Comparing Machine Learning and Binary Thresholding Methods for Quantification of Callose Deposits in the Citrus Phloem
Abstract
:1. Introduction
2. Results
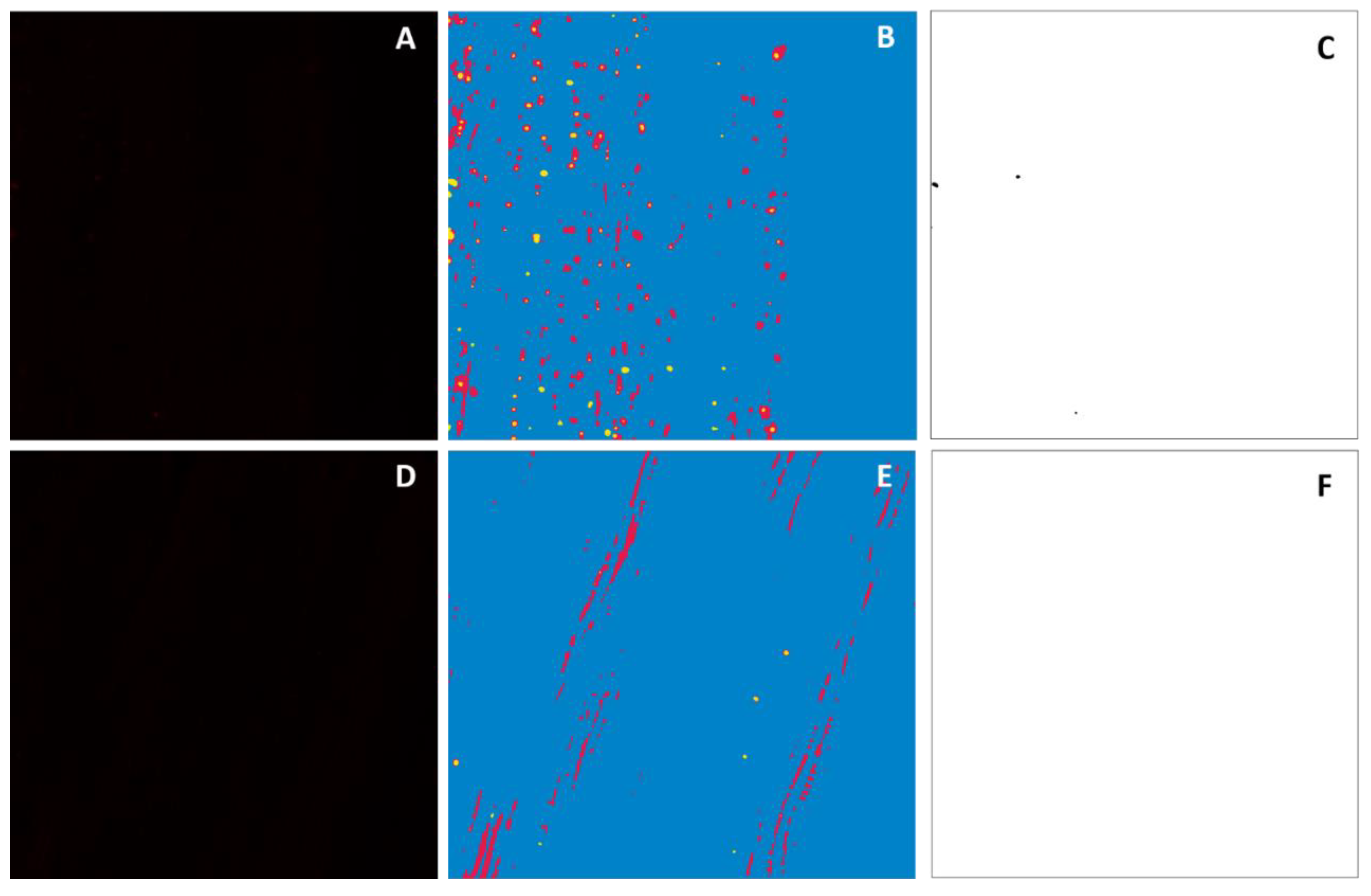
2.1. Supervised Machine Learning Was Identified as More Sensitive in Detecting Phloem Callose
2.2. Binary Thresholding Counts Were Significantly Different from Manual Counts, but Supervised Machine Learning Counts Were Not
2.3. Callose Was Correctly Identified by Both Software Methods in Pith Outer Layers
2.4. Counts from the Supervised Machine Learning Method Are a Better Approximation of Manual Counts
3. Discussion
4. Materials and Methods
4.1. Plant Material and Tissue Collection
4.2. Tissue Staining
4.3. Image Collection
4.4. Manual Counts
4.5. Image Pre-Processing for Ilastik
4.6. Supervised Machine Learning-Based Image Segmentation
4.7. Local Binary Thresholding and Segmentation
4.8. Statistical Analysis
5. Conclusions
Author Contributions
Funding
Institutional Review Board Statement
Informed Consent Statement
Data Availability Statement
Conflicts of Interest
References
- Amsbury, S.; Kirk, P.; Benitez-Alfonso, Y. Emerging models on the regulation of intercellular transport by plasmodesmata-associated callose. J. Exp. Bot. 2017, 69, 105–115. [Google Scholar] [CrossRef] [PubMed] [Green Version]
- Seale, M. Callose Deposition during Pollen Development. Plant Physiol. 2020, 184, 564–565. [Google Scholar] [CrossRef] [PubMed]
- Wang, Y.; Li, X.; Fan, B.; Zhu, C.; Chen, Z. Regulation and Function of Defense-Related Callose Deposition in Plants. Int. J. Mol. Sci. 2021, 22, 2393. [Google Scholar] [CrossRef] [PubMed]
- Wood, P.J.; Fulcher, R. Specific interaction of aniline blue with (1 → 3)-β-d-glucan. Carbohydr. Polym. 1984, 4, 49–72. [Google Scholar] [CrossRef]
- Mason, K.N.; Ekanayake, G.; Heese, A. Staining and automated image quantification of callose in Arabidopsis cotyledons and leaves. In Methods in Cell Biology; Elsevier: Amsterdam, The Netherlands, 2020; Volume 160, pp. 181–199. ISBN 978-0-12-821533-3. [Google Scholar]
- Zavaliev, R.; Epel, B.L. Imaging Callose at Plasmodesmata Using Aniline Blue: Quantitative Confocal Microscopy. In Plasmodesmata: Methods and Protocols; Heinlein, M., Ed.; Methods in Molecular Biology; Springer: New York, NY, USA, 2015; pp. 105–119. ISBN 978-1-4939-1523-1. [Google Scholar]
- Bougourd, S.; Marrison, J.; Haseloff, J. An aniline blue staining procedure for confocal microscopy and 3D imaging of normal and perturbed cellular phenotypes in mature Arabidopsis embryos. Plant J. 2008, 24, 543–550. [Google Scholar] [CrossRef]
- Schenk, S.; Schikora, A. Staining of Callose Depositions in Root and Leaf Tissues. Bio-protocol 2015, 5, e1429. [Google Scholar] [CrossRef]
- Bankhead, P. Analyzing Fluorescence Microscopy Images with ImageJ; Heidelberg University Nikon Imaging Center: Heidelberg, Germany, 2012. [Google Scholar]
- Bioimage Data Analysis; Miura, K. (Ed.) Wiley: Hoboken, NJ, USA, 2016; ISBN 978-3-527-34122-1. [Google Scholar]
- Berg, S.; Kutra, D.; Kroeger, T.; Straehle, C.N.; Kausler, B.X.; Haubold, C.; Schiegg, M.; Ales, J.; Beier, T.; Rudy, M.; et al. ilastik: Interactive machine learning for (bio)image analysis. Nat. Methods 2019, 16, 1226–1232. [Google Scholar] [CrossRef] [PubMed]
- Sommer, C.; Straehle, C.; Kothe, U.; Hamprecht, F.A. Ilastik: Interactive learning and segmentation toolkit. In Proceedings of the 2011 IEEE International Symposium on Biomedical Imaging: From Nano to Macro, Chicago, IL, USA, 30 March–2 April 2011; pp. 230–233. [Google Scholar]
- Zhou, J.; Spallek, T.; Faulkner, C.; Robatzek, S. CalloseMeasurer: A novel software solution to measure callose deposition and recognise spreading callose patterns. Plant Methods 2012, 8, 49. [Google Scholar] [CrossRef] [PubMed] [Green Version]
- Khalid, S.; Khalil, T.; Nasreen, S. A survey of feature selection and feature extraction techniques in machine learning. In Proceedings of the Science and Information Conference (SAI), London, UK, 27–29 August 2014; pp. 372–378. [Google Scholar]
- Welker, S.; Pierre, M.; Santiago, J.P.; Dutt, M.; Vincent, C.; Levy, A. Phloem transport limitation in Huanglongbing-affected sweet orange is dependent on phloem-limited bacteria and callose. Tree Physiol. 2021. [Google Scholar] [CrossRef]
- Schindelin, J.; Arganda-Carreras, I.; Frise, E.; Kaynig, V.; Longair, M.; Pietzsch, T.; Preibisch, S.; Rueden, C.; Saalfeld, S.; Schmid, B.; et al. Fiji: An open-source platform for biological-image analysis. Nat. Methods 2012, 9, 676–682. [Google Scholar] [CrossRef] [Green Version]
- R Core Team, R. A Language and Environment for Statistical Computing; R foundation for statistical computing: Vienna, Austria, 2020. [Google Scholar]
- Hoekendijk, J.P.A.; Kellenberger, B.; Aarts, G.; Brasseur, S.; Poiesz, S.S.H.; Tuia, D. Counting using deep learning regression gives value to ecological surveys. Sci. Rep. 2021, 11, 1–12. [Google Scholar] [CrossRef]
- Cunningham, R.B.; Lindenmayer, D.B. Modeling count data of rare species: Some statistical issues. Ecology 2005, 86, 1135–1142. [Google Scholar] [CrossRef]
- Cameron, A.C.; Windmeijer, F. An R-squared measure of goodness of fit for some common nonlinear regression models. J. Econ. 1997, 77, 329–342. [Google Scholar] [CrossRef]
- Lüdecke, D.; Ben-Shachar, M.S.; Patil, I.; Waggoner, P.; Makowski, D. Performance: An R Package for Assessment, Comparison and Testing of Statistical Models. J. Open Source Softw. 2021, 6, 3139. [Google Scholar] [CrossRef]
- Hamner, B.; Frasco, M. Metrics: Evaluation Metrics for Machine Learning. Available online: https://CRAN.R-project.org/package=Metrics (accessed on 28 January 2022).
- Pereira, D.G.; Afonso, A.; Medeiros, F.M. Overview of Friedman’s Test and Post-hoc Analysis. Commun. Stat.-Simul. Comput. 2015, 44, 2636–2653. [Google Scholar] [CrossRef]
- Kassambara, A. Rstatix: Pipe-Friendly Framework for Basic Statistical Tests. Available online: https://CRAN.R-project.org/package=rstatix (accessed on 28 January 2022).





| Count Pair | Z (Test Statistic) | p-Value |
|---|---|---|
| Human–Fiji | 120 | <0.001 * |
| Human–Ilastik | 35.5 | 0.52 |
| Fiji–Ilastik | 0 | 0.003 * |
| Effect | Estimate | Standard Error | z-Value | p-Value |
|---|---|---|---|---|
| Intercept | 3.86 | 0.24 | 16.22 | <0.001 * |
| Ilastik count | 0.004 | <0.001 | 7.023 | <0.001 * |
| Effect | Estimate | Standard Error | z-Value | p-Value |
|---|---|---|---|---|
| Intercept | 4.75 | 0.28 | 16.75 | <0.001 * |
| Fiji count | 0.02 | 0.007 | 3.32 | <0.001 * |
| Predictor | K–L R2 | RMSE | AIC |
|---|---|---|---|
| Ilastik | 0.68 | 60.87 | 182.29 |
| Fiji | 0.34 | 329.26 | 194.18 |
Publisher’s Note: MDPI stays neutral with regard to jurisdictional claims in published maps and institutional affiliations. |
© 2022 by the authors. Licensee MDPI, Basel, Switzerland. This article is an open access article distributed under the terms and conditions of the Creative Commons Attribution (CC BY) license (https://creativecommons.org/licenses/by/4.0/).
Share and Cite
Welker, S.; Levy, A. Comparing Machine Learning and Binary Thresholding Methods for Quantification of Callose Deposits in the Citrus Phloem. Plants 2022, 11, 624. https://doi.org/10.3390/plants11050624
Welker S, Levy A. Comparing Machine Learning and Binary Thresholding Methods for Quantification of Callose Deposits in the Citrus Phloem. Plants. 2022; 11(5):624. https://doi.org/10.3390/plants11050624
Chicago/Turabian StyleWelker, Stacy, and Amit Levy. 2022. "Comparing Machine Learning and Binary Thresholding Methods for Quantification of Callose Deposits in the Citrus Phloem" Plants 11, no. 5: 624. https://doi.org/10.3390/plants11050624
APA StyleWelker, S., & Levy, A. (2022). Comparing Machine Learning and Binary Thresholding Methods for Quantification of Callose Deposits in the Citrus Phloem. Plants, 11(5), 624. https://doi.org/10.3390/plants11050624

