Interaction between WC and Inconel 625 under Solid and Liquid State Sintering Conditions
Abstract
1. Introduction
2. Materials and Methods
3. Results and Discussion
4. Conclusions
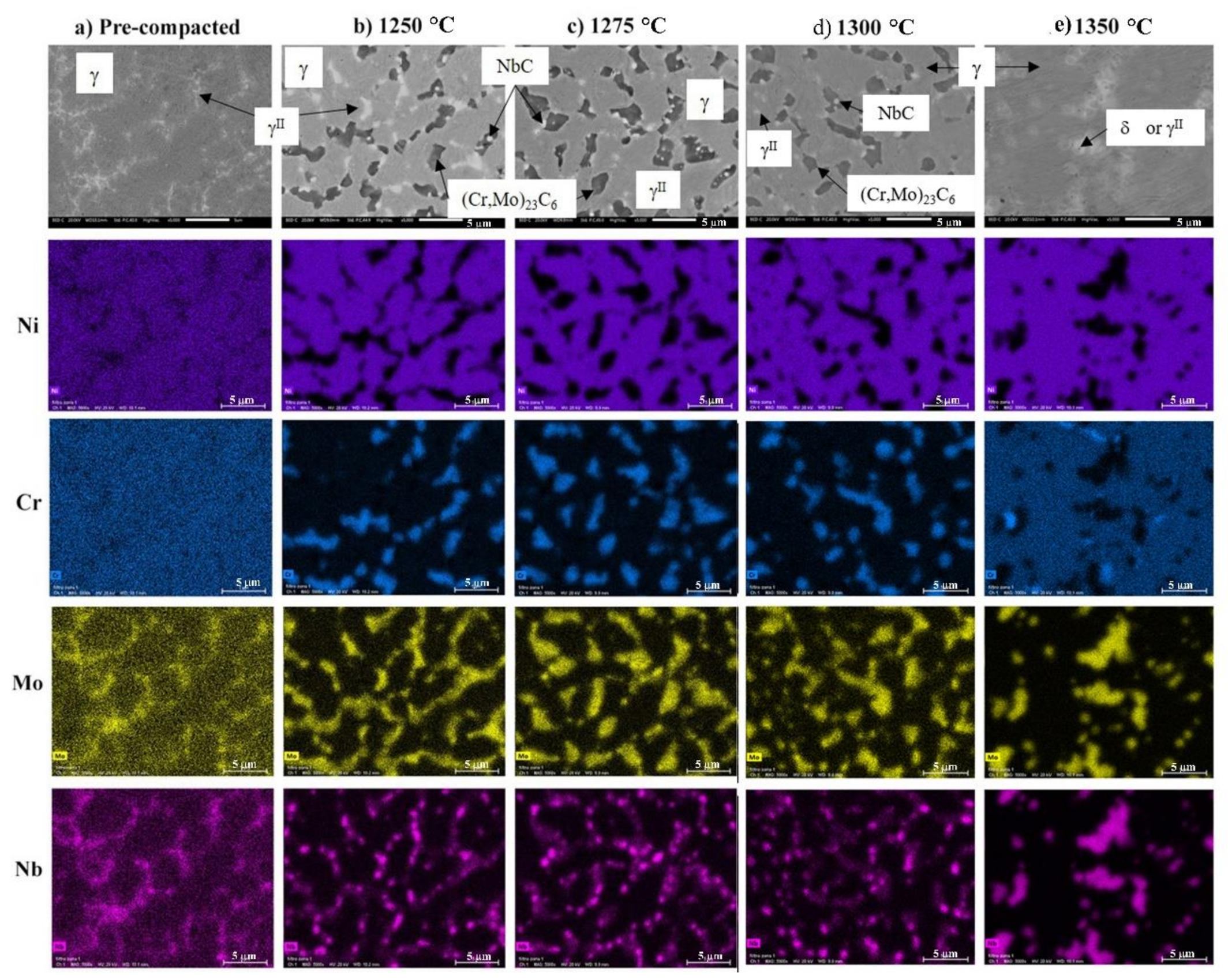
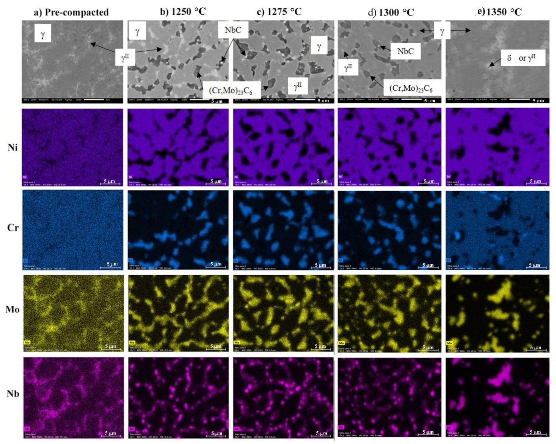
- Sintering at temperature up to 1300 °C. No liquid phase is formed. The interaction between WC and IN625 brings about the formation of W2C, (Mo,Cr)23C6 and solid solution (Cr,W). Increasing the sintering temperature, (Cr,W) solid solution remains constant and the W2C and (Cr,Mo)23C6 carbides increase from 1250 °C up to 1275 °C; above this temperature, they remain constant. Obviously, due to the diffusion process, the WC content decreases by increasing the sintering temperature.
- Sintering at 1350 °C. A liquid phase sintering forms that enhances the interaction between the constituents of the powder mix. Additional phases are formed, namely (Mo,W) and (Mo,Nb) solid solutions, and the intermetallic Ni4W phase.
- In the IN625 microstructure, the sintering process leads to a decrease of solute contents in the fcc γ matrix and the precipitation of NbC and (Mo,Cr)23C6 carbides under the investigated sintering conditions. An increased sintering temperature up to 1275 °C promotes the precipitation of (Mo,Cr)23C6, while the amount of NbC remains constant. No composition variation of both carbides were observed when the sintering temperature was increased from 1275 °C and 1300 °C. In addition, the γ amount remains quite constant and γII content increases by increasing the sintering temperature up to 1300 °C. When liquid-phase formation occurs, only the fcc γ matrix, γII and δ phase were detected.
- γII and NbC are expected to affect mechanical properties positively by precipitation hardening;
- The Cr-rich phases may also improve mechanical properties, but they should have a negative effect on the oxidation/corrosion resistance;
- W2C is an embrittling phase in WC-Co;
- No reference in the literature was found about the effect of the (Mo,W) solid solution, (Mo,Nb), intermetallic Ni4W phase, and δ.
Author Contributions
Funding
Conflicts of Interest
References
- Brookes, K.J.A. Hardmetals and other Hard Materials; Metal Powder Industries Federation: Princeton, NJ, USA, 1992. [Google Scholar]
- Santhanam, A.T.; Tierney, P.; Hunt, J.L. Properties and Selection: Nonferrous Alloys and Special Purpose Materials; ASM International: Materials Park, OH, USA, 1990. [Google Scholar]
- Upadhyaya, G.S. Cemented Tungsten Carbides: Production, Properties, and Testing; Noyes Publications: Park Ridge, NJ, USA, 1998. [Google Scholar]
- German, R.M. Sintering Theory and Practice; John Wiley & Sons, Inc.: New York, NY, USA, 1996. [Google Scholar]
- Grilli, M.; Bellezze, T.; Gamsjäger, E.; Rinaldi, A.; Novak, P.; Balos, S.; Piticescu, R.; Ruello, M. Solutions for Critical Raw Materials under Extreme Conditions: A Review. Materials 2017, 10, 285. [Google Scholar] [CrossRef] [PubMed]
- Penrice, T.W. Alternative Binder for Hard Metals. J. Mater. Shaping Technol. 1987, 5, 35–39. [Google Scholar] [CrossRef]
- Bhaumik, S.K.; Upadhyaya, G.S.; Vaidya, M.L. Effect of Ti(C,N) addition on sintering behavior and properties of binder-modified WC-10Co cemented carbide. J. Mater. Sci. 1994, 29, 54–60. [Google Scholar] [CrossRef]
- Roebuck, B.; Bennett, E.G.; Almond, E.A. Partitioning of molybdenum between carbide and binder phase in WC/Ni cemented carbides infiltrated with Ni-Cr-Mo alloys. J. Mater. Sci. Lett. 1986, 5, 473–474. [Google Scholar] [CrossRef]
- Gonzalez, G.; Echeberria, J.; Sanchez, J.M.; Castro, F. WC-(Fe,Ni,C) Hardmetals with improved toughness through isothermal heat treatments. J. Mater. Sci. 1995, 30, 3435–3439. [Google Scholar] [CrossRef]
- Waldorf, D.; Liu, S.; Stender, M.; Norgan, D. Alternative binder carbide tools for machining superalloys. In Proceedings of the International Conference on Manufacturing Science and Engineering, Evanston, IL, USA, 7–10 October 2008. [Google Scholar]
- Tracey, V.A. Nickel in Hardmentals. Int. J. Refract. Hard. Met. 1992, 11, 137–149. [Google Scholar] [CrossRef]
- Gabriel, A.; Pastor, H.; Deo, D.M.; Basu, S.; Allibert, C.H. New experimental data in the C-Fe-W, C-Co-W, C-Ni-W, C-Fe-Ni-W and C-Co-Ni-W cemented carbides systems and their application to sintering conditions. Int. J. Refract. Hard. Met. 1986, 5, 215–221. [Google Scholar]
- Guillermet, A.F. Co-Fe-Ni-W-C phase diagram: A thermodynamic description and calculated sections for (Co-Fe-Ni) bonded cemented WC tools. Z. Metallkd. 1989, 80, 83–94. [Google Scholar]
- Mankins, W.L.; Lamb, S. Nickel and Nickel Alloys. In Properties and Selection: Nonferrous Alloys and Special-Purpose Materials, 2nd ed.; ASM International: Materials Park, OH, USA, 1990; pp. 1362–1404. [Google Scholar]
- Motitschka, R.; Ettmayer, P.; Kny, E. Constitution of the Systems Co-Cr-W-C and Ni-Cr-W-C in the Cobalt and Nickel Corner. In Proceedings of the 12th International Plansee Seminar, Reutte, Austria, 8–12 May 1989; pp. 863–868. [Google Scholar]
- Shankar, V.; Bhanu Sankara Rao, K.; Mannan, S.L. Microstructure and mechanical properties of Inconel 625 superalloy. J. Nucl. Mater. 2001, 288, 222–232. [Google Scholar] [CrossRef]
- ASM International. Properties and Selection: Nonferrous Alloy and Special-Purpose Materials, 2nd ed.; ASM International: Materials Park, OH, USA, 1992; pp. 1362–1370. [Google Scholar]
- Floreen, S.; Fuchs, E.G.; Yang, J.W. The Metallurgy of Alloy 625. In Superalloy 718, 625, 706 and Various Derivatives; Loria, E.A., Ed.; The Minerals, Metals & Materials Society: Pittsburgh, PA, USA, 1994; pp. 13–37. [Google Scholar]
- Frank Rizzo, J.; Radavich, J. Microstructure characterization of PM 625-type materials. In Superalloy 718, 625, 706 and Various Derivatives; Loria, E.A., Ed.; The Minerals, Metals & Materials Society: Pittsburgh, PA, USA, 1991; pp. 297–308. [Google Scholar]
- Petrzak, P.; Kowalski, K.; Blicharski, M. Analysis of phase transformations in Inconel 625 alloy during annealing. In Proceedings of the XXIII Conference on applied crystallography, Krynica Zdrój, Poland, 20–24 September 2015. [Google Scholar]
- Dupont, J.N. Solidification of an Alloy 625 weld overlay. Metall. Mater. Trans. A. 1996, 27, 3612–3620. [Google Scholar] [CrossRef]
- Cieslak, M.J. The solidification behavior of an Alloy 625/718 variant. In Superalloy 718, 625, 706 and Various Derivatives; Loria, E.A., Ed.; The Minerals, Metals & Materials Society: Pittsburgh, PA, USA, 1991; pp. 71–80. [Google Scholar]
- Nguyen, Q.B.; Zhu, Z.; Chua, B.W.; Zhou, W.; Wei, J.; Nai, S.M.L. Development of WC-Inconel composites using selective laser melting. Arch. Civ. Mech. Eng. 2018, 18, 1410–1420. [Google Scholar] [CrossRef]
- Huebner, J.; Kata, D.; Rutkowski, P.; Petrzak, P.; Kusiński, J. Grain-Boundary Interaction between Inconel 625 and WC during Laser Metal Deposition. Materials 2018, 11, 1797. [Google Scholar] [CrossRef] [PubMed]
- Huebner, J.; Rutkowski, P.; Kata, D.; Kusinski, J. Microstructural and Mechanical Study of Inconel 625-Tungsten Carbide Composite Coatings Obtained by Powder Laser Cladding. Arch. Metall. Mater. 2017, 2, 531–538. [Google Scholar] [CrossRef]
- Janicki, D.; Musztyfaga, M. Direct Diode Laser Cladding of Inconel 625/WC Composite Coatings. J. Mech. Eng. 2018, 62, 363–372. [Google Scholar] [CrossRef]
- Rietveld, H.M. A profile refinement method for nuclear and magnetic structures. J. Appl. Crystallogr. 1969, 2, 65–71. [Google Scholar] [CrossRef]
- Machado, I.F.; Girardini, L.; Lonardelli, I.; Molinari, A. The study of ternary carbides formation during SPS consolidation process in the WC–Co–steel system. Int. J. Refract. Met. Hard Mater. 2009, 27, 883–891. [Google Scholar] [CrossRef]
- Li, S.; Wei, Q.; Shi, Y.; Zhu, Z.; Zhang, D. Microstructure Characteristics of Inconel 625 Superalloy Manufactured by Selective Laser Melting. J. Mater. Sci. Technol. 2015, 31, 946–952. [Google Scholar] [CrossRef]






| Chemical Composition of IN625 (wt. %) | ||||||||
|---|---|---|---|---|---|---|---|---|
| Ni | Cr | Mo | Nb | Fe | Si | Mn | O | C |
| 64.81 | 21.30 | 8.90 | 3.58 | 0.42 | 0.41 | 0.38 | 0.06 | 0.01 |
| MAUD Quantitative Analysis (vol.%) | |||||||||||
|---|---|---|---|---|---|---|---|---|---|---|---|
| Phase | WC | γ | Ni3Nb (γII) | NbC | W2C | (Cr,W) | (Cr,Mo)23C6 | Ni3Nb (δ) | (Mo,W) | (Mo,Nb) | Ni4W |
| Precomp | 52 | 35 | 13 | - | - | - | - | - | - | - | - |
| 1250 °C | 30 | 29 | 11 | 2 | 1 | 1 | 26 | - | - | - | - |
| 1275 °C | 26 | 26 | 14 | 2 | 2 | 1 | 29 | - | - | - | - |
| 1300 °C | 20 | 30 | 16 | 2 | 2 | 1 | 29 | - | - | - | - |
| 1350 °C | 10 | 22 | 10 | 8 | 2 | 9 | 9 | 7 | 10 | 5 | 8 |
| Lattice Parameter of γ (Å) | |||||
|---|---|---|---|---|---|
| Ni-fcc | Pre-Compacted | 1250 °C | 1275 °C | 1300 °C | 1350 °C |
| aγ | 3.557 | 3.528 | 3.532 | 3.537 | 3.548 |
Publisher’s Note: MDPI stays neutral with regard to jurisdictional claims in published maps and institutional affiliations. |
© 2021 by the authors. Licensee MDPI, Basel, Switzerland. This article is an open access article distributed under the terms and conditions of the Creative Commons Attribution (CC BY) license (https://creativecommons.org/licenses/by/4.0/).
Share and Cite
Emanuelli, L.; Molinari, A.; Pellizzari, M. Interaction between WC and Inconel 625 under Solid and Liquid State Sintering Conditions. Metals 2021, 11, 666. https://doi.org/10.3390/met11040666
Emanuelli L, Molinari A, Pellizzari M. Interaction between WC and Inconel 625 under Solid and Liquid State Sintering Conditions. Metals. 2021; 11(4):666. https://doi.org/10.3390/met11040666
Chicago/Turabian StyleEmanuelli, Lorena, Alberto Molinari, and Massimo Pellizzari. 2021. "Interaction between WC and Inconel 625 under Solid and Liquid State Sintering Conditions" Metals 11, no. 4: 666. https://doi.org/10.3390/met11040666
APA StyleEmanuelli, L., Molinari, A., & Pellizzari, M. (2021). Interaction between WC and Inconel 625 under Solid and Liquid State Sintering Conditions. Metals, 11(4), 666. https://doi.org/10.3390/met11040666

