Preparation of SiO2-Protecting Metallic Fe Nanoparticle/SiO2 Composite Spheres for Biomedical Application
Abstract
:1. Introduction

2. Experimental Section
2.1. Preparation of SiO2@Fe/SiO2 Composite Spheres
2.2. Characterization and Measurements of SiO2@Fe/SiO2 Composite Spheres
2.3. Dye Released from SiO2@Fe/SiO2 Composite Spheres
2.4. In Vitro Evaluation of SiO2@Fe/SiO2 Nanoparticles
3. Results and Discussion
3.1. Characterization of SiO2@Fe/SiO2 Composite Spheres
3.1.1. Elemental Composition
| FeCl3·6H2O Concentration | Fe (mg) by ICP-MS | Fe wt% by ICP-MS |
|---|---|---|
| 0.100 M | 0.0214 | 0.59 |
| 0.375 M | 0.0828 | 2.42 |
| 0.510 M | 0.0785 | 2.49 |
3.1.2. Iron Nanoparticle Type and Morphology


3.1.3. Magnetic Properties

3.2. Drug Release Profile of SiO2@Fe/SiO2 Nanoparticles

3.3. In Vitro Evaluation of SiO2@Fe/SiO2 Composite Spheres
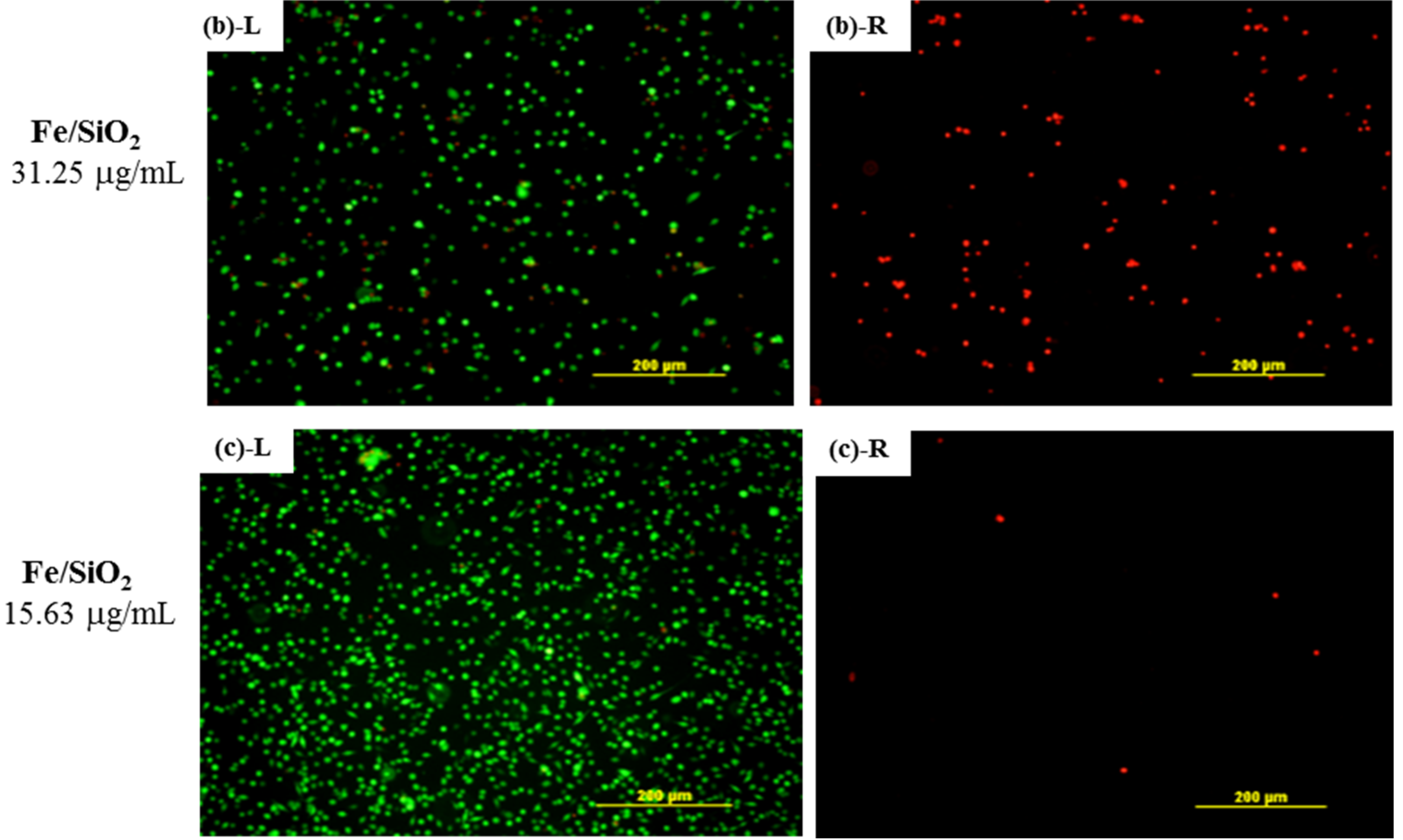
3.3.1. Cell Viability and Cytotoxicity



3.3.2. Intracellular Distribution of Particles

4. Conclusions
Acknowledgments
Author Contributions
Conflicts of Interest
References
- Lu, A.H.; Salabas, E.L.; Schuth, F. Magnetic nanoparticles: Synthesis, protection, functionalization, and application. Angew. Chem. Int. Ed. 2007, 46, 1222–1244. [Google Scholar] [CrossRef] [PubMed]
- Tartaj, P.; Morales, M.D.P.; Veintemillas-Verdaguer, S.; González-Carreño, T.; Serna, C.J. The preparation of magnetic nanoparticles for applications in biomedicine. J. Phys. D Appl. Phys. 2003, 36, R182–R197. [Google Scholar] [CrossRef]
- Hadjipanayis, C.G.; Bonder, M.J.; Balakrishnan, S.; Wang, X.; Mao, H.I.; Hadjipanayis, G.C. Metallic iron nanoparticles for MRI contrast enhancement and local hyperthermia. Small 2008, 4, 1925–1929. [Google Scholar] [CrossRef] [PubMed]
- Chung, R.J.; Shih, H.T. Preparation of multifunctional Fe@Au Core-Shell nanoparticles with surface grafting as a potential treatment for magnetic hyperthermia. Materials 2014, 7, 653–661. [Google Scholar] [CrossRef]
- Khurshid, H.; Tzitzios, V.; Colak, L.; Fang, F.; Hadjipanayis, G.C. Metallic iron-based nanoparticles for biomedical applications. J. Phys. 2010, 200. [Google Scholar] [CrossRef]
- Ling, T.; Xie, L.; Zhu, J.; Yu, H.; Ye, H.; Yu, R.; Cheng, Z.; Liu, L.; Liu, L.; Yang, G.; et al. Icosahedral face-centered cubic Fe nanoparticles: Facile synthesis and characterization with aberration-corrected TEM. Nano Lett. 2009, 9, 1572–1576. [Google Scholar] [CrossRef] [PubMed]
- Yang, T.I.; Brown, R.N.C.; Kempel, L.C.; Kofinas, P. Controlled synthesis of core-shell iron-silica nanoparticles and their magneto-dielectric properties in polymer composites. Nanotechnology 2011, 22, 105601–105608. [Google Scholar] [CrossRef] [PubMed]
- Kohara, K.; Yamamoto, S.; Seinberg, L.; Murakami, T.; Tsujimoto, M.; Ogaw, T.; Kurata, H.; Kageyama, H.; Takanoa, M. Carboxylated SiO2-coated a-Fe nanoparticles: Towards a versatile platform for biomedical applications. Chem. Commun. 2013, 49, 2563–2565. [Google Scholar] [CrossRef] [PubMed]
- Zhang, T.; Ge, J.; Hu, Y.; Yin, Y. A general approach for transferring hydrophobic nanocrystals into water. Nano Lett. 2007, 7, 3203–3207. [Google Scholar] [CrossRef] [PubMed]
- Hervé, K.; Douziech-Eyrolles, L.; Munnier, E.; Cohen-Jonathan, S.; Soucé, M.; Marchais, H.; Limelette, P.; Warmont, F.; Saboungi, M.L.; Dubois, P.; et al. The development of stable aqueous suspensions of PEGylated SPIONs for biomedical applications. Nanotechnology 2008, 19. [Google Scholar] [CrossRef] [PubMed]
- Zhu, R.; Jiang, W.; Pu, Y.; Luo, K.; Wu, Y.; He, B.; Gu, Z. Functionalization of magnetic nanoparticles with peptide dendrimers. J. Mater. Chem. 2011, 21, 5464–5474. [Google Scholar] [CrossRef]
- Zhua, A.; Yuan, L.; Liao, T. Suspension of Fe3O4 nanoparticles stabilized by chitosan and o-carboxymethylchitosan. Int. J. Pharm. 2008, 350, 361–368. [Google Scholar] [CrossRef] [PubMed]
- Li, G.Y.; Jiang, Y.R.; Huang, K.L.; Ding, P.; Chen, J. Preparation and properties of magnetic Fe3O4-chitosan nanoparticles. J. Alloys Compd. 2008, 466, 451–456. [Google Scholar] [CrossRef]
- Li, J.; Li, H.; Zhu, Y.; Hao, Y.; Sun, X.; Wang, L. Dual roles of amphiphilic triblock copolymer P123 in synthesis of a-Fe nanoparticle/ordered mesoporous silica composites. Appl. Surf. Sci. 2011, 258, 657–661. [Google Scholar] [CrossRef]
- Mahesh, K.P.O.; Kuo, D.H.; Huang, B.R.; Ujihar, M.; Imae, T. Chemically modified polyurethane-SiO2/TiO2 hybrid composite filmand its reusability for photocatalytic degradation of Acid Black 1(AB 1) under UV light. Appl. Catal. A 2014, 475, 235–241. [Google Scholar] [CrossRef]
- Haham, H.; Grinblat, J.; Sougrati, M.-T.; Stievano, L.; Margel, S. Engineering of iron-based magnetic activated carbon fabrics for environmental remediation. Materials 2015, 8, 4593–4607. [Google Scholar] [CrossRef]
- Mustapic, M.; Pajic, D.; Novosel, N.; Babic, E.; Zadro, K. Synthesis, structural characterization and magnetic properties of iron boride nanoparticles with or without silicon dioxide coating. Croat. Chem. Acta 2010, 83, 275–282. [Google Scholar]
- Saiyasombat, C.; Petchsang, N.; Tang, I.M.; Hodak, J.H. Preparation of iron boride-silica core-shell nanoparticles with soft ferromagnetic properties. Nanotechnology 2008, 19. [Google Scholar] [CrossRef] [PubMed]
- Kim, H.J.; Ahn, J.E.; Haam, S.; Shul, Y.G.; Song, S.Y.; Tatsumi, T. Synthesis and characterization of mesoporous Fe/SiO2 for magnetic drug targeting. J. Mater. Chem. 2006, 16, 1617–1621. [Google Scholar] [CrossRef]
- Cullity, B.D. Introduction to Magnetic Materials; Addison-Wiley: New York, NY, USA, 1972. [Google Scholar]
- Sorensen, C.M. Magnetismin Nanoscale Materials in Chemistry; Klabunde, K.J., Ed.; Wiley-Interscience Publication: New York, NY, USA, 2001. [Google Scholar]
- Maver, U.; Bele, M.; Makovec, D.; Campelj, S.; Jamnik, J.; Gaberscek, M. Incorporation and release of drug into/from superparamagnetic iron oxide nanoparticles. J. Magn. Magn. Mater. 2009, 321, 3187–3192. [Google Scholar] [CrossRef]
© 2015 by the authors; licensee MDPI, Basel, Switzerland. This article is an open access article distributed under the terms and conditions of the Creative Commons by Attribution (CC-BY) license (http://creativecommons.org/licenses/by/4.0/).
Share and Cite
Hsieh, P.-W.; Tseng, C.-L.; Kuo, D.-H. Preparation of SiO2-Protecting Metallic Fe Nanoparticle/SiO2 Composite Spheres for Biomedical Application. Materials 2015, 8, 7691-7701. https://doi.org/10.3390/ma8115416
Hsieh P-W, Tseng C-L, Kuo D-H. Preparation of SiO2-Protecting Metallic Fe Nanoparticle/SiO2 Composite Spheres for Biomedical Application. Materials. 2015; 8(11):7691-7701. https://doi.org/10.3390/ma8115416
Chicago/Turabian StyleHsieh, Pin-Wei, Ching-Li Tseng, and Dong-Hau Kuo. 2015. "Preparation of SiO2-Protecting Metallic Fe Nanoparticle/SiO2 Composite Spheres for Biomedical Application" Materials 8, no. 11: 7691-7701. https://doi.org/10.3390/ma8115416
APA StyleHsieh, P.-W., Tseng, C.-L., & Kuo, D.-H. (2015). Preparation of SiO2-Protecting Metallic Fe Nanoparticle/SiO2 Composite Spheres for Biomedical Application. Materials, 8(11), 7691-7701. https://doi.org/10.3390/ma8115416

