Sign in to use this feature.

Years

Between: -

Subjects

remove_circle_outline
remove_circle_outline
remove_circle_outline
remove_circle_outline
remove_circle_outline
remove_circle_outline
remove_circle_outline
remove_circle_outline
remove_circle_outline

Journals

remove_circle_outline
remove_circle_outline
remove_circle_outline
remove_circle_outline
remove_circle_outline
remove_circle_outline
remove_circle_outline
remove_circle_outline
remove_circle_outline
remove_circle_outline
remove_circle_outline
remove_circle_outline
remove_circle_outline

Article Types

Countries / Regions

remove_circle_outline
remove_circle_outline
remove_circle_outline
remove_circle_outline

Search Results (803)

Search Parameters:
Keywords = mRNA-based vaccines

Order results
Result details
Results per page
Select all
Export citation of selected articles as:
22 pages, 2063 KB  
Article
Chimeric Virus-like Particles Formed by the Coat Proteins of Single-Stranded RNA Phages Beihai32 and PQ465, Simultaneously Displaying the M2e Peptide and the Stalk HA Peptide from Influenza a Virus, Elicit Humoral and T-Cell Immune Responses in Mice
by Egor A. Vasyagin, Anna A. Zykova, Elena A. Blokhina, Olga O. Ozhereleva, Liudmila A. Stepanova, Marina A. Shuklina, Sergey A. Klotchenko, Eugenia S. Mardanova and Nikolai V. Ravin
Vaccines 2025, 13(11), 1117; https://doi.org/10.3390/vaccines13111117 - 30 Oct 2025
Abstract
Background: The extracellular domain of the M2 protein (M2e) and the conserved region of the second subunit of the hemagglutinin (HA2, 76–130 а.а.) of the influenza A virus, could be used to develop broad-spectrum influenza vaccines. However, these antigens have low immunogenicity and [...] Read more.
Background: The extracellular domain of the M2 protein (M2e) and the conserved region of the second subunit of the hemagglutinin (HA2, 76–130 а.а.) of the influenza A virus, could be used to develop broad-spectrum influenza vaccines. However, these antigens have low immunogenicity and require the use of special carriers to enhance it. Virus-like particles (VLPs) formed from viral capsid proteins are among the most effective carriers. Methods: In this work, we obtained and characterized VLPs based on capsid proteins (CPs) of single-stranded RNA bacteriophages Beihai32 and PQ465, simultaneously displaying M2e and HA2 peptides. Results: Fusion proteins expressed in Escherichia coli formed spherical VLPs of about 30 nm in size. Subcutaneous immunization of mice with chimeric VLPs elicited a robust humoral immune response against M2e and the whole influenza A virus, and promoted the formation of cytokine-secreting antigen-specific CD4+ and CD8+ effector memory T cells. Conclusions: VLPs based on CPs of phages Beihai32 and PQ465 carrying conserved peptides M2e and HA2 of the influenza A virus can be used for the development of universal influenza vaccines. Full article
(This article belongs to the Special Issue Bioengineering Strategies for Developing Vaccines)
35 pages, 1084 KB  
Review
Vaccine-Associated Autoimmunity: From Clinical Signals to Immune Pathways
by Mou Peng and Zijun Wang
Vaccines 2025, 13(11), 1112; https://doi.org/10.3390/vaccines13111112 - 30 Oct 2025
Viewed by 45
Abstract
COVID-19 vaccination has played a pivotal role in mitigating the global health crisis and reducing morbidity and mortality associated with SARS-CoV-2 infection. While its public health benefits are unequivocal, the unprecedented scale of vaccination—reaching billions worldwide—has also enabled the detection of rare autoimmune [...] Read more.
COVID-19 vaccination has played a pivotal role in mitigating the global health crisis and reducing morbidity and mortality associated with SARS-CoV-2 infection. While its public health benefits are unequivocal, the unprecedented scale of vaccination—reaching billions worldwide—has also enabled the detection of rare autoimmune events, including systemic lupus erythematosus, rheumatoid arthritis, type 1 diabetes, and Guillain–Barré syndrome. Although such events occur in only a small subset of individuals, often influenced by genetic, environmental, or dosage-related factors, they underscore the importance of understanding immune tolerance mechanisms in vaccination. This review synthesizes clinical observations and immunological findings from the COVID-19 vaccination era, highlighting key mechanisms such as molecular mimicry, adjuvant-induced inflammation, bystander activation, epitope spreading, and polyclonal B cell activation. We also consider how novel vaccine platforms, particularly mRNA-based technologies, may influence immune regulation and self-tolerance. Importantly, we discuss the therapeutic management of vaccine-associated autoimmunity, including the use of corticosteroids, intravenous immunoglobulin (IVIG), plasma exchange, disease-modifying anti-rheumatic drugs (DMARDs), and other immunosuppressive agents, many of which have led to favorable clinical outcomes. By integrating mechanistic insights with treatment strategies, this review emphasizes that the overall benefits of COVID-19 vaccination overwhelmingly outweigh the risks, while advocating for continued surveillance, mechanistic research, and risk stratification to inform safer and more targeted vaccination strategies in future pandemics. Full article
Show Figures

Figure 1

44 pages, 5093 KB  
Review
Nano-Based Vaccine Delivery Systems: Innovative Therapeutics Against Cancer and Neurological Disorders
by Sarfraz Ahmed, David Gozal and Abdelnaby Khalyfa
Int. J. Mol. Sci. 2025, 26(21), 10316; https://doi.org/10.3390/ijms262110316 - 23 Oct 2025
Viewed by 641
Abstract
Vaccines have emerged as one of the most effective biomedical strategies for the eradication of diseases. However, a significant limitation remains in their ability to induce comprehensive humoral and cellular immune responses. Recently, nanoparticles (NPs) have been advanced as a novel vaccine delivery [...] Read more.
Vaccines have emerged as one of the most effective biomedical strategies for the eradication of diseases. However, a significant limitation remains in their ability to induce comprehensive humoral and cellular immune responses. Recently, nanoparticles (NPs) have been advanced as a novel vaccine delivery approach to address reduced immunogenicity. Several nanoparticle-based agents have now been approved for human use, and NP-based formulations have shown remarkable potential to enhance immunogenicity and stability, supporting targeted delivery and controlled release either through co-encapsulation of adjuvants such as Toll-like receptor (TLR) agonists or the inherent immune-stimulatory properties of NP materials in minimizing cytotoxicity. Despite these advances, there remains a pressing need for vaccines capable of addressing complex and multifactorial diseases such as neurological disorders and cancer. Nanotechnology could be a viable solution to this challenge. The use of lipid-based NPs, particularly those encapsulating mRNA, has garnered attention for its adaptability in vaccine delivery. Current studies indicate that NP composition, surface charge and size may play a crucial role in modulating biodistribution, delivering immune-stimulatory molecules, targeting antigens and trafficking antigen-presenting cells (APCs), which enhance immune responses across mucosal and systemic tissues. This review highlights recent advancements in NP-based vaccines and delivery systems, and adjuvants for cancer and neurological disorders. The review also covers an overview of NP-based and alternative delivery systems, focusing on the mechanisms and innovations related to NP-based systems for immunotherapeutic applications in cancer and neurological disorders. Full article
(This article belongs to the Special Issue Multifunctional Nanocomposites for Bioapplications)
Show Figures

Figure 1

7 pages, 210 KB  
Case Report
Observations of Wart Clearance Following COVID-19 Vaccination: Coincidence or Missed Immunologic Signals?
by Qiwei Wilton Sun, Caroline A. Nelson and Howard P. Forman
Vaccines 2025, 13(11), 1081; https://doi.org/10.3390/vaccines13111081 - 22 Oct 2025
Viewed by 340
Abstract
Background/Objectives: The COVID-19 vaccines have been extensively studied for their potential adverse side effects. However, reports of unexpected but potentially beneficial immune responses have received comparatively less attention. Methods: In this case series, a PubMed search was conducted using the terms “warts”, “verruca”, [...] Read more.
Background/Objectives: The COVID-19 vaccines have been extensively studied for their potential adverse side effects. However, reports of unexpected but potentially beneficial immune responses have received comparatively less attention. Methods: In this case series, a PubMed search was conducted using the terms “warts”, “verruca”, “HPV”, “COVID-19”, “SARS-CoV-2”, “immunization”, and “vaccination.” All reported cases of wart clearance temporally linked to COVID-19 vaccination were identified and summarized, including patient demographics, vaccine type, number of doses, timing of clearance, and follow-up duration. Results: Five cases were identified. Patients varied in age, sex, comorbidity, and immunologic status. Warts were long-standing and treatment-resistant in all cases. Clearance occurred within approximately 2–4 weeks following the second or third vaccine dose (either mRNA-based [BNT162b2, mRNA-1273] or adenoviral vector [ChAdOx1-S]) and was sustained for 2–8 months of follow-up with no recurrences reported. Conclusions: While causality cannot be determined, the convergence of reports across diverse patients, consistent timing of clearance, and plausible immunologic pathways suggest that COVID-19 vaccination may, in rare instances, trigger beneficial immune activation against HPV-infected keratinocytes. Recognition of such unexpected outcomes underscores the need for broader vaccine safety and efficacy surveillance that includes both adverse and beneficial immune effects. Full article
(This article belongs to the Section COVID-19 Vaccines and Vaccination)
42 pages, 1647 KB  
Review
Preventive Immunology for Livestock and Zoonotic Infectious Diseases in the One Health Era: From Mechanistic Insights to Innovative Interventions
by Eman Marzouk and Ahmed I. Alajaji
Vet. Sci. 2025, 12(10), 1014; https://doi.org/10.3390/vetsci12101014 - 20 Oct 2025
Viewed by 811
Abstract
Preventive immunology is emerging as a cornerstone of animal infectious disease control within One Health, shifting emphasis from treatment to prevention. This review integrates mechanistic insights in host immunity with a comparative evaluation of next-generation interventions—mRNA/DNA and viral-vector vaccines, nanovaccines, monoclonal antibodies, cytokine [...] Read more.
Preventive immunology is emerging as a cornerstone of animal infectious disease control within One Health, shifting emphasis from treatment to prevention. This review integrates mechanistic insights in host immunity with a comparative evaluation of next-generation interventions—mRNA/DNA and viral-vector vaccines, nanovaccines, monoclonal antibodies, cytokine modulators, probiotics/postbiotics, bacteriophages, and CRISPR-based approaches—highlighting their immunogenicity, thermostability, delivery, and field readiness. Distinct from prior reviews, we appraise diagnostics as preventive tools (point-of-care assays, biosensors, MALDI-TOF MS, AI-enabled analytics) that enable early detection, risk prediction, and targeted interventions, and we map quantifiable links between successful prevention and reduced antimicrobial use. We embed translation factors—regulatory alignment, scalable manufacturing, workforce capacity, equitable access in LMICs, and public trust—alongside environmental and zoonotic interfaces that shape antimicrobial resistance dynamics. We also provide a critical analysis of limitations and failure cases: gene editing may require stacked edits and concurrent vaccination; phage programs must manage host range, resistance, stability, and regulation; and probiotic benefits remain context-specific. Finally, we present a risk–benefit–readiness framework and a time-bound research agenda to guide deployment and evaluation across animal–human–environmental systems. Coordinating scientific innovation with governance and ethics can measurably reduce disease burden, curb antimicrobial consumption, and improve health outcomes across species. Full article
Show Figures

Figure 1

20 pages, 1181 KB  
Article
The Potential Public Health Impact of the mRNA-Based Respiratory Syncytial Virus Vaccine, mRNA-1345, Under Extended Vaccination Campaigns Among Older Adults in the United Kingdom: A Modelling Study
by Mariia Dronova, Anna Tytuła, Zuzanna Janusz, Parinaz Ghaswalla, Stuart Carroll, Orsolya Balogh and Keya Joshi
Vaccines 2025, 13(10), 1065; https://doi.org/10.3390/vaccines13101065 - 18 Oct 2025
Viewed by 508
Abstract
Background/Objectives: Respiratory syncytial virus (RSV) is a leading cause of severe respiratory disease in older adults. Despite growing recognition of RSV as a public health concern, vaccination options remain limited. This study assessed the potential long-term public health impact of extended mRNA-1345 [...] Read more.
Background/Objectives: Respiratory syncytial virus (RSV) is a leading cause of severe respiratory disease in older adults. Despite growing recognition of RSV as a public health concern, vaccination options remain limited. This study assessed the potential long-term public health impact of extended mRNA-1345 RSV vaccination campaigns. Methods: A dynamic transmission model, stratified by age, was developed to evaluate the epidemiological and clinical impact of RSV vaccination in the UK over a 20-year time horizon. Eight vaccination strategies were assessed: two reflecting the JCVI recommendation for the 2024–2025 season and its recent extension, and six extended strategies considering broader eligible age groups, higher coverage, and/or revaccination every 2 or 3 years. Two exploratory analyses and extensive model validation versus reported data were also conducted. Results: Strategies combining broader age eligibility (≥60 years), higher coverage (80%), and 2-year revaccination achieved the greatest impact, preventing 310,000 hospitalisations over 20 years in the total UK population. Exploratory analyses showed that the expected public health impact might exceed the estimates presented in this analysis, if an alternative vaccine efficacy profile or the projected demographic shift would be confirmed. Conclusions: Extended RSV vaccination strategies including broader age eligibility and routine revaccination could offer substantial public health benefits in the UK. Targeting adults aged ≥60 years is expected to be particularly efficient in achieving a sustainable reduction in RSV burden. These findings could provide valuable support for national policy discussions on optimising RSV vaccination strategies in older adults, particularly regarding target age groups, revaccination schedules, and long-term programme planning. Full article
(This article belongs to the Special Issue Respiratory Syncytial Virus (RSV) Vaccine)
Show Figures

Figure 1

45 pages, 2530 KB  
Review
Unique Features and Collateral Immune Effects of mRNA-LNP COVID-19 Vaccines: Plausible Mechanisms of Adverse Events and Complications
by János Szebeni
Pharmaceutics 2025, 17(10), 1327; https://doi.org/10.3390/pharmaceutics17101327 - 13 Oct 2025
Viewed by 1714
Abstract
A reassessment of the risk-benefit balance of the two lipid nanoparticle (LNP)-based vaccines, Pfizer’s Comirnaty and Moderna’s Spikevax, is currently underway. While the FDA has approved updated products, their administration is recommended only for individuals aged 65 years or older and for those [...] Read more.
A reassessment of the risk-benefit balance of the two lipid nanoparticle (LNP)-based vaccines, Pfizer’s Comirnaty and Moderna’s Spikevax, is currently underway. While the FDA has approved updated products, their administration is recommended only for individuals aged 65 years or older and for those aged 6 months or older who have at least one underlying medical condition associated with an increased risk of severe COVID-19. Among other factors, this change in guidelines reflect an expanded spectrum and increased incidence of adverse events (AEs) and complications relative to other vaccines. Although severe AEs are relatively rare (occurring in <0.5%) in vaccinated individuals, the sheer scale of global vaccination has resulted in millions of vaccine injuries, rendering post-vaccination syndrome (PVS) both clinically significant and scientifically intriguing. Nevertheless, the cellular and molecular mechanisms of these AEs are poorly understood. To better understand the phenomenon and to identify research needs, this review aims to highlight some theoretically plausible connections between the manifestations of PVS and some unique structural properties of mRNA-LNPs. The latter include (i) ribosomal synthesis of the antigenic spike protein (SP) without natural control over mRNA translation, diversifying antigen processing and presentation; (ii) stabilization of the mRNA by multiple chemical modification, abnormally increasing translation efficiency and frameshift mutation risk; (iii) encoding for SP, a protein with multiple toxic effects; (iv) promotion of innate immune activation and mRNA transfection in off-target tissues by the LNP, leading to systemic inflammation with autoimmune phenomena; (v) short post-reconstitution stability of vaccine nanoparticles contributing to whole-body distribution and mRNA transfection; (vi) immune reactivity and immunogenicity of PEG on the LNP surface increasing the risk of complement activation with LNP disintegration and anaphylaxis; (vii) GC enrichment and double proline modifications stabilize SP mRNA and prefusion SP, respectively; and (viii) contaminations with plasmid DNA and other organic and inorganic elements entailing toxicity with cancer risk. The collateral immune anomalies considered are innate immune activation, T-cell- and antibody-mediated cytotoxicities, dissemination of pseudo virus-like hybrid exosomes, somatic hypermutation, insertion mutagenesis, frameshift mutation, and reverse transcription. Lessons from mRNA-LNP vaccine-associated AEs may guide strategies for the prediction, prevention, and treatment of AEs, while informing the design of safer next-generation mRNA vaccines and therapeutics. Full article
(This article belongs to the Special Issue Development of Nucleic Acid Delivery System)
Show Figures

Graphical abstract

17 pages, 5050 KB  
Article
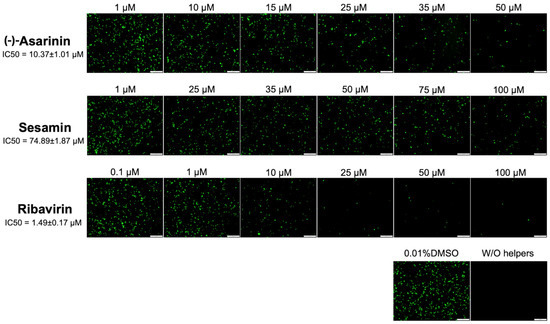
Antiviral Efficacy of Lignan Derivatives (-)-Asarinin and Sesamin Against Foot-and-Mouth Disease Virus by Targeting RNA-Dependent RNA Polymerase (3Dpol)
by Ploypailin Semkum, Natjira Mana, Varanya Lueangaramkul, Nantawan Phetcharat, Porntippa Lekcharoensuk and Sirin Theerawatanasirikul
Vet. Sci. 2025, 12(10), 971; https://doi.org/10.3390/vetsci12100971 - 10 Oct 2025
Viewed by 300
Abstract
Foot-and-mouth disease (FMD) is a highly contagious viral infection affecting livestock. Although inactivated vaccines are commonly used, their effectiveness is limited by an immunity gap. Therefore, complementary antiviral strategies are required for effective control and prevention. Lignans, plant-derived compounds, have shown promising antiviral [...] Read more.
Foot-and-mouth disease (FMD) is a highly contagious viral infection affecting livestock. Although inactivated vaccines are commonly used, their effectiveness is limited by an immunity gap. Therefore, complementary antiviral strategies are required for effective control and prevention. Lignans, plant-derived compounds, have shown promising antiviral properties, yet their potential against foot-and-mouth disease virus (FMDV) remains underexplored. This study employed virtual screening to identify lignan compounds targeting viral RNA-dependent RNA polymerase (3Dpol). Six lignan compounds were selected for cytotoxicity and antiviral activity evaluation including pre-viral entry, post-viral entry, and protective effect assays. Antiviral activity assay showed that (-)-asarinin and sesamin exhibit potent inhibition effects in the post-viral entry with EC50 of 15.11 μM and 52.98 μM, respectively, using immunoperoxidase monolayer assay. Both compounds exhibited dose-dependent reduction in viral replication with significant suppression of negative-strand RNA production. Lignans’ ability to target FMDV 3Dpol was further confirmed using a cell-based FMDV minigenome assay. Among the tested lignans, (-)-asarinin demonstrated remarkable inhibition of GFP expression (IC50 value at 10.37 μM), while sesamin required a higher concentration for similar effects. In silico prediction revealed that these lignans preferentially bind to FMDV 3Dpol active site. These findings are the first to establish (-)-asarinin and sesamin as promising antiviral candidates against FMDV. Full article
(This article belongs to the Section Veterinary Microbiology, Parasitology and Immunology)
Show Figures

Figure 1

14 pages, 1305 KB  
Article
Serological Response to COVID-19 Vaccination in Saudi Arabia: A Comparative Study of IgG and Neutralising Antibodies Across Vaccine Platforms
by Mariam M. AlEissa, Ahdab A. Alsaieedi, Reema Alduaiji, Fahad Almsned, Yousif AlDossary, Nada Saleh, Raghad A. AlQurashi, Esraa A. Hawsa, Muath b Ben Shaded, Amer M. Alshehri, Osamah T. Khojah, Eyad Y. Abu Sarhan, Hamad H. Alonazi, Walid A. Nouh, Khalid H. AlAnazi, Sami S. Almudrra, Khaled I. AlAbdulkareem, Abdullah AlJurayyan and Abdullah M. Asiri
Vaccines 2025, 13(10), 1042; https://doi.org/10.3390/vaccines13101042 - 10 Oct 2025
Viewed by 1015
Abstract
Background: In the Kingdom of Saudi Arabia, various COVID-19 vaccines were administered during the pandemic. However, region-specific real-word comparative data on their immunogenicity remain limited. This study aimed to assess the serological responses to Pfizer-BioNTech (BNT162b2), Moderna (mRNA-1273), and AstraZeneca (ChAdOx1 nCoV-19) [...] Read more.
Background: In the Kingdom of Saudi Arabia, various COVID-19 vaccines were administered during the pandemic. However, region-specific real-word comparative data on their immunogenicity remain limited. This study aimed to assess the serological responses to Pfizer-BioNTech (BNT162b2), Moderna (mRNA-1273), and AstraZeneca (ChAdOx1 nCoV-19) vaccines in a diverse population living in KSA. Methods: This observational study included 236 adults recruited from vaccination sites in Riyadh. Participants provided serum samples at predefined intervals: before the first dose, after the first dose, after the second dose, and post-vaccination infection (if applicable). IgG and neutralising antibodies were quantified using ELISA assays. Demographic and vaccination data, and their associations with antibody responses, were evaluated. Results: At baseline, 75.4% of participants were positive for SARS-CoV-2 IgG, suggesting high prior exposure. Marked incremental increases in IgG levels were observed after each vaccine dose. Both Moderna and Pfizer elicited stronger responses, with Pfizer inducing the strongest early response and Moderna achieving the highest overall titres. Among IgG-positive individuals, neutralising antibodies were detected in 98.1%. There were no statistically significant differences by age or gender, although males tended to show higher mean titres. Heterologous vaccine schedules induced comparable or enhanced immunogenicity relative to homologous schedules, supporting their use in flexible immunisation strategies. Conclusions: All COVID-19 vaccines administered in Saudi Arabia elicited robust antibody responses, particularly the mRNA-based vaccines. Our findings support their continued use and justify varied vaccination approaches, including mix-and-match booster strategies, to enhance community immunity. Full article
(This article belongs to the Section COVID-19 Vaccines and Vaccination)
Show Figures

Figure 1

30 pages, 1628 KB  
Review
RNA Therapeutics: Delivery Problems and Solutions—A Review
by Natalia Pozdniakova, Evgenii Generalov, Alexei Shevelev and Olga Tarasova
Pharmaceutics 2025, 17(10), 1305; https://doi.org/10.3390/pharmaceutics17101305 - 7 Oct 2025
Viewed by 1584
Abstract
RNA-based therapeutics offer transformative potential for treating devastating diseases. However, current RNA delivery technologies face significant hurdles, including inefficient tissue targeting, insufficient selectivity, and severe side effects, leading to the termination of many clinical trials. This review critically assesses the landscape of RNA-derived [...] Read more.
RNA-based therapeutics offer transformative potential for treating devastating diseases. However, current RNA delivery technologies face significant hurdles, including inefficient tissue targeting, insufficient selectivity, and severe side effects, leading to the termination of many clinical trials. This review critically assesses the landscape of RNA-derived medicines, examining world-renowned mRNA vaccines (Spikevax, BNT162b2/Comirnaty) and RNA-based therapeutics like Miravirsen (anti-miR-122). It details the composition and clinical trial results of numerous modified short RNA drugs (e.g., siRNAs, miRNA mimetics/inhibitors) targeting various conditions. Prospects for RNA-based medicines are analysed for diseases with substantial societal impact, such as cancer, autoimmune disorders, and infectious diseases, with a focus on evolving delivery methods, including lipid nanoparticles, viral vectors, and exosomes. RNA-mediated macrophage reprogramming emerges as a promising strategy, potentially enhancing both delivery and clinical efficacy. This review highlights that while approved RNA therapies primarily target rare diseases due to delivery limitations, novel approaches in RNA modification, targeted delivery systems, and enhanced understanding of molecular mechanisms are crucial for expanding their application to prevalent diseases and unlocking their full therapeutic potential. Full article
(This article belongs to the Special Issue RNA-Based Vaccines and Therapeutics)
Show Figures

Graphical abstract

15 pages, 1413 KB  
Article
Post-COVID-19 Vaccine Hyperproduction of Anti-Spike Antibodies and Rheumatological Manifestations
by Marc Alexandre Golstein
Vaccines 2025, 13(10), 1028; https://doi.org/10.3390/vaccines13101028 - 30 Sep 2025
Viewed by 13444
Abstract
Introduction: Vaccines are the most widely used public health measure to control the global COVID-19 pandemic. Most vaccines used in Europe and North America are mRNA-based. A mass vaccination campaign was carried out between 2021 and 2024. Some adverse events have been reported [...] Read more.
Introduction: Vaccines are the most widely used public health measure to control the global COVID-19 pandemic. Most vaccines used in Europe and North America are mRNA-based. A mass vaccination campaign was carried out between 2021 and 2024. Some adverse events have been reported based on analogies with previous virus-attenuated vaccines. Objectives: Given the new mechanism inducing specific antibodies, we questioned the role of mRNA Spike vaccines and the significance of hyperproduction of anti-Spike antibodies in the emergence of early and late onset rheumatological manifestations observed after one or more injections. Material and Methods: A prospective observational study involving two cohorts was initiated. The first cohort was observed from 13 September 2021 to 30 September 2022, and the second cohort from 1 October 2022 to 30 September 2023. The study also focused on the interval between the last vaccine injection and the onset of rheumatic symptoms. None of the patients had a history of rheumatic or inflammatory diseases. We compared both cohorts and ankle arthritis case series to analyze the differences between early and late-onset adverse events. Results: In both cohorts and case series, the majority of patients were women. The most common symptoms included diffuse muscle pain, which mimics polymyalgia rheumatica, and ankle arthritis. Very high levels of anti-Spike antibodies (>2080 BAU/mL) were generally detected. The Pearson correlation coefficient between both cohorts and case series was very high, confirming the reproducibility of post-vaccine clinical and biological features. Conclusions: These rheumatological manifestations might be triggered by inappropriate individual immune responses to the vaccine’s Spike protein and/or the overproduction of Spike protein, which can mediate a pro-inflammatory reaction, explaining early and late-onset effects. Full article
(This article belongs to the Section COVID-19 Vaccines and Vaccination)
Show Figures

Figure 1

26 pages, 6802 KB  
Article
Multifunctional Polymer-Modified P-CaO2@Au@OVA@Cu@DHPs Nanoparticles Enhance SARS-CoV-2 mRNA Vaccine-Induced Immunity via the cGAS–STING Signaling Pathway
by Yanle Zhi, Shengchao Wang, Haibo Zhang, Guimin Xue and Zhiqiang Zhang
Polymers 2025, 17(19), 2636; https://doi.org/10.3390/polym17192636 - 30 Sep 2025
Viewed by 379
Abstract
The success of mRNA-based SARS-CoV-2 vaccines has been confirmed in both preclinical and clinical settings. However, the development of safe and efficient mRNA vaccine delivery platforms remains challenging. In this report, PBAE-G-B-SS-modified CaO2 nanofibers and Au@OVA@Cu@Dendrobium huoshanense polysaccharides were employed to establish [...] Read more.
The success of mRNA-based SARS-CoV-2 vaccines has been confirmed in both preclinical and clinical settings. However, the development of safe and efficient mRNA vaccine delivery platforms remains challenging. In this report, PBAE-G-B-SS-modified CaO2 nanofibers and Au@OVA@Cu@Dendrobium huoshanense polysaccharides were employed to establish novel self-assembling polymeric micelles (CaO2@Au@OVA@Cu@DHPs) capable of serving as both an adjuvant and a delivery system for mRNA vaccines. In vitro, CaO2@Au@OVA@Cu@DHPs nanoparticles (NPs) were conducive to effective macrophage antigen uptake and efficient antigen processing. In vivo, P-CaO2@Au@OVA@Cu@DHPs NP administration was associated with a reduction in the ovalbumin (OVA) release rate that was conducive to the sustained induction of long-term immunity and to the production of higher levels of different IgG subtypes, suggesting that these effects were attributable to enhanced antigen uptake by antigen-presenting cells. Overall, these present data highlight the promise of these P-CaO2@Au@OVA@Cu@DHPs NPs as an effective and safe platform amenable to vaccine delivery through their ability to provide robust adjuvant activity and sustained antigen release capable of eliciting long-term immunological memory while potentiating humoral and cellular immune responses. Full article
(This article belongs to the Section Polymer Applications)
Show Figures

Figure 1

14 pages, 545 KB  
Article
Long-Term Safety of Anti-COVID-19 mRNA Vaccines in Patients with Systemic Lupus Erythematosus and Lupus-like Diseases with a Previous History of Myocarditis
by Giovanni Benanti, Marta Secci, Andrea Villatore, Sara Angiulli, Chiara Calabrese, Gabriele Domenico Gallina, Veronica Batani, Giacomo De Luca, Corrado Campochiaro, Giuseppe Pizzetti, Giovanni Peretto, Simone Sala, Enrica P. Bozzolo, Luca Moroni, Marco Matucci-Cerinic, Giuseppe A. Ramirez and Lorenzo Dagna
Microorganisms 2025, 13(10), 2266; https://doi.org/10.3390/microorganisms13102266 - 26 Sep 2025
Viewed by 1044
Abstract
Non-viral myocarditis is rare but relatively more frequent in patients with systemic autoimmune diseases (such as systemic lupus erythematosus, SLE, and allied conditions) than in the general population. In rare cases, mRNA-based vaccines can also trigger non-viral myocarditis. Limited data are available about [...] Read more.
Non-viral myocarditis is rare but relatively more frequent in patients with systemic autoimmune diseases (such as systemic lupus erythematosus, SLE, and allied conditions) than in the general population. In rare cases, mRNA-based vaccines can also trigger non-viral myocarditis. Limited data are available about the cardiac safety of mRNA vaccines in this subset of patients. Here, we report data from a third-level hospital on long-term safety, leveraging on a previously described cohort of 13 consecutive patients with SLE, Undifferentiated (UCTD) and Mixed Connective Tissue disease (MCTD), and a history of myocarditis, who had received anti-COVID-19 vaccination between April 2021 and January 2022. Demographics and clinical data (including validated clinometric for SLE) were collected at baseline, at the first available visit following the primary vaccination cycle, after an additional 12 months, and at the last available follow-up after at least 36 months. Twelve patients, seven females, ten with SLE, one MCTD, and one UCTD, had a median follow-up of 41 (35–45) months. One patient was lost at follow-up. No disease flare or sign of myocarditis recurrence were observed. At last visit, all patients were in a low disease activity state (LLDAS), and all but one were in remission, according to the Definition of Remission in SLE (DORIS) criteria. No significant variations in disease activity or damage accrual nor in markers of inflammation and myocardial injury were observed. Our data suggest that mRNA-based anti-COVID-19 vaccines in patients with previous autoimmune myocarditis in the context of SLE and allied conditions have a good long-term safety profile. Full article
(This article belongs to the Special Issue SARS-CoV-2: Infection, Transmission, and Prevention)
Show Figures

Figure 1

15 pages, 747 KB  
Review
Advances in Biotechnology and the Development of Novel Human Vaccines
by Ioanna Papadatou and Athanasios Michos
Vaccines 2025, 13(9), 989; https://doi.org/10.3390/vaccines13090989 - 22 Sep 2025
Cited by 1 | Viewed by 1912
Abstract
Recent advances in biotechnology have fundamentally reshaped the landscape of vaccine development, offering innovative strategies to improve immunogenicity, safety and accessibility. This review explores the cutting-edge platforms—including mRNA, DNA, virus-like particles, viral and bacterial vectors, and bacteriophage-based vaccines—that are redefining how vaccine antigens [...] Read more.
Recent advances in biotechnology have fundamentally reshaped the landscape of vaccine development, offering innovative strategies to improve immunogenicity, safety and accessibility. This review explores the cutting-edge platforms—including mRNA, DNA, virus-like particles, viral and bacterial vectors, and bacteriophage-based vaccines—that are redefining how vaccine antigens are delivered to the immune system. We also discuss alternative delivery methods, such as transcutaneous and mucosal immunization, which have the potential to improve vaccine acceptance and distribution, as well as next-generation adjuvants targeting innate immune receptors aiming to further enhance vaccine efficacy, especially in vulnerable populations. By synthesizing these innovations, this review highlights how biotechnology is enabling the design of safer, more efficient, and more adaptable vaccines to address both existing and emerging infectious diseases. Full article
(This article belongs to the Special Issue Biotechnologies Applied in Vaccine Research)
Show Figures

Figure 1

13 pages, 891 KB  
Review
Advances in Non-Small Cell Lung Cancer Cellular Immunotherapy: A Progress in Dendritic Cell, T-Cell, and NK Cell Vaccines
by Mirza Masroor Ali Beg, Mohammad Aslam, Asma Ayaz, Muhammad Saeed Akhtar and Wajid Zaman
Cells 2025, 14(18), 1453; https://doi.org/10.3390/cells14181453 - 16 Sep 2025
Viewed by 1236
Abstract
Over the past decade, cellular immunotherapy has emerged as a transformative strategy for non-small cell lung cancer (NSCLC), with dendritic-cell (DC) vaccines, T-cell vaccines, and natural killer (NK)-cell therapies demonstrating distinct mechanisms and clinical potential. DC vaccines capitalize on antigen presentation to prime [...] Read more.
Over the past decade, cellular immunotherapy has emerged as a transformative strategy for non-small cell lung cancer (NSCLC), with dendritic-cell (DC) vaccines, T-cell vaccines, and natural killer (NK)-cell therapies demonstrating distinct mechanisms and clinical potential. DC vaccines capitalize on antigen presentation to prime tumor-specific T-cell responses, showing excellent safety profiles limited mainly to injection-site reactions and flu-like symptoms. While monotherapy has shown limited efficacy, combinations with checkpoint inhibitors or chemotherapy enhance immune activation and survival outcomes. Recent innovations, including neoantigen-loaded, mRNA-electroporated, and exosome-pulsed DCs, demonstrate improved immunogenicity and personalized approaches. T-cell vaccines, designed to activate cytotoxic CD8+ T-cell responses, have been tested across multiple platforms, including peptide-based (MAGE-A3), viral vector (TG4010/MUC1), and mRNA (CV9201/92) formulations. While the phase III MAGRIT trial presented no disease-free survival (DFS) benefit with adjuvant MAGE-A3 vaccination, the TG4010 vaccine improved progression-free survival (PFS; HR 0.66) and overall survival (OS; HR 0.67) in MUC1-positive NSCLC when combined with chemotherapy. Current strategies focus on personalized neoantigen vaccines and KRAS-targeted approaches (e.g., ELI-002), with ongoing phase III trials evaluating their potential in resectable NSCLC. NK-cell therapies have also shown promise, with early trials establishing the feasibility of autologous and allogeneic infusions, while engineered CAR-NK cells enhance tumor-specific targeting. Combination strategies with checkpoint inhibitors significantly improve response rates and PFS, revealing synergies between innate and adaptive immunity. Recent advances include cytokine-enhanced, memory-like NK cells to overcome immunosuppression and “off-the-shelf” products for broader clinical use. Together, these cellular immunotherapies represent a versatile and evolving frontier in NSCLC treatment, with ongoing research optimizing combinations, delivery platforms, and patient selection to maximize therapeutic benefit. Full article
(This article belongs to the Section Cell Microenvironment)
Show Figures

Figure 1

Back to TopTop