Preparation and Characterization of Wood Scrimber Based on Eucalyptus Veneers Complexed with Ferrous Ions
Abstract
1. Introduction
2. Materials and Methods
2.1. Materials
2.2. Material Preparation of Fe (II)-Complex Eucalyptus Scrimber
2.3. Characterization
2.4. Surface Color Testing
2.5. Water Absorption and Dimensional Stability Tests
2.6. Mechanical Tests
3. Results and Discussion
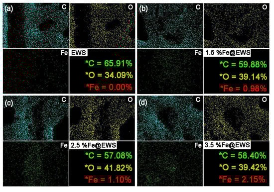
3.1. Morphologies of Cross-Section of Wood Scrimber
3.2. Surface Color and Anti-Photoaging Property
3.3. Surface Roughness and Wettability
3.4. Water Absorption and Dimensional Stability
3.5. Mechanical Properties
4. Conclusions
Author Contributions
Funding
Institutional Review Board Statement
Informed Consent Statement
Data Availability Statement
Acknowledgments
Conflicts of Interest
References
- Kong, L.; Zhao, Z.; He, Z.; Yi, S. Development of schedule to steaming prior to drying and its effects on Eucalyptus grandis × E. urophylla wood. Eur. J. Wood Wood Prod. 2018, 76, 591–600. [Google Scholar] [CrossRef]
- Wencheng, L.; Yahui, Z.; Lijun, G.; Wenji, Y. Study on suitability manufacture process of structure Eucalyptus scrimber. J. For. Eng. 2022, 1–7. [Google Scholar] [CrossRef]
- Zhou, Y.D.; Fu, F.; Li, X.J.; Jiang, X.M.; Chen, Z.L. Effects of microwave treatment on residue growth stress and microstructure of Eucalyptus urophylla. J. Beijing For. Univ. 2009, 31, 146–150. [Google Scholar]
- Chen, F.Y.; Zhang, Y.H.; Wen-Ji, Y.U. Manufacturing and Properties of Eucalyptus Scrimber for Making Furniture. China Wood Ind. 2016, 30, 39–42. [Google Scholar]
- Han, X.; Han, X.; Wang, Z.; Wang, S.; Meng, W.; Lv, H.; Zhou, Z.; Pu, J. High mechanical properties and excellent anisotropy of dually synergistic network wood fiber gel for human–computer interactive sensors. Cellulose 2022, 29, 4495–4508. [Google Scholar] [CrossRef]
- Zhang, Y.; Huang, X.; Zhang, Y.; Yu, Y.; Yu, W. Scrimber board (SB) manufacturing by a new method and characterization of SB’s mechanical properties and dimensional stability. Holzforschung 2018, 72, 283–289. [Google Scholar] [CrossRef]
- Changrong, L.I.; Chen, J.; Guo, D.; Weng, Q.; Cuixiang, L.U.; Jianfan, L.I.; Zhou, W.; Gan, S. Comprehensive index selection on superior growth and wood properties of Eucalyptus cloeziana for saw timber. J. Nanjing For. Univ. 2019, 62, 1–8. [Google Scholar]
- Gaunt, D.; Penellum, B.; Mckenzie, H.M. Eucalyptus nitens laminated veneer lumber structural properties. N. Z. J. For. Sci. 2003, 33, 114–125. [Google Scholar]
- Lu, Z.; Zhou, H.; Liao, Y.; Hu, C. Effects of surface treatment and adhesives on bond performance and mechanical properties of cross-laminated timber (CLT) made from small diameter Eucalyptus timber. Constr. Build. Mater. 2018, 161, 9–15. [Google Scholar] [CrossRef]
- Wei, Y.; Rao, F.; Yu, Y.; Huang, Y.; Yu, W. Fabrication and performance evaluation of a novel laminated veneer lumber (LVL) made from hybrid poplar. Eur. J. Wood Wood Prod. 2019, 77, 381–391. [Google Scholar] [CrossRef]
- Yu, Y.; Huang, X.; Yu, W. A novel process to improve yield and mechanical performance of bamboo fiber reinforced composite via mechanical treatments. Compos. Part B Eng. 2014, 56, 48–53. [Google Scholar] [CrossRef]
- Lin, Q.; Zhang, Y.; Yu, W. Improvement of dimensional stability of poplar scrimber by pre-compression treatment gluing technology. J. For. Eng. 2020, 6, 58–67. [Google Scholar]
- Amari, M.; Khimeche, K.; Hima, A.; Chebout, R.; Mezroua, A. Synthesis of Green Adhesive with Tannin Extracted from Eucalyptus Bark for Potential Use in Wood Composites. J. Renew. Mater. 2021, 9, 463–475. [Google Scholar] [CrossRef]
- Miranda, I.; Lima, L.; Quilhó, T.; Knapic, S.; Pereira, H. The bark of Eucalyptus sideroxylon as a source of phenolic extracts with anti-oxidant properties. Ind. Crops Prod. 2016, 82, 81–87. [Google Scholar] [CrossRef]
- Durazzo, A.; Lucarini, M.; Souto, E.B.; Cicala, C.; Caiazzo, E.; Izzo, A.A.; Novellino, E.; Santini, A. Polyphenols: A concise overview on the chemistry, occurrence, and human health. Phytother. Res. 2019, 33, 2221–2243. [Google Scholar] [CrossRef] [PubMed]
- Im, K.M.; Kim, T.W.; Jeon, J.R. Metal-Chelation-Assisted Deposition of Polydopamine on Human Hair: A Ready-to-Use Eumelanin-Based Hair Dyeing Methodology. ACS Biomater. Sci. Eng. 2017, 3, 628–636. [Google Scholar] [CrossRef]
- Hsiao, N.C.; Chang, T.C.; Hsu, F.L.; Chang, S.T. Environmentally benign treatments for inhibiting the release of aqueous extracts from merbau heartwood. Wood Sci. Technol. 2016, 50, 333–348. [Google Scholar] [CrossRef]
- Dai, Q.; Geng, H.; Yu, Q.; Hao, J.; Cui, J. Polyphenol-Based Particles for Theranostics. Theranostics 2019, 9, 3170–3190. [Google Scholar] [CrossRef] [PubMed]
- Liu, R.; Qiu, H.; Xu, J.; Li, X.; Long, L. Surface color changes of oak (Quercus alba L.) treated with dopamine and iron ion compounds by acceleration of temperature–humidity condition. Eur. J. Wood Prod. 2021, 79, 557–565. [Google Scholar] [CrossRef]
- Qiu, H.-Y.; Long, L.; Liu, R.; Xu, J.-F.; Li, X.-Y. Study on Surface Discoloration and Color Stability of Iron Ions Treated European Oak (Quercus robur). China Wood Ind. 2020, 34, 7–12. [Google Scholar]
- Çakar, S.; Özacar, M. The pH dependent tannic acid and Fe-tannic acid complex dye for dye sensitized solar cell applications. J. Photochem. Photobiol. A Chem. 2019, 371, 282–291. [Google Scholar] [CrossRef]
- Lab, H. Application note: Hunter color scale. Insight Color 1996, 8, 1–4. [Google Scholar]
- Chen, B.; Tang, Z. Research on CIEDE 2000 Color Difference Formula. Packag. Eng. 2006, 27, 67–69. [Google Scholar] [CrossRef]
- Freitas, M.O.; Lima, M.A.S.; Silveira, E.R. Polyphenol compounds of the kino of Eucalyptus citriodora. Quim. Nova 2007, 30, 1926–1929. [Google Scholar] [CrossRef]
- Fan, H.; Wang, L.; Feng, X.; Bu, Y.; Wu, D.; Jin, Z. Supramolecular Hydrogel Formation Based on Tannic Acid. Macromolecules 2017, 50, 666–676. [Google Scholar] [CrossRef]
- Wuyong, C.; Bo, L.; Jin, L.; Jinping, T.; Tingjun, H. Color laws of vegetable tannin reacted with ferric salts and oxidizer. China Leather 2003, 32, 4. [Google Scholar]
- Ashokkumar, M.; Grieser, F. A Comparison between Multibubble Sonoluminescence Intensity and the Temperature within Cavitation Bubbles. J. Am. Chem. Soc. 2005, 127, 5326–5327. [Google Scholar] [CrossRef]
- Maerten, C.; Lopez, L.; Lupattelli, P.; Rydzek, G.; Pronkin, S.; Schaaf, P.; Jierry, L.; Boulmedais, F. Electrotriggered Confined Self-assembly of Metal-Polyphenol Nanocoatings Using a Morphogenic Approach. Chem. Mater. 2017, 29, 9668–9679. [Google Scholar] [CrossRef]
- Nkhili, E.; Loonis, M.; Mihai, S.; El Hajji, H.; Dangles, O. Reactivity of food phenols with iron and copper ions: Binding, dioxygen activation and oxidation mechanisms. Food Funct. 2014, 5, 1186–1202. [Google Scholar] [CrossRef]
- Khanbabaee, K.; van Ree, T. Tannins: Classification and Definition. Nat. Prod. Rep. 2001, 18, 641–649. [Google Scholar] [CrossRef]
- Lee, H.; Kim, W.I.; Youn, W.; Park, T.; Lee, S.; Kim, T.S.; Mano, J.F.; Choi, I.S. Iron Gall Ink Revisited: In Situ Oxidation of Fe(II)-Tannin Complex for Fluidic-Interface Engineering. Adv. Mater. 2018, 30, 1805091. [Google Scholar] [CrossRef] [PubMed]
- Limaye, M.V.; Schutz, C.; Kriechbaum, K.; Wohlert, J.; Bacsik, Z.; Wohlert, M.; Xia, W.; Plea, M.; Dembele, C.; Salazar-Alvarez, G.; et al. Functionalization and patterning of nanocellulose films by surface-bound nanoparticles of hydrolyzable tannins and multivalent metal ions. Nanoscale 2019, 11, 19278–19284. [Google Scholar] [CrossRef] [PubMed]
- More, N.; Smith, G.; Te Kanawa, R.; Miller, I. Iron-sensitised degradation of black-dyed Maori textiles. Dye. Hist. Archaeol. 2003, 144–148. [Google Scholar]
- Yu, Y.; Liu, R.; Huang, Y.; Meng, F.; Yu, W. Preparation, physical, mechanical, and interfacial morphological properties of engineered bamboo scrimber. Constr. Build. Mater. 2017, 157, 1032–1039. [Google Scholar] [CrossRef]








Publisher’s Note: MDPI stays neutral with regard to jurisdictional claims in published maps and institutional affiliations. |
© 2022 by the authors. Licensee MDPI, Basel, Switzerland. This article is an open access article distributed under the terms and conditions of the Creative Commons Attribution (CC BY) license (https://creativecommons.org/licenses/by/4.0/).
Share and Cite
Liu, S.; Lin, Q.; Yu, Y.; Yu, W. Preparation and Characterization of Wood Scrimber Based on Eucalyptus Veneers Complexed with Ferrous Ions. Polymers 2022, 14, 4217. https://doi.org/10.3390/polym14194217
Liu S, Lin Q, Yu Y, Yu W. Preparation and Characterization of Wood Scrimber Based on Eucalyptus Veneers Complexed with Ferrous Ions. Polymers. 2022; 14(19):4217. https://doi.org/10.3390/polym14194217
Chicago/Turabian StyleLiu, Shiqin, Qiuqin Lin, Yanglun Yu, and Wenji Yu. 2022. "Preparation and Characterization of Wood Scrimber Based on Eucalyptus Veneers Complexed with Ferrous Ions" Polymers 14, no. 19: 4217. https://doi.org/10.3390/polym14194217
APA StyleLiu, S., Lin, Q., Yu, Y., & Yu, W. (2022). Preparation and Characterization of Wood Scrimber Based on Eucalyptus Veneers Complexed with Ferrous Ions. Polymers, 14(19), 4217. https://doi.org/10.3390/polym14194217

