice. Kidney Dis. 2017, 3, 160–170. [Google Scholar] [CrossRef]
- Shirakihara, T.; Horiguchi, K.; Miyazawa, K.; Ehata, S.; Shibata, T.; Morita, I.; Miyazono, K.; Saitoh, M. TGF-beta regulates isoform switching of FGF receptors and epithelial-mesenchymal transition. EMBO J. 2011, 30, 783–795. [Google Scholar] [CrossRef]
- Jafari, M.; Monsef-Esfahani, A.; Solimani, B. Diagnostic value of immunoperoxidase staining and immunofluorescence in the study of kidney biopsy specimens. Iran. J. Kidney Dis. 2015, 9, 286–290. [Google Scholar]
- Filla, M.S.; Dam, P.; Rapraeger, A.C. The cell surface proteoglycan syndecan-1 mediates fibroblast growth factor-2 binding and activity. J. Cell. Physiol. 1998, 174, 310–321. [Google Scholar] [CrossRef]
- Noel, F.; Pierard, G.E.; Delvenne, P.; Quatresooz, P.; Humbert, P.; Pierard-Franchimont, C. Immunohistochemical sweat gland profiles. J. Cosmet. Dermatol. 2013, 12, 179–186. [Google Scholar] [CrossRef]








| Antibodies | Host | Code No. | Dilution | Source | |
|---|---|---|---|---|---|
| Primary | Anti-Ki-67 | Rabbit | AB9260 | 1:300 | Sigma-Aldrich, Inc., St. Louis, MO, USA |
| Flg (Anti-FGFR1) | Rabbit | sc-121 | 1:25 | Santa Cruz Biotechnology, Dallas, TX, USA | |
| Bek (Anti-FGFR2) | Rabbit | sc-122 | 1:50 | Santa Cruz Biotechnology, Dallas, TX, USA | |
| Anti-CTGF | Goat | sc-14939 | 1:50 | Santa Cruz Biotechnology, Dallas, TX, USA | |
| Anti-TGF-β1 | Rabbit | ab215715 | 1:100 | Abcam, Cambridge, UK | |
| Anti-Syndecan-1 | Mouse | ab34164 | 1:75 | Abcam, Cambridge, UK | |
| Anti-α-SMA | Mouse | M0851 | 1:300 | DAKO, Glostrup, Denmark | |
| Secondary | Alexa Fluor® 488 Anti-Rabbit lgG | Donkey | 711-545-152 | 1:400 | Jackson Immuno Research Laboratories, Inc., Baltimore, PA, USA |
| Alexa Fluor® 488 Anti-Goat lgG | Donkey | 705-545-003 | 1:400 | Jackson Immuno Research Laboratories, Inc., Baltimore, PA, USA | |
| Rhodamine Red™-X Anti-Mouse IgG | Donkey | 715-295-151 | 1:400 | Jackson Immuno Research Laboratories, Inc., Baltimore, PA, USA |
Publisher’s Note: MDPI stays neutral with regard to jurisdictional claims in published maps and institutional affiliations. |
© 2022 by the authors. Licensee MDPI, Basel, Switzerland. This article is an open access article distributed under the terms and conditions of the Creative Commons Attribution (CC BY) license (https://creativecommons.org/licenses/by/4.0/).
Share and Cite
Tripković, I.; Ogorevc, M.; Vuković, D.; Saraga-Babić, M.; Mardešić, S. Fibrosis-Associated Signaling Molecules Are Differentially Expressed in Palmar Connective Tissues of Patients with Carpal Tunnel Syndrome and Dupuytren’s Disease. Biomedicines 2022, 10, 3214. https://doi.org/10.3390/biomedicines10123214
Tripković I, Ogorevc M, Vuković D, Saraga-Babić M, Mardešić S. Fibrosis-Associated Signaling Molecules Are Differentially Expressed in Palmar Connective Tissues of Patients with Carpal Tunnel Syndrome and Dupuytren’s Disease. Biomedicines. 2022; 10(12):3214. https://doi.org/10.3390/biomedicines10123214
Chicago/Turabian StyleTripković, Ivo, Marin Ogorevc, Dubravka Vuković, Mirna Saraga-Babić, and Snježana Mardešić. 2022. "Fibrosis-Associated Signaling Molecules Are Differentially Expressed in Palmar Connective Tissues of Patients with Carpal Tunnel Syndrome and Dupuytren’s Disease" Biomedicines 10, no. 12: 3214. https://doi.org/10.3390/biomedicines10123214
APA StyleTripković, I., Ogorevc, M., Vuković, D., Saraga-Babić, M., & Mardešić, S. (2022). Fibrosis-Associated Signaling Molecules Are Differentially Expressed in Palmar Connective Tissues of Patients with Carpal Tunnel Syndrome and Dupuytren’s Disease. Biomedicines, 10(12), 3214. https://doi.org/10.3390/biomedicines10123214

