Adult Upper Cortical Layer Specific Transcription Factor CUX2 Is Expressed in Transient Subplate and Marginal Zone Neurons of the Developing Human Brain
Abstract
1. Introduction
2. Materials and Methods
2.1. Human Fetal Brain Tissue
2.2. Immunohistochemistry (IHC) and Immunofluorescence (IF) on Postmortem Human Prenatal and Postnatal Cortical Tissue
2.3. RNAscope® In Situ Hybridization
3. Results
3.1. Early Fetal Development (10–13 PCW, Pre-SP & SP in Formation Phase)
3.2. Midfetal Development (15–26 PCW, Stationary SP Phase, SP Expansion Phase Leading to the SP Peak)
3.3. Late Fetal Development (Near Term, SP Resolution Phase)
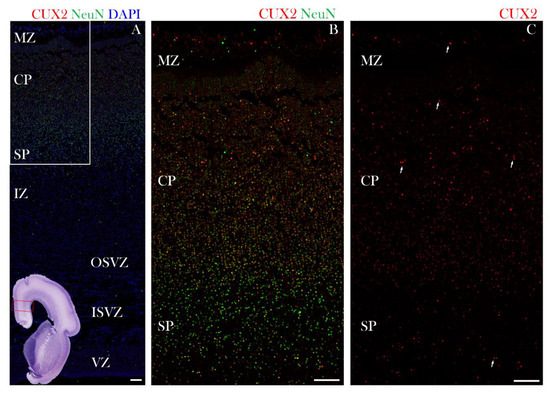
3.4. Adult Period (Post-SP Stage)
4. Discussion
4.1. CUX2 in the Developing Migratory Population of the Upper Cortical Layer Projection Neurons
4.2. CUX2 Expression in a Transient Population of Postmigratory Neurons and Early Differentiated Neurons in the Transient Cortical Compartments SP and MZ
4.3. Diverse Roles of CUX2
Supplementary Materials
Author Contributions
Funding
Institutional Review Board Statement
Informed Consent Statement
Acknowledgments
Conflicts of Interest
References
- Bystron, I.; Blakemore, C.; Rakic, P. Development of the Human Cerebral Cortex: Boulder Committee Revisited. Nat. Rev. Neurosci. 2008, 9, 110–122. [Google Scholar] [CrossRef]
- Kostović, I. The Enigmatic Fetal Subplate Compartment Forms an Early Tangential Cortical Nexus and Provides the Framework for Construction of Cortical Connectivity. Prog. Neurobiol. 2020, 194, 101883. [Google Scholar] [CrossRef]
- Molliver, M.E.; Kostović, I.; Van Der Loos, H. The Development of Synapses in Cerebral Cortex of the Human Fetus. Brain Res. 1973, 50, 403–407. [Google Scholar] [CrossRef]
- Kostovic, I.; Rakic, P. Developmental History of the Transient Subplate Zone in the Visual and Somatosensory Cortex of the Macaque Monkey and Human Brain. J. Comp. Neurol. 1990, 297, 441–470. [Google Scholar] [CrossRef] [PubMed]
- Kostović, I.; Sedmak, G.; Vukšić, M.; Judaš, M. The Relevance of Human Fetal Subplate Zone for Developmental Neuropathology of Neuronal Migration Disorders and Cortical Dysplasia. In CNS Neuroscience and Therapeutics; Blackwell Publishing Ltd.: Oxfordshire, UK, 2015; pp. 74–82. [Google Scholar] [CrossRef]
- Kostović, I.; Judaš, M. Embryonic and Fetal Development of the Human Cerebral Cortex. Brain Mapp. 2015, 2, 167–175. [Google Scholar] [CrossRef]
- Kostović, I.; Sedmak, G.; Judaš, M. Neural histology and neurogenesis of the human fetal and infant brain. NeuroImage 2019, 188, 743–773. [Google Scholar] [CrossRef]
- Molnár, Z.; Luhmann, H.J.; Kanold, P.O. Transient Cortical Circuits Match Spontaneous and Sensory-Driven Activity during Development. Science 2020, 370, eabb2153. [Google Scholar] [CrossRef]
- Barington, M.; Risom, L.; Ek, J.; Uldall, P.; Ostergaard, E. A Recurrent de Novo CUX2 Missense Variant Associated with Intellectual Disability, Seizures, and Autism Spectrum Disorder. Eur. J. Hum. Genet. 2018, 26, 1388–1391. [Google Scholar] [CrossRef]
- Popovitchenko, T.; Rasin, M.-R. Transcriptional and Post-Transcriptional Mechanisms of the Development of Neocortical Lamination. Front. Neuroanat. 2017, 11, 11. [Google Scholar] [CrossRef]
- Silbereis, J.C.; Pochareddy, S.; Zhu, Y.; Li, M.; Sestan, N. The Cellular and Molecular Landscapes of the Developing Human Central Nervous System. Neuron 2016, 89, 248. [Google Scholar] [CrossRef]
- Frantz, G.D.; Weimann, J.M.; Levin, M.E.; McConnell, S.K. Otx1 and Otx2 Define Layers and Regions in Developing Cerebral Cortex and Cerebellum. J. Neurosci. 1994, 14, 5725–5740. [Google Scholar] [CrossRef] [PubMed]
- Hevner, R.F.; Daza, R.A.M.; Rubenstein, J.L.R.; Stunnenberg, H.; Olavarria, J.F.; Englund, C. Beyond Laminar Fate: Toward a Molecular Classification of Cortical Projection/Pyramidal Neurons. Dev. Neurosci. 2003, 25, 139–151. [Google Scholar] [CrossRef] [PubMed]
- Rakic, P. Neurons in Rhesus Monkey Visual Cortex: Systematic Relation between Time of Origin and Eventual Disposition. Science 1974, 183, 425–427. [Google Scholar] [CrossRef] [PubMed]
- Ozair, M.Z.; Kirst, C.; van den Berg, B.L.; Ruzo, A.; Rito, T.; Brivanlou, A.H. HPSC Modeling Reveals That Fate Selection of Cortical Deep Projection Neurons Occurs in the Subplate. Cell Stem Cell 2018, 23, 60–73.e6. [Google Scholar] [CrossRef]
- Mostajo-Radji, M.A.; Pollen, A.A. Postmitotic Fate Refinement in the Subplate. Cell Stem Cell 2018, 23, 7–9. [Google Scholar] [CrossRef]
- Hevner, R.F. Layer-Specific Markers as Probes for Neuron Type Identity in Human Neocortex and Malformations of Cortical Development. J. Neuropathol. Exp. Neurol. 2007, 66, 101–109. [Google Scholar] [CrossRef] [PubMed]
- Li, M.; Santpere, G.; Kawasawa, Y.I.; Evgrafov, O.V.; Gulden, F.O.; Pochareddy, S.; Sunkin, S.M.; Li, Z.; Shin, Y.; Zhu, Y.; et al. Integrative Functional Genomic Analysis of Human Brain Development and Neuropsychiatric Risks. Science 2018, 362, eaat7615. [Google Scholar] [CrossRef]
- Molyneaux, B.J.; Arlotta, P.; Menezes, J.R.L.; Macklis, J.D. Neuronal Subtype Specification in the Cerebral Cortex. Nat. Rev. Neurosci. 2007, 8, 427–437. [Google Scholar] [CrossRef]
- Kwan, K.Y.; Šestan, N.; Anton, E.S. Transcriptional Co-Regulation of Neuronal Migration and Laminar Identity in the Neocortex. Development 2012, 139, 1535–1546. [Google Scholar] [CrossRef]
- DeBoer, E.M.; Kraushar, M.L.; Hart, R.P.; Rasin, M.R. Post-Transcriptional Regulatory Elements and Spatiotemporal Specification of Neocortical Stem Cells and Projection Neurons. Neuroscience 2013, 248, 499–528. [Google Scholar] [CrossRef]
- Hevner, R.F.; Shi, L.; Justice, N.; Hsueh, Y.P.; Sheng, M.; Smiga, S.; Bulfone, A.; Goffinet, A.M.; Campagnoni, A.T.; Rubenstein, J.L.R. Tbr1 Regulates Differentiation of the Preplate and Layer 6. Neuron 2001, 29, 353–366. [Google Scholar] [CrossRef]
- Kwan, K.Y.; Lam, M.M.S.; Johnson, M.B.; Dube, U.; Shim, S.; Rašin, M.-R.; Sousa, A.M.M.; Fertuzinhos, S.; Chen, J.-G.; Arellano, J.I.; et al. Species-Dependent Posttranscriptional Regulation of NOS1 by FMRP in the Developing Cerebral Cortex. Cell 2012, 149, 899–911. [Google Scholar] [CrossRef] [PubMed]
- Zimmer, C.; Tiveron, M.-C.; Bodmer, R.; Cremer, H. Dynamics of Cux2 Expression Suggests That an Early Pool of SVZ Precursors Is Fated to Become Upper Cortical Layer Neurons. Cereb. Cortex 2004, 14, 1408–1420. [Google Scholar] [CrossRef] [PubMed]
- Nieto, M.; Monuki, E.S.; Tang, H.; Imitola, J.; Haubst, N.; Khoury, S.J.; Cunningham, J.; Gotz, M.; Walsh, C.A. Expression of Cux-1 and Cux-2 in the Subventricular Zone and Upper Layers II-IV of the Cerebral Cortex. J. Comp. Neurol. 2004, 479, 168–180. [Google Scholar] [CrossRef]
- Iulianella, A.; Vanden Heuvel, G.; Trainor, P. Dynamic Expression of Murine Cux2 in Craniofacial, Limb, Urogenital and Neuronal Primordia. Gene Expr. Patterns 2003, 3, 571–577. [Google Scholar] [CrossRef]
- Gingras, H.; Cases, O.; Krasilnikova, M.; Bérubé, G.; Nepveu, A. Biochemical Characterization of the Mammalian Cux2 Protein. Gene 2005, 344, 273–285. [Google Scholar] [CrossRef]
- Cubelos, B.; Sebastián-Serrano, A.; Beccari, L.; Calcagnotto, M.E.; Cisneros, E.; Kim, S.; Dopazo, A.; Alvarez-Dolado, M.; Redondo, J.M.; Bovolenta, P.; et al. Cux1 and Cux2 Regulate Dendritic Branching, Spine Morphology, and Synapses of the Upper Layer Neurons of the Cortex. Neuron 2010, 66, 523–535. [Google Scholar] [CrossRef]
- Chatron, N.; Møller, R.S.; Champaigne, N.L.; Schneider, A.L.; Kuechler, A.; Labalme, A.; Simonet, T.; Baggett, L.; Bardel, C.; Kamsteeg, E.J.; et al. The Epilepsy Phenotypic Spectrum Associated with a Recurrent CUX2 Variant. Ann. Neurol. 2018, 83, 926–934. [Google Scholar] [CrossRef]
- Adorjan, I.; Tyler, T.; Bhaduri, A.; Demharter, S.; Finszter, C.K.; Bako, M.; Sebok, O.M.; Nowakowski, T.J.; Khodosevich, K.; Møllgård, K.; et al. Neuroserpin Expression during Human Brain Development and in Adult Brain Revealed by Immunohistochemistry and Single Cell RNA Sequencing. J. Anat. 2019, 235, 543–554. [Google Scholar] [CrossRef]
- Popovitchenko, T.; Park, Y.; Page, N.F.; Luo, X.; Krsnik, Z.; Liu, Y.; Salamon, I.; Stephenson, J.D.; Kraushar, M.L.; Volk, N.L.; et al. Translational Derepression of Elavl4 Isoforms at Their Alternative 5′ UTRs Determines Neuronal Development. Nat. Commun. 2020, 11. [Google Scholar] [CrossRef] [PubMed]
- Kostović, I.; Išasegi, I. Ž.; Krsnik, Ž. Sublaminar Organization of the Human Subplate: Developmental Changes in the Distribution of Neurons, Glia, Growing Axons and Extracellular Matrix. J. Anat. 2019, 235, 481–506. [Google Scholar] [CrossRef]
- Schindelin, J.; Arganda-Carreras, I.; Frise, E.; Kaynig, V.; Longair, M.; Pietzsch, T.; Preibisch, S.; Rueden, C.; Saalfeld, S.; Schmid, B.; et al. Fiji: An Open-Source Platform for Biological-Image Analysis. Nat. Methods 2012, 9, 676–682. [Google Scholar] [CrossRef]
- Duque, A.; Krsnik, Z.; Kostović, I.; Rakic, P. Secondary Expansion of the Transient Subplate Zone in the Developing Cerebrum of Human and Nonhuman Primates. Proc. Natl. Acad. Sci. USA 2016, 113, 9892–9897. [Google Scholar] [CrossRef]
- Kostović, I.; Jovanov-Milošević, N.; Radoš, M.; Sedmak, G.; Benjak, V.; Kostović-Srzentić, M.; Vasung, L.; Čuljat, M.; Radoš, M.; Hüppi, P.; et al. Perinatal and Early Postnatal Reorganization of the Subplate and Related Cellular Compartments in the Human Cerebral Wall as Revealed by Histological and MRI Approaches. Brain Struct. Funct. 2014, 219, 231–253. [Google Scholar] [CrossRef]
- Arion, D.; Unger, T.; Lewis, D.A.; Mirnics, K. Molecular Markers Distinguishing Supragranular and Infragranular Layers in the Human Prefrontal Cortex. Eur. J. Neurosci. 2007, 25, 1843–1854. [Google Scholar] [CrossRef] [PubMed]
- Ferrere, A.; Vitalis, T.; Gingras, H.; Gaspar, P.; Cases, O. Expression of Cux-1 and Cux-2 in the Developing Somatosensory Cortex of Normal and Barrel-Defective Mice. Anat. Rec. Part A Discov. Mol. Cell. Evol. Biol. 2006, 288, 158–165. [Google Scholar] [CrossRef]
- Kubo, K.-I.; Deguchi, K.; Nagai, T.; Ito, Y.; Yoshida, K.; Endo, T.; Benner, S.; Shan, W.; Kitazawa, A.; Aramaki, M.; et al. Association of Impaired Neuronal Migration with Cognitive Deficits in Extremely Preterm Infants. JCI Insight 2017, 2. [Google Scholar] [CrossRef] [PubMed]
- Schwartz, M.L.; Rakic, P.; Goldman-rakic, P.S. Early Phenotype Expression of Cortical Neurons: Evidence That a Subclass of Migrating Neurons Have Callosal Axons. Proc. Natl. Acad. Sci. USA 1991, 88, 1354–1358. [Google Scholar] [CrossRef]
- Cubelos, B.; Sebastián-Serrano, A.; Kim, S.; Moreno-Ortiz, C.; Redondo, J.M.; Walsh, C.A.; Nieto, M. Cux-2 Controls the Proliferation of Neuronal Intermediate Precursors of the Cortical Subventricular Zone. Cereb. Cortex 2008, 18, 1758–1770. [Google Scholar] [CrossRef] [PubMed]
- Kondo, S.; Al-Hasani, H.; Hoerder-Suabedissen, A.; Wang, W.Z.; Molnár, Z. Secretory Function in Subplate Neurons during Cortical Development. Front. Neurosci. 2015, 9, 100. [Google Scholar] [CrossRef][Green Version]
- Xu, G.; Broadbelt, K.G.; Haynes, R.L.; Folkerth, R.D.; Borenstein, N.S.; Belliveau, R.A.; Trachtenberg, F.L.; Volpe, J.J.; Kinney, H.C. Late Development of the Gabaergic System in the Human Cerebral Cortex and White Matter. J. Neuropathol. Exp. Neurol. 2011, 70, 841–858. [Google Scholar] [CrossRef]
- DeFelipe, J.; Douglas Fields, R.; Hof, P.R.; Höistad, M.; Kostovic, I.; Meyer, G.; Rockland, K.S. Cortical White Matter: Beyond the Pale Remarks, Main Conclusions and Discussion. Front. Neuroanat. 2010, 4, 1–28. [Google Scholar] [CrossRef]
- Boon, J.; Clarke, E.; Kessaris, N.; Goffinet, A.; Molnár, Z.; Hoerder-Suabedissen, A. Long-range Projections from Sparse Populations of GABAergic Neurons in Murine Subplate. J. Comp. Neurol. 2019, 527, 1610–1620. [Google Scholar] [CrossRef]
- Hoerder-Suabedissen, A.; Molnár, Z. Development, Evolution and Pathology of Neocortical Subplate Neurons. Nat. Rev. Neurosci. 2015, 16, 133–146. [Google Scholar] [CrossRef]
- McConnell, S.K.; Ghosh, A.; Shatz, C.J. Subplate Neurons Pioneer the First Axon Pathway from the Cerebral Cortex. Science 1989, 245, 978–982. [Google Scholar] [CrossRef]
- Hoerder-Suabedissen, A.; Molnár, Z. Morphology of Mouse Subplate Cells with Identified Projection Targets Changes with Age. J. Comp. Neurol. 2012, 520, 174–185. [Google Scholar] [CrossRef] [PubMed]
- Deazevedo, L.C.; Hedin-Pereira, C.; Lent, R. Callosal Neurons in the Cingulate Cortical Plate and Subplate of Human Fetuses. J. Comp. Neurol. 1997, 386, 60–70. [Google Scholar] [CrossRef]
- Marin-Padilla, M.; Marin-Padilla, T.M. Origin, Prenatal Development and Structural Organization of Layer I of the Human Cerebral (Motor) Cortex—A Golgi Study. Anat. Embryol. 1982, 164, 161–206. [Google Scholar] [CrossRef] [PubMed]
- Marín-Padilla, M. Cajal-Retzius Cells and the Development of the Neocortex. Trends Neurosci. 1998, 21, 64–71. [Google Scholar] [CrossRef]
- Kostovic, I.; Rakic, P. Cytology and Time of Origin of Interstitial Neurons in the White Matter in Infant and Adult Human and Monkey Telencephalon. J. Neurocytol. 1980, 9, 219–242. [Google Scholar] [CrossRef]
- Sarnat, H.B.; Flores-Sarnat, L. Role of Cajal-Retzius and Subplate Neurons in Cerebral Cortical Development. Semin. Pediatr. Neurol. 2002, 9, 302–308. [Google Scholar] [CrossRef]
- Molliver, M.E.; Van der Loos, H. The Ontogenesis of Cortical Circuitry: The Spatial Distribution of Synapses in Somesthetic Cortex of Newborn Dog. Ergeb. Anat. Entwicklungsgeschichte 1970, 42, 5–53. [Google Scholar]
- Kwan, K.Y.; Lam, M.M.S.; Krsnik, Ž.; Kawasawa, Y.I.; Lefebvre, V.; Šestan, N. SOX5 Postmitotically Regulates Migration, Postmigratory Differentiation, and Projections of Subplate and Deep-Layer Neocortical Neurons. Proc. Natl. Acad. Sci. USA 2008, 105, 16021–16026. [Google Scholar] [CrossRef]
- Bayraktar, O.A.; Bartels, T.; Holmqvist, S.; Kleshchevnikov, V.; Martirosyan, A.; Polioudakis, D.; Ben Haim, L.; Young, A.M.H.; Batiuk, M.Y.; Prakash, K.; et al. Astrocyte Layers in the Mammalian Cerebral Cortex Revealed by a Single-Cell in Situ Transcriptomic Map. Nat. Neurosci. 2020, 23, 500–509. [Google Scholar] [CrossRef] [PubMed]
- Weiss, L.A.; Nieto, M. The Crux of Cux Genes in Neuronal Function and Plasticity. Brain Res. 2019, 1705, 32–42. [Google Scholar] [CrossRef] [PubMed]











| Publisher’s Note: MDPI stays neutral with regard to jurisdictional claims in published maps and institutional affiliations. | 
© 2021 by the authors. Licensee MDPI, Basel, Switzerland. This article is an open access article distributed under the terms and conditions of the Creative Commons Attribution (CC BY) license (http://creativecommons.org/licenses/by/4.0/).
Share and Cite
Miškić, T.; Kostović, I.; Rašin, M.-R.; Krsnik, Ž. Adult Upper Cortical Layer Specific Transcription Factor CUX2 Is Expressed in Transient Subplate and Marginal Zone Neurons of the Developing Human Brain. Cells 2021, 10, 415. https://doi.org/10.3390/cells10020415
Miškić T, Kostović I, Rašin M-R, Krsnik Ž. Adult Upper Cortical Layer Specific Transcription Factor CUX2 Is Expressed in Transient Subplate and Marginal Zone Neurons of the Developing Human Brain. Cells. 2021; 10(2):415. https://doi.org/10.3390/cells10020415
Chicago/Turabian StyleMiškić, Terezija, Ivica Kostović, Mladen-Roko Rašin, and Željka Krsnik. 2021. "Adult Upper Cortical Layer Specific Transcription Factor CUX2 Is Expressed in Transient Subplate and Marginal Zone Neurons of the Developing Human Brain" Cells 10, no. 2: 415. https://doi.org/10.3390/cells10020415
APA StyleMiškić, T., Kostović, I., Rašin, M.-R., & Krsnik, Ž. (2021). Adult Upper Cortical Layer Specific Transcription Factor CUX2 Is Expressed in Transient Subplate and Marginal Zone Neurons of the Developing Human Brain. Cells, 10(2), 415. https://doi.org/10.3390/cells10020415
 
         
                                                

